HÔTEL DES POSTES, TÉLÉGRAPHES ET TÉLÉPHONES
58 - Pougues-les-Eaux
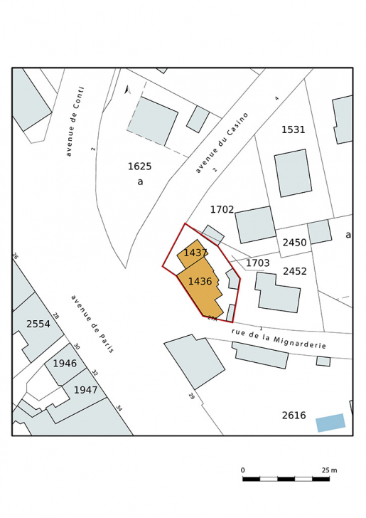
27 avenue de Paris
- Dossier IA58001343 réalisé en 2019
- Auteur(s) : Fabien Dufoulon
Historique
La présence d'un bureau de poste est attestée dans la préface des Observations sur l’usage des eaux minérales de Pougues (1769) : "Il y a un bureau de poste, et le grand-courrier passe plusieurs fois la semaine par le bourg". Roubaud (1860) écrit que la poste et les télégraphes sont installés dans l'ancien hôtel du prince de Conti. L'hôtel des postes actuel est construit en 1909 sur un terrain donné par la Compagnie des Eaux minérales de Pougues à la commune.
- 1er quart 20e siècle
Description
L'édifice comprend un rez-de-chaussée, un étage carré et un étage de comble. Sa façade donne sur l'avenue de Paris. Les chaînes d'angle sont animées par une alternance de brique et de pierre. La porte d'entrée est aménagée sous arc en anse de panier divisé en trois par deux meneaux, qui est peut-être une évocation des fenêtres thermales.
- calcaire
- moellon
- enduit
- ardoise
- rez-de-chaussée
- 1 étage carré
- étage de comble
- élévation à travées
- toit à longs pans, demi-croupe
- baie avec arc segmentaire
- baie rectangulaire
Source(s) documentaire(s)
-
Archives départementales de la Nièvre. 32 J 396. Fonds de l’établissement thermal de Pougues-les-Eaux. Buanderie : réparations (1928-1934) ; restaurant à créer dans les bâtiments de l'ancienne gendarmerie (1931) ; hôtel des postes de Pougues : terrain du Parc Chevalier donné par la commune (1905-1959) ; construction d'un cinéma à Pougues (1950).
Archives départementales de la Nièvre. 32 J 396. Fonds de l’établissement thermal de Pougues-les-Eaux. Buanderie : réparations (1928-1934) ; restaurant à créer dans les bâtiments de l'ancienne gendarmerie (1931) ; hôtel des postes de Pougues : terrain du Parc Chevalier donné par la commune (1905-1959) ; construction d'un cinéma à Pougues (1950).Lieu de conservation : Archives départementales de la Nièvre, Nevers - Cote du document : 32 J 396
-
Pougues-les-Eaux. Hôtel des Postes et Télégraphes. [Première moitié du 20e siècle].
Pougues-les-Eaux. Hôtel des Postes et Télégraphes / [auteur inconnu]. Pougues-les-Eaux : F.H., [première moitié du 20e siècle]. Carte postale.Lieu de conservation : Archives départementales de la Nièvre, Nevers - Cote du document : 10 FI 25 -
Pougues-les-Eaux (Nièvre). La Poste. [Première moitié du 20e siècle].
Pougues-les-Eaux (Nièvre). La Poste / [auteur inconnu]. [S.l.] : Sidoux, [première moitié du 20e siècle]. Carte postale.Lieu de conservation : Collection particulière -
Pougues-les-Eaux (Nièvre). Vue aérienne sur la Route Bleue (Nationale 7) et l'Hôtel Normandy. [Milieu du 20e siècle].
Pougues-les-Eaux (Nièvre). Vue aérienne sur la Route Bleue (Nationale 7) et l'Hôtel Normandy / [auteur inconnu]. Mâcon : Combier, [milieu du 20e siècle]. Carte postale.Lieu de conservation : Collection particulière
-
Raulin, Joseph. Costel, Jean-Baptiste Louis. Observations sur l’usage des eaux minérales de Pougues par M. Raulin [...] avec l'analyse chimique des mêmes eaux par M. Costel. 1769.
Raulin, Joseph. Costel, Jean-Baptiste Louis. Observations sur l’usage des eaux minérales de Pougues par M. Raulin [...] avec l'analyse chimique des mêmes eaux par M. Costel. Paris : Edme, 1769. -
Roubaud, Félix. Pougues, ses eaux minérales, ses environs. 1860.
Roubaud, Félix. Pougues, ses eaux minérales, ses environs. Quatrième édition revue et corrigée. Paris : Libraire J.-B. Baillière et Fils, 1860. 311 p. -
Cario, Fabrice. Le Canton de Pougues à travers le passé. 1981.
Cario, Fabrice. Le Canton de Pougues à travers le passé. Nevers : Jean Jamois, 1981.
À voir
Informations complémentaires
- thermalisme en Bourgogne-Franche-Comté (le)
- © Région Bourgogne-Franche-Comté, Inventaire du patrimoine
