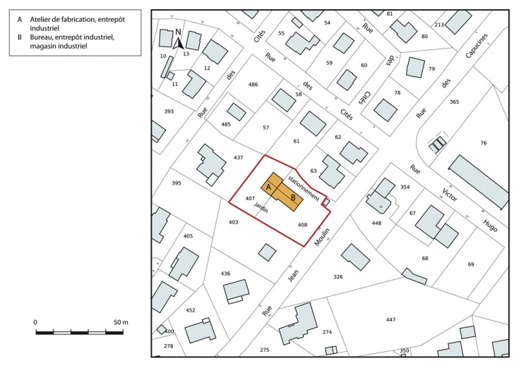
Plan-masse et de situation. Extrait du plan cadastral, 2015, section AB.
25, Charquemont, 13 rue Jean Moulin
N° de l’illustration : 20152500607NUDA
Date : 2015
Auteur : Mathias Papigny
Reproduction soumise à autorisation du titulaire des droits d'exploitation
- © Région Bourgogne-Franche-Comté, Inventaire du patrimoine
Une petite usine des années 1980 (1982-1990) : usine de montres Jean-Louis Frésard (13 rue Jean Moulin).
25, Charquemont, 13 rue Jean Moulin
N° de l’illustration : 20142500236NUC4A
Date : 2014
Auteur : Jérôme Mongreville
Reproduction soumise à autorisation du titulaire des droits d'exploitation
- © Région Bourgogne-Franche-Comté, Inventaire du patrimoine
Vue d'ensemble, depuis l'ouest (façades postérieure et latérale gauche).
25, Charquemont, 13 rue Jean Moulin
N° de l’illustration : 20142500237NUC4A
Date : 2014
Auteur : Jérôme Mongreville
Reproduction soumise à autorisation du titulaire des droits d'exploitation
- © Région Bourgogne-Franche-Comté, Inventaire du patrimoine
Intérieur de l'atelier.
25, Charquemont, 13 rue Jean Moulin
N° de l’illustration : 20142500238NUC4A
Date : 2014
Auteur : Jérôme Mongreville
Reproduction soumise à autorisation du titulaire des droits d'exploitation
- © Région Bourgogne-Franche-Comté, Inventaire du patrimoine
Postes de travail, derrière les fenêtres.
25, Charquemont, 13 rue Jean Moulin
N° de l’illustration : 20142500239NUC4A
Date : 2014
Auteur : Jérôme Mongreville
Reproduction soumise à autorisation du titulaire des droits d'exploitation
- © Région Bourgogne-Franche-Comté, Inventaire du patrimoine
Postes de travail, derrière les fenêtres.
25, Charquemont, 13 rue Jean Moulin
N° de l’illustration : 20142500240NUC4A
Date : 2014
Auteur : Jérôme Mongreville
Reproduction soumise à autorisation du titulaire des droits d'exploitation
- © Région Bourgogne-Franche-Comté, Inventaire du patrimoine
Personnel d'une petite usine : usine de montres Jean-Louis Frésard (13 rue Jean Moulin).
25, Charquemont, 13 rue Jean Moulin
N° de l’illustration : 20142500241NUC4A
Date : 2014
Auteur : Jérôme Mongreville
Reproduction soumise à autorisation du titulaire des droits d'exploitation
- © Région Bourgogne-Franche-Comté, Inventaire du patrimoine
Horloger au travail.
25, Charquemont, 13 rue Jean Moulin
N° de l’illustration : 20142500245NUC4A
Date : 2014
Auteur : Jérôme Mongreville
Reproduction soumise à autorisation du titulaire des droits d'exploitation
- © Région Bourgogne-Franche-Comté, Inventaire du patrimoine
Horloger au travail.
25, Charquemont, 13 rue Jean Moulin
N° de l’illustration : 20142500242NUC4A
Date : 2014
Auteur : Jérôme Mongreville
Reproduction soumise à autorisation du titulaire des droits d'exploitation
- © Région Bourgogne-Franche-Comté, Inventaire du patrimoine
Horloger au travail.
25, Charquemont, 13 rue Jean Moulin
N° de l’illustration : 20142500244NUC4A
Date : 2014
Auteur : Jérôme Mongreville
Reproduction soumise à autorisation du titulaire des droits d'exploitation
- © Région Bourgogne-Franche-Comté, Inventaire du patrimoine
Horloger au travail.
25, Charquemont, 13 rue Jean Moulin
N° de l’illustration : 20142500243NUC4A
Date : 2014
Auteur : Jérôme Mongreville
Reproduction soumise à autorisation du titulaire des droits d'exploitation
- © Région Bourgogne-Franche-Comté, Inventaire du patrimoine
Horloger au travail.
25, Charquemont, 13 rue Jean Moulin
N° de l’illustration : 20142500246NUC4A
Date : 2014
Auteur : Jérôme Mongreville
Reproduction soumise à autorisation du titulaire des droits d'exploitation
- © Région Bourgogne-Franche-Comté, Inventaire du patrimoine
Horloger au travail.
25, Charquemont, 13 rue Jean Moulin
N° de l’illustration : 20142500247NUC4A
Date : 2014
Auteur : Jérôme Mongreville
Reproduction soumise à autorisation du titulaire des droits d'exploitation
- © Région Bourgogne-Franche-Comté, Inventaire du patrimoine
Horloger au travail.
25, Charquemont, 13 rue Jean Moulin
N° de l’illustration : 20142500249NUC4A
Date : 2014
Auteur : Jérôme Mongreville
Reproduction soumise à autorisation du titulaire des droits d'exploitation
- © Région Bourgogne-Franche-Comté, Inventaire du patrimoine
Horloger muni de sa loupe (appelée microsocope ou " microsse ").
25, Charquemont, 13 rue Jean Moulin
N° de l’illustration : 20142500250NUC4A
Date : 2014
Auteur : Jérôme Mongreville
Reproduction soumise à autorisation du titulaire des droits d'exploitation
- © Région Bourgogne-Franche-Comté, Inventaire du patrimoine
Horlogers au travail.
25, Charquemont, 13 rue Jean Moulin
N° de l’illustration : 20142500248NUC4A
Date : 2014
Auteur : Jérôme Mongreville
Reproduction soumise à autorisation du titulaire des droits d'exploitation
- © Région Bourgogne-Franche-Comté, Inventaire du patrimoine
Horloger au travail.
25, Charquemont, 13 rue Jean Moulin
N° de l’illustration : 20142500251NUC4A
Date : 2014
Auteur : Jérôme Mongreville
Reproduction soumise à autorisation du titulaire des droits d'exploitation
- © Région Bourgogne-Franche-Comté, Inventaire du patrimoine
Horloger au travail.
25, Charquemont, 13 rue Jean Moulin
N° de l’illustration : 20142500253NUC4A
Date : 2014
Auteur : Jérôme Mongreville
Reproduction soumise à autorisation du titulaire des droits d'exploitation
- © Région Bourgogne-Franche-Comté, Inventaire du patrimoine
Horloger au travail.
25, Charquemont, 13 rue Jean Moulin
N° de l’illustration : 20142500252NUC4A
Date : 2014
Auteur : Jérôme Mongreville
Reproduction soumise à autorisation du titulaire des droits d'exploitation
- © Région Bourgogne-Franche-Comté, Inventaire du patrimoine
Horloger au travail.
25, Charquemont, 13 rue Jean Moulin
N° de l’illustration : 20142500254NUC4A
Date : 2014
Auteur : Jérôme Mongreville
Reproduction soumise à autorisation du titulaire des droits d'exploitation
- © Région Bourgogne-Franche-Comté, Inventaire du patrimoine
Horlogère au travail.
25, Charquemont, 13 rue Jean Moulin
N° de l’illustration : 20142500255NUC4A
Date : 2014
Auteur : Jérôme Mongreville
Reproduction soumise à autorisation du titulaire des droits d'exploitation
- © Région Bourgogne-Franche-Comté, Inventaire du patrimoine
Horlogère au travail.
25, Charquemont, 13 rue Jean Moulin
N° de l’illustration : 20142500256NUC4A
Date : 2014
Auteur : Jérôme Mongreville
Reproduction soumise à autorisation du titulaire des droits d'exploitation
- © Région Bourgogne-Franche-Comté, Inventaire du patrimoine
Pièces constitutives d'une montre mécanique.
25, Charquemont, 13 rue Jean Moulin
N° de l’illustration : 20142500259NUC4A
Date : 2014
Auteur : Jérôme Mongreville
Reproduction soumise à autorisation du titulaire des droits d'exploitation
- © Région Bourgogne-Franche-Comté, Inventaire du patrimoine
Mouvements de montre mécanique en différents calibres.
25, Charquemont, 13 rue Jean Moulin
N° de l’illustration : 20142500258NUC4A
Date : 2014
Auteur : Jérôme Mongreville
Reproduction soumise à autorisation du titulaire des droits d'exploitation
- © Région Bourgogne-Franche-Comté, Inventaire du patrimoine
Layette d'horloger.
25, Charquemont, 13 rue Jean Moulin
N° de l’illustration : 20142500260NUC4A
Date : 2014
Auteur : Jérôme Mongreville
Reproduction soumise à autorisation du titulaire des droits d'exploitation
- © Région Bourgogne-Franche-Comté, Inventaire du patrimoine
Layette d'horloger : détail des tiroirs.
25, Charquemont, 13 rue Jean Moulin
N° de l’illustration : 20142500261NUC4A
Date : 2014
Auteur : Jérôme Mongreville
Reproduction soumise à autorisation du titulaire des droits d'exploitation
- © Région Bourgogne-Franche-Comté, Inventaire du patrimoine
Layette d'horloger : tiroirs ouverts présentant montres et mouvements.
25, Charquemont, 13 rue Jean Moulin
N° de l’illustration : 20142500257NUC4A
Date : 2014
Auteur : Jérôme Mongreville
Reproduction soumise à autorisation du titulaire des droits d'exploitation
- © Région Bourgogne-Franche-Comté, Inventaire du patrimoine
Montres-bracelets mécaniques de série : usine de montres Jean-Louis Frésard (13 rue Jean Moulin).
25, Charquemont, 13 rue Jean Moulin
N° de l’illustration : 20142500310NUC4A
Date : 2014
Auteur : Jérôme Mongreville
Reproduction soumise à autorisation du titulaire des droits d'exploitation
- © Région Bourgogne-Franche-Comté, Inventaire du patrimoine
Montres Jean-Louis Frésard.
25, Charquemont, 13 rue Jean Moulin
N° de l’illustration : 20142500311NUC4A
Date : 2014
Auteur : Jérôme Mongreville
Reproduction soumise à autorisation du titulaire des droits d'exploitation
- © Région Bourgogne-Franche-Comté, Inventaire du patrimoine
Montre Jean-Louis Frésard.
25, Charquemont, 13 rue Jean Moulin
N° de l’illustration : 20142500312NUC4A
Date : 2014
Auteur : Jérôme Mongreville
Reproduction soumise à autorisation du titulaire des droits d'exploitation
- © Région Bourgogne-Franche-Comté, Inventaire du patrimoine
Montre Jean-Louis Frésard : inscriptions sur le fond.
25, Charquemont, 13 rue Jean Moulin
N° de l’illustration : 20142500308NUC4A
Date : 2014
Auteur : Jérôme Mongreville
Reproduction soumise à autorisation du titulaire des droits d'exploitation
- © Région Bourgogne-Franche-Comté, Inventaire du patrimoine
Montre Jean-Louis Frésard : inscriptions sur le fond.
25, Charquemont, 13 rue Jean Moulin
N° de l’illustration : 20142500309NUC4A
Date : 2014
Auteur : Jérôme Mongreville
Reproduction soumise à autorisation du titulaire des droits d'exploitation
- © Région Bourgogne-Franche-Comté, Inventaire du patrimoine