MAISON DE GARDE-BARRIÈRE ET PASSAGE À NIVEAU N° 8 (VOIE FERRÉE ANDELOT - LA CLUSE)
39 - Champagnole
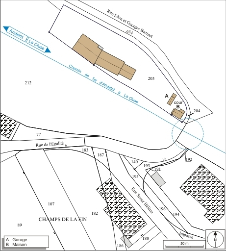
rue Léon et Georges Bazinet
- Dossier IA39001097 réalisé en 2004 revu en 2006
- Auteur(s) : Laurent Poupard
Historique
La maison de garde-barrière du passage à niveau n° 8 a été bâtie à l'extrémité de la gare de Champagnole entre la date d'approbation de l'implantation des 20 maisons prévues sur le tronçon de ligne de Champagnole à Saint-Laurent-en-Grandvaux, en 1883, et la mise en service du tronçon, en juillet 1890. Elle correspond au plan de " Maison de garde avec cave et étage. Type de la Cie de Paris - Lyon - Méditerranée ", annexé à la circulaire ministérielle du 26 avril 1880. Agrandie au nord-est par un corps de bâtiment en appentis, abritant vraisemblablement une salle de bains, elle compte un deuxième bâtiment, isolé au nord, à usage de garage et dépendance. Elle a été vendue à un particulier. Modernisé, le passage à niveau est du type à signaux automatiques lumineux.
- 4e quart 19e siècle
Description
Le passage à niveau (au PK 014.103) est équipé d'avertisseurs lumineux et sonores, et de deux demi-barrières. Coiffée d'un toit à longs pans recouvert de tuiles mécaniques, la maison compte un sous-sol et un étage en surcroît. Les murs en moellons calcaires, apparents au niveau des premières assises, sont enduits et protégés au sud-ouest et au nord-ouest par un essentage de tôle. Les baies sont en arc segmentaire : la façade antérieure (côté route, au sud-est) est percée d'une porte surmontée d'une fenêtre, les façades latérales chacune de deux fenêtres. Le jardin potager et le puits sont situés au sud.
- calcaire
- moellon
- enduit partiel
- essentage de tôle
- tuile mécanique
- sous-sol
- en rez-de-chaussée
- étage en surcroît
- toit à longs pans
- pignon couvert
- escalier dans-oeuvre,
- PLM maison type
À voir
Informations complémentaires
- la voie ferrée Andelot - La Cluse
- cour
- garage
- © Région Bourgogne-Franche-Comté, Inventaire du patrimoine
