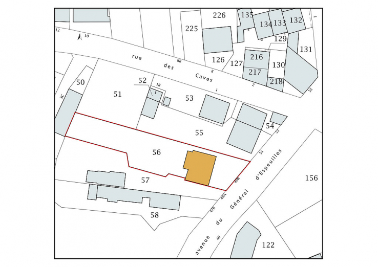
MAISON 49 AVENUE DU GÉNÉRAL D'ESPEUILLES DITE VILLA MARGUERITE
58 - Saint-Honoré-les-Bains
49 avenue du Général d'Espeuilles
- Dossier IA58001226 réalisé en 2019
 - Auteur(s) : Fabien Dufoulon
 
                                          Historique
La maison est construite par Claude Nachin en 1873. Le rez-de-chaussée de l'édifice, qui a subi d'importantes transformations, est aujourd'hui occupé par un local commercial (pharmacie).
- 3e quart 19e siècle
 
Description
La façade et les abords ont été transformés.
- pierre
 
- ardoise
 
- rez-de-chaussée
 - 1 étage carré
 - étage de comble
 
- élévation à travées
 
- toit à longs pans, croupe
 
Source(s) documentaire(s)
- 
                                                                              Archives départementales de la Nièvre. Cadastre de la commune de Saint-Honoré-les-Bains. [1832-1951].
                                                                                                                    
Archives départementales de la Nièvre. Cadastre de la commune de Saint-Honoré-les-Bains. [1832-1951].- Atlas parcellaire (1832) : 3 PP 246- État de section (1832) : 3 P 246/1- Matrices cadastrales des propriétés bâties et non bâties : 3 P 246/2 (folio 1 à 380), 3 P 246/3 (folio 381 à 780), 3 P 246/4 (folio 781 à 1168)- Matrice cadastrale des propriétés bâties (1882-1914) : 3 P 246/5- Matrice cadastrale dite « matrice noire » des propriétés bâties : 3 P 246/6- Matrices cadastrales des propriétés non bâties : 3 P 246/7, 3 P 246/8, 3 P 246/9Lieu de conservation : Archives départementales de la Nièvre, Nevers - Cote du document : 3 P 246 
- 
                                                                              Saint-Honoré-les-Bains (Nièvre). Villa Marguerite. [Vers 1908].
                                                                                                                    
Saint-Honoré-les-Bains (Nièvre). Villa Marguerite / [auteur inconnu]. [S.l.] : [s.n.], [vers 1908]. Carte postale.Lieu de conservation : Collection particulière 
- 
                                                                              Delarue, Monique, Ducros, Henri, Fréguin, Michel, Olivier, Henri. Saint-Honoré-les-Bains. 2005.
                                                                                                                    
Delarue, Monique. Ducros, Henri. Fréguin, Michel. Olivier, Henri. Saint-Honoré-les-Bains. Saint-Cyr-sur-Loire : Alan Sutton, 2005. Mémoire en images, ISSN 1355-5723. 128 p. ISBN 2-84253-539-1. 
À voir
Informations complémentaires
- thermalisme en Bourgogne-Franche-Comté (le)
 
- © Région Bourgogne-Franche-Comté, Inventaire du patrimoine
 
                                                                
                                                                
                          
                          
                          
                                                  
                                                  
                                                  