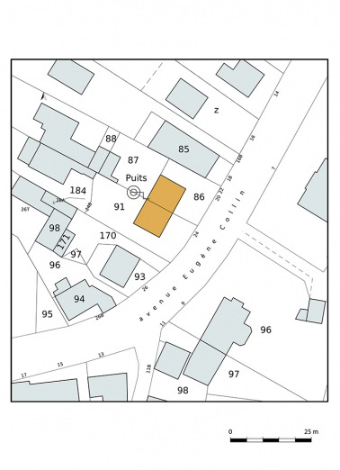
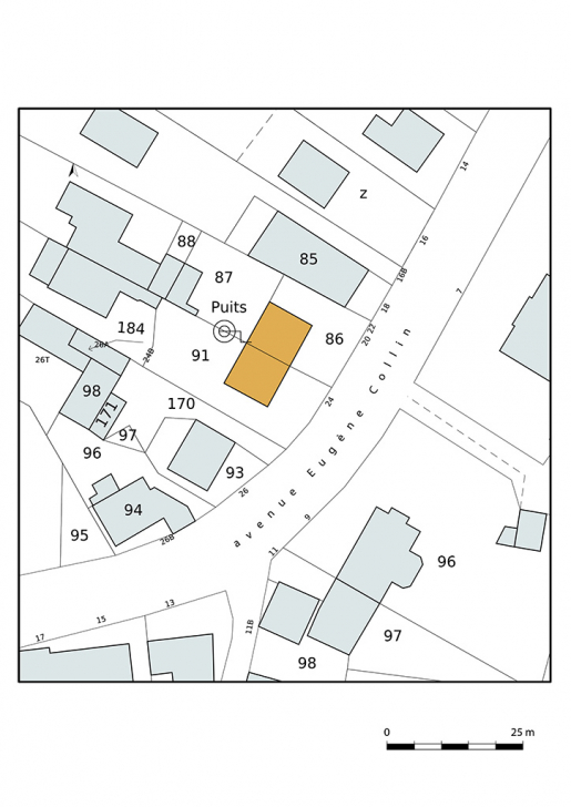
MAISON 22-24 AVENUE EUGÈNE COLLIN DITE VILLA DU GUET
58 - Saint-Honoré-les-Bains
22-24 avenue Eugène Collin
- Dossier IA58001293 réalisé en 2019
 - Auteur(s) : Fabien Dufoulon
 
                                          Historique
La demeure est une villa double construite par la famille Perceau, à laquelle appartiennent plusieurs artisans du bourg, en 1881. Une partie est construite par Dominique Perceau, l'autre par Pierre Perceau. Chacune des parties comprend 13 ouvertures. La demeure est appelée "Villa du Guet" sur un Plan général de l’Établissement [thermal] et de ses annexes (non daté). La partie construite par Dominique Perceau abrite un temps le bureau de poste de Saint-Honoré-les-Bains.
- 4e quart 19e siècle
 
Source(s) documentaire(s)
- 
                                                                              Archives départementales de la Nièvre. Cadastre de la commune de Saint-Honoré-les-Bains. [1832-1951].
                                                                                                                    
Archives départementales de la Nièvre. Cadastre de la commune de Saint-Honoré-les-Bains. [1832-1951].- Atlas parcellaire (1832) : 3 PP 246- État de section (1832) : 3 P 246/1- Matrices cadastrales des propriétés bâties et non bâties : 3 P 246/2 (folio 1 à 380), 3 P 246/3 (folio 381 à 780), 3 P 246/4 (folio 781 à 1168)- Matrice cadastrale des propriétés bâties (1882-1914) : 3 P 246/5- Matrice cadastrale dite « matrice noire » des propriétés bâties : 3 P 246/6- Matrices cadastrales des propriétés non bâties : 3 P 246/7, 3 P 246/8, 3 P 246/9Lieu de conservation : Archives départementales de la Nièvre, Nevers - Cote du document : 3 P 246 
- 
                                                                              Plan général de l’Établissement et de ses annexes. [19e siècle].
                                                                                                                    
Plan général de l’Établissement et de ses annexes / [auteur inconnu]. [19e siècle]. Dessin.Lieu de conservation : Collection particulière : château de La Montagne, Saint-Honoré-les-Bains 
À voir
Informations complémentaires
- thermalisme en Bourgogne-Franche-Comté (le)
 
- © Région Bourgogne-Franche-Comté, Inventaire du patrimoine
 
                                                                
                                                                
                          
                          
                          
                                                  
                                                  
                                                  