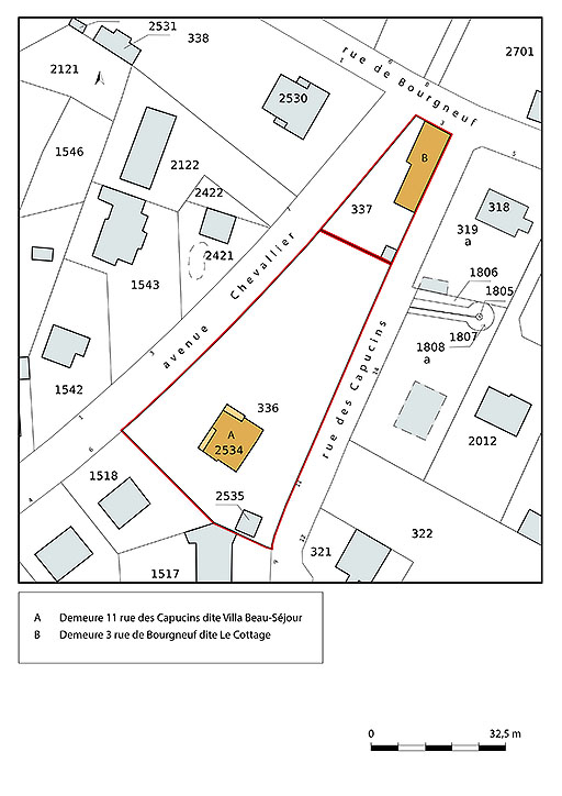
MAISON 11 RUE DES CAPUCINS DITE VILLA BEAU-SÉJOUR
58 - Pougues-les-Eaux
11 rue des Capucins
- Dossier IA58001320 réalisé en 2019
- Auteur(s) : Fabien Dufoulon
Historique
La maison (32 ouvertures) est construite par Marcel Grimaud, rentier à Pougues-les-Eaux, en 1882. Elle figure sur un plan du Parc Chevalier daté de 1884. Elle porte la signature de l'architecte Naudet. La Villa Beau-Séjour est régulièrement citée comme un lieu d'hébergement pour les curistes dans les "listes des étrangers" publiées dans le Pougues-Journal à partir de 1898.
- 4e quart 19e siècle
Date de naissance : 29 mars 1829 - date de décès : 1906
Architecte, né à Châtillon-sur-Seine. Élève de l’École des Beaux-Arts. Architecte de plusieurs hôtels particuliers dans le quartier d'Auteuil, où il est lui-même installé depuis 1867.
Source(s) documentaire(s)
-
Archives départementales de la Nièvre. Cadastre de la commune de Pougues-les-Eaux. [1812-1953].
Archives départementales de la Nièvre. Cadastre de la commune de Pougues-les-Eaux. [1812-1953].- Atlas parcellaire (1812) : 3 PP 214- État de sections (1812) : 3 P 214/1- Matrices cadastrales des propriétés bâties et non bâties : 3 P 214/2 (folio 1 à 352 et folio 1 à 175)- Matrices cadastrales des propriétés bâties et non bâties : 3 P 214/3 (folio 1 à 220), 3 P 214/4 (folio 221 à 354) 3 P 214/5 (folio 355 à 750), 3 P 214/6 (folio 751 à 1482)- Matrice cadastrale des propriétés bâties (1883-1891) : 3 P 214/7- Matrice cadastrale dite "matrice noire" des propriétés bâties : 3 P 214/8Lieu de conservation : Archives départementales de la Nièvre, Nevers - Cote du document : 3 P 214 -
Archives départementales de la Nièvre. 32 J 240. Fonds de l’établissement thermal de Pougues-les-Eaux. Construction d’un promenoir couvert (s.d.) ; plan des bâtiments situés dans le parc de Pougues (s.d.) ; plans et dessins de l’établissement thermal (1882-1891) ; parc Chevalier (1884) ; plans du Splendid-Hôtel (1887) ; inscription à l’entrée du parc (1891) ; établissement d’un portillon pour faciliter les relations entre les sources Alice et Elisabeth et la gare de Pougues (s.d.).
Archives départementales de la Nièvre. 32 J 240. Fonds de l’établissement thermal de Pougues-les-Eaux. Construction d’un promenoir couvert (s.d.) ; plan des bâtiments situés dans le parc de Pougues (s.d.) ; plans et dessins de l’établissement thermal (1882-1891) ; parc Chevalier (1884) ; plans du Splendid-Hôtel (1887) ; inscription à l’entrée du parc (1891) ; établissement d’un portillon pour faciliter les relations entre les sources Alice et Élisabeth et la gare de Pougues (s.d.).Lieu de conservation : Archives départementales de la Nièvre, Nevers - Cote du document : 32 J 240
-
Plan du Parc Chevalier. 1884.
Plan du Parc Chevalier / Sacton [?]. 1er juillet 1884. Dessin. 40 x 49 cm.Lieu de conservation : Archives départementales de la Nièvre, Nevers - Cote du document : 32 J 240 -
Villa Beau-Séjour. Pougues (Nièvre). [Première moitié du 20e siècle].
Villa Beau-Séjour. Pougues (Nièvre) / [auteur inconnu]. [Pougues-les-Eaux] : J.L., [première moitié du 20e siècle]. Carte postale.Lieu de conservation : Collection particulière
-
Gonzalez, Julien. En Bourgogne, les villes d'eau oubliées. 2005.
Gonzalez, Julien. En Bourgogne, les villes d’eaux oubliées : Pougues-les-Eaux, Fourchambault-Garchizy, Saint-Parize-le-Châtel, Decize-Saint-Aré, Maizières, Saint-Christophe-en-Brionnais. Nevers : Éditions Loire et Nièvre, 2005. 157 p. ISBN 2-9524476-0-8.
À voir
Informations complémentaires
- thermalisme en Bourgogne-Franche-Comté (le)
- © Région Bourgogne-Franche-Comté, Inventaire du patrimoine
