FROMAGERIE DITE MIROIR DU COMTÉ
25 - Les Fontenelles
2 rue de la Gare
- Dossier IA25001915 réalisé en 2018 revu en 2019
- Auteur(s) : Laurent Poupard
Historique
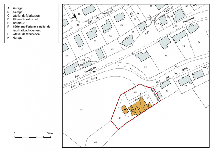
La fromagerie des Fontenelles est bâtie en 1961-1962 suivant le projet de l’architecte Camille André, de Pontarlier. Elle succède à un établissement antérieur, proche du couvent des Sœurs de la Retraite chrétienne, dont on connaît un devis de réparation non daté (1er quart du 20e siècle ?) de l’architecte Painchaux, de Besançon. L’activité fromagère est ancienne dans la commune : les fruitières de chez Folletête (créée en 1800) et de la ferme des Prés (1810) produisaient 4,5 t de fromage en 1844-1848, celle signalée en 1867 8,5 t de fromage (avec le lait de 90 vaches). Entrée en activité en septembre 1962, la fromagerie fabrique de l’emmental (comme en 1929 lorsqu’elle collectait 251 900 l de lait). Réunissant une quinzaine de sociétaires, elle a une capacité de 600 000 à 700 000 l de lait, et est équipée par la société Chalon-Mégard, de Montréal-la-Cluse (Ain), de deux cuves de 4 000 l (une troisième est très rapidement ajoutée). Le matériel est adapté en 1974 lors du passage à la fabrication du comté, dont l’affinage est confié à la société Rivoire-Jacquemin, de Montmorot (Jura). La coopérative fusionne en 1992 avec celles de Frambouhans et Plaimbois-du-Miroir. Une quatrième cuve de 3 000 l est ajoutée en 2000 puis les bâtiments sont agrandis en 2010 (garage), 2013 et 2017 (atelier de fabrication). L’installation est refaite à cette date par la société Evoli (Evolution par l’Inox), de Serre-les-Sapins (4 rue Champenâtre) : trois cuves de 5 500 l, soutirage par pompe à caillé, installation de pressage de 60 places (dont 50 équipées). En 2018, les 4 000 000 l de lait réunis par 22 sociétaires (17 exploitations) ont été transformés en comté par le fromager (assisté d’un aide, d’un apprenti et d’un chauffeur). Stockées dans une cave de pré-affinage d’une capacité de 500 places, les meules sont ensuite affinées par Rivoire-Jacquemin. L'établissement a pris l'appellation de Miroir du Comté.
- 3e quart 20e siècle
- 1er quart 21e siècle
André, Camille. Architecte établi au 62 Grande Rue à Pontarlier (Villa Gros Tilleul).
Description
Majoritairement construits en béton enduit, les bâtiments sont coiffés de toits à longs pans, pignons couverts et tuiles mécaniques (bâtiment d'origine et garage occidental) ou de toits terrasse en béton. La fromagerie initiale a un étage carré et un étage en surcroît, desservis par un escalier intérieur tournant en béton. Les autres constructions sont en rez-de-chaussée, éventuellement avec étage de soubassement ; un escalier extérieur droit en métal est visible dans l'angle sud-ouest.
- béton
- enduit
- tuile mécanique
- béton en couverture
- 1 étage carré
- étage en surcroît
- toit à longs pans, pignon couvert
- escalier dans-oeuvre, escalier tournant à retours avec jour, en maçonnerie
- escalier de distribution extérieur, escalier droit, en charpente métallique
- énergie électrique achetée
Source(s) documentaire(s)
-
Archives départementales du Doubs : EAC 1345 M 3. Travaux de réparation au chalet de fromagerie des Fontenelles, 1er quart 20e siècle ?
Archives départementales du Doubs : EAC 1345 M 3. Travaux de réparation au chalet de fromagerie des Fontenelles. Devis, par l’architecte Painchaux à Besançon, s.d. [1er quart 20e siècle ?].Lieu de conservation : Archives départementales du Doubs, Besançon - Cote du document : EAC 1345 M 3
-
Courtieu, Jean (dir.). Dictionnaire des communes du département du Doubs, 1982-1987.
Courtieu, Jean (dir.). Dictionnaire des communes du département du Doubs. - Besançon : Cêtre, 1982-1987. 6 t., 3566 p. : ill. ; 24 cm. -
Narbey, Bernard (dir.). Evolution d’un territoire laitier sur le plateau de Maîche. Exploitations et fromageries du XIXe au XXIe siècle, 2016.
Narbey, Bernard (dir.). Evolution d’un territoire laitier sur le plateau de Maîche. Exploitations et fromageries du XIXe au XXIe siècle. - S.l. : Mémoire de l’Agriculture comtoise, Au Clos du Doubs, avril 2016. 28 p. : ill. ; 30 cm. -
Vuillet, Bernard. Entre Doubs et Dessoubre en 1900. Tome I, Le canton du Russey, 1982.
Vuillet, Bernard. Entre Doubs et Dessoubre en 1900. Tome I, Le canton du Russey, d'après la collection de cartes postales de Georges Caille. - Les Gras : B. Vuillet, 1982. 360 p. : cartes postales ; 31 cm.
-
Favrot, Christophe (témoignage oral)
Favrot, Christophe. Fromager aux Fontenelles depuis 2008. Les Fontenelles. -
Rondot, Robert (témoignage oral)
Rondot, Robert. Président de la coopérative de fromagerie des Fontenelles de 1971 à 2002. Les Fontenelles.
À voir
Informations complémentaires
- patrimoine industriel du Doubs
- atelier de fabrication
- boutique
- logement
- garage
- réservoir industriel
- stationnement
- © Région Bourgogne-Franche-Comté, Inventaire du patrimoine
