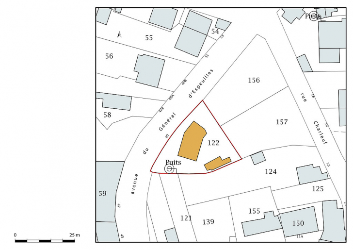
MAISON 40 AVENUE DU GÉNÉRAL D'ESPEUILLES DITE VILLA LES JASMINS
58 - Saint-Honoré-les-Bains
40 avenue du Général d'Espeuilles
- Dossier IA58001271 réalisé en 2019
- Auteur(s) : Fabien Dufoulon
Historique
La demeure est construite par Jean Pacot, qui vit au bourg, en 1877. Son nom ("Les Jasmins") est gravé sur le pilier gauche du portail et mentionné sur une carte postale ancienne. Le serrurier Machin-Defosse, nouveau propriétaire, fait paraître un encart publicitaire dans la Notice sur la station thermo-minérale de Saint-Honoré (1889) : la "maison admirablement située" dispose d'une "vue splendide à l'est, sur les plaines de la Nièvre, au nord, sur les montagnes du Morvan et sur les bois". Les listes des baigneurs étrangers du Saint-Honoré Thermal confirment que la villa est louée à des curistes (septembre 1901). On y apprend également qu'elle pouvait accueillir au moins quatre familles différentes en même temps.
- 4e quart 19e siècle
Description
La maison est extrêmement simple, et constitue un exemple caractéristique de la première villégiature de Saint-Honoré-les-Bains. De plan rectangulaire, elle s'élève sur un rez-de-chaussée et un étage carré et elle est couverte d'un toit à longs pans et à croupes en ardoise. Les murs en moellon calcaire sont recouverts d'enduit. Seuls les chambranles des ouvertures et les chaînes d'angles sont en pierre de taille. L'originalité de la façade réside dans la disposition des deux portes jumelles au centre, ce qui tend à indiquer la présence d'au moins deux logements indépendants, dotés chacun de leur escalier permettant d'accéder à l'étage, selon une configuration que l'on retrouve à la Villa des Fleurs quelques années plus tard. La villa est complétée par un corps de bâtiment secondaire en rez-de-chaussée à gauche.
- calcaire
- moellon
- enduit
- ardoise
- plan rectangulaire régulier
- rez-de-chaussée
- 1 étage carré
- élévation à travées
- toit à longs pans, croupe
- baie rectangulaire
Source(s) documentaire(s)
-
Archives départementales de la Nièvre. Cadastre de la commune de Saint-Honoré-les-Bains. [1832-1951].
Archives départementales de la Nièvre. Cadastre de la commune de Saint-Honoré-les-Bains. [1832-1951].- Atlas parcellaire (1832) : 3 PP 246- État de section (1832) : 3 P 246/1- Matrices cadastrales des propriétés bâties et non bâties : 3 P 246/2 (folio 1 à 380), 3 P 246/3 (folio 381 à 780), 3 P 246/4 (folio 781 à 1168)- Matrice cadastrale des propriétés bâties (1882-1914) : 3 P 246/5- Matrice cadastrale dite « matrice noire » des propriétés bâties : 3 P 246/6- Matrices cadastrales des propriétés non bâties : 3 P 246/7, 3 P 246/8, 3 P 246/9Lieu de conservation : Archives départementales de la Nièvre, Nevers - Cote du document : 3 P 246
-
Notice sur la station thermo-minérale de Saint-Honoré-les-Bains (Nièvre). 1889.
Notice sur la station thermo-minérale de Saint-Honoré-les-Bains (Nièvre). Nevers : Imprimerie Fay, G. Vallière, 1889. -
Saint-Honoré Thermal, première année, n°17, 8 septembre 1901.
Saint-Honoré Thermal, première année, n°17, 8 septembre 1901. -
Delarue, Monique, Ducros, Henri, Fréguin, Michel, Olivier, Henri. Saint-Honoré-les-Bains. 2005.
Delarue, Monique. Ducros, Henri. Fréguin, Michel. Olivier, Henri. Saint-Honoré-les-Bains. Saint-Cyr-sur-Loire : Alan Sutton, 2005. Mémoire en images, ISSN 1355-5723. 128 p. ISBN 2-84253-539-1.
À voir
Informations complémentaires
- thermalisme en Bourgogne-Franche-Comté (le)
- © Région Bourgogne-Franche-Comté, Inventaire du patrimoine
