LES APPAREILS DU PASSAGE À NIVEAU N° 8
39 - Champagnole
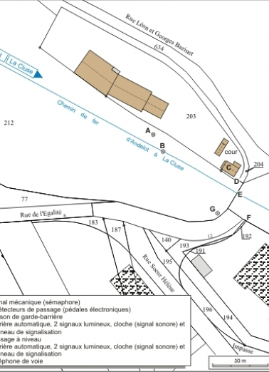
rue Léon et Georges Bazinet
- Dossier IM39002182 réalisé en 2005 revu en 2008
- Auteur(s) : Laurent Poupard
Historique
Le passage à niveau n° 8 a été inauguré en 1890, avec le tronçon de ligne Champagnole - Saint-Laurent-en-Grandvaux dû à la Compagnie des Chemins de Fer de Paris à Lyon et à la Méditerranée (PLM). Il est alors classé en 3e catégorie : passage à niveau pour voitures, ouvert en moyenne moins de 50 fois par 24 heures (33 fois dans le cas présent), habituellement fermé jour et nuit, dont l'ouverture est effectuée par le garde-barrière à la demande des passants. Il est muni de barrières roulantes, complétées par des portillons pour les piétons (passages de 5e catégorie). En 1926, la classification est la même mais non le régime : le passage demeure ouvert le jour (entre 6 h et 21 h) mais est fermé la nuit. L'arrêté préfectoral de reclassement de 1949 en fait un passage de 1ère catégorie (passage public pour voitures, muni de barrières), avec passage piétons (3e catégorie) accolé mais sans feu ni cataphote (catadioptre). Il a été automatisé au milieu des années 1970 et modernisé par la suite, en fonction des évolutions du matériel, de la législation ou des normes. Le premier passage à niveau automatique français a été installé en 1949 à Ervy-le-Châtel (Aube) sur l'ancienne ligne Saint-Florentin - Troyes (la première automatisation de passage à niveau connue ayant été réalisée en Suisse en 1906) : l'automatisation concernait alors la signalisation lumineuse et sonore ; les demi-barrières n'apparaîtront qu'en 1954-1955.
Description
Comme son nom l'indique, un passage à niveau (PN) est établi pour permettre le franchissement d'une voie ferrée à niveau (il se distingue en cela des passages inférieurs ou supérieurs). Le passage à niveau n° 8 entre dans la 1ère catégorie définie par l'arrêté du 18 mars 1991 : PN ouvert à la circulation de l'ensemble des usagers de la route et muni de barrières ou demi-barrières, à fonctionnement automatique ou manoeuvrées par des agents du chemin de fer. Plus précisemment, c'est un PN à signalisation automatique lumineuse et sonore (SAL), classé en SAL 2 : annoncé par un panneau de signalisation routière, il est équipé de deux demi-barrières fermant chacune la moitié droite de la chaussée, de feux rouges clignotants et d'un signal sonore. Cet équipement est complété par un téléphone de voie, afin de pouvoir signaler rapidement tout problème de fonctionnement, et par tout un ensemble d'appareils placés en amont et en aval de lui et destinés à en contrôler les automatismes. Le PN 8 est par ailleurs particulier en ce sens que, placé juste en sortie de la gare de Champagnole, il est de ce fait commandé par le sémaphore le plus proche ou, en manuel, par l'agent de circulation.
À voir
Informations complémentaires
- la voie ferrée Andelot - La Cluse
- © Région Bourgogne-Franche-Comté, Inventaire du patrimoine
