IMMEUBLE
39 - Morez
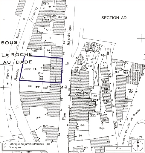
70 rue de la République
- Dossier IA39000726 réalisé en 2000 revu en 2009
- Auteur(s) : Laurent Poupard
Historique
L'immeuble est construit en 1895 (date portée sur le linteau de la porte d'entrée, avec les initiales L.P.) pour le négociant Louis Paget. A l'origine représentant en lunettes, ce dernier avait fondé en 1886 sa propre entreprise au 204 rue de la République. Il l'installe alors dans le nouveau bâtiment et, sous-traitant l'ensemble de la fabrication, vend en Europe lunettes, horloges, mètres, produits émaillés, etc. A sa mort en 1904, son frère Albin reprend l'affaire et la ramène au n° 204 (une usine sera bâtie pour elle vers 1926 au 15 rue Emile Zola). Agrandi avant 1927 (vers 1900 ? entre 1921 et 1927 ?) par la création d'une aile en retour, l'immeuble abrite en 1934 divers artisans et commerçants, notamment P. Perrard (confection), E. Vuillet (électricité et T.S.F.), une succursale des Docks francs-comtois (épicerie), D. Canapale (fourniture d'horlogerie mais aussi menuiserie - charpente - ébénisterie), P. Bailly-Maître (peinture sur émail), etc. (la Société générale y avait ses bureaux vers 1910). Il a été restauré au milieu des années 2000 ; à cette occasion, une petite fabrique de jardin octogonale métallique en mauvais état, qui occupait l'angle sud-ouest du jardin (à la française en 1899), a été démolie. La plupart des baies commerciales de son rez-de-chaussée a été transformée en fenêtres et il n'abrite plus que des logements et un cabinet vétérinaire.
- 4e quart 19e siècle
- 1ère moitié 20e siècle
- date de décès : 1904
Louis Paget, négociant à Morez (Jura). À l'origine représentant en lunettes, Louis Paget a fondé en 1886 sa propre entreprise au 204 rue de la République. Il l'installe alors dans un nouveau bâtiment et, sous-traitant l'ensemble de la fabrication, vend en Europe lunettes, horloges, mètres, produits émaillés, etc. A sa mort en 1904, son frère Albin reprend l'affaire et la ramène au n° 204.
Description
L'immeuble, aux murs en moellons calcaires enduits, présente une façade ordonnancée et compte un sous-sol et deux étages carrés, desservis par un escalier dans oeuvre. Les fenêtres à chaque extrémité sont jumelées (mais d'une largeur réduite), d'autres étant visibles à l'arrière au sud. La petite aile en retour, au centre de l'élévation postérieure, est en rez-de-chaussée, avec des fenêtres en arc segmentaire en briques. Les deux corps de bâtiment ont un toit à longs pans et une couverture métallique.
- calcaire
- moellon
- enduit
- métal en couverture
- sous-sol
- 2 étages carrés
- élévation ordonnancée
- escalier dans-oeuvre,
- baie multiple
- immeuble avec atelier
- ferronnerie
Le garde-corps du balcon du premier étage surmontant la porte d'entrée est orné d'un décor de ferronnerie associant une tête de femme dans un médaillon ovale, au centre, à des motifs de guirlandes florales et cornes d'abondance d'où sortent des feuillages.
À voir
Informations complémentaires
Les baies multiples sont des baies d'un module courant dont la multiplication marque la présence d'un atelier.
- boutique
- cour
- jardin
- fabrique de jardin
- © Région Bourgogne-Franche-Comté, Inventaire du patrimoine
