USINE DE TRAITEMENT DE SURFACE DES MÉTAUX (USINE DE GALVANOPLASTIE) COEURDOR
25 - Maîche
8 rue de la Batheuse
- Dossier IA25001361 réalisé en 2012 revu en 2015
- Auteur(s) : Laurent Poupard
Historique
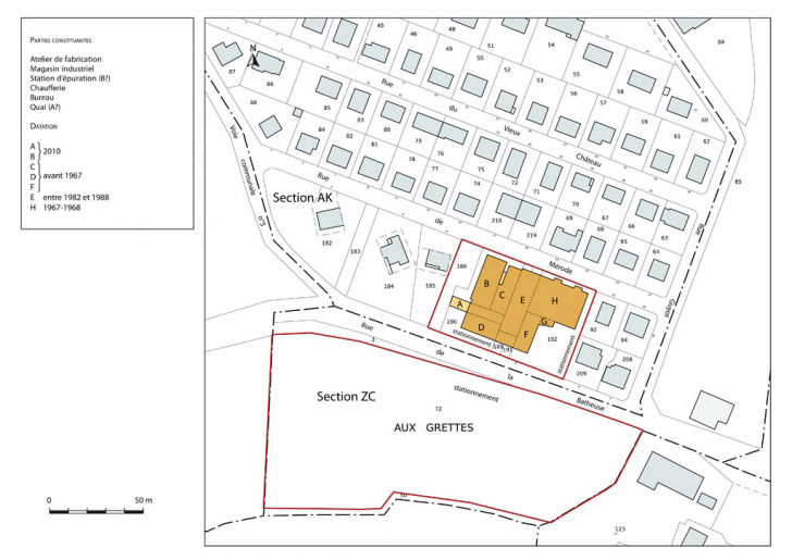
Deux ateliers de décolletage sont bâtis sur le site vers 1961 pour les sociétés Zwahlen et Le Microdécolletage. Le premier est destiné aux Ets André Zwahlen et Cie, SA (au capital de 80 000 F) créée le 23 mai 1955 qui réalise rue de Saint-Hippolyte du décolletage de haute précision : elle fabrique pour l'horlogerie des couronnes de remontoirs et des arbres de barillet (puis des barillets complets), pour l'armement des pignons spéciaux, etc. Cette petite entreprise (elle est classée en 1963 dans la catégorie de 0 à 10 salariés) a été fondée par un ancien directeur technique de la société Cheval Frères, établie au 4 rue de la Gare, lorsque celle-ci est partie pour Besançon. Le deuxième atelier est celui de la Sarl Le Microdécolletage qui, issue de l'entreprise Tissot Frères, est alors établi rue de l'Helvétie. Il est agrandi deux ans plus tard (le site compte alors trois corps de bâtiments). Le Microdécolletage fusionne le 12 janvier 1967 avec Coeurdor, société fondée en 1950 et qui a officiellement débuté le 10 septembre 1951 ses activités de traitement de surface (argentage, dorage, nickelage, rhodiage). Sarl au capital de 500 000 F en 1950, Coeurdor a son siège social au 10 rue des Villas à Besançon et son site de production à Charquemont. A sa création, elle est gérée par Joseph Nappey, fabricant de boîtes de montres à Charmauvillers, qui déclare le 3 mai 1950 l'ouverture à Charquemont d' "un atelier où il sera procédé au dépôt électrolytique des métaux", dans un bâtiment ayant abrité l'usine d'horlogerie Emile Walcker (11 rue de l'Eglise). Transformée le 30 décembre 1958 en SA (au capital de 150 000 F en 1972), la société transfère alors cet atelier, toujours à Charquemont, dans l'ancienne usine d'horlogerie Victorin Frésard (au 12 rue du Château), qu'elle quitte vers 1974 lorsqu'elle rapatrie ses activités à Maîche. En 1967-1968, elle a fait construire un nouveau bâtiment dans cette commune, à l'arrière de ceux existants. En 1970, cette usine de galvanoplastie occupe 23 personnes, travaillant 46 heures par semaine. Elle est dirigée par Stéphane Sandoz (fondateur de Technic Ebauche à Maîche et futur repreneur de Frainier à Morteau), ensuite remplacé par son gendre Robert Jeambrun (dont le père - également prénommé Robert - est à l'origine de la société Jeambrun Appareillages, chemin de la Rasse, et dont le grand-père a fondé en 1900 rue de Saint-Hippolyte la fabrique d'ébauches de montres Joseph Jeambrun). Coeurdor se développe au cours de la décennie 1980 avec de nouvelles activités (et un bâtiment supplémentaire entre ceux existants) : polissage en 1983, laquage en 1986, PVD (physical vapor deposition, ou dépôt sous vide) en 1989. La société absorbe le bâtiment Zwahlen, repris (vers 1985 ?) par un M Gillet. Elle est au coeur du groupe Surfaces Synergie, actif dans l'industrie du luxe (horlogerie, bijouterie, maroquinerie, lunetterie, stylo), qui se crée en 1992 et associe : Coeurdor pour les dépôts galvaniques précieux et les laques épaisses ; Ionitec pour les dépôts céramique, PVD et couche mince, à Mamirolle ; CP Luxe Composants pour le développement et la fabrication de pièces et accessoires métalliques de luxe, à Morez (Jura) ; Cubimatéria pour l'assemblage, le polissage et la galvanoplastie, à Fundao au Portugal. Le groupe compte 200 personnes en 2010, année de la construction d'un nouveau bâtiment et d'une station d'épuration dans l'usine de Maîche. Il en emploie 121 en 2012, dont 26 pour cette dernière unité.
- 3e quart 20e siècle
- 4e quart 20e siècle
- 1er quart 21e siècle
Description
Les bâtiments ont des murs en béton enduit, certains protégés par un essentage de tôle, et des toits terrasse ou en appentis, à pignons découverts (et couverture métallique ?). Celui au centre, l'un des plus anciens, compte un sous-sol, un rez-de-chaussée surélevé, un étage carré et un étage de comble, coiffé d'un toit à croupes et tuiles mécaniques.
- béton
- enduit
- essentage de tôle
- tuile mécanique
- métal en couverture
- sous-sol
- rez-de-chaussée surélevé
- 1 étage carré
- étage de comble
- élévation à travées
- toit à longs pans, pignon couvert
- appentis, pignon découvert
- escalier dans-oeuvre,
- énergie électrique achetée
Source(s) documentaire(s)
-
Archives départementales du Doubs : 171 W 3 Établissements classés (1950-1964).
Archives départementales du Doubs : 171 W 3 Établissements classés (1950-1964).Lieu de conservation : Archives départementales du Doubs, Besançon - Cote du document : 171 W 3 -
Archives départementales du Doubs : 1132 W 389 Établissements classés (20e siècle).
Archives départementales du Doubs : 1132 W 389 Établissements classés (20e siècle).Lieu de conservation : Archives départementales du Doubs, Besançon - Cote du document : 1132 W 389 -
Archives municipales, Maîche : Cadastre de la commune de Maîche [1812-1977].
Archives municipales, Maîche : Cadastre de la commune de Maîche [1812-1977].- Registre des états de sections (1812).- Matrices cadastrales des propriétés bâties et non bâties : Propriétés foncières [1826-1914].- Matrice cadastrale des propriétés bâties, 1883-1896 [1882-1910].- Matrice cadastrale des propriétés bâties [1911-1977].Lieu de conservation : Archives municipales, Maîche
-
Prises de vues aériennes de l'IGN (20e siècle).
Prises de vues aériennes de l'IGN (20e siècle). Consultables en ligne via le site du Géoportail (www.geoportail.gouv.fr).
-
Annuaire des Entreprises de France, le fichier national des chambres de commerce et d'industrie.
Annuaire des Entreprises de France, le fichier national des chambres de commerce et d'industrie. -
Ferry, Bertrand. Recherches généalogiques
Ferry, Bertrand. Recherches généalogiques. Accessibles en ligne sur le site de Geneanet : http://gw.geneanet.org/ -
Sirene, base de données de l'Insee consultable sur le site internet Score3.fr.
Sirene, base de données de l'Insee consultable sur le site internet Score3.fr.
-
Benoît, Maurice ; Gauthier, Jean [et al.]. La vie économique de Franche-Comté et du Territoire de Belfort, 1958.
Benoît, Maurice ; Gauthier, Jean [et al.]. La vie économique de Franche-Comté et du Territoire de Belfort. - Besançon : Impr. de l'Est, 1958. -
Hugue, Didier. Surfaces Synergie renforce ses implantations comtoises, 24 mars 2010.
Hugue, Didier. Surfaces Synergie renforce ses implantations comtoises. L'Usine nouvelle, 24 mars 2010. Document accessible sur internet : http://www.usinenouvelle.com/article/surfaces-synergie-renforce-ses-implantations-comtoises.N128516 (consultation : 28 mai 2015). -
Simonin, Michel. L'horlogerie au fil du temps et son évolution en Franche-Montagne, sur le plateau de Maîche, 2007.
Simonin, Michel. L'horlogerie au fil du temps et son évolution en Franche-Montagne, sur le plateau de Maîche. - Maîche : M. Simonin, 2007. 143 p. : ill. ; 30 cm. -
Sornay, Lionel. Prosopographie des entreprises horlogères et de leurs financeurs sur le plateau de Maîche 1925-1973, 2003.
Sornay, Lionel. Prosopographie des entreprises horlogères et de leurs financeurs sur le plateau de Maîche 1925-1973. - Besançon : Université de Franche-Comté, 2003. 56 p. : ill. ; 30 cm. Mém DEA : histoire industrielle : Besançon : 2003 ; 51.
-
Simonin, Michel (témoignage oral)
Simonin, Michel. Ancien horloger, auteur de livres sur Maîche et l'horlogerie du Haut-Doubs. Maîche.
À voir
Informations complémentaires
- patrimoine industriel du Doubs
- atelier de fabrication
- bureau
- chaufferie
- magasin industriel
- station d'épuration
- quai
- stationnement
- © Région Bourgogne-Franche-Comté, Inventaire du patrimoine
