MAISON 6 AVENUE DE CONTI DITE VILLA MARIE-LOUISE
58 - Pougues-les-Eaux
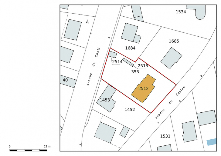
6 avenue de Conti
- Dossier IA58001274 réalisé en 2019
- Auteur(s) : Fabien Dufoulon
Historique
La villa est construite pour Narcisse Ernest Marquet, juge à Paris, en 1891. La façade porte la date d'achèvement, ainsi que les noms de l'architecte (Potin) et de l'entrepreneur (Darnay). À la fin du 19e siècle, la villa abrite le cabinet de consultation du docteur Hérard de Bessé, un temps installé au Grand Chalet. Dans les années 1920, la maison est acquise par la famille Paricaud-Gervais, qui réside principalement à Paris ; elle fait bâtir le garage. À la fin des années 1930 ou au début des années 1940, la Villa Marie-Louise devient la propriété de Robert Zeyl, médecin à Pougues-les-Eaux. Jusqu'en 2019, la demeure est la résidence du docteur Didier François, collectionneur de documents relatifs à l'histoire du thermalisme à Pougues. Une partie de sa collection a été acquise par les Archives départementales de la Nièvre.
- 4e quart 19e siècle
Jean-Baptiste Potin, architecte à Nevers (37, rue du Rivage) à la fin du 19e siècle.
Eustache Darnay, plâtrier puis entrepreneur en maçonnerie, avant de devenir maître d'hôtel à Pougues-les-Eaux, à la fin du 19e siècle.
Description
La façade principale, sur l'avenue du Casino, présente un avant-corps central surmonté d'un pignon.
- calcaire
- moellon
- enduit
- ardoise
- plan rectangulaire régulier
- rez-de-chaussée
- 1 étage carré
- étage de comble
- élévation à travées
- toit à longs pans, pignon couvert
- escalier dans-oeuvre, escalier tournant à retours avec jour, en charpente en maçonnerie
Source(s) documentaire(s)
-
Archives départementales de la Nièvre. Cadastre de la commune de Pougues-les-Eaux. [1812-1953].
Archives départementales de la Nièvre. Cadastre de la commune de Pougues-les-Eaux. [1812-1953].- Atlas parcellaire (1812) : 3 PP 214- État de sections (1812) : 3 P 214/1- Matrices cadastrales des propriétés bâties et non bâties : 3 P 214/2 (folio 1 à 352 et folio 1 à 175)- Matrices cadastrales des propriétés bâties et non bâties : 3 P 214/3 (folio 1 à 220), 3 P 214/4 (folio 221 à 354) 3 P 214/5 (folio 355 à 750), 3 P 214/6 (folio 751 à 1482)- Matrice cadastrale des propriétés bâties (1883-1891) : 3 P 214/7- Matrice cadastrale dite "matrice noire" des propriétés bâties : 3 P 214/8Lieu de conservation : Archives départementales de la Nièvre, Nevers - Cote du document : 3 P 214
À voir
Informations complémentaires
- thermalisme en Bourgogne-Franche-Comté (le)
- © Région Bourgogne-Franche-Comté, Inventaire du patrimoine
