HÔTEL NORMANDY
58 - Pougues-les-Eaux
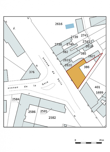
39 avenue de Paris
- Dossier IA58001283 réalisé en 2019
- Auteur(s) : Fabien Dufoulon
Historique
L'édifice doit dater du deuxième quart du 20e siècle. L'hôtel de voyageurs a été transformé en restaurant.
- 2e quart 20e siècle
Description
L'édifice donne sur le croisement de l'avenue de la Gare et de l'avenue de Paris. Il se situe en bordure du quartier thermal.
- calcaire
- béton
- moellon
- enduit
- enduit
- ardoise
- rez-de-chaussée
- 1 étage carré
- élévation à travées
- toit à longs pans
Source(s) documentaire(s)
-
Pougues-les-Eaux (Nièvre). Vue aérienne sur la Route Bleue (Nationale 7) et l'Hôtel Normandy. [Milieu du 20e siècle].
Pougues-les-Eaux (Nièvre). Vue aérienne sur la Route Bleue (Nationale 7) et l'Hôtel Normandy / [auteur inconnu]. Mâcon : Combier, [milieu du 20e siècle]. Carte postale.Lieu de conservation : Collection particulière -
Pougues-les-Eaux (Nièvre). Hôtel Normandy. [Milieu du 20e siècle].
Pougues-les-Eaux (Nièvre). Hôtel Normandy / [auteur inconnu]. Mâcon : Combier, [milieu du 20e siècle]. Carte postale.Lieu de conservation : Collection particulière
-
Castanié, F. M. de. Guide pittoresque illustré de Pougues-les-Eaux et de ses environs (Nièvre). 1868.
Castanié, F. M. de. Guide pittoresque illustré de Pougues-les-Eaux et de ses environs (Nièvre). Paris : Arnauld de Vresse, 1868. IV-110 p. -
Gonzalez, Julien. En Bourgogne, les villes d'eau oubliées. 2005.
Gonzalez, Julien. En Bourgogne, les villes d’eaux oubliées : Pougues-les-Eaux, Fourchambault-Garchizy, Saint-Parize-le-Châtel, Decize-Saint-Aré, Maizières, Saint-Christophe-en-Brionnais. Nevers : Éditions Loire et Nièvre, 2005. 157 p. ISBN 2-9524476-0-8.
À voir
Informations complémentaires
- thermalisme en Bourgogne-Franche-Comté (le)
- © Région Bourgogne-Franche-Comté, Inventaire du patrimoine
