ÉCOLE PROFESSIONNELLE DITE ÉCOLE NATIONALE D'HORLOGERIE PUIS LYCÉE POLYVALENT JULES HAAG
25 - Besançon
1 rue Labbé
- Dossier IA25000690 réalisé en 2009 revu en 2016
- Auteur(s) : Laurent Poupard
 
                                          Historique
Pour répondre à une demande forte de la "Fabrique" bisontine (les fabricants et négociants horlogers de Besançon), la municipalité ouvre le 1er février 1862 une école d'horlogerie dans l'ancien grenier au blé (le "Grenier d'Abondance"). L'État lui accorde en 1891 le titre d'école nationale avec, au nombre des conditions à remplir pour que la nationalisation soit complète, l'obligation de construire un bâtiment en accord avec son statut. La Ville, qui la dote en 1896 d'une filière Mécanique, a du mal à trouver un terrain adapté et à se mettre d'accord avec l'État quant au financement. Si la Première Guerre mondiale diffère la réalisation du bâtiment, la loi du 31 décembre 1921 prononce la nationalisation pleine de l'établissement, avec le statut d'école nationale professionnelle.
Le directeur de l'Enseignement technique Edmond Labbé, en accord avec Louis Trincano (directeur de l'école de 1912 à 1944), choisit en 1923 pour la nouvelle école un site au long de l'avenue Villarceau. Le projet est confié en 1925 à Paul Guadet (1873-1931), architecte de l'enseignement technique, auteur peu après de l'École nationale d'Optique de Morez. Guadet imagine des bâtiments formant un A, avec un appendice (la "cédille") greffé en retour au milieu de la "traverse" du A. Les terrassements débutent en octobre 1926 et la première pierre est posée le 26 mai 1927. Les travaux sont surveillés par l'architecte André Boucton (1891-1977) qui, après le décès de Guadet (le 16 octobre 1931), assume seul l'achèvement du chantier. Achevé en 1932, le nouvel établissement est inauguré le 2 juillet 1933. Il a, pour cause de dépassements budgétaires, perdu l'extrémité de l'aile nord (partie inférieure de la patte gauche du A) et une partie de ses espaces d'enseignement, remplacés par des dortoirs. Jugé trop grand par le ministre, il doit aussi héberger l'institut de Chronométrie (relevant de l'université) dans son aile sud, l'école primaire supérieure et l'école pratique de Commerce et d'Industrie. De ce fait, les bâtiments se révèlent insuffisants dès 1938, d'autant qu'ils doivent aussi accueillir le Bureau des Etudes horlogères (futur Cetehor) créé en 1939 et les élèves de l' "atelier-école" né l'année suivante. En 1948, sans même compter l'institut de Chronométrie, les locaux accueilleront plus de 900 élèves : 250 pour l'école d'Horlogerie, 580 pour un collège et 80 dans un centre d'apprentissage (issu de l'atelier-école). L'architecte Louis Sainsaulieu (1901-1972) étudie donc une extension importante : création d'un 4e étage sur l'aile sud (formée des corps Villarceau 1 et 2) au long de l'avenue Villarceau et sur la partie existante de l'aile nord (Clemenceau 1) au long de l'avenue Clemenceau (étage coiffé d'un toit à longs pans permettant de régler les problèmes d'étanchéité), construction de l'extrémité de l'aile nord initialement prévue (Clemenceau 2) et d'un internat. La surélévation de l'aile sud, qui débute en 1940, ne s'achève qu'en 1950. Entretemps, René Tournier (1899-1978) a été nommé "architecte d'entretien" de l'école. Il remanie les plans de Sainsaulieu, ajoute en 1953 un 2e étage sur la "traverse" (mécanique) et sur la "cédille" (alors occupée par les cuisines et le réfectoire) puis, de 1956 à 1958, prolonge l'aile nord (horlogerie, mécanique et dortoirs) vers la rue Coste (créant le corps de bâtiment nommé Clemenceau 2) et la dote d'un 4e étage (coiffé d'un toit à longs pans). Finalement, il élabore en 1956 et 1957 un projet pour un internat de 600 lits et 1 200 rationnaires, implanté de 1958 à 1961 sur le terrain de jeu situé de l'autre côté de l'avenue Clemenceau (franchie grâce à un passage souterrain). Le programme initial de Guadet se trouve ainsi réalisé. L'enseignement horloger disparaît progressivement (il est repris - exclusivement à partir de 1988 - par le lycée de Morteau), remplacé par la micromécanique puis les microtechniques. L'école devient lycée technique d'État en 1960, sous le vocable de Jules Haag à partir de 1974, puis lycée polyvalent en 1987. L'institut de Chronométrie, fondé par Haag en 1927 et transformé en 1961 en École nationale supérieure de Chronométrie et de Micromécanique, a quitté les lieux vers 1964 pour le campus universitaire de la Bouloie. Jacques Tournier, fils du précédent, construit en 1989 un 3e étage sur la "traverse" et une partie de la "cédille". Son successeur, Jean-Claude Petitcolin, remplace en 2002-2003 l'infirmerie par un nouveau bâtiment au sud-ouest, en bordure de la rue Coste. En 2009, le site accueille environ 1700 élèves et 200 professeurs.
Le lycée a reçu le label Patrimoine du 20e siècle le 29 juin 2004.
- 2e quart 20e siècle
- 3e quart 20e siècle
- 4e quart 20e siècle
- 1er quart 21e siècle
Date de naissance : 1873 - date de décès : 1931
Paul Guadet, architecte, né à Paris en 1873 et mort en 1931. Fils aîné de l’architecte Julien Guadet, diplômé de l’école des Beaux-Arts de Paris en 1904, Paul Guadet travaille essentiellement pour les organismes d’Etat : il est architecte adjoint des Affaires étrangères de 1903 à 1911, architecte en chef des Bâtiments civils et Palais nationaux de 1912 à sa mort, architecte du ministère des P.T.T de 1913 à 1931, du sous-secrétariat d’Etat de l’enseignement technique de 1925 environ à 1931... Il assume aussi la surveillance de travaux, notamment dans les écoles des Arts et Métiers et autres écoles professionnelles (celle de Cluses par exemple), et est appelé comme expert (près du conseil de préfecture de la Seine de 1922 à 1930 par exemple). Dans <span style="font-style:italic;">L’esthétique du béton armé</span>, texte d’une conférence donnée à Bruxelles le 11 février 1926 et publiée dans <span style="font-style:italic;">L’Emulation</span> (« organe de la société centrale d’Architecture de Belgique »), Guadet se présente comme un « partisan, adepte absolu, du rationalisme en architecture ».
Date de naissance : 1899 - date de décès : 1978
Tournier, René (1899-1978). Architecte. Diplômé de l’Ecole nationale supérieure des Beaux-Arts de Paris en 1932. Nommé architecte des Monuments historiques en 1938.
Date de naissance : 19/10/1934
Tournier, Jacques (né en 1934). Architecte. Fils de Jean Tournier, architecte né à Paris en 1909. Etabli à Besançon, Associé aux architectes Lamarre-Benoit-Delin, société LBDT de 1971-1978 puis Delin et Tournier de 1978 à 1984. Avait son officine au 38 rue Mégevand, à Besançon, quoique toujours inscrit à l'ordre en Ile-de-France.(Source : Archives départementales de Yvelines, cote 100J1-565-archives privées, (1945-1985).
Il remporte, avec Drezet, le concours présidentiel du lycée d'Héricourt livré en 1986 -1987. L'agence interviendra aussi notamment dans les lycées Colomb de Lure, LumIère de Luxeuil, et, sans Drezet, après avoir repris les dossiers de l'agence Tournier qui avait Fertet et Haag en portefeuille, dans ces deux établissements, notamment en construisant un bâtiment rue Coste en béton préfabriqué, sur poteaux et poutres, dont la dentelle des façades avec ses petits meneaux de béton rappelle les trames de Guadet. Les dossiers de l’agence sont repris par l’ancien collaborateur Philippe Henry, qui crée son agence en 2009.
Date de naissance : 1891 - date de décès : 1977
Diplômé d’architecture en 1923, André Boucton est l’auteur de bâtiments en béton : immeuble « le Building » à Besançon (1926), bains-douches de Montbéliard (1933), sanatorium des Genévriers à Villers-le-Lac (1934-1940), etc. Il est architecte d'opération à Besançon pour Paul Guadet et pour les frères Perret.
Date de naissance : 1882 (19 août) - date de décès : 1953 (16 février)
Né le 19 août 1882 à Flirey en Meurthe-et-Moselle, mort le 16 février 1953 à Besançon. Diplômé de l’Ecole normale supérieure en 1903, docteur ès sciences en 1910, Jules Haag enseigne la mécanique rationnelle à la faculté des Sciences de Clermont-Ferrand. Il devient en 1927 directeur de l’institut de Chronométrie de Besançon. Cofondateur en 1930 de la Société chronométrique de France (qu’il présidera), il est aussi de 1949 à 1953 président du Centre technique de l’Industrie horlogère (Cetehor), qui succède officiellement au B.E.H. en 1945.
Date de naissance : 1901 - date de décès : 1972
Sainsaulieu, Louis (1901-1972). Diplômé en 1927 de l’École nationale supérieure des Beaux-Arts. Architecte en chef des bâtiments civils et des palais nationaux, architecte de l’enseignement technique en 1942.
Description
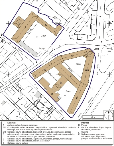
Très largement vitrés, les bâtiments ont des murs en béton armé : les plus anciens sont en pan de béton armé avec remplissage en maçonnerie de moellons calcaires et enduit partiel. Les moellons calcaires sont aussi mis en oeuvre en parement aux angles de l'internat. La chaufferie occupe le sous-sol de l'entrée, qui a un entresol et 5 étages carrés (en comptant la salle de l'horloge) voire 6 avec le dôme de l'observatoire. L'aile sud (entre corps d'entrée et "traverse") et l'aile en retour de l'internat ont un étage de soubassement. Les bâtiments ont soit 5 étages carrés (corps occidental de l'internat), soit 4 (ailes nord et sud, et aile en retour de l'internat), 3 ("traverse" et partie orientale de la "cédille") ou 2 ("cédille" et bâtiment Coste). Le troisième étage de la "traverse" et de la "cédille" est suspendu à une charpente métallique extérieure et ses murs sont revêtus d'un carrelage mural. Les toits, portés par une charpente en béton armé sur les ailes nord et sud, sont à longs pans et croupes (polygonale à l'extrémité méridionale de la "cédille"). Ils sont couverts de tuiles mécaniques, matériau synthétique ("traverse"), béton ou cuivre (dôme). Les étages sont distribués par des ascenseurs et des escaliers tournants, placés à chaque extrémité des ailes nord et sud ainsi qu'à proximité de leur jonction avec la "traverse". L'escalier d'honneur se développe dans une cage vitrée à l'arrière de l'entrée.
- béton
- calcaire
- pan de béton armé
- moellon
- pan de métal
- enduit partiel
- carrelage mural
- tuile mécanique
- métal en couverture
- matériau synthétique en couverture
- sous-sol
- entresol
- 6 étages carrés
- charpente en béton armé apparente
- élévation ordonnancée
- escalier dans-oeuvre, escalier tournant à retours avec jour, en maçonnerie
- ascenseur
- monte-charge
- mosaïque
- ferronnerie
- sculpture
De style Art déco, la décoration de l'école associe mosaïques, ferronnerie et sculpture. Le béton des murs extérieurs du corps d'entrée est incrusté de carreaux en grès flammé (ronds et carrés). Ce corps présente en façade, au dessus des portes, l'inscription en creux et mosaïque dorée : École nationale / d'horlogerie de mécanique d'électricité. Mosaïque et gravillons lavés sont utilisés pour la partie basse des murs et des colonnes, notamment dans le grand escalier. L'axe central de la traverse est marqué par un motif proposé par Trincano : un sablier (l'horlogerie) encadré à gauche par deux éclairs (l'électricité) et à droite par un compas (la mécanique).
Source(s) documentaire(s)
- 
                                                                              68 J 1 : Ministère de l’Instruction publique et des Beaux-Arts. Université de Besançon
                                                                                                                    
 68 J 1 : Ministère de l’Instruction publique et des Beaux-Arts. Université de Besançon. Photographies. - S.l. [Besançon] : s.d. [vers 1933]. [48] p. : tout en ill. ; 28 x 40 cm. Album photo constitué vers 1933 à la suite de l’inauguration de la Cité universitaire, de l’institut de Chronométrie, de l’Ecole nationale d’Horlogerie, etcLieu de conservation : Archives départementales du Doubs, Besançon - Cote du document : 68 J 1
- 
                                                                              68 J 2 : Fêtes présidentielles et Universitaires du 2 juillet 1933
                                                                                                                    
 68 J 2 : Fêtes présidentielles et Universitaires du 2 juillet 1933. - S.l. [Besançon] : s.n., s.d. [1933]. 15 p. - [5] pl. h.t. ; 24 x 16 cm.Lieu de conservation : Archives départementales du Doubs, Besançon - Cote du document : 18 J 2
- 
                                                                              66 O 7 : Besançon. Ecole d’Horlogerie (1901-1906)
                                                                                                                    
 66 O 7 : Besançon. Ecole d’Horlogerie (1901-1906)Lieu de conservation : Archives départementales du Doubs, Besançon - Cote du document : 66 O 7
- 
                                                                              158 W 16 : Ecole nationale d’Horlogerie : travaux, affaire Guadet / Boucton (1935-1957)
                                                                                                                    
 158 W 16 : Ecole nationale d’Horlogerie : travaux, affaire Guadet / Boucton (1935-1957)Lieu de conservation : Archives départementales du Doubs, Besançon - Cote du document : 158 W 16
- 
                                                                              4 M 9 : Etablissements d’enseignement professionnel et écoles primaires supérieures. Ecole d’horlogerie : installation dans l’ancien grenier de la ville ; plan des terrains à affecter à la nouvelle école, avenue Villarceau (1861-1937)
                                                                                                                    
 4 M 9 : Etablissements d’enseignement professionnel et écoles primaires supérieures. Ecole d’horlogerie : installation dans l’ancien grenier de la ville ; plan des terrains à affecter à la nouvelle école, avenue Villarceau (1861-1937)Lieu de conservation : Archives communales, Besançon - Cote du document : 4 M 9
- 
                                                                              1 R 20 : Instruction publique. Ecole d’horlogerie (1837-1875)
                                                                                                                    
 1 R 20 : Instruction publique. Ecole d’horlogerie (1837-1875)Lieu de conservation : Archives communales, Besançon - Cote du document : 1 R 20
- 
                                                                              1 R 37 : Ecole d’horlogerie (1874-1938)
                                                                                                                    
 1 R 37 : Ecole d’horlogerie (1874-1938)Lieu de conservation : Archives communales, Besançon - Cote du document : 1 R 37
- 
                                                                              1 R 94 : Ecole nationale d’horlogerie. Administration et organisation (1861-1948)
                                                                                                                    
 1 R 94 : Ecole nationale d’horlogerie. Administration et organisation (1861-1948)Lieu de conservation : Archives communales, Besançon - Cote du document : 1 R 94
- 
                                                                              1 R 95 : Ecole nationale d’horlogerie. Administration, rapports annuels (1901-1955)
                                                                                                                    
 1 R 95 : Ecole nationale d’horlogerie. Administration, rapports annuels (1901-1955)Lieu de conservation : Archives communales, Besançon - Cote du document : 1 R 95
- 
                                                                              1 R 100 : Ecole nationale d’horlogerie. Internat de l’école au lycée Victor Hugo (1877-1914)
                                                                                                                    
 1 R 100 : Ecole nationale d’horlogerie. Internat de l’école au lycée Victor Hugo (1877-1914)Lieu de conservation : Archives communales, Besançon - Cote du document : 1 R 100
- 
                                                                              19880466/18 Ministère de la Culture, Délégation aux Arts Plastiques, Sous-direction de la Décentralisation et du Soutien à la Création, Bureau Commande Publique, Commission nationale du 1 %, 1948-1983
                                                                                                                    
 Ministère de la Culture, Délégation aux Arts Plastiques, Sous-direction de la Décentralisation et du Soutien à la Création, Bureau Commande Publique, Commission nationale du 1 %, 1948-1983Lieu de conservation : Archives nationales, Fontainebleau - Cote du document : 19880466/18
- 
                                                                              Fonds Paul Guadet, 079 IFA 105 à 115, 200 : Ecole nationale d’Horlogerie de Besançon (1925-1931)
                                                                                                                    
 Fonds Paul Guadet, 079 IFA : Ecole nationale d’Horlogerie de Besançon (1925-1931), liasses, boîtes de rouleaux et plans à platLieu de conservation : Cité de l'architecture et du patrimoine, Centre d'archives d'architecture du XXe siècle - Cote du document : 079 IFA 105 à 115, 200
- 
                                                                              2 W 452-458 Éducation - Lycées de Franche-Comté (1967-2012) : dossier Lycée Jules Haag, Besançon
                                                                                                                    
 2 W 452-458 Éducation - Lycées de Franche-Comté (1967-2012) : dossier Lycée Jules Haag, Besançon. Internat (1977-1984), couverture, douches (1983-1984), externat (1978-1989), salles informatiques (1985-1986), demi-pension (1987-1988), aménagement de la ZAC Villarceau (1986-1989), rénovation du poste de transformation (1988-1989), chauffage (1976-1986), électricité (1980-1984), isolation (1979-1984), restructuration (1986-1988), entretien divers dont coupole (1969-1989), plans (1973-1988), sécurité (1983-1990), divers (1986-1990)Lieu de conservation : Région Franche-Comté, Archives, Besançon - Cote du document : 2 W 452-458
- 
                                                                              Ensemble de plans et documents divers conservés au lycée Jules Haag (20e siècle)
                                                                                                                    
 Ensemble de plans et documents divers conservés au lycée Jules Haag (20e siècle)Lieu de conservation : Archives du lycée polyvalent Jules Haag, Besançon
- 
                                                                              Projet d’acquisition d’immeubles communaux [extrait du plan cadastral : terrains Hinzelin, Pateu et Liébenguth, avenue d'Helvétie], 10 mars 1901
                                                                                                                    
 Projet d’acquisition d’immeubles communaux [extrait du plan cadastral : terrains Hinzelin, Pateu et Liébenguth, avenue d'Helvétie], dessin sur calque (plume, lavis), par le directeur de la voirie [signé illisible], Besançon le 10 mars 1901, échelle 1/500, 38 x 50 cmLieu de conservation : Archives départementales du Doubs, Besançon - Cote du document : 66O 7
- 
                                                                              Ville de Besançon. Projet de construction d’une Ecole nat[iona]le d’Horlogerie [avenue d'Helvétie], 25 février 1906
                                                                                                                    
 Ville de Besançon. Projet de construction d’une Ecole nat[iona]le d’Horlogerie [avenue d'Helvétie], dessin (tirage bleu), par l’architecte Boutterin, Besançon le 25 février 1906, échelle 1/100.- 1. Sous-sol, 53 x 62 cm - 1 bis. Plan des fondations, 50 x 61 cm- 2. Rez-de-chaussée, 53 x 62 cm - 2 bis. Détails. Plan du Pavillon central [et] Epure d’une pile d’angle du Pavillon central, échelles 1/50 et 1/20, 51 x 60 cm- 3. Premier Etage, 53 x 62 cm - 4. Plan du 2e étage, 52 x 62 cm- 5. Elévation des façades sur rues [et une coupe transversale], dessin (plume, lavis), 60 x 70 cm - 6. Façade prin[cipa]le et coupe, dessin (tirage bleu, rehauts de crayon gras), 66 x 101 cmMention sur les plans : « Adopté par délibération du conseil municipal du 11 avril 1906 », signé GrosjeanLieu de conservation : Archives départementales du Doubs, Besançon - Cote du document : 66 O 7
- 
                                                                              7. Ville de Besançon. Ecole d’Horlogerie [avenue d'Helvétie]. Mr Boutterin architecte. Projet en béton armé système Hennebique Bté S.G.D.G., 1906
                                                                                                                    
 7. Ville de Besançon. Ecole d’Horlogerie [avenue d'Helvétie]. Mr Boutterin architecte. Projet en béton armé système Hennebique Bté S.G.D.G., dessin (tirage bleu, lavis), par l’ingénieur civil G. Aubertin, Dijon s.d. [1906], échelle 1/100.- Plancher haut du sous sol, 45 x 62 cm- Plancher haut du rez de chaussée, 43 x 64 cmMention sur les plans : « Adopté par délibération du conseil municipal du 11 avril 1906 », signé GrosjeanLieu de conservation : Archives départementales du Doubs, Besançon - Cote du document : 66 O 7
- 
                                                                              Projet de groupement d’écoles professionnelles [sur les glacis], vers 1910-1912
                                                                                                                    
 Projet de groupement d’écoles professionnelles [sur les glacis], dessin (tirage bleu), s.n. [par l’architecte municipal Brugvin], s.d. [vers 1910-1912], échelle 1/200, 58 x 48 cmLieu de conservation : Archives communales, Besançon - Cote du document : 1 R 94
- 
                                                                              Ecole nationale d’Horlogerie de Besançon [état de l'existant : plans et coupe], 15 et 16 février 1921
                                                                                                                    
 Ecole nationale d’Horlogerie de Besançon [état de l'existant : plans et coupe], dessin sur calque (plume), s.n., Besançon les 15 et 16 février 1921, échelle 1/100- Plan du Rez-de-Chaussée, 15 février 1921, 52 x 66 cm- Plan du 1er Etage, 15 février 1921, 52,5 x 65 cm- Plan du 2ème Etage, 16 février 1921, 52 x 64,5 cm- Plan du 3ème Etage, 16 février 1921, 52 x 65,5 cm- Coupe transversale, 16 février 1921, 52,5 x 65 cmLieu de conservation : Archives du lycée polyvalent Jules Haag, Besançon
- 
                                                                              Nouvelle Ecole d’Horlogerie. Projet L.T. (avril 1921) [avenue Elisée Cusenier]
                                                                                                                    
 Nouvelle Ecole d’Horlogerie. Projet L.T. (avril 1921) [avenue Elisée Cusenier], dessin sur calque (plume, crayon de couleur), s.n. [par Louis Trincano ?], échelle 1/500, 37 x 59,5 cmProjet avenue Elisée Cusenier (rive gauche du Doubs, entre la future passerelle et le pont de la République, au débouché des rues Gustave Courbet et GambettaLieu de conservation : Archives du lycée polyvalent Jules Haag, Besançon
- 
                                                                              Parc aux fourrages C.B. des Chaprais. Plan d'ensemble. Projet d'emplacement pour l'Ecole nationale d'Horlogerie, [1922 ?]
                                                                                                                    
 Parc aux fourrages C.B. des Chaprais. Plan d'ensemble. Projet d'emplacement pour l'Ecole nationale d'Horlogerie, dessin (tirage bleu), s.n., s.d. [1922 ?], échelle 1/1000, 30 x 31,5 cmLieu de conservation : Archives du lycée polyvalent Jules Haag, Besançon
- 
                                                                              Ecole nationale d'Horlogerie. Projet d'utilisation de fondations et de terrains. Novembre 1922
                                                                                                                    
 Ecole nationale d'Horlogerie. Projet d'utilisation de fondations et de terrains. Novembre 1922, dessin (tirage bleu), s.n., échelle 1/500, 29,5 x 24 cm« Conditions du projet. Le sol des ateliers devra être surélevé en tenant compte du niveau des grandes eaux. »Lieu de conservation : Archives du lycée polyvalent Jules Haag, Besançon
- 
                                                                              Ecole nationale d'Horlogerie et de Mécanique de Précision de Besançon - Doubs. Projet LT 1923
                                                                                                                    
 Ecole nationale d'Horlogerie et de Mécanique de Précision de Besançon - Doubs. Projet LT 1923, dessin (tirage bleu), s.n. [par Louis Trincano ?], échelle 1/200- Plan du Rez-de-Chaussée, 43,5 x 51,5 cm- Plan du 1er Etage, 43 x 55 cm- Ecole nationale d'horlogerie et de mécanique de précision. Projet LT 1923. 2ème étage, sans échelle [1/200 ?], 43 x 60 cmLieu de conservation : Archives du lycée polyvalent Jules Haag, Besançon
- 
                                                                              Ecole nationale d’Horlogerie de Besançon - Doubs. Projet LT année 1923. Adapté au terrain des Hospices
                                                                                                                    
 Ecole nationale d’Horlogerie de Besançon - Doubs. Projet LT année 1923. Adapté au terrain des Hospices, dessin (tirage bleu), s.n. [par Louis Trincano ?], échelle 1/500, 48 x 53 cmLieu de conservation : Archives du lycée polyvalent Jules Haag, Besançon
- 
                                                                              Ecole nationale d'Horlogerie et de Mécanique de Précision – Besançon. Projet LT – 1924
                                                                                                                    
 Ecole nationale d'Horlogerie et de Mécanique de Précision – Besançon. Projet LT – 1924, dessin (tirage), s.n. [par Louis Trincano ?], échelle 1/200- Plan du Rez-de-Chaussée, 43,5 x 58,5 cm- Plan du 1er Etage, 46,5 x 58,5 cmExiste aussi sur calque et sur papier fort, ce dernier marqué BLieu de conservation : Archives du lycée polyvalent Jules Haag, Besançon
- 
                                                                              Ecole nationale d'Horlogerie et de Mécanique de Précision de Besançon - Doubs. Projet LT – 1924. A
                                                                                                                    
 Ecole nationale d'Horlogerie et de Mécanique de Précision de Besançon - Doubs. Projet LT – 1924. A, dessin (tirage), s.n., échelle 1/200- Plan du Rez-de-Chaussée, 47,5 x 57,5 cm- Plan du 1er Etage, 48 x 59,5 cmLieu de conservation : Archives du lycée polyvalent Jules Haag, Besançon
- 
                                                                              Ecole nationale d'Horlogerie et de petite mécanique – Besançon. Utilisation du terrain, 1924
                                                                                                                    
 Ecole nationale d'Horlogerie et de petite mécanique – Besançon. Utilisation du terrain, dessin sur calque (plume, crayon de couleur), s.n. [par Louis Trincano ?], échelle 1/200- Projet LT 1924 A, sans échelle [1/200 ?], 77 x 87,5 cm- Projet LT 1924 B, 78 x 87,5 cmLieu de conservation : Archives du lycée polyvalent Jules Haag, Besançon
- 
                                                                              [Croquis de plan de la distribution des salles], septembre 1925
                                                                                                                    
 [Croquis de plan de la distribution des salles], dessin (plume), s.n. [par Louis Trincano], s.d. [septembre 1925], sans échelle (coté), 22,5 x 17,5 cm.Lieu de conservation : Cité de l'architecture et du patrimoine, Centre d'archives d'architecture du XXe siècle - Cote du document : 079 IFA 107 temp
- 
                                                                              [Projet d’école : croquis de plan-masse des bâtiments], 3 novembre 1925
                                                                                                                    
 [Projet d’école : croquis de plan-masse des bâtiments], dessin (plume), par Louis Trincano, 3 novembre 1925, sans échelleLieu de conservation : Cité de l'architecture et du patrimoine, Centre d'archives d'architecture du XXe siècle - Cote du document : 079 IFA 106 temp
- 
                                                                              [Croquis de plan de distribution de l’atelier de mécanique], fin 1925 - début 1926 (février 1926 ?)
                                                                                                                    
 [Croquis de plan de distribution de l’atelier de mécanique], dessin (plume), s.n. [par Prélat], s.d. [fin 1925 - début 1926 (février 1926 ?)], sans échelle (coté), 22,5 x 17,5 cm.Lieu de conservation : Cité de l'architecture et du patrimoine, Centre d'archives d'architecture du XXe siècle - Cote du document : 079 IFA 107 temp
- 
                                                                              Sous-secrétariat d'Etat à l'Enseignement technique. Ecole d'Horlogerie de Besançon, 8 octobre 1925
                                                                                                                    
 Sous-secrétariat d'Etat à l'Enseignement technique. Ecole d'Horlogerie de Besançon, dessin (tirage), par l'architecte en chef du gouvernement Paul Guadet, Paris le 8 octobre 1925, échelle 1/200- 1. Plan d'ensemble du rez-de-chaussée, 74 x 93 cm- 2. Plan d'ensemble du 1° étage, 74 x 92,5 cm- 3. Plan d'ensemble du 2° étage, 70 x 93 cm- 4. Plan d'ensemble du 3° étage, 73 x 93 cmLieu de conservation : Archives du lycée polyvalent Jules Haag, Besançon
- 
                                                                              Sous-secrétariat d’Etat à l’Enseignement technique. Ecole d’Horlogerie de Besançon, 9 novembre 1925
                                                                                                                    
 Sous-secrétariat d’Etat à l’Enseignement technique. Ecole d’Horlogerie de Besançon, dessin sur calque (plume), par Paul Guadet, 9 novembre 1925, échelle 1:200- 1. Plan d’ensemble du rez-de-chaussée, 8 octobre 1925, 67 x 98 cm - 6. Plan d’ensemble du 1° étage, 67 x 100 cm- 7. Plan d’ensemble du 2e étage, 50 x 67 cm - 8. Plan d’ensemble du 3e étage, 49 x 66 cm. En détail : appartement du directeur et tour astronomique- 9. Développement de la façade principale et coupes, 1er décembre 1925, 51 x 94 cmLieu de conservation : Cité de l'architecture et du patrimoine, Centre d'archives d'architecture du XXe siècle - Cote du document : 079 IFA tiroir 7
- 
                                                                              Ecole d'Horlogerie de Besançon. Développement de la façade principale et coupe, 1er décembre 1925
                                                                                                                    
 Ecole d'Horlogerie de Besançon. Développement de la façade principale et coupe, dessin (tirage), par l'architecte en chef du gouvernement Paul Guadet, Paris le 1er décembre 1925, échelle 1/200, 41 x 94,5 cmLieu de conservation : Archives du lycée polyvalent Jules Haag, Besançon
- 
                                                                              Internat, 1927
                                                                                                                    
 Internat, dessin (tirage rouge), s.n., s.d. [1927], échelle 1:200, 38 x 52 cmLieu de conservation : Cité de l'architecture et du patrimoine, Centre d'archives d'architecture du XXe siècle - Cote du document : 079 IFA 106 temp
- 
                                                                              [Croquis de coupe de la chambre d’horloge et du support de cloches], 1927
                                                                                                                    
 [Croquis de coupe de la chambre d’horloge et du support de cloches], dessin (plume), s.n. [par Paul Guadet ?], s.d. [1927], sans échelle (coté)Lieu de conservation : Cité de l'architecture et du patrimoine, Centre d'archives d'architecture du XXe siècle - Cote du document : 079 IFA 107 temp
- 
                                                                              Ecole nationale de Besançon [croquis de plan-masse des bâtiments], début 1927
                                                                                                                    
 Ecole nationale de Besançon [croquis de plan-masse des bâtiments], dessin imprimé, s.n., s.d. [début 1927], sans échelle. Dessin publié dans le journal La Dépêche républicaine de Franche-Comté du 25 mars 1927Lieu de conservation : Cité de l'architecture et du patrimoine, Centre d'archives d'architecture du XXe siècle - Cote du document : 079 IFA 106 temp
- 
                                                                              Ecole nationale d’Horlogerie de Besançon. Plan du 4e étage, 23 avril 1927
                                                                                                                    
 Ecole nationale d’Horlogerie de Besançon. Plan du 4e étage, dessin (tirage), par Paul Guadet, 23 avril 1927, échelle 1:50, 67 x 100 cm. En détail : coupole astronomiqueLieu de conservation : Cité de l'architecture et du patrimoine, Centre d'archives d'architecture du XXe siècle - Cote du document : 079 IFA tiroir 5
- 
                                                                              Ecole nationale d'Horlogerie de Besançon. Plan du 1er étage, 7 mai 1927
                                                                                                                    
 Ecole nationale d'Horlogerie de Besançon. Plan du 1er étage, dessin imprimé, par l'architecte en chef du Gouvernement Paul Guadet, Paris le 7 mai 1927, échelle 1/50, 66 x 100 cmMontre le muséeLieu de conservation : Archives du lycée polyvalent Jules Haag, Besançon
- 
                                                                              12. Ecole nationale d’Horlogerie à Besançon - Doubs. Façade principale, Coupe A.B. [et] Coupe C.D., 7 octobre 1927
                                                                                                                    
 12. Ecole nationale d’Horlogerie à Besançon - Doubs. Façade principale, Coupe A.B. [et] Coupe C.D., dessin sur calque (plume), par Paul Guadet, 7 octobre 1927, échelle 1:200, 41 x 79 cmLieu de conservation : Cité de l'architecture et du patrimoine, Centre d'archives d'architecture du XXe siècle - Cote du document : 079 IFA tiroir 7
- 
                                                                              12 ter. Sous-secrétariat d’Etat à l’Enseignement technique. Ecole d’Horlogerie de Besançon. Détail de la façade d’angle, 1927
                                                                                                                    
 12 ter. Sous-secrétariat d’Etat à l’Enseignement technique. Ecole d’Horlogerie de Besançon. Détail de la façade d’angle, dessin sur calque (plume), par Paul Guadet, s.d. [1927], échelle 1:50, 66 x 93 cmLieu de conservation : Cité de l'architecture et du patrimoine, Centre d'archives d'architecture du XXe siècle - Cote du document : 079 IFA tiroir 7
- 
                                                                              Ecole nationale d’Horlogerie à Besançon. Internat. Plan d’ensemble, Plan d’un pavillon [et] Aménagement d’une chambre, 1928
                                                                                                                    
 Ecole nationale d’Horlogerie à Besançon. Internat. Plan d’ensemble, Plan d’un pavillon [et] Aménagement d’une chambre, dessin (tirage), s.n. [par Paul Guadet], s.d. [1928], échelles 1:200 et 1:50, 75 x 55 cm.Lieu de conservation : Cité de l'architecture et du patrimoine, Centre d'archives d'architecture du XXe siècle - Cote du document : 079 IFA tiroir 5
- 
                                                                              [Croquis de plan-masse des bâtiments], 23 mars 1928
                                                                                                                    
 [Croquis de plan-masse des bâtiments], dessin imprimé avec rehauts de crayon de couleur, s.n. [par Louis Trincano], s.d. [23 mars 1928], sans échelle. Dessin publié dans le journal Le Petit Comtois du 22 août 1927 et colorié par Trincano en mars 1928 pour indiquer son ordre de préférence pour le déroulement des constructionsLieu de conservation : Cité de l'architecture et du patrimoine, Centre d'archives d'architecture du XXe siècle - Cote du document : O79 IFA 106 temp
- 
                                                                              2. Ecole nationale d’Horlogerie. Internat. Plan d’un pavillon [et] Aménagement d’une chambre, 20 avril 1928
                                                                                                                    
 2. Ecole nationale d’Horlogerie. Internat. Plan d’un pavillon [et] Aménagement d’une chambre, dessin sur calque (plume), par Paul Guadet, 20 avril 1928, échelle 1:50, 28 x 47 cm.Lieu de conservation : Cité de l'architecture et du patrimoine, Centre d'archives d'architecture du XXe siècle - Cote du document : 079 IFA tiroir 5
- 
                                                                              22. Ecole nationale d’Horlogerie de Besançon. Jonction ACE, 20 avril 1928
                                                                                                                    
 22. Ecole nationale d’Horlogerie de Besançon. Jonction ACE, dessin sur calque (plume), par Paul Guadet, 20 avril 1928, échelle 1:50, 68 x 104 cmLieu de conservation : Cité de l'architecture et du patrimoine, Centre d'archives d'architecture du XXe siècle - Cote du document : 079 IFA tiroir 5
- 
                                                                              30. Ecole nationale d’Horlogerie de Besançon. Façade, 7 juin 1928
                                                                                                                    
 30. Ecole nationale d’Horlogerie de Besançon. Façade, dessin sur calque (plume, crayon à papier), par Paul Guadet, 7 juin 1928, échelle 1:20, 88 x 68 cm.Lieu de conservation : Cité de l'architecture et du patrimoine, Centre d'archives d'architecture du XXe siècle - Cote du document : 079 IFA tiroir 7
- 
                                                                              Motif proposé pour la porte,13 juillet 1928
                                                                                                                    
 Motif proposé pour la porte, dessin (plume), par Louis Trincano, 13 juillet 1928, sans échelleLieu de conservation : Cité de l'architecture et du patrimoine, Centre d'archives d'architecture du XXe siècle - Cote du document : 079 IFA 106 temp
- 
                                                                              42. Ecole nationale d’Horlogerie à Besançon. Motif D [armoiries de Besançon, 30 octobre 1928
                                                                                                                    
 42. Ecole nationale d’Horlogerie à Besançon. Motif D [armoiries de Besançon], dessin sur calque (plume), par Paul Guadet, 30 octobre 1928, sans échelle (côté), 89 x 79 cm.Lieu de conservation : Cité de l'architecture et du patrimoine, Centre d'archives d'architecture du XXe siècle - Cote du document : 079 IFA tiroir 7
- 
                                                                              34. Institut de Chronométrie à Besançon. Rez-de-chaussée niv° 173.90, 24 novembre 1928
                                                                                                                    
 34. Institut de Chronométrie à Besançon. Rez-de-chaussée niv° 173.90, dessin sur calque (crayon à papier), par Paul Guadet, 24 novembre 1928, échelle 1:100, 44 x 88 cm. Dessin du 4 octobre modifié les 14 octobre, 7 et 24 novembre 1928Lieu de conservation : Cité de l'architecture et du patrimoine, Centre d'archives d'architecture du XXe siècle - Cote du document : 079 IFA tiroir 7
- 
                                                                              36 A. Ecole nationale d’Horlogerie de Besançon. Entrée du directeur, Jardin C-B-F [et] Entrée de l’Institut de Chronométrie, 24 novembre 1928
                                                                                                                    
 36 A. Ecole nationale d’Horlogerie de Besançon. Entrée du directeur, Jardin C-B-F [et] Entrée de l’Institut de Chronométrie, dessin sur calque (crayon à papier), par Paul Guadet, 24 novembre 1928, échelle 1:50, 60 x 102 cm. Annule le dessin n° 36 modifié le 14 novembre 1928Lieu de conservation : Cité de l'architecture et du patrimoine, Centre d'archives d'architecture du XXe siècle - Cote du document : 079 IFA tiroir 7
- 
                                                                              31. Ecole nationale d’Horlogerie de Besançon. Horloge, 27 novembre 1928
                                                                                                                    
 31. Ecole nationale d’Horlogerie de Besançon. Horloge, dessin sur calque (crayon à papier), par Paul Guadet, 27 novembre 1928, échelle 1:20, 48 x 47 cmLieu de conservation : Cité de l'architecture et du patrimoine, Centre d'archives d'architecture du XXe siècle - Cote du document : 079 IFA tiroir 7
- 
                                                                              39. Ecole nationale d’Horlogerie à Besançon. Entrée, 7 décembre 1928
                                                                                                                    
 39. Ecole nationale d’Horlogerie à Besançon. Entrée, dessin sur calque (plume), par Paul Guadet, 7 décembre 1928, échelle 1:20, 56 x 50 cm. Projet d’entrée annulé : voir pl. n° 39 ALieu de conservation : Cité de l'architecture et du patrimoine, Centre d'archives d'architecture du XXe siècle - Cote du document : 079 IFA tiroir 7
- 
                                                                              Ecole nationale d’Horlogerie à Besançon [clôture], 10 décembre 1928
                                                                                                                    
 Ecole nationale d’Horlogerie à Besançon [clôture], dessin sur calque (plume), par Paul Guadet, 10 décembre 1928- 47. Plan général de la clôture, échelle 1:200, 69 x 79 cm- 46. Clôture, échelle 1:100, 50 x 96 cm- 45. Clôture [détails], échelle 1:20, 62 x 96 cmLieu de conservation : Cité de l'architecture et du patrimoine, Centre d'archives d'architecture du XXe siècle - Cote du document : 079 IFA tiroir 7
- 
                                                                              [Projet de mosaïque pour l’horloge], 1929
                                                                                                                    
 [Projet de mosaïque pour l’horloge], dessin sur calque (crayon à papier, gouache), par la société Bacle et Moulin, s.d. [1929], sans échelleLieu de conservation : Cité de l'architecture et du patrimoine, Centre d'archives d'architecture du XXe siècle - Cote du document : 079 IFA tiroir 5
- 
                                                                              Ecole nationale d’Horlogerie de Besançon [dessins du 9 novembre 1927 rectifiés le 2 janvier 1929]
                                                                                                                    
 Ecole nationale d’Horlogerie de Besançon [dessins du 9 novembre 1927 rectifiés le 2 janvier 1929], dessin sur calque (plume), par Paul Guadet, 2 janvier 1929, échelle 1:200- 7. Plan d’ensemble du rez-de-chaussée. Niv. 274.70, 75 x 88 cm- 8. Plan du 1er étage. Niv. 278.20, 75 x 88 cm- 9. Plan du 2e étage. Niv. 283.20, 74 x 88 cm - 10. Plan d’ensemble du 3ème étage. Niv. 288.20, 77 x 88 cmLieu de conservation : Cité de l'architecture et du patrimoine, Centre d'archives d'architecture du XXe siècle - Cote du document : 079 IFA tiroir 7
- 
                                                                              40. Frises de la porte d’entrée à l’Ecole nationale d’Horlogerie à Besançon. Frise A [et] Frise B (annulé), 25 janvier 1929
                                                                                                                    
 40. Frises de la porte d’entrée à l’Ecole nationale d’Horlogerie à Besançon. Frise A [et] Frise B (annulé), dessin sur calque (plume), par Paul Guadet, 25 janvier 1929, sans échelle (côté), 39 x 88 cmLieu de conservation : Cité de l'architecture et du patrimoine, Centre d'archives d'architecture du XXe siècle - Cote du document : 079 IFA tiroir 7
- 
                                                                              40 A. Ecole nationale d’Horlogerie à Besançon. Frise B (modifiée) [pièces d’horlogerie : balanciers, ancres et roues d’échappement], 25 janvier 1929
                                                                                                                    
 40 A. Ecole nationale d’Horlogerie à Besançon. Frise B (modifiée) [pièces d’horlogerie : balanciers, ancres et roues d’échappement], dessin sur calque (plume), par Paul Guadet, 25 janvier 1929, sans échelle (côté), 39 x 88 cm. Annule le dessin de frise B n° 40Lieu de conservation : Cité de l'architecture et du patrimoine, Centre d'archives d'architecture du XXe siècle - Cote du document : 079 IFA tiroir 7
- 
                                                                              41 A. Ecole nationale d’Horlogerie à Besançon. Frise D [pièces d’horlogerie : roues d’échappement], 25 janvier 1929
                                                                                                                    
 41 A. Ecole nationale d’Horlogerie à Besançon. Frise D [pièces d’horlogerie : roues d’échappement], dessin sur calque (plume), par Paul Guadet, 25 janvier 1929, sans échelle (côté), 45 x 40 cmLieu de conservation : Cité de l'architecture et du patrimoine, Centre d'archives d'architecture du XXe siècle - Cote du document : 079 IFA tiroir 7
- 
                                                                              [Projet de mosaïque murale], 25 juillet 1929
                                                                                                                    
 [Projet de mosaïque murale], dessin (crayon à papier, gouache), s.n. [par Paul Guadet ou la société Bacle et Moulin], s.d. [25 juillet 1929], échelle 1:20.Lieu de conservation : Cité de l'architecture et du patrimoine, Centre d'archives d'architecture du XXe siècle - Cote du document : 079 IFA 106 temp
- 
                                                                              60. Ecole nationale d’Horlogerie de Besançon (Doubs). Façades, Jonction BCF [et] Jonction ACE, 8 novembre 1929
                                                                                                                    
 60. Ecole nationale d’Horlogerie de Besançon (Doubs). Façades, Jonction BCF [et] Jonction ACE, dessin sur calque (plume), par Paul Guadet, 8 novembre 1929, sans échelle (coté), 76 x 85 cm. Cadran solaire à la jonction BCFLieu de conservation : Cité de l'architecture et du patrimoine, Centre d'archives d'architecture du XXe siècle - Cote du document : 079 IFA tiroir 5
- 
                                                                              Ecole nationale de Besançon. Cheminées de l’appartement du directeur, 18 novembre 1929
                                                                                                                    
 Ecole nationale de Besançon. Cheminées de l’appartement du directeur, dessin sur calque (plume, crayon à papier), s.n., s.d. [18 novembre 1929], échelle 1:10, 41 x 70 cmLieu de conservation : Cité de l'architecture et du patrimoine, Centre d'archives d'architecture du XXe siècle - Cote du document : 079 IFA tiroir 5
- 
                                                                              Coupole. Elévation [et] Plan de a, 21 novembre 1929
                                                                                                                    
 Coupole. Elévation [et] Plan de a, dessin (tirage bleu, rehauts de crayon gras), s.n. [par la société G. Prin], s.d. [21 novembre 1929], échelle 1:20, 90 x 42 cm.Lieu de conservation : Cité de l'architecture et du patrimoine, Centre d'archives d'architecture du XXe siècle - Cote du document : 079 IFA 106 temp
- 
                                                                              Equatorial de 150 m/m, 1929
                                                                                                                    
 Equatorial de 150 m/m, dessin (tirage bleu), s.n. [par la société G. Prin], s.d. [1929], échelle 1:10, 49 x 44 cm.Lieu de conservation : Cité de l'architecture et du patrimoine, Centre d'archives d'architecture du XXe siècle - Cote du document : 079 IFA 106 temp
- 
                                                                              [Croquis des aiguilles et du cadran de l’horloge monumentale], 4 février 1930
                                                                                                                    
 [Croquis des aiguilles et du cadran de l’horloge monumentale], dessin sur calque (plume), par la société Ungerer, s.d. [4 février 1930], échelle 1:20Lieu de conservation : Cité de l'architecture et du patrimoine, Centre d'archives d'architecture du XXe siècle - Cote du document : 079 IFA 160 temp
- 
                                                                              Ecole nationale d’horlogerie de Besançon (Doubs). Plan d’ensemble des canalisations, 21 février 1930
                                                                                                                    
 Ecole nationale d’horlogerie de Besançon (Doubs). Plan d’ensemble des canalisations, dessin (tirage à l’ammoniaque), par P. Guadet, 21 février 1930, sans échelle, 80 x 69 cm. Dessin du 4 février 1930 modifié le 21 févrierLieu de conservation : Archives communales, Besançon - Cote du document : 4 M 9
- 
                                                                              39 A. Ecole nationale d’Horlogerie à Besançon. Entrée, 4 juin 1930
                                                                                                                    
 39 A. Ecole nationale d’Horlogerie à Besançon. Entrée, dessin sur calque (plume), par Paul Guadet, 4 juin 1930, échelle 1:20, 61 x 52 cm. Annule le dessin n° 40Lieu de conservation : Cité de l'architecture et du patrimoine, Centre d'archives d'architecture du XXe siècle - Cote du document : 079 IFA tiroir 7
- 
                                                                              Ecole nationale de Besançon. Internat. Croquis de plans, 25 septembre 1930
                                                                                                                    
 Ecole nationale de Besançon. Internat. Croquis de plans, dessin sur calque (plume), par Paul Guadet, 25 septembre 1930, 21 x 27 cm- Rez-de-chaussée, échelle 1:200 - Premier étage [et] Deuxième étage, [échelle 1:200]- [Dessin des croisées de fenêtres], échelle 1:20Lieu de conservation : Cité de l'architecture et du patrimoine, Centre d'archives d'architecture du XXe siècle - Cote du document : 079 IFA 105 temp
- 
                                                                              Ecole nationale d'Horlogerie de Besançon. Internat 3me Etage. [Feuille] 72, 20 novembre 1930
                                                                                                                    
 Ecole nationale d'Horlogerie de Besançon. Internat 3me Etage. [Feuille] 72, dessin (tirage à l'ammoniaque), par Paul Guadet, Paris le 20 novembre 1930, échelle 1/50, 74 x 95,5 cm.Lieu de conservation : Archives du lycée polyvalent Jules Haag, Besançon
- 
                                                                              [Plan et élévation de la cheminée principale du logement du directeur], 24 novembre 1930
                                                                                                                    
 [Plan et élévation de la cheminée principale du logement du directeur], dessin sur calque (plume), par André Boucton, 24 novembre 1930, échelle 1:20Lieu de conservation : Cité de l'architecture et du patrimoine, Centre d'archives d'architecture du XXe siècle - Cote du document : 079 IFA 105 temp
- 
                                                                              Ecole nationale de Besançon [plan-masse et de situation des bâtiments], 1931
                                                                                                                    
 Ecole nationale de Besançon [plan-masse et de situation des bâtiments], dessin imprimé, s.n., 20 janvier 1931. Publié dans La France horlogère, 30e année, n° 10, 15 mai 1931, p. 45.
- 
                                                                              Ecole nationale d’Horlogerie, Mécanique et Bijouterie. Besançon (Doubs). Vue aérienne [vue cavalière], mars 1931
                                                                                                                    
 Ecole nationale d’Horlogerie, Mécanique et Bijouterie. Besançon (Doubs). Vue aérienne [vue cavalière], dessin sur calque (plume), s.n. [par Paul Guadet], s.d. [mars 1931], sans échelle, 39 x 58 cmLieu de conservation : Cité de l'architecture et du patrimoine, Centre d'archives d'architecture du XXe siècle - Cote du document : 079 IFA tiroir 5
- 
                                                                              Ecole Nationale d’Horlogerie de Besançon. Grilles d’Entrée. V. Verdon ferronnier. Monsieur Guadet architecte, 1932
                                                                                                                    
 Ecole Nationale d’Horlogerie de Besançon. Grilles d’Entrée. V. Verdon ferronnier. Monsieur Guadet architecte, photographie, s.n., s.d. [1932]Lieu de conservation : Cité de l'architecture et du patrimoine, Centre d'archives d'architecture du XXe siècle - Cote du document : 079 IFA tiroir 4
- 
                                                                              Ecole nationale d’Horlogerie de Besançon. Avant-projet d’agrandissement du Bat E, 15 juin 1936
                                                                                                                    
 Ecole nationale d’Horlogerie de Besançon. Avant-projet d’agrandissement du Bat E, dessin (tirage à l’ammoniaque, crayon de couleur), par l’architecte SADG André Boucton, Besançon le 15 juin 1936, échelle 1/200, 30,5 x 41 cm- Rez-de-chaussée- 1er étage- 2e étage- 3e étageMention : « Nota : la partie pochée en rouge indique le nouveau bâtiment »Lieu de conservation : Archives du lycée polyvalent Jules Haag, Besançon
- 
                                                                              Internat de l'école nationale d'horlogerie de Besançon [plans], 7 novembre 1938
                                                                                                                    
 Internat de l'école nationale d'horlogerie de Besançon [plans], dessin (tirage à l'ammoniaque), par l'architecte DPLG Louis Sainsaulieu, Paris le 7 novembre 1938, échelle 1/100- Plan des fouilles, 1er novembre 1938, 97 x 105 cm- Sous-sol, 98 x 105,5 cm- Rez-de-chaussée, 96 x 101,5 cm- 1er étage, 97,5 x 106,5 cm- 2ème étage, 98 x 106,5 cm- 3ème étage, 95 x 106,5 cm- 4ème étage, 97 x 106,5 cmLieu de conservation : Archives du lycée polyvalent Jules Haag, Besançon
- 
                                                                              E.N.H. Besançon. Façade sur cour [élévations], 7 novembre 1938
                                                                                                                    
 E.N.H. Besançon. Façade sur cour, dessin (tirage à l'ammoniaque), par l'architecte DPLG Louis Sainsaulieu, Paris le 7 novembre 1938, échelle 1/100- Bâtiment central, 46 x 98,5 cm- Bâtiment directeur, 46 x 69,5 cm- Bâtiment infirmerie, 44,5 x 68 cmLieu de conservation : Archives du lycée polyvalent Jules Haag, Besançon
- 
                                                                              Bureau d'Etudes horlogères. Projet de construction d'ateliers de montage sur l'Ecole nationale d'Horlogerie de Besançon, 1er février 1940
                                                                                                                    
 Bureau d'Etudes horlogères. Projet de construction d'ateliers de montage sur l'Ecole nationale d'Horlogerie de Besançon, dessin (tirage à l’ammoniaque), par l'architecte DPLG Louis Sainsaulieu, Paris le 1er février 1940, échelles 1/200, 1/50 et 1/100- Plan du rez-de-chaussée (parties à construire). [Feuille] 1, échelle 1/200, 91 x 75,5 cm- Plan du rez-de-chaussée (à construire). [Feuille] 3, échelle 1/50, 53 x 74,5 cm- Quatrième étage (à surélever). [Feuille] 2, échelle 1/200, 73,5 x 92,5 cm- Plan partiel du 4me étage. [Feuille] 4, échelle 1/50, 49 x 76 cm- Plans partiels du 4me étage. [Feuille] 5, échelle 1/50, 74,5 x 109 cm- Plan partiel du 4me étage, échelle 1/50, 56 x 79,5 cm- Plan de la toiture. [Feuille] 8, échelle 1/200, 67 x 88,5 cm- Elévations et coupes. [de l'aile nord. Feuille] 7, échelles 1/200, 1/50 et 1/100, 61 x 86 cmLieu de conservation : Archives du lycée polyvalent Jules Haag, Besançon
- 
                                                                              Ecole nationale d'horlogerie de Besançon. Aménagement des locaux du 4ème étage, 3 février 1941
                                                                                                                    
 Ecole nationale d'horlogerie de Besançon. Aménagement des locaux du 4ème étage, dessin (tirage à l'ammoniaque), par l'architecte DPLG Louis Sainsaulieu, Paris le 3 février 1941, échelle 1/50- Feuille 1, le 20 décembre 1940 rectifié le 3 février 1941, 62,5 x 95 cm- Feuille 4. Coupe transversale, 32 x 60 cm- Projet d'installation de l’atelier de menuiserie. Feuille 6, s.d. [1941 ?], 75 x 104 cmLieu de conservation : Archives du lycée polyvalent Jules Haag, Besançon
- 
                                                                              Ecole nationale d'Horlogerie à Besançon. Projet d'installation d'un atelier-école dans l'agrandissement de l'aile N-O, 15 mai 1942
                                                                                                                    
 Ecole nationale d'Horlogerie à Besançon. Projet d'installation d'un atelier-école dans l'agrandissement de l'aile N-O, dessin (tirage à l'ammoniaque, crayon de couleur), par Louis Sainsaulieu architecte du gouvernement, Paris le 15 mai 1942, échelle 1/50- Plan du Rez-de-Chaussée, 54,5 x 104 cm- Plan du Premier Etage, 54,5 x 101 cmLieu de conservation : Archives du lycée polyvalent Jules Haag, Besançon
- 
                                                                              Ecole nationale d’horlogerie à Besançon. Agrandissement et surélévation de l’aile N.O, 10 mars 1948
                                                                                                                    
 Ecole nationale d’horlogerie à Besançon. Agrandissement et surélévation de l’aile N.O, dessin (tirage à l’ammoniaque), par l’architecte DPLG Louis Sainsaulieu, Paris le 10 mars 1948, échelle 1/200, 58 x 72 cmLieu de conservation : Archives du lycée polyvalent Jules Haag, Besançon
- 
                                                                              Agrandissement et surélévation de l'aile nord de l'Ecole nationale d'Horlogerie de Besançon, août 1950
                                                                                                                    
 Agrandissement et surélévation de l'aile nord de l'Ecole nationale d'Horlogerie de Besançon, dessin sur calque (plume), par l'architecte DPLG René Tournier, Besançon août 1950, 1/100- 756. Caves [et] Entrée logements et entresol culture physique, 52,5 x 89,5 cm- 757. Plan du premier étage, formant rez-de-chaussée à l'extrémité ouest de l'aile, 53 x 89,5 cm- 758. Plan du deuxième étage, 53 x 72,5 cm- 759. Entresol entre 2e et 3e étage, 49 x 72,5 cm- 760. Plan du troisième étage, 53 x 73 cm- 761. Plan du quatrième étage, vers l'ouest, 53 x 89,5 cm- 762. Plan du quatrième étage, vers l'est, 53 x 97,5 cmLieu de conservation : Archives du lycée polyvalent Jules Haag, Besançon
- 
                                                                              [Plan d’affectation des locaux], [décennie 1950]
                                                                                                                    
 [Plan d’affectation des locaux], dessin sur calque (plume), s.n. [par René Tournier ?], s.d. [décennie 1950], sans échelle, 31,5 x 66 cm- Rez-de-chaussée [actuel et projeté]- 1er étage [actuel et projeté]Lieu de conservation : Archives du lycée polyvalent Jules Haag, Besançon
- 
                                                                              Remise en état de l'ancien réfectoire de l'Ecole nationale d'Horlogerie de Besançon (premier étage de l'aile centrale). [Feuille] 1017, décembre 1955
                                                                                                                    
 Remise en état de l'ancien réfectoire de l'Ecole nationale d'Horlogerie de Besançon (premier étage de l'aile centrale). [Feuille] 1017, dessin (tirage), par l’architecte DPLG René Tournier, Besançon décembre 1955, échelle 1/100, 65 x 102,5 cmLieu de conservation : Archives du lycée polyvalent Jules Haag, Besançon
- 
                                                                              Ecole nationale d'Horlogerie de Besançon. Avant-projet d'internat. Rez-de-chaussée. [Feuille] 1046, août 1956
                                                                                                                    
 Ecole nationale d'Horlogerie de Besançon. Avant-projet d'internat. Rez-de-chaussée. [Feuille] 1046, dessin (tirage), par l'architecte DPLG René Tournier, Besançon août 1956, échelle 1/200, 66,5 x 101 cmNote au stylo rouge : « Nul remplacé par nouveau plan Nov 1957 »Lieu de conservation : Archives du lycée polyvalent Jules Haag, Besançon
- 
                                                                              Ecole nationale d’Horlogerie de Besançon. Projet d’internat, novembre 1957 (rectifié mai 1958)
                                                                                                                    
 Ecole nationale d’Horlogerie de Besançon. Projet d’internat, dessin (tirage) par l’architecte René Tournier, novembre 1957 (rectifié mai 1958), échelles 1:1000 (plan de situation) et 1:500, 60 x 95 cmLieu de conservation : Région Franche-Comté, Archives, Besançon
- 
                                                                              [Ensemble de plans avec identification des locaux et de leur superficie], 6 juin 1969
                                                                                                                    
 [Ensemble de plans avec identification des locaux et de leur superficie], dessin (tirage), s.n. [par le cabinet Tournier ?], 6 juin 1969, échelle 1:500, 30 x 42 cmLieu de conservation : Région Franche-Comté, Archives, Besançon
- 
                                                                              [Ensemble de plans, coupes et élévations accompagnant l’avant-projet détaillé de restructuration des locaux], 1983
                                                                                                                    
 [Ensemble de plans, coupes et élévations accompagnant l’avant-projet détaillé de restructuration des locaux], dessin (tirage), par les architectes Jacques Tournier et Yves Delin, 1983, échelles diversesLieu de conservation : Région Franche-Comté, Archives, Besançon
- 
                                                                              Album [de photographies]. Ecole nationale d’Horlogerie et de Mécanique de précision, 1880-1922
                                                                                                                    
 Album [de photographies]. Ecole nationale d’Horlogerie et de Mécanique de précision. - S.l. [Besançon], 1880-1922. 37 f. : tout en ill. ; 27 x 38 cm.Album de photographies, sans mention d’auteur, donnant des vues extérieures et intérieures de l’école dans le Grenier d’Abondance, des portraits de professeurs, de groupes d’élèves et professeurs, etc. Notamment :- Années scolaires 1876 à 81 [groupe d’élèves et professeurs]- Années scolaires 1882-84 [groupe d'élèves et professeurs]- Année scolaire 1898-1899. Bâtiment - Personnel - Elèves - Année scolaire 1898-1899. Personnel [avec le directeur Fénon au centre]- Année scolaire 1898-1899 [groupe d’élèves et professeurs] - Année scolaire 1898-1899. Classe d’outillage- Année scolaire 1898-1899. Classe d’ébauches - Année scolaire 1898-1899. Classes d’échappements, finissages, repassages- Année scolaire 1898-1899. Classe de gravure - Année scolaire 1908-1909. Classe d’ébauches et de mécanique- Atelier de fabrication mécanique de la montre, s.d. [1er quart 20e siècle ?] - Année scolaire 1916-1917 [l’atelier de mécanique]. Document reproduit par l’Observatoire de Besançon (négatif sur plaque de verre, 13 x 18 cm)- Année scolaire 1920-21 - Personnel et élèvesLieu de conservation : Archives du lycée polyvalent Jules Haag, Besançon
- 
                                                                              Ecole Nationale d'Horlogerie. Besançon 1927-1928 [Le directeur Louis Trincano et un groupe d'élèves, au Grenier au blé]
                                                                                                                    
 Ecole Nationale d'Horlogerie. Besançon 1927-1928 [Le directeur Louis Trincano et un groupe d'élèves, au Grenier au blé], photographie, par Tourte et Petitin, 16 x 22 cmLieu de conservation : Archives du lycée polyvalent Jules Haag, Besançon
- 
                                                                              [Deux photographies montrant l'école en construction], septembre 1927
                                                                                                                    
 [Deux photographies montrant l'école en construction], photographie, s.n., septembre 1927, 18 x 24 cmLieu de conservation : Archives du lycée polyvalent Jules Haag, Besançon
- 
                                                                              Nouvelle Ecole d’horlogerie le 4 Novembre 1927 15 h
                                                                                                                    
 Nouvelle Ecole d’horlogerie le 4 Novembre 1927 15 h., dessin imprimé, par l’abbé Jean Garneret. Publié dans : Garneret, Jean. Images de Besançon. - [Besançon] : Folklore comtois, 1994, p. 412.
- 
                                                                              Ecole d’horlogerie 16 mars 1928
                                                                                                                    
 Ecole d’horlogerie 16 mars 1928, dessin imprimé, par l’abbé Jean Garneret. Publié dans : Garneret, Jean. Images de Besançon. - [Besançon] : Folklore comtois, 1994, p. 413.
- 
                                                                              [L’école en construction, vue du nord-est], avril-mai 1928
                                                                                                                    
 [L’école en construction, vue du nord-est], photographie (tirage noir et blanc), s.n., s.d. [avril-mai 1928], 12 x 17 cmLieu de conservation : Cité de l'architecture et du patrimoine, Centre d'archives d'architecture du XXe siècle - Cote du document : 079 IFA 200 temp
- 
                                                                              [L'école en construction : étage de la barre du A], juin 1928
                                                                                                                    
 [L'école en construction : étage de la barre du A], photographie, s.n., s.d. [juin 1928], 12 x 17,5 cmLieu de conservation : Archives du lycée polyvalent Jules Haag, Besançon
- 
                                                                              273. Besançon. - Ecole Nationale d’Horlogerie [vue d’ensemble, depuis l’est], 1931 ou 1932
                                                                                                                    
 273. Besançon. - Ecole Nationale d’Horlogerie [vue d’ensemble, depuis l’est], carte postale, s.n., s.d. [1931 ou 1932], C. Lardier éd. à BesançonLieu de conservation : Collection particulière : François Jacoutot, Besançon
- 
                                                                              278. - Besançon. - Ecole Nationale d’Horlogerie [l’entrée, avec des ouvriers], 1931 ou 1932
                                                                                                                    
 278. - Besançon. - Ecole Nationale d’Horlogerie [l’entrée, avec des ouvriers], carte postale, s.n., s.d. [1931 ou 1932], C. Lardier éd. à BesançonLieu de conservation : Collection particulière : François Jacoutot, Besançon
- 
                                                                              [Vues extérieures et intérieures de l’école], vers 1932
                                                                                                                    
 [Vues extérieures et intérieures de l’école], photographie, s.n. [par Jules Manias ?], s.d. [vers 1932], plaques de verre 13 x 18 cm- [Vue d’ensemble, depuis le nord-est], plaque de verre 10 x 15 cm. Inscriptions au verso : " 629 161 Besançon " (inversé) du " 161 CAP " en bas. Angle inférieur droit ébréché. Document présent dans le fonds Paul Guadet (IFA : 200 temp) avec la légende Besançon - la nouvelle école, tirage noir du blanc 12 x 16 cm. Egalement décliné sous forme d’une carte postale coloriée : 161 Besançon. Nouvelle Ecole d’Horlogerie (Guadet architecte), Les Belles Editions françaises à Nice, Adia impr. à Nice (Collection particulière : François Jacoutot, Besançon)- [Vue plongeante sur la façade sur la cour de l’aile sud, la terrasse du le lanterneau de la traverse C]. Inscriptions au verso : " 763 Besançon " en haut, " 401 be " à gauche- [L’escalier d’honneur, depuis le hall d’entrée]. Inscriptions au verso : " 396 be " en bas, " 767 Besançon " à gauche- [La salle du conseil, au rez-de-chaussée de l’aile nord]. Inscriptions : " 768 Besançon " en haut, " 397 be 397 " à gauche- [L’un des ateliers d’horlogerie]. Inscriptions au verso : " 773 Besançon " en haut, " 392 be " à gauche- [Le réfectoire, au 1er étage de la cédille]. Inscriptions au verso : " 769 Besançon " en haut, " 393 be " à gauche- [Les cuisines, au rez-de-chaussée de la cédille]. Inscription au verso : " 771 Besançon " en hautLieu de conservation : Région Bourgogne-Franche-Comté, Inventaire et Patrimoine, Besançon - Cote du document : Fonds Manias
- 
                                                                              Ecole nationale d’Horlogerie et de Mécanique de précision [vue d’ensemble depuis l’est], vers 1933
                                                                                                                    
 Ecole nationale d’Horlogerie et de Mécanique de précision [vue d’ensemble depuis l’est], photographie, s.n., s.d. [vers 1933]. Extraite de : Ministère de l’Instruction publique et des Beaux-Arts. Université de Besançon. Photographies, [vers 1933].Lieu de conservation : Archives départementales du Doubs, Besançon - Cote du document : 68 J 1
- 
                                                                              Ecole nationale de Besançon [recueil de photographies imprimées], 1933 ?
                                                                                                                    
 Ecole nationale de Besançon [recueil de photographies imprimées]. - Paris : Levallois : H. Tourte et M. Petitin, s.d. [1933 ?]. [12 p.] : tout en ill. ; 19,5 x 28,5 cm. Recueil édité à l'occasion de l'inauguration de l'école ?- Entrée et façade extérieure- Une cour intérieure- Vue prise des dortoirs- Atelier d'horlogerie. - 1re année - Atelier d'horlogerie. - 3me année- Atelier de mécanique de précision- Atelier de mécanique. - Machines-outils - Atelier de mécanique. - Ajustage et tournage- Salle de conférences et de projections- Réfectoire- Un dortoirLieu de conservation : Collection particulière : François Jacoutot, Besançon
- 
                                                                              Institut de Chronométrie (aile gauche de l’Ecole nationale), vers 1933
                                                                                                                    
 Institut de Chronométrie (aile gauche de l’Ecole nationale), photographie, par Meusy, s.d. [vers 1933]. Extraite de : Ministère de l’Instruction publique et des Beaux-Arts. Université de Besançon. Photographies, [vers 1933].Lieu de conservation : Archives départementales du Doubs, Besançon - Cote du document : 68 J 1
- 
                                                                              [Inauguration officielle de l'école en présence du président de la République Albert Lebrun, le 2 juillet 1933]
                                                                                                                    
 [Inauguration officielle de l'école en présence du président de la République Albert Lebrun, le 2 juillet 1933], tirage photographique, 17 x 23,5 cm. " Dimanche 2 juillet 1933, dans la cour de l'école nationale, M. le recteur Alengry prononce son discours. "Lieu de conservation : Archives départementales du Doubs, Besançon - Cote du document : 68 J 1
- 
                                                                              Visite intérieure de l'Ecole par M. le Président de la République [le 2 juillet 1933]
                                                                                                                    
 Visite intérieure de l'Ecole par M. le Président de la République [le 2 juillet 1933]. In : Inauguration de la nouvelle Ecole nationale d'Horlogerie. La France horlogère, n° 14, 32e année, 15 juillet 1933, p. 26.
- 
                                                                              L'enseignement pratique se divise en six périodes, 2e quart 20e siècle
                                                                                                                    
 L'enseignement pratique se divise en six périodes, photographie d'un panneau d'exposition, par E. Mauvillier, s.d. [milieu 20e siècle], 18 x 24 cm.Lieu de conservation : Archives du lycée polyvalent Jules Haag, Besançon
- 
                                                                              [Le directeur de l'école d'Horlogerie Louis Bastian], 1946
                                                                                                                    
 [Le directeur de l'école d'Horlogerie Louis Bastian], photographie, par Tourte et Petitin, 1946, 17,5 x 22,5 cm. Inscription au stylo : " Tourte & Petitin / Levallois Paris / 1946 "Lieu de conservation : Archives du lycée polyvalent Jules Haag, Besançon
- 
                                                                              Besançon (Doubs). 11234 - Vue aérienne - L'Ecole d'Horlogerie [depuis l'est], entre 1945 et 1953
                                                                                                                    
 Besançon (Doubs). 11234 - Vue aérienne - L’École d'Horlogerie [depuis l'est], carte postale, par Rancurel (photographe), s.d. [entre 1945 et le 3 juillet 1953], Ed. aériennes " CIM ", Combier impr. à MâconLieu de conservation : Collection particulière : François Jacoutot, Besançon
- 
                                                                              [Intérieur d'un atelier d'horlogerie ou de mécanique de précision], milieu 20e siècle
                                                                                                                    
 [Intérieur d'un atelier d'horlogerie ou de mécanique de précision], photographie, s.n., s.d. [milieu 20e siècle], Agence française de Reportage photographique Mondial Photo-presse (34 rue Vivienne, à Paris).Lieu de conservation : Collection particulière : François Jacoutot, Besançon
- 
                                                                              La Franche-Comté pittoresque. Besançon. 25.999.53 - L’Ecole Nationale d’Horlogerie [vue d’ensemble, depuis l’est], décennie 1950
                                                                                                                    
 La Franche-Comté pittoresque. Besançon. 25.999.53 - L’Ecole Nationale d’Horlogerie [vue d’ensemble, depuis l’est], carte postale en couleur, s.n., s.d. [décennie 1950], Editions « La Cigogne » à Strasbourg.Lieu de conservation : Collection particulière : François Jacoutot, Besançon
- 
                                                                              [Vue aérienne du quartier du de l'école, depuis l'ouest], 1956
                                                                                                                    
 [Vue aérienne du quartier du de l'école, depuis l'ouest], photographie, 1956, par Roger Henrard, négatif 18 x 24 cmLieu de conservation : Région Bourgogne-Franche-Comté, Inventaire et Patrimoine, Besançon - Cote du document : Fonds Henrard, HE250049N
- 
                                                                              [Le professeur Jacques Déliou (en blouse blanche) et un élève dans les années 1960].
                                                                                                                    
 [Le professeur Jacques Déliou (en blouse blanche) et un élève dans les années 1960], photographie, par H. Labaye, s.d. [décennie 1960], 11 x 14,5 cmLieu de conservation : Archives du lycée polyvalent Jules Haag, Besançon
- 
                                                                              [Photo de groupe devant l'entrée de l'école (à l'occasion de son centenaire en 1962 ?)]
                                                                                                                    
 [Photo de groupe devant l'entrée de l'école (à l'occasion de son centenaire en 1962 ?)], photographie, s.n., s.d. [1962 ?]Lieu de conservation : Collection particulière : François Jacoutot, Besançon
- 
                                                                              [Deux vues aériennes de l’école du du quartier, depuis l’est], 1993
                                                                                                                    
 [Deux vues aériennes de l’école du du quartier, depuis l’est], photographie, par Jean-Pierre Bévalot, 1993, diapositives 24 x 36 mmLieu de conservation : Région Bourgogne-Franche-Comté, Inventaire et Patrimoine, Besançon
- 
                                                                              [Intérieurs du plateau microtechnique avant rénovation], 2007
                                                                                                                    
 [Intérieurs du plateau microtechnique avant rénovation], photographie, par Yves Sancey, 2007Lieu de conservation : Région Bourgogne-Franche-Comté, Inventaire et Patrimoine, Besançon
- 
                                                                              Agorha (Accès global et organisé aux ressources en histoire de l'art)
                                                                                                                    
 Agorha (Accès global et organisé aux ressources en histoire de l'art) : base de données de Institut national d'Histoire de l'Art consultable en ligne (http://agorha.inha.fr)
- 
                                                                              Bastian, Louis. L’Ecole Nationale Professionnelle d’Horlogerie de Besançon, 1949
                                                                                                                    
 Bastian, Louis. L’Ecole Nationale Professionnelle d’Horlogerie de Besançon. L’Opinion économique et financière, 2e année, n° 2, juillet 1949, p. 20-21 : ill.
- 
                                                                              Belmont, Henry-Louis. La montre : méthodes & outillages de fabrication du XVIe au XIXe siècle : de la naissance de la montre à la période proto-industrielle, 1991
                                                                                                                    
 Belmont, Henry-Louis. La montre : méthodes & outillages de fabrication du XVIe au 19e siècle : de la naissance de la montre à la période proto-industrielle. - Besançon : Cêtre, 1991. 199 p. : ill. ; 28 cm
- 
                                                                              Bénézit, Emmanuel. Dictionnaire critique et documentaire des peintres, sculpteurs, dessinateurs et graveurs de tous les temps et de tous les pays, 1976
                                                                                                                    
 Bénézit, Emmanuel. Dictionnaire critique et documentaire des peintres, sculpteurs, dessinateurs et graveurs de tous les temps et de tous les pays [...] 3e éd. rev. et corr. - Paris : Gründ, 1976. 10 vol. ; 25 cm.
- 
                                                                              Besançon, Musée du Temps. L'Horlo : l'Ecole d'horlogerie de Besançon, 2013
                                                                                                                    
 Besançon, Musée du Temps. L'Horlo : l'Ecole d'horlogerie de Besançon : . - Heule : Snoeck, 2013. 139 p. : ill. ; 24 cm + 1 DVD. Publié à l'occasion de l'exposition : Besançon, Musée du Temps, 6 décembre 2013-30 mars 2014.
- 
                                                                              Bodé, Gérard. Chronologie de l’enseignement technique, 2002
                                                                                                                    
 Bodé, Gérard. Chronologie de l’enseignement technique. - S.n. [Institut national de Recherche pédagogique], s.d. [2002]. 23 p. ; 30 cm. Document publié sur le site de l’INRP (http://www.inrp.fr/she/fichiers_rtf_pdf/bode_%20chronologie_et.pdf)
- 
                                                                              Briselance, Claude. Les écoles d'horlogerie de Besançon : une contribution décisive au développement industriel local et régional (1793-1974), 2015
                                                                                                                    
 Briselance, Claude. Les écoles d'horlogerie de Besançon : une contribution décisive au développement industriel local et régional (1793-1974). - S.l. [Besançon] : [s.n.], 2015. 3 vol. (1537 - 419 p.) : ill. ; 30 cm. Th. doct. : Hist. : Université de Lyon, Ecole doctorale, sciences sociales (E.D. 483), Laboratoire d'études rurales et espaces ruraux de l'Europe contemporaine (19e-21e siècles), 2015.
- 
                                                                              Cadilhac, Paul-Émile. Le palais de l'heure, 10 décembre 1932
                                                                                                                    
 Cadilhac, Paul-Émile. Le palais de l'heure. L'Illustration, n° 4684, 10 décembre 1932, p. 513-516 : ill.Lieu de conservation : Collection particulière : François Jacoutot, Besançon
- 
                                                                              Cent cinquantenaire de la fabrique d'horlogerie de Besançon, 1943
                                                                                                                    
 Cent cinquantenaire de la fabrique d'horlogerie de Besançon. - S.l. [Besançon] : impr. Millot Frères, 1943, 40 p. [Plaquette souvenir éditée par le syndicat de la fabrique d'horlogerie de Besançon à l'occasion du cent cinquantième anniversaire de la fondation de la fabrique d'horlogerie de Besançon].
- 
                                                                              Cretin, Hélène. Georges Laëthier (1875-1951) : sculpteur franc-comtois et professeur à l’Ecole des Beaux-Arts de la ville de Besançon, 1994
                                                                                                                    
 Cretin, Hélène. Georges Laëthier (1875-1951) : sculpteur franc-comtois et professeur à l’Ecole des Beaux-Arts de la ville de Besançon. - Besançon : 1994. 2 vol. : ill. ; 30 cm. Mém. de maîtrise : Hist. Art : Besançon : 1994 ; 88
- 
                                                                              Donat, André. M. Jules Haag, mars 1953
                                                                                                                    
 Donat, André. M. Jules Haag. Production horlogère française, n° 3, mars 1953, p. 2.Lieu de conservation : Archives du lycée polyvalent Jules Haag, Besançon
- 
                                                                              Donzé, Pierre-Yves. La création des écoles d’horlogerie, 2009
                                                                                                                    
 Donzé, Pierre-Yves. La création des écoles d’horlogerie. Watch Around, s.d. [2009 ?]. Article publié sur le site Horlogerie-Suisse.com (http://www.horlogerie-suisse.com/articles/watcharound/La-creation-des-ecoles-d-horlogerie-m11707.html)
- 
                                                                              Ecole d’Horlogerie de Besançon, 1962
                                                                                                                    
 Ecole d’Horlogerie de Besançon. - S.l. [Besançon] : s.n., s.d. [1962]. 35 p. ; 22 cm. Plaquette éditée pour le centenaire de l’école (consultée sous forme d’une photocopie [partielle ?])Lieu de conservation : Archives du lycée polyvalent Jules Haag, Besançon
- 
                                                                              Estavoyer, Lionel. Marcel Boutterin 1842-1915, 2005
                                                                                                                    
 Estavoyer, Lionel. Marcel Boutterin 1842-1915. In : Donation Maria-Catherine Boutterin : Marcel et Maurice Boutterin, deux architectes bisontins au travail, 1872-1932 : exposition, musée des Beaux-Arts et d’Archéologie, Besançon, 25 mars-9 mai 2005 / organisée par le musée des Beaux-Arts et d’Archéologie et la bibliothèque municipale de Besançon. - Besançon : Ville de Besançon, 2005, p. 21 : ill.
- 
                                                                              Galli, Roland ; Sancey, Yves. Patrimoine du XXe siècle en Franche-Comté, 2009
                                                                                                                    
 Galli, Roland ; Sancey, Yves. Patrimoine du XXe siècle en Franche-Comté. - Besançon : Néo Editions, 2009. 177 p. : ill. ; 27 cm.
- 
                                                                              Guadet, Paul. L’esthétique du béton armé , 1926
                                                                                                                    
 Guadet, Paul. L’esthétique du béton armé. L’Emulation, 1926 : ill. (Tiré à part)Lieu de conservation : Cité de l'architecture et du patrimoine, Centre d'archives d'architecture du XXe siècle - Cote du document : 79 IFA 18
- 
                                                                              Gutton-Bon, Véronique. 1850-1950 : 100 ans d’architecture dans le Doubs, 1987
                                                                                                                    
 Gutton-Bon, Véronique. 1850-1950 : 100 ans d’architecture dans le Doubs. - [Besançon] : [Conseil d’Architecture et d’Environnement du Doubs], 1987. 195 p. : ill. ; 21 cm.
- 
                                                                              Hommage à quatre sculpteurs oubliés : Marguerite Syamour (1857-1945), Anne de Chardonnet (1869-1926), René de Chateaubrun (1875-1942), Georges Laëthier (1875-1955) : [exposition : Musée des Beaux-Arts et d’Archéologie de Besançon, 29 juin-2 décembre 1996
                                                                                                                    
 Hommage à quatre sculpteurs oubliés : Marguerite Syamour (1857-1945), Anne de Chardonnet (1869-1926), René de Chateaubrun (1875-1942), Georges Laëthier (1875-1955) : [exposition : Musée des Beaux-Arts et d’Archéologie de Besançon, 29 juin-2 décembre 1996]. - Besançon : Musée des Beaux-Arts et d’Archéologie de Besançon, 1996. 126 p. : ill. ; 30 cm.
- 
                                                                              Inauguration de la nouvelle Ecole nationale d'Horlogerie, 15 juillet 1933
                                                                                                                    
 Inauguration de la nouvelle Ecole nationale d'Horlogerie. La France horlogère, n° 14, 32e année, 15 juillet 1933, p. 26-27 : ill.
- 
                                                                              Lidoine, Pierre. L’école d’horlogerie de Besançon, le lycée Jules Haag, 1862-1932-2002, 2002
                                                                                                                    
 Lidoine, Pierre. L’école d’horlogerie de Besançon, le lycée Jules Haag, 1862-1932-2002. - Morez : Impr. la Biennoise, 2002. 61 p. : ill. ; 27 cm.
- 
                                                                              Mayaud, Jean-Luc. Besançon horloger : 1793-1914, 1994
                                                                                                                    
 Mayaud, Jean-Luc. Besançon horloger : 1793-1914. - Besançon : Musée du temps, 1994. 124 p. : ill. ; 21 cm.
- 
                                                                              Meylan, Françoise. De l’école nationale professionnelle au baccalauréat de technicien ou l’évolution d’une filière de l’enseignement technique, 1983
                                                                                                                    
 Meylan, Françoise. De l’école nationale professionnelle au baccalauréat de technicien ou l’évolution d’une filière de l’enseignement technique. Formation Emploi, octobre-décembre 1983, n° 4, p. 29-46 : ill. Document publié sur le site du Centre d’Etudes et de Recherche sur les Qualifications [Céreq] (http://portail.cereq.fr/FEM/FEM43.pdf)
- 
                                                                              La nouvelle Ecole d’Horlogerie, 1927
                                                                                                                    
 La nouvelle Ecole d’Horlogerie. Le Petit Comtois, 22 août 1927, ill.
- 
                                                                              La nouvelle Ecole nationale d’Horlogerie, de Mécanique et de Bijouterie de Besançon, 1931
                                                                                                                    
 La nouvelle Ecole nationale d’Horlogerie, de Mécanique et de Bijouterie de Besançon. La France horlogère, 30e année, n° 10, 15 mai 1931, p. 45-46 : ill.
- 
                                                                              Poupard, Laurent. L'Ecole d'horlogerie de Besançon, le lycée Jules Haag, 2012
                                                                                                                    
 Poupard, Laurent. L'Ecole d'horlogerie de Besançon, le lycée Jules Haag / collab. Sandrine Bermont, Thomas Charenton, François Jacoutot [et al.] ; photogr. Y. Sancey avec la collab. de Jérôme Mongreville et Marc Loukachine. - Lyon : Lieux Dits, 2012. 50 p. : ill. ; 23 cm. (Parcours du patrimoine ; 378)
- 
                                                                              Poupard, Laurent. L'Horlo, Ecole d'horlogerie de Besançon, mars 2012
                                                                                                                    
 Poupard, Laurent. L'Horlo, Ecole d'horlogerie de Besançon. In Renaissance du Vieux Besançon, n° 52, mars 2012, p. 15-17 : ill.
- 
                                                                              Poupard, Laurent. Paul Guadet et les écoles nationales d’Horlogerie de Besançon et d’Optique de Morez, 2011
                                                                                                                    
 Poupard, Laurent. Paul Guadet et les écoles nationales d’Horlogerie de Besançon et d’Optique de Morez. In Situ, revue des patrimoines, n° 15, 2011. Consultable en ligne : http://insitu.revues.org/730
- 
                                                                              R.D. La nouvelle Ecole nationale d’Horlogerie, de Mécanique et de Bijouterie de Besançon. Un entretien avec M. Trincano, directeur, 1931
                                                                                                                    
 R.D. La nouvelle Ecole nationale d’Horlogerie, de Mécanique et de Bijouterie de Besançon. Un entretien avec M. Trincano, directeur. La France horlogère, 30e année, n° 9, 1er mai 1931, p. 52-53 : ill.
- 
                                                                              Roche, Max, Vernus, Michel. Dictionnaire biographique du département du Doubs, 1996
                                                                                                                    
 Roche, Max ; Vernus, Michel. Dictionnaire biographique du département du Doubs. - Lons-le-Saunier : Arts et littérature, 1996. 532 p. : ill. ; 24 cm.
- 
                                                                              Schlumberger, René. Un nouvel observatoire à Mulhouse, 1928
                                                                                                                    
 Schlumberger, René. Un nouvel observatoire à Mulhouse. L’Astronomie, 42e année, août 1928, p. 399-402 : ill.
- 
                                                                              Trincano, Louis. L'école nationale d'horlogerie, de mécanique et de précision de Besançon. Son histoire, son enseignement, 1923
                                                                                                                    
 Trincano, Louis. L'école nationale d'horlogerie, de mécanique et de précision de Besançon. Son histoire, son enseignement. In Le département du Doubs. - [S.l.] : [s.n.], 1923 : ill. N° spécial de « L’Illustration économique et financière », supplément du 4 août 1923
- 
                                                                              Trincano, Louis. Que sera la nouvelle Ecole d’Horlogerie ?, 1931
                                                                                                                    
 Trincano, Louis. Que sera la nouvelle Ecole d’Horlogerie ? La Dépêche républicaine de Franche-Comté, 25 mars 1931, ill.
- 
                                                                              Trincano, Louis. Pages d’histoire de l’Industrie Horlogère, 1944
                                                                                                                    
 Trincano, Louis. Pages d’histoire de l’Industrie Horlogère. Annales françaises de Chronométrie, 14e année, 1er et 2e trimestres 1944, n° 1 et 2, p. 175-210.
- 
                                                                              Jacoutot François (témoignage oral)
                                                                                                                    
 Jacoutot François, chef des travaux du lycée Jules Haag, à Besançon
- 
                                                                              Petitcolin Jean-Claude (témoignage oral)
                                                                                                                    
 Petitcolin Jean-Claude, architecte à Lure
À voir
Informations complémentaires
L’industrie horlogère est implantée à Besançon en 1793, sur l’initiative de la jeune République française qui fait venir une forte colonie suisse (près de 1850 personnes sur les 22 000 que compte la ville) conduite par Laurent Mégevand (1754-1814). Si la manufacture nationale fondée alors est un échec, elle permet la création de la « fabrique » bisontine, associant « l’ensemble des unités de production, d’établissage et de commerce qui relèvent du secteur horloger dans la ville – ainsi que les ateliers ruraux et double-actifs qui approvisionnent Besançon ».
Transmission et amélioration du savoir-faire nécessitent rapidement d’aller au-delà du simple apprentissage. Dès 1832, la Chambre de commerce réclame une école d’horlogerie. Elle ne l’obtient pas, alors que Morteau a gain de cause en 1836. En novembre 1844, l’abbé Célestin Faivre, aumônier de l’hospice de Bellevaux, ouvre pour les plus démunis – sous le nom d’Oeuvre de Saint-Joseph – une telle école dans l’ancien couvent des petits carmes de Battant (au 48 rue Battant). Le prospectus rédigé alors évoque un enseignement où la théorie complète la pratique, le tout en se préoccupant au premier chef de la moralité des élèves : « L’initiation routinière aux métiers n’est plus de notre siècle, et tout ouvrier doit acquérir préalablement ou simultanément l’instruction professionnelle à un bon apprentissage ; il est des connaissances qui l’abrègent et le perfectionnent ; l’apprenti ne peut borner ses vues à la qualité d’ouvrier, il doit aspirer à devenir à son tour un maître intelligent. On a organisé un cours d’études qu’on fait marcher de pair avec le travail de l’atelier ». L’entreprise est éphémère : bien que comptant 40 apprentis horlogers au 1er novembre 1845 (sur 63 élèves), elle disparaît en 1848 victime, selon certains, d’un excès de charité qui occasionna un trop grand déficit de fonctionnement.
La population horlogère se monte à 3 500 personnes en 1848. La production annuelle, connue pour les seules montres en or ou argent, est de près de 95 000 en 1853, à comparer aux 5700 de l’an II (1793-1794), aux 15 900 de l’an V (1796-1797) puis aux 25 300 de l’an XIII (1804-1805). L’essor se poursuit, qui donne à Besançon un quasi monopole de la fabrication des montres en France : ainsi, sur 310 849 montres en or ou argent fabriquées dans le pays en 1866, la ville en fournit 305 435 (soit 98 %) !
La nécessité d’une école d’horlogerie se fait criante. L’exposition universelle organisée à Besançon en 1860 est l’occasion de le rappeler. Sollicité, l’Etat refuse cependant toute aide : il veut privilégier l’établissement fondé douze ans auparavant à Cluses, ville d’un duché de Savoie qui vient d’être rattaché à la France cette même année 1860. Introduite dans la vallée de l’Arve en 1720, l’industrie horlogère y fut soutenue par la création, le 31 mars 1848 par Charles-Albert de Piémont-Sardaigne, d’une école royale d’horlogerie. Napoléon III prend cet établissement en compte par son décret du 30 novembre 1863 (ses nouveaux bâtiments seront inaugurés en 1886).
1. La création de l'école municipale d'horlogerie en 1862
La municipalité doit donc se résoudre à fonder sa propre école.
Le 21 décembre 1860, la commission du conseil municipal chargée du projet de création d’une école d’horlogerie rend son rapport. Rappelant le succès de l’exposition universelle, elle souhaite que Besançon devienne en matière d’horlogerie « le marché industriel de la France et de l’Europe », ce que permettrait la future école.
Elle met en lumière « la défectuosité des apprentissages » : « Les enfants sont habituellement admis dans les ateliers après leur première communion, c’est-à-dire vers l’âge de douze ans ; ils savent alors à peine lire et écrire et calculer. La durée de l’apprentissage est en moyenne de trois ans. Pendant la première année, l’enfant n’est guère qu’un commissionnaire ; on l’emploie à toute sorte d’ouvrages qui n’ont souvent trait que fort indirectement à la profession qu’il est censé apprendre ; ce qu’il a pu acquérir de connaissances élémentaires dans nos écoles publiques est chaque jour oublié ; suivant son degré d’intelligence ou d’aptitude, on lui fait faire une partie quelconque de la montre ; tout est machinal dans cette éducation professionnelle, et, à la fin de son temps, l’enfant, devenu un ouvrier plus que médiocre, sans avenir, sans instruction, incapable de tout progrès, est condamné à végéter chez des patrons qu’il ne saura jamais satisfaire. » Pensant que « pour lutter contre l’invasion toujours croissante des mauvais ouvriers il importe de constituer de toutes pièces un enseignement professionnel, de créer enfin une école théorique et pratique », qui, de plus, aurait un effet moralisateur en maintenant les apprentis dans le droit chemin, elle ajoute : « L’horlogerie est en effet un art et non un métier ; or tout art doit être enseigné : comme art, l’horlogerie ouvre une vaste carrière aux esprits inventifs, aux hommes laborieux ; mais il faut dégager les uns et les autres des entraves de la routine qui abaisse le niveau intellectuel, qui fait de l’homme un outil, une machine. »
L’enseignement théorique devrait pouvoir être suivi par « ceux des ouvriers de la fabrique, visiteurs de maisons, établisseurs ou autres, qui sentiraient la nécessité d’acquérir les connaissances indispensables à l’exercice intelligent et raisonné de leur partie ». « Nous n’avons rien prévu pour l’apprentissage des jeunes filles ; le mode d’éducation théorique et pratique que nous venons d’exposer ne serait peut-être pas facilement accepté, dans l’état de nos mœurs et de nos habitudes, par les personnes du sexe féminin ; toutefois pour ne pas tenir celles-ci en dehors de tout encouragement, nous admettrions que des primes pourraient être accordées par la Ville aux maîtresses ouvrières qui seraient signalées par des soins constants et des succès reconnus dans l’apprentissage des jeunes filles. » Notons toutefois qu’à l’école d’horlogerie de Genève, des classes de filles ont été créées dès 1844.
La commission propose que l’école soit hébergée dans le « Grenier de la Ville » : « une institution qui a vie et durée doit trouver sa place dans un édifice dont l’aspect architectural est si bien en rapport avec l’importance du but que nous avons en vue ». Ce bâtiment est imposant : l’école, qui pourrait y accueillir de 36 à 48 élèves, n’apparaîtra donc pas comme un établissement de second ordre. De fait, l’ancien « Grenier d’Abondance » est situé rue des Boucheries et donne sur la place du Marché (actuelle place de la Révolution). Il a été construit après l'annexion française, alors que la nécessité d'un grenier à blé plus grand se faisait sentir pour répondre aux besoins d'une population augmentée d'un fort contingent militaire. Les plans en ont été dressés à la fin de la décennie 1710 par Jean-François Charron, professeur de mathématiques originaire de Châtellerault (Vienne). Charron a réutilisé, à l'ouest, la façade ouvrant jusque-là sur le vide édifiée par l'ingénieur militaire Isaac Robelin (1660-1728). Fils d'Isaac Robelin dit Robelin de Saint-Omer, également ingénieur militaire, ce dernier avait, de 1692 à 1695, bâti le quai Vauban et sa majestueuse élévation à arcades dominant le Doubs. Le 12 octobre 1720, l'intendant Charles de la Neuville a posé la première pierre du nouveau bâtiment et la construction s'est achevée en 1726. Toutefois, à la suite de l'édit du 13 septembre 1774 sur la liberté de commerce des grains et malgré l'opposition de la municipalité (manifestée l'année suivante dans un mémoire et une requête devant le Conseil d'Etat), le grenier à blé a été désaffecté en 1777 et le personnel (un contrôleur, un receveur, un caissier et quatre commis) congédié. Le bâtiment a ensuite connu plusieurs affectations mais sa vocation de lieu d'enseignement finit par prédominer en ce début des années 1860 lorsque s'y installent d’une part l’école de musique, créée par le vote du conseil municipal du 26 novembre 1860, d’autre part celle d'horlogerie.
Dans sa séance du 16 février 1861, la municipalité vote la création de l’école municipale d’horlogerie.
Validant le lieu choisi et la durée des études, elle mandate le maire, Charles-César Clerc de Landresse, pour solliciter du gouvernement une subvention afin d’acquérir l’outillage. Sollicitation justifiée dans la mesure où le caractère d’utilité publique est évident : « L’extension de notre fabrique aura donc pour effet d’affranchir le pays du tribut qu’il paie à l’étranger [en important des montres] et cet affranchissement sera radical le jour où nos produits ne resteront inférieurs ni pour la qualité, ni pour le prix à ceux de l’extérieur. »
En avril, le conseil d’organisation et de surveillance de l’école, composé de 14 membres désignés par le maire (dont une moitié d’horlogers), propose un règlement établi en escomptant atteindre rapidement un effectif de 150 à 200 élèves. Il demande aussi que l’établissement soit autorisé à prendre le titre d’ « Ecole impériale ». Ce règlement est adopté dès le 31 mai et validé par le préfet le 10 juin. L’admission, à l’âge de 13 ans révolus, est conditionnée au fait de savoir lire et écrire couramment et à la maîtrise des quatre règles d’arithmétique. Les frais de scolarité sont de 200 F, plus 40 F pour la fourniture du matériel d’établi. L’élève aura d’ailleurs la possibilité de conserver et d’emporter avec lui certains outils : « un étau ; un petit tour à finir ; deux marteaux ; deux brucelles ; trois pinces ; une colonne à percer ; deux brosses ; trois archets ; un outil à trou ; un jeu d’arbres à tourner ; un chalumeau et un microscope ».
L’école ouvre le 1er février 1862, avec 7 élèves auxquels des maîtres de l’école primaire – située dans le même bâtiment – donnent deux heures de cours théoriques par jour (pour six heures et de demie de cours pratiques). La salle nord-est du premier étage du grenier à blé a été adaptée « à l’enseignement du travail manuel » suivant les préconisations, en date du 15 août 1861, de l’architecte municipal Alphonse Delacroix (1807-1878) : « On aurait, à gauche en entrant, le cabinet du Directeur et celui des effets que les jeunes gens doivent déposer avant de se mettre au travail. Ces cabinets seraient à jour, non couverts et grillagés. La partie principale quant à son importance relative pour l’école, les tables de travail, occasionneront une faible dépense. » Ces établis, en hêtre, de 40 cm de large, doivent permettre l’accueil de 24 à 36 élèves, à raison de 2 à 3 places devant chacune des 12 fenêtres. Les travaux, d’un montant de 7 520 F, sont adjugés le 16 septembre 1861 à l’entrepreneur bisontin Jean-Baptiste Cretenet (moyennant un rabais de 7 %).
L’école est dirigée de 1862 à 1864 par C. Courvoisier, originaire de Fleurier (Val-de-Travers, Suisse) puis de 1864 à 1871 par Georges Sire (1826-1906), qui met en place un programme associant théorie et pratique afin de former des horlogers complets et non de simples ouvriers spécialisés dans une tâche.
Rencontrant rapidement le succès (elle compte 36 élèves en 1864 et a un recrutement national), elle doit être agrandie. Delacroix donne donc le 1er mai 1864 un projet d’un montant de 3 600 F : « L’école d’horlogerie devant être pourvue de cours annexes pour l’enseignement théorique, il a paru convenable d’affecter à ce service toute la partie ouest de l’étage du Grenier de la ville où se trouve déjà la grande salle de l’enseignement pratique. Il y aurait : au nord la salle de dessin ; au sud, à la suite du cabinet du directeur les salles d’enseignement littéraire et mathématique ; au fond, au-dessus du Port-Mayeur [passage couvert au rez-de-chaussée reliant la place au quai], la salle des cours de physique et de chimie. Un corridor partagerait l’ensemble des salles et les desservirait toutes. »
La question de l’internat se pose aussi. Dans son rapport au maire pour l’exercice 1865, le directeur signale que certaines candidatures ont été perdues faute d’hébergement. Heureusement, une convention signée entre la municipalité, représentée par Clerc de Landresse, et le lycée impérial (actuel lycée Victor Hugo), en la personne du proviseur Boullet, approuvée le 21 juillet par décision ministérielle, a permis qu’à compter du 1er octobre, les élèves extérieurs à la ville soient reçus comme pensionnaires du lycée. Sur 28 élèves, ils sont 20 concernés au 1er janvier 1867. A cette date, l’école compte 6 professeurs en plus du directeur.
Elle essaie d’offrir des services dans son domaine de compétence. Ainsi, dans son rapport pour l’année 1866, Sire propose de fournir une heure plus fiable pour le réglage des horloges publiques. Il signale que, lorsqu’elle a installé une vingtaine d’années plus tôt une horloge dans le clocher de l’église Saint-Pierre, la maison Shwilgué de Strasbourg lui a adjoint un instrument pour son réglage. Cet instrument – certainement une méridienne, cadran solaire permettant de déterminer exactement l’heure de midi – est tellement endommagé par la rouille que « les observations et par suite l’heure qui en était déduite se trouvaient fort en erreur ». Une nouvelle installation a donc été faite à l’école, dans le bureau du directeur : un dipléidoscope, orienté dans le plan méridien du lieu, permet de fixer à 5 à 10 secondes près l’heure de midi et de mettre à l’heure le régulateur installé à côté ainsi que l’horloge du Grenier de la ville. « Dès lors, si la personne chargée de remonter les horloges de la ville s’astreint à venir prendre chaque jour l’heure à l’école d’horlogerie et à mettre les différentes horloges à cette même heure, les fortes divergences qu’on avait constatées l’année dernière ne pourront plus se produire, ou tout au moins celles qui pourraient se manifester seraient sans influence appréciable. »
Dès l’origine (et pour longtemps), le programme hésite dans la répartition entre pratique et enseignement théorique, deux termes apparaissant dans la délibération constitutive du 16 février 1861 qui crée une « école théorique et pratique d’horlogerie ».
Les modifications de 1864 n’ont pas concerné que le bâtiment : elles ont aussi – et surtout – visé à introduire un enseignement théorique plus important, assuré par des professeurs spécialisés. Elles conduisent toutefois à une baisse du recrutement : le nombre d’élèves passe de 36 à 18 après leur adoption et s’il remonte à 40 en 1867-1868, ce serait parce qu’une plus grande publicité a été faite en dehors de la ville (sur les 40 élèves, 30 proviennent de l’extérieur). Les élèves ne sont plus que 15 (dont 10 « étrangers ») au 1er avril 1870.
Les critiques se font donc vives, d’autant que le directeur (Sire) a heurté le milieu professionnel en faisant, au retour de l’exposition universelle de 1867, l’apologie de la montre Japy exécutée avec des moyens mécaniques. Pour sortir de la crise, le maire charge une commission de préciser les causes de cette désaffection. Cette dernière conclut à une trop grande prééminence accordée à la théorie sur la pratique, remet en cause l’omnipotence de son directeur et signale que la durée des études (alors de 3 ans) ne peut être fixée a priori car dépendant des compétences de l’apprenti. La fabrique bisontine veut aussi pouvoir dire son mot en étant représentée au conseil d’administration. Dont acte, entériné par le règlement de 1871, une augmentation de la durée des cours pratiques au détriment de la théorie et le départ de Sire (nommé au bureau de Garantie de Besançon par le préfet en avril 1870) remplacé par le fabricant Amiet.
La suite prouvera que le poste de directeur de l’école d’horlogerie n’est pas de tout repos, l’orientation de l’enseignement et les desiderata des professionnels ayant du mal à coïncider.
Les horlogers attendent de l’école qu’elle leur fournisse un personnel plus qualifié, apte à améliorer la qualité de la production locale, seul moyen de faire face à la concurrence étrangère qui mécanise alors sa fabrication (mécanisation à laquelle, dans l’ensemble, ils sont dans un premier temps opposés).
Ils l’expriment encore dans le rapport de la Chambre syndicale des Fabricants d’Horlogerie signé par E. Benoist en août 1883. La Chambre regrette le faible nombre d’ouvriers bisontins qui sortent chaque année de l’école et plus encore que ces ouvriers soient alors incapables de gagner leur vie sans une formation complémentaire. Elle formule de nombreuses propositions, notamment pour une rémunération des études, une formation des élèves à la construction de pièces de grosse horlogerie (bref de mécanique) leur assurant ainsi un débouché s’ils devaient abandonner le métier d’horloger, la création d’un enseignement des arts décoratifs appliqués à l’horlogerie, etc. Ce sont, d’ailleurs, pour la plupart les mêmes arguments qui seront servis 20 à 25 ans plus tard, à l’exception de celui sur la mécanique où une position diamétralement opposée sera adoptée !
L’auteur des annotations portées dans la marge de l’exemplaire du rapport consulté - identifiable (bien qu’il n’ait pas signé) à Paul Chopard, directeur de 1876 à 1886 – s’inscrit en faux, preuves à l’appui, contre ces thèses. Lorsque la Chambre écrit en page 9 : « Il faut, en un mot, installer à l’Ecole une fabrique d’horlogerie complète. », il s’exclame : « Voilà enfin le mot lâché ! » et, plus loin, il dénonce une demande « qui donnerait au dernier des fabricants le droit de commander en maître à l’école ». Lorsque la Chambre ajoute : « A notre avis, chacune des branches de la fabrication horlogère devra être, à l’avenir, plus largement représenté dans la commission de surveillance nommée par la municipalité.», son commentaire est lucide : « C’est peut-être un moyen d’augmenter les tiraillements dans lesquels l’institution se débat depuis sa création. »
De fait, les critiques qui reviennent le plus souvent dénoncent une formation théorique trop importante et un enseignement trop long : un apprentissage plus « basique » et plus rapide est jugé suffisant aux yeux des professionnels qui, dans le même temps, demandent des spécialistes. Et des spécialistes bisontins : le nombre parfois important des élèves étrangers à la ville est systématiquement noté, même par la Chambre de Commerce en 1879 : « Notre école municipale compte en ce moment de 60 à 70 élèves. N’est-il pas regrettable que sur ce nombre, plus de la moitié appartiennent à des localités du dehors ? 5 d’entre eux, même, sont de nationalité espagnole. »
L’augmentation du nombre d’élèves est permise par l’extension validée le 23 septembre 1872 par le conseil municipal.
« Au mois de mai dernier, le conseil a voté l’agrandissement de l’école d’horlogerie de manière à porter de 45 à 65 le nombre de places disponibles dans cet établissement. Pour cela il a fallu convertir en atelier deux salles situées à la suite du cabinet du directeur et destinées jusque là aux cours théoriques et créer de nouvelles installations à la salle de dessin. A peine l’agrandissement a-t-il été exécuté qu’il a été reconnu insuffisant, et que le mouvement de prospérité dans lequel est entré notre école réclame des mesures plus radicales encore. Il est devenu nécessaire de transformer complètement en atelier la salle actuelle de dessin, et les deux chambres du fond réservées d’abord aux cours théoriques et de transporter ces cours et le dessin dans les combles du bâtiment, lesquels seraient appropriés à cette destination. L’école comporterait alors 90 places dont le service est dès ce moment assuré par les nombreuses demandes d’admission. »
La moitié sud-ouest du comble est donc réservée à l’école : « La salle de dessin se présenterait dès l’entrée. Elle serait éclairée des deux côtés du comble, comme l’école de musique qui se trouve au même étage. Les tables seraient rangées suivant des lignes transversales pour faciliter l’arrivée du jour et la surveillance laquelle se ferait depuis une allée centrale dessinée par une double barrière à claire-voie. Dans le fonds seraient rétablies les trois salles de cours spéciaux. Une chambre serait réservée pour l’un des maîtres adjoints. » La salle de dessin aura 12 m sur 11, les deux salles suivantes 4,82 m sur 6,67 m et la dernière 4,82 m sur 6,80 m. Les travaux (8 500 F) sont adjugés le 23 janvier 1873 à Claude-Adolphe Caricand, entrepreneur de charpente, demeurant au 19 rue du Petit Battant (moyennant un rabais de 14,50 %).
Influence de l’école ? Prise de conscience du milieu professionnel ? Toujours est-il que la qualité de la production locale augmente et que ce mouvement qualitatif s’impose.
Il est à l’origine de la création – le 11 mars 1878 – de l’Observatoire astronomique, météorologique et chronométrique de Besançon (voir ce dossier), demandé dix ans plus tôt par le colonel Aimé Laussedat, professeur d’astronomie à l’Ecole polytechnique, et par Georges Sire. Implanté à la Bouloie, à l’est de la ville, cet établissement peut « fabriquer » l’heure exacte à l’aide de sa grande lunette méridienne et la diffuser à la mairie puis aux horlogers qui en font la demande. Il est avant tout conçu comme un outil au service de l’horlogerie : son service chronométrique est inauguré le 5 août 1885 et, seul en France à pouvoir décerner à une montre le titre de chronomètre, il tient lieu d’organisme certificateur indépendant, éprouvant et contrôlant les montres qui lui sont soumises. Il organise en 1889 un premier concours chronométrique qui met en concurrence les fabricants bisontins. Le succès est au rendez-vous : les dépôts annuels passeront de 228 en moyenne pour la période 1886-1891 à 1572 en 1911.
Ce nouvel intervenant est pris en compte par l’école d’horlogerie dont le nouveau directeur, l’ingénieur civil genevois Louis Lossier, ouvre dès son arrivée en 1886 un cours de réglage de précision. Dans les modifications du décret de nationalisation de l’école que Lossier formule en mai 1891, il propose que l’obtention du diplôme soit conditionnée à celle d’un bulletin d’Observatoire de 1ère classe, reconnaissant ainsi les compétences de l’élève en matière de réglage de précision (le ministre ne retiendra pas cette mesure, qu’il jugera plus à sa place dans le règlement intérieur). De fait, le concours chronométrique mettra en place des épreuves adaptées.
2. Une nationalisation incomplète en 1891
L’établissement est enfin reconnu par l’Etat qui, par la loi du 3 juillet 1891, et le décret et la convention du 22 juillet suivant, le transforme en école nationale et le soutient par une subvention.
C’est là l’aboutissement d’une requête présentée trente ans auparavant et réitérée deux années plus tôt. Forte d’un grand prix obtenu par l’école lors de l’exposition universelle de 1889, la Ville demande en effet, le 12 novembre de cette année, sa nationalisation et, en attendant, de recevoir la même subvention que celle de Paris (créée en 1880). Le courrier est adressé au ministère du Commerce, de l’Industrie et des Colonies, pourvu depuis le 30 mai 1887 d’une direction du Personnel et de l’Enseignement technique (les écoles manuelles d’apprentissage, fondées par la loi du 11 décembre 1880, étant subventionnées par ce ministère ou par celui de l’Instruction publique, puis placées en 1888 sous leur double tutelle). La raison majeure de la requête de la Ville est bien entendue avant tout financière : le coût de l’école va sans cesse croissant et si la Chambre de Commerce y participe depuis 1871 (par le reversement de l’excédent des droits perçus par les essayeurs de la Garantie), sa subvention qui a atteint 25 000 F au maximum n’a été que de 8 000 F en 1888.
Dans un document du 10 décembre 1889, la Chambre de Commerce de Besançon appuie la municipalité, avec en préambule : « La ville de Besançon est, on le sait, le centre unique de la fabrication de l’horlogerie en France. » La production locale est passée de 56 000 montres en 1847 à 493 933 en 1882, « malheureusement, depuis, la diminution de la production a été constante et la statistique de 1888 n’accuse plus que 366 197 pièces. » Les moyens de remédier à cette baisse : « elle [la Chambre de Commerce] n’a pas cru qu’il y en eut de plus efficace que l’enseignement technique. Aujourd’hui, la production mécanique tend de plus en plus à se substituer à la main de l’homme et notre industrie a moins besoin d’ouvriers que d’horlogers-ingénieurs, connaissant la théorie en même temps que la pratique et capables d’appliquer les méthodes scientifiques. Si donc l’on veut conserver à la fabrique de Besançon sa prépondérance et son renom sur le marché français, il est nécessaire de préparer à bref délai la transformation du travail d’établissage en travail de manufacture qui nécessite, à côté des moyens financiers, un personnel dirigeant possédant des connaissances approfondies. » Le 20 août 1890, le Conseil général du Doubs s’associe à la demande.
La réponse le 19 février 1891 du ministre Jules Roche, plutôt défavorable à la nationalisation, conditionne celle-ci à un engagement de la Ville sur le financement de l’établissement à hauteur du financement actuel (soit 12 à 15 000 F par an) et à la prise en charge « des frais qu’exigerait une installation nouvelle digne d’un établissement portant le titre d’école nationale ». L’engagement est acquis par un vote du conseil municipal le 23 février suivant. Autre préalable : affecter à l’école l’ensemble du bâtiment, remis en état, ce qui implique de transférer ailleurs l’école primaire qui s’y trouve (transfert effectif au 1er avril 1896).
Un projet de décret est donc rédigé, qui précise la mission de l’école : « Elle a pour objet d’assurer l’éducation professionnelle des jeunes gens qui se destinent à l’horlogerie et de les mettre en mesure d’exercer les plus importantes fonctions de cette industrie, telles que visiteurs, régleurs, repasseurs de pièces compliquées, etc. ainsi que celles de contremaîtres ou chefs d’atelier de fabrication et des mécaniciens de précision. » D’une durée de trois ans, les études s’adressent à des élèves âgés de 13 ans au moins. Le directeur, Lossier, demande quelques modifications « qui ont principalement pour but d’élever notre enseignement au niveau de l’enseignement secondaire supérieur, au lieu de le rendre tout élémentaire [... car] il est essentiel que notre Ecole ne soit EN AUCUNE FACON inférieure aux Ecoles d’Arts et Métiers. Ce sera là le premier acheminement à une assimilation complète que j’espère toujours pour plus tard. » Lossier veut donc conserver à l’enseignement son niveau actuel et éviter la relégation de l’école à un rang subalterne.
Le 26 juin, le ministre fait parvenir un second projet de décret, prenant en compte certaines des modifications souhaitées. Il demande cependant la signature d’une convention entre l’Etat et la Ville, fixant précisément les engagements de cette dernière. Cette démarche achevée, le décret peut être signé par le président Sadi Carnot le 22 juillet 1891.
Par ailleurs, en 1896, l’Etat autorise la faculté des Sciences à mettre en place un certificat de chronométrie, dont l’enseignement est assuré par le directeur de l’Observatoire Louis-Jules Gruey (1837-1902) puis, à partir de 1901, par le professeur de mécanique Jules Andrade (1857-1933). Ce certificat est à l’origine du futur institut de Chronométrie et de Mécanique horlogère (la loi Liard du 10 juillet 1896 permet en effet la constitution d’instituts techniques auprès des facultés afin de former des ingénieurs).
Cette même année 1896, le 21 décembre, le conseil municipal vote la création d’une filière Mécanique au sein de l’école, dirigée depuis le 11 octobre 1892 par le fabricant de pendules de précision Auguste Fénon (la création d’une classe de mécanique appliquée à l’horlogerie avait été votée en 1888, avec effet à compter du 1er janvier 1889). Le conseil en a le pouvoir dans la mesure où l’établissement est administré par une commission présidée par le maire (Claude-François Vuillecard) et dont fait partie un délégué du ministre.
Ce vote intervient à l’issue d’un processus déclenché par la visite du ministre du commerce, Henri Boucher, qui a promis au maire le concours de son ministère pour le développement de l’école d’horlogerie. Fort de cette promesse, Vuillecard déclare : « il convient donc d’examiner dès à présent, d’une part, si les locaux actuels sont suffisants ou si, au contraire, il n’y aurait pas lieu d’y annexer une partie des bâtiments voisins, et, d’autre part, d’arrêter un programme d’enseignement. » Son adjoint Charles Sandoz (1847-1908), par ailleurs important négociant horloger, ayant signalé « le grand développement qu’ont pris en Suisse les Ecoles industrielles et [les] services qu’elles sont appelées à rendre », une mission d’étude est diligentée. Elle rend le 10 décembre 1896 un rapport rédigé par MM Fénon, Antoine, Gondy, Sandoz et Félix, directeur de l’école et membres de sa commission administrative. Ce document rend compte d’une visite des écoles similaires de la Chaux-de-Fonds (créée en 1865) et Bienne (fondée en 1873 et désignée sous le vocable de « Technikum »). « Nous tenons à dire, car c’est la stricte vérité, que de notre visite à ces 2 écoles, il en résulte pour nous, que notre école, quoi qu’on en dise, supporte déjà avantageusement toute comparaison. Le jour où elle sera outillée modernement [sic], lorsqu’elle se sera transformée ou plutôt lorsqu’elle se sera complétée par un enseignement rationnel de la mécanique générale et appliquée à l’industrie horlogère, nous sommes absolument persuadés, loyalement convaincus qu’elle sera la première entre toutes les écoles. »
Le rapporteur, Julien Félix, ajoute : « Il ne faut pas nous le dissimuler, notre belle industrie qui ne fut, si longtemps, que purement manuelle, est pleinement entrée dans la voie mécanique [...] La Suisse est organisée et l’établissage a fait place à la manufacture ; qu’on le veuille ou non, la main cède chaque jour de plus en plus à la machine ; avant peu la substitution sera complète [...] Chacun sent que ce qu’il faut à l’heure actuelle à notre industrie, ce sont des horlogers-mécaniciens et des mécaniciens-horlogers. Ils sont à créer, et nous pensons que notre Ecole d’horlogerie est naturellement désignée pour les former [...] En complétant notre école par l’enseignement de la mécanique, nous donnerons, non seulement à notre industrie les éléments nécessaires à sa transformation et à son relèvement, mais aussi, nous ouvrirons, dans un assez court délai, une nouvelle voie à bien des personnes qui trouverons à s’occuper dans la construction de la pièce mécanique, des machines-outils notamment et de quantité d’industries diverses parfaitement connexes, tels que les appareils de télégraphie, de physique, de mesure, etc., etc. Et, pour rester sur le terrain de l’horlogerie même, combien de petites parties pourront alors se fabriquer à Besançon qui ne peuvent encore s’y produire ; nous citerons : les décolletages de pièces, les pignons, les roues, les assortiments, les balanciers, les spiraux, les vis, etc., etc. Les connaissances mécaniques trouveront à s’y exercer pour le bien être de toute la Fabrique bisontine et aideront à la résolution du problème de l’autonomie vers lequel chacun doit tendre. »
Le coût n’est pas négligeable : plus de 80 000 F pour l’outillage à La Chaux-de-Fonds, plus de 60 000 F à Genève (où l’école d’horlogerie fut créée en 1826). « A Besançon, l’effort sera nécessairement plus considérable encore, car il est d’impérieuse nécessité d’envisager la construction d’un bâtiment parfaitement disposé et aménagé pour tous les services. Celui occupé actuellement n’est rien moins propre qu’à l’usage auquel il est destiné, aussi bien au point de vue industriel qu’au logement même des internes. » Il faudrait donc trouver 200 à 250 000 F pour le bâtiment et son outillage. Autres modifications souhaitées : augmenter d’un voire de deux ans l’âge du recrutement, qui est alors de 13 ans, et « ouvrir notre école, ainsi que cela se pratique à Genève, aux jeunes filles de la ville qui se destinent à une partie de l’horlogerie ».
L’ouverture de cette filière Mécanique (pour laquelle il faudra créer une deuxième classe début 1899) relance donc la question des locaux de l’école, pendante depuis 1891.
Début 1897, le ministre est sollicité par une délégation du conseil municipal quant à une participation de l’Etat au financement d’un nouveau bâtiment. Le 9 mars suivant, le conseil demande à l’architecte de la Ville d’établir un projet « en s’inspirant de ce qui a été fait pour les Ecoles similaires de Genève et de la Chaux-de-Fonds ». Durant la même séance, il évoque la question de l’internat : un internat provisoire a été aménagé dans le bâtiment de l’école mais son organisation laisse à désirer si bien que la décision a été prise de revenir à la solution antérieure, en l’occurrence faire bénéficier les élèves de l’internat du lycée proche (pour l’année scolaire 1897-1898, les internes sont au nombre de 26 sur 53 élèves).
Le projet d’école, d’un coût estimé à 200 000 F, est envoyé au ministre le 10 juillet 1897 puis, après retour le 7 septembre, modifié suivant les indications de l’inspecteur de l’Enseignement technique Jacquemard : largeur des ateliers portée de 10 à 15 m, installation des machines au rez-de-chaussée et non au sous-sol, réduction de la dépense. Si les deux premiers points peuvent être pris en compte, ils influent négativement sur le dernier et le montant total validé par le conseil municipal le 25 novembre 1897 s’élève à 295 000 F.
Le ministre (Emile Maruéjouls) écrit au maire le 12 juillet 1898 : « D’après la nouvelle organisation, l’école comprendrait trois sections distinctes, savoir :
1° Une section dite de mécanique, comportant l’enseignement de la mécanique en général, avec applications principales à la construction des outils-machines employés dans la fabrication mécanique de la montre. Cette section serait complétée par un cours spécial consacré à la fabrication mécanique de la montre, cours qui ne serait suivi que par une catégorie restreinte d’élèves ;
2° Une section d’horlogerie ;
3° Une section d’électricité. »
S’il est d’accord avec cette organisation, le ministre critique le projet de bâtiment, qu’il juge surdimensionné. Ce projet est en effet basé sur un effectif de 250 élèves, qu’il croît devoir plutôt être ramené à 110 à 120 : 30 à 35 mécaniciens, 70 horlogers, 10 à 15 électriciens. Il demande donc sa modification en ce sens, en préservant toutefois la possibilité d’une extension ultérieure. Préconisant aussi divers aménagements, il commande une nouvelle étude, plus fouillée et faisant baisser le coût global.
La version proposée par l’architecte en février 1899 s’élève à 236 664,37 F (234 225,47 F en supprimant les logements), soit 352 000 F avec l’outillage et le moteur à gaz nécessaire tant pour la force motrice que pour l’éclairage.
Signalant qu’a été oubliée par le ministre la quinzaine d’élèves de la section de fabrication mécanique de la montre, le maire Claudius Gondy récapitule le 19 mai suivant : « Ainsi les sous-sols qui n’étaient occupés que par des caves pourront recevoir les lavabos, les vestiaires, les magasins à l’usage des électriciens et mécaniciens, la forge parfaitement aérée, le dépôt de charbon et les calorifères. Le rez-de-chaussée comprendra des ateliers parfaitement éclairés et une grande salle destinée à servir à la fois de lieu de réunion à la Commission de l’Ecole, de Musée et de salle d’exposition des travaux des élèves. Au premier étage seront installés divers ateliers, le magasin de fournitures et le cabinet du Directeur, au deuxième étage, les salles de cours théoriques, un cabinet de physique en amphithéâtre, de plus la place nécessaire a été réservée pour l’aménagement de l’appartement du Directeur, enfin, au troisième étage, un vaste local sous comble restera à utiliser suivant les besoins de l’Ecole et si les crédits le permettent, une partie pourra être convertie en logement pour le surveillant ou le mécanicien. » Il transmet le projet au préfet et demande, le 25 novembre, au député Charles Beauquier d’intervenir auprès du ministre. Celui-ci répond, en août 1900, que la question de la part contributive de l’Etat nécessite le vote d’un crédit spécial par le Parlement, d’où de nouveaux délais.
La réponse arrive le 2 mai 1901 : approuvant le projet, le ministre (Alexandre Millerand) limite la participation de l’Etat au quart des dépenses et, son budget pour les « encouragements à l’enseignement industriel » étant déjà engagé pour l’année en cours, conditionne le financement à l’obtention de crédits spéciaux. Surtout, « avant de saisir le Parlement de cette question, il me paraît indispensable de déterminer, d’une manière précise, le régime à appliquer à l’Ecole réorganisée. Actuellement, et bien qu’il s’agisse d’un établissement national, mon Administration est tenue dans l’ignorance la plus complète de tout ce qui se fait à l’Ecole. » Ainsi, par exemple, le décret du 22 juin 1891 prévoyait que le budget lui soit soumis, ce qui n’a jamais été le cas. Il propose donc que l’établissement soit placé sous le régime des écoles pratiques d’industrie (créées par la loi de finance du 26 janvier 1892). La municipalité n’est pas d’accord avec cette proposition, qui laisserait à sa charge les trois quarts du coût de la construction initiale (264 000 F) et, chaque année, les salaires des professeurs de travaux pratiques (27 000 F). Elle renouvelle donc, le 21 mai, sa proposition d’une contribution à hauteur de la moitié du coût total et en appelle au sous-secrétaire d’Etat Léon Mougeot.
L’inspecteur général de l’Enseignement technique Jacquemard suggère en 1903 comme solution d’attente un réaménagement provisoire du bâtiment existant. Le 10 juin 1904, le Comité républicain du Commerce et de l’Industrie, présidé par Julien Félix, fait un historique de la question depuis 1896 puis propose une solution. Il rappelle que la municipalité en place de 1900 à 1904 a voté - sans demander de subvention - la somme de 360 000 F pour la construction d’un gymnase et d’une bourse du travail et que la précédente avait validé le devis de 352 000 F de « l’Ecole mécanique de précision », avec demande d’une subvention de moitié et obtention du quart seulement. Sa proposition : installer le gymnase au rez-de-chaussée du Grenier d’Abondance et les bureaux et salles de réunion de la bourse du travail dans ses étages, et affecter le crédit voté pour eux à la construction de l’école. Proposition sans suite (mais en 1921, le rez-de-chaussée sera occupé pour sa moitié droite par la bourse du travail et pour sa moitié gauche par un préau).
Alors que les tractations sur la répartition du financement s’enlisent, la municipalité demande en 1905 à l’architecte bisontin Marcel Boutterin (1842-1915). Etabli au 3 Grande Rue puis au 8 rue Emile Zola, celui-ci est notamment l’auteur du Grand Hôtel des Bains (1893), situé près de l’établissement thermal et du casino de Besançon.
Boutterin en rédige un premier le 20 octobre, qu’il modifie le 19 novembre, permettant l’élaboration du projet remis à la mairie le 25 février 1906. Quittant le « terrain des remparts », l’école doit être implantée à l’angle des avenues d’Helvétie et Denfert-Rochereau (sur un terrain acheté en 1901 à Lucien Hinzelin, demeurant rue Saint-Dizier à Nancy, et cadastré B 13 p, 19 p, 20 p et 22 p). Elle se compose de deux corps de bâtiments formant un angle aigu du fait de la voirie. L’escalier, les services et l’administration se concentrent à leur rencontre, dans le pavillon d’angle, les ateliers occupent les ailes : électriciens côté Helvétie et mécaniciens côté Denfert-Rochereau au rez-de-chaussée, horlogers au premier étage, dessin côté Helvétie et salle de cours dans l’autre aile au second étage. Les élévations sont massives - dans ce style qu’affectionnent à l’époque bâtiments publics, banques et postes - et coiffées d’un toit à brisis et terrasson. Etudiés par l’ingénieur civil dijonnais G. Aubertin, les planchers feront appel au béton armé système Hennebique, ce qui permettra la mise en place de machines actionnées à l’aide d’une transmission centrale renvoyant à des transmissions secondaires côté fenêtres.
Le programme a été établi sur la base « du rapport fourni par la Sous-Commission qui fut chargée d’aller étudier en Suisse à La Chaux-de-Fonds et au Locle l’organisation et le fonctionnement des écoles professionnelles horlogères de cette nation » (ouverte en 1868, l’école du Locle est postérieure de trois ans à celle de La Chaux-de-fonds). Vu la proximité du Doubs, Boutterin fixe d’abord le niveau du sol en fonction de la dernière grande crue exceptionnelle, celle de 1882. « Les divers services seraient ainsi répartis dans les étages de la nouvelle construction :
Le Sous-sol contiendrait : les forges situées au-dessous de l’atelier des mécaniciens ; elles seront mises directement en communication avec ce dernier par un escalier circulaire en fer. Les magasins et dépôt d’outillage seraient à proximité des forges, ainsi que le charbon, les huiles et les déchets.
Dans l’aile bordant à l’ouest la rue d’Helvétie seraient installées les salles de Physique et de Chimie avec leur laboratoire et leur salle de manipulation. La salle de Physique serait de préférence exposée à l’ouest pour faciliter les expériences de la lumière solaire. On trouverait plus loin la salle de Collection éloignée du laboratoire afin d’éviter l’action des gaz sur les instruments en métal.
A l’intersection des deux ailes seraient établis les générateurs du chauffage à vapeur à basse pression, cette place centrale est tout indiquée pour la distribution de la vapeur dans les étages.
Enfin, les W.C et les lavabos seraient dans les deux ailes à proximité des divers services, et les caves situées à côté et sous le vestibule.
Le Rez-de-chaussée aurait son entrée sur le pan coupé donnant accès au vestibule et à la loge du concierge ; une grille ornée fermerait le vestibule pour le service d’ordre.
En face, un grand escalier en pierre desservirait le sous-sol et les étages ; il serait éclairé par de grandes fenêtres géminées projetant également leur lumière aux départs des grands corridors de dégagement allant aux ateliers, ces derniers éclairés dans leur parcours par des portes vitrées.
Les élèves sortant des ateliers pourraient facilement se rendre dans la cours de récréation et au préau couvert, en passant par des dégagements pourvus de lavabos et à proximité des W.C.
Les grands ateliers sont prévus pour contenir chacun 60 élèves ayant tous leur étau, les salles éclairées et aérées sur trois faces ; de plus, chaque grand châssis de fenêtre serait ouvrant à sa partie centrale pour l’évacuation de la poussière pendant les opérations de nettoyage.
Le sol des ateliers serait en ciment recouvert partiellement de linoléum au droit des établis ; des vestiaires sont prévus à l’entrée des ateliers. Le concierge aurait : loge, cuisine et chambre à coucher avec cabinet pour enfant.
Au 1er Etage, même disposition pour les ateliers et leurs dépendances ; on y trouve en plus une salle pour le musée, le Cabinet du Directeur, la Bibliothèque et le Bureau du Comptable.
Au 2e Etage, se trouvent les salles de dessin et de Cours théoriques, la salle de Gravure, les Archives, l’Administration et le Logement du gardien. Plus tard, si le Logement du Directeur devient indispensable, on pourrait l’établir en supprimant la salle de l’administration, en reportant la Gravure dans le Cabinet du professeur et les archives dans les combles du pavillon, ainsi que le Logement du surveillant. »
Ce projet est adopté le 5 mars par la commission administrative de l’école, qui « adresse ses vives félicitations à M l’architecte Boutterin pour la façon remarquable dont il a été conçu ». Son président, l’adjoint au maire Grosjean, ajoute : « En outre, sur la proposition de M Sandoz, la Commission sollicite de l’Etat la participation la plus large dans les frais de construction de la nouvelle école. Elle fait remarquer que l’Etat subventionne un grand nombre d’écoles professionnelles, entre autres celles d’horlogerie de Cluses et de Paris, alors que l’école de Besançon, la seule véritable école de fabrique, a toujours fonctionné avec les fonds municipaux, la subvention annuelle de 3 000 frs versée par l’Etat étant exclusivement réservée au cours de gravure. La Commission croit encore utile d’ajouter qu’en Allemagne, l’école de Glashütte, admirablement établie, a pris un développement considérable grâce à la sollicitude des Pouvoirs publics et que celles de Genève, du Locle et le technicum de Bienne, écoles en tous points remarquables par leur fonctionnement et les résultats brillants qu’elles donnent, reçoivent chacune des subventions d’Etat dont le total dépasse 200 000 frs par école. »
Le 11 avril 1906, le conseil municipal vote favorablement. Le devis se monte à 253 701 F, dont il faut déduire la participation de l’Etat (le quart des dépenses) soit 63 425,25 F mais auquel il faut ajouter les 100 000 F qu’a coûté le terrain. Montant final : 290 275,75 F. Le conseil municipal décide donc de contracter un emprunt de 290 000 F, dont l’amortissement sur 30 ans sera assuré par un impôt extraordinaire de 2,25 centimes.
Le projet est soumis en mai 1907 à l’inspecteur général de l’Enseignement technique, Claude Lebois, chargé par le ministre du Commerce et de l’Industrie du suivi de la réorganisation de l’école.
Mais entre-temps, l’affaire s’est singulièrement compliquée avec la fronde menée par les syndicats professionnels, désireux d’une réforme en profondeur de l’enseignement. Le 28 février 1907, Lebois avait rencontré le Syndicat de la Fabrique d’Horlogerie, qui lui avait signalé (comme il l’avait fait avec la mairie en septembre 1906) la nécessité d’une réorganisation de l’école et de son enseignement afin de le réorienter vers plus de pratique : son côté trop théorique serait la cause de la diminution du nombre des élèves (ils étaient 117 en 1900, 60 à 70 en 1907).
Le syndicat développe ses arguments dans un article publié le 16 mars dans le journal Le Petit comtois : il rappelle avoir à plusieurs reprises demandé la dénationalisation de l’école car si celle-ci est financée chaque année par la Ville à hauteur de 30 000 F (en fait 14 000 F d’après le maire), la subvention de l’Etat n’est que de 3 000 F « alors que d’autres écoles qui ne sont que municipales reçoivent de l’Etat des subventions bien supérieures » (ce chiffre de 3 000 F correspond à la subvention accordée en 1891 pour le seul cours de gravure, sachant qu’il devait être révisé une fois que la Ville aurait réglé la question de la reconstruction de l’école). Il dénonce la mainmise de l’Etat sur cette dernière via la nomination du personnel et de la moitié de la commission administrative qui la gère, commission devant selon lui être composée d’horlogers en exercice « estimant qu’eux seuls sont qualifiés pour étudier utilement les besoins de la fabrique ». Il regrette l’inadaptation de l’enseignement qui n’arrive pas « à former pour Besançon des ouvriers immédiatement utilisables et capables de gagner leur vie », d’où cette initiative des professionnels de mettre en place un apprentissage en dehors de l’école. S’associant à la demande du Syndicat des Ouvriers horlogers de créer des cours de perfectionnement, il s’oppose à la reconstruction de l’école (jugeant suffisant le bâtiment existant) et préférerait que la subvention accordée à cette reconstruction aille « à l’acquisition d’un outillage très perfectionné. Outre l’intérêt que cet outillage présenterait pour les élèves, l’Ecole deviendrait ainsi, pour les fabricants, une sorte de musée pratique grâce auquel ils pourraient se tenir au courant des progrès du machinisme. »
Claude Lebois rend compte au ministre du Commerce et de l’Industrie Gaston Doumergue, lequel écrit le 13 décembre 1907 au maire de Besançon, Alexandre Grosjean : « il semble bien résulter que l’école ne rend pas, à la ville et à la région si industrielle de Besançon, tous les services qu’on est en droit d’attendre. Pour mettre fin à cet état de chose plusieurs membres de la municipalité et de la Commission administrative de l’école ont émis l’avis qu’une direction plus effective de l’Etat serait nécessaire. Le moyen pratique de répondre à cette manière de voir serait, à n’en pas douter, de décider la transformation de l’école en école pratique de commerce et d’industrie avec, comme spécialité industrielle, l’horlogerie. »
Doumergue s’appuie donc sur le décret du 22 février 1893 qui, suite à la loi de finances du 26 janvier 1892, crée ces écoles pratiques en transférant au ministère du Commerce, de l’Industrie et des Colonies celles des « écoles primaires supérieures professionnelles dont l’enseignement est principalement industriel ou commercial ». Et d’en préciser les règles de fonctionnement : si la participation de l’Etat aux frais de construction ou d’installation s’élève à hauteur du quart au maximum, elle peut être plus forte pour ce qui concerne l’outillage ; l’Etat prend en charge les traitements du directeur et des professeurs, chefs de travaux, chefs d’ateliers et maîtres adjoints ; le programme de l’enseignement est établi par un Conseil de perfectionnement présidé par le maire.
Ce dernier décide – comme cela se fait depuis la création de l’école – de consulter la fabrique via les syndicats professionnels et patronaux.
L’Union ouvrière de la Boîte de Montre de Besançon lui répond le 16 avril 1908 « que l’enseignement pratique donné à l’école d’horlogerie est défectueux puisque les élèves à leur sortie sont incapables d’exercer leur métier sans faire un second stage, souvent très long, dans les comptoirs d’horlogerie ou ateliers de décoration ». Elle propose de s’inspirer de l’exemple des écoles professionnelles suisses et demande que l’école redevienne municipale afin de pouvoir plus facilement adapter l’enseignement.
De son côté, la section bisontine de la Fédération internationale des Ouvriers horlogers pense que si la transformation en Ecole pratique de Commerce et d’Industrie serait une bonne chose pour la ville du point de vue financier, elle ne changerait rien quant au fond du problème : « Le directeur et les chefs d’atelier, pour être nommés, devront être pourvus de diplômes ou brevets universitaires qui donneront toujours ou presque toujours la place à un pédagogue au détriment de l’ouvrier praticien. Quel enseignement pratique de l’horlogerie, cette branche de l’industrie si délicate et si intéressante, peut donner un professeur possédant de beaux diplômes obtenus au Lycée ou à l’Ecole normale et dépourvu ou presque dépourvu de l’expérience qui ne s’acquiert qu’à l’établi ? » Et de signaler la faiblesse du traitement des chefs d’ateliers et la durée nécessaire pour faire un bon ouvrier. « Quel est le but de l’Ecole d’horlogerie ? C’est de former des artistes horlogers, ou alors elle n’a pas de raison d’exister. Dans une école semblable, chaque élève après une étude générale de l’horlogerie doit pouvoir se perfectionner dans une spécialité, préférée par lui et qui sera son gagne-pain. Ce spécialiste doit être un artiste. »
Le Syndicat de la Fabrique d’Horlogerie, représenté par Adler, réserve sa réponse faute d’un délai d’examen suffisant des avantages et des inconvénients du nouveau statut. Il manifeste cependant son souci : que la direction technique de l’école soit entre les mains des principaux intéressés, c’est-à-dire les fabricants et ouvriers horlogers. Son président d’honneur, l’industriel Sandoz, rappelle en outre les visées de l’université qui souhaite le rattachement de l’école : « Les raisons que me donna M. le Recteur étaient que, l’Ecole d’horlogerie annexée à l’Université, 80 étudiants de plus s’inscrivaient à des cours peu favorisés en élèves – du fait de cette annexion. » Le syndicat n’y a pas donné suite, mettant en avant l’écart entre le niveau réel des élèves et celui requis par l’université et, plus encore, de peur de « faire des pédants qui, sous prétexte qu’ils auront appartenu à " l’Université ", comme étudiants horlogers, causeraient de tout, sans rien savoir, parce que la base leur fait défaut ». De fait, la frontière entre l’enseignement dispensé par Andrade au sein de l’institut de Chronométrie et celui de l’école n’est pas encore clairement fixée.
Le 31 juillet 1908, de son côté, la Commission de l’école nationale d’horlogerie émet le vœu que l’école soit placée sous le régime des écoles pratiques défini par le décret de 1893 et que son programme d’enseignement soit communiqué pour étude au Syndicat de la Fabrique d’Horlogerie. Le 13 décembre, le bulletin officiel communal publie le rapport de ce syndicat qui souhaite un programme « mieux en rapport avec les besoins de la Fabrique c’est-à-dire être propre à former, en plus des techniciens, des ouvriers de suite utilisables et capables de gagner leur vie », et la création de cours de perfectionnement. Il s’oppose à la transformation en école pratique (dont il redoute qu’il n’apporte pas la souplesse de gestion nécessaire et gomme sa spécificité : l’horlogerie) et opte pour le maintien du statut d’école spéciale mais en tant qu’école municipale.
Le 30 décembre 1908, le préfet écrit au maire : « M. le Ministre du Commerce et de l’Industrie me prie de vous aviser que, sans pouvoir dès maintenant indiquer les bases précises de la réorganisation de l’Ecole nationale d’horlogerie, il est disposé en principe, tout en laissant à l’Ecole son caractère actuel et sa qualification de nationale, à faire bénéficier la ville d’avantages financiers équivalents à ceux que lui aurait assurés la création d’une école pratique ». Dans le compte-rendu de sa réunion du 7 janvier 1909, le président de la commission de l’école évalue à 30 000 F la subvention annuelle susceptible d’être versée par l’Etat à l’établissement (ce sera effectivement le montant reçu à partir de 1910). Cet établissement serait dirigé par un conseil « composé d’éléments horlogers non seulement bisontins mais encore régionaux (de Morteau, de Montbéliard) » en charge de la définition d’un programme que l’Etat homologuerait.
Il évoque aussi le projet de reconstruction de l’école que l’architecte Marcel Boutterin doit soumettre à l’inspecteur Lebois pour statuer sur les dernières modifications à lui apporter. Or en novembre précédent, Boutterin avait indiqué au maire qu’il ne pourrait travailler efficacement que lorsqu’il disposerait d’un programme élaboré conjointement par l’inspecteur et la commission municipale de l’école. D’autant que le directeur, Fénon, se manifestait lui aussi sur le sujet...
Le 11 janvier 1909, la séance du conseil municipal est animée. Les conseillers se disputent sur ce que doit être l’école, à laquelle on reproche de ne former actuellement ni des praticiens ni des techniciens : l’enseignement doit être réorganisé mais faut-il séparer les fabricants des rhabilleurs (réparateurs) ? De même quant à la place de la mécanique : en cette période de crise horlogère, certains voudraient voir disparaître un enseignement accusé de concurrencer celui de l’horlogerie (avec une formation moins exigeante et des salaires plus élevés en début de carrière), d’autres non car il dépend étroitement de cette industrie, en est complémentaire et pourrait lui fournir les machines outils dont elle a besoin. Finalement, le conseil vote le maintien du titre actuel (« Ecole nationale d’horlogerie et de mécanique de précision »), le principe que la commission administrative de l’école soit composée principalement « d’éléments horlogers » et que cette commission soit chargée de la réorganisation de l’établissement, de l’élaboration de ses programmes et de la constitution d’une liste des candidats au poste de directeur (lequel sera nommé par le ministre). Il est entendu : le 17 mars 1909, modifiant le décret du 22 juillet 1891, le président de la République fixe la composition de la commission administrative à 17 personnes (au lieu de 10), lui ajoutant 2 représentants des chambres syndicales et 4 des syndicats, et augmentant le nombre des professionnels représentés. Le 30 décembre 1910, l’Etat et la Ville signent une convention dans laquelle sont validés le projet de réorganisation de l’enseignement et le versement par l’Etat d’une subvention de fonctionnement annuelle de 30 000 F.
Côté locaux, le projet de Boutterin a été soumis à l’architecte conseil de l’Enseignement technique, Fernand Delmas (4 rue de Lota, à Paris), qui en a délivré un avant-projet début 1910. A ce stade, Boutterin - qui a 68 ans - jette l’éponge : « En présence de tant d’avis et touchant à la fin de ma carrière, j’ai dû prendre une résolution », en l’occurrence cesser le suivi de ce dossier. Les observations de Delmas sont donc prises en compte par le successeur de Boutterin, l’architecte municipal Brugvin. Dans sa séance du 25 janvier 1911, le conseil municipal adopte le projet sous réserve qu’un deuxième étage soit construit au-dessus des ateliers et qu’un préau couvert soit prévu.
Le 5 avril, Brugvin présente une version modifiée en conséquence : « Ce projet étudié d’après les indications données par M. Delmas, Architecte du gouvernement à Paris comprend deux parties bien distinctes : l’une qui ne paraît pas dans l’avenir devoir être modifiée : l’Administration et les cours théoriques ; l’autre au contraire, les ateliers, séparée de la première par une cour, susceptible d’être transformée suivant les besoins et nécessités de l’industrie horlogère. » L’architecte détaille son projet : la première partie sera hébergée dans un pavillon d’angle, qui se poursuivra par un premier grand atelier au long de l’avenue d’Helvétie et, en retour d’équerre et séparé de lui par le préau couvert et la forge, un second atelier perpendiculaire à l’avenue Denfert-Rochereau ; les bâtiments auront un rez-de-chaussée surélevé au-dessus du niveau des eaux de la crue de 1910 (nouvelle référence en matière d’inondation) et deux étages carrés ; les poutraisons seront en béton armé pour le pavillon et « en fer et bois de manière à permettre des percements et des modifications faciles » pour les ateliers ; la surface couverte sera de 1 050 m2.
En juin 1911, le maire expédie au ministre Charles-Maurice Couyba les plans et devis de l’école, d’un montant total de 420 176,61 F. Ce dernier les valide le 18 août et s’engage à faire statuer ses services sur la demande de subvention de l’Etat à hauteur du quart de ce montant. De son côté, le conseil général admet le principe de participer financièrement (il votera la somme de 30 000 F le 3 octobre 1912).
Mais le projet évolue encore !
Fin 1912, il est question d’un groupement d’écoles professionnelles (avec notamment une école d’agriculture) – la plus importante d’entre elles étant celle d’horlogerie – à implanter sur les glacis des anciens remparts (peut-être à proximité du pont Canot). C’est une proposition de l’industriel Victor Douge. Lors de la séance du conseil municipal du 18 octobre, défendant la nécessité d’un internat, Douge avait regretté : « s’il en coûte de le dire, il n’en est pas moins vrai que l’éducation industrielle n’existe pas ou presque pas en France, et que les Allemands nous laissent loin derrière eux sous ce rapport. » Et de signaler que l’Allemagne, moins favorisée que notre pays pour la culture, compte 300 écoles d’agriculture d’hiver contre 9 pour ce dernier. Le compte-rendu précise : « M. Douge répète qu’il appartient à la France de redevenir industrielle comme elle l’était autrefois et la manière d’y parvenir est de créer des écoles professionnelles ; il ajoute qu’une école de ce genre installée à Besançon pourrait comprendre plusieurs branches avec l’horlogerie comme spécialité et qu’alors on pourrait imaginer un internat de grande allure. » Il propose donc la création d’un « groupe professionnel pouvant recevoir 800 élèves au moins sans compter les post-scolaires apprentis et ouvriers venant aux cours de perfectionnement. Dans cette vaste école avec ses locaux modèles en chaque branche, ses arbres et ses jeux, les enfants à venir vivront la vie saine et le travail intelligemment dirigé. » Cette proposition n’aura pas de suite.
De son côté, le nouveau directeur de l’école Louis Trincano (1880-1945) envoie un avant-projet au maire en décembre 1912. Fabricant d’horlogerie, Trincano a le 1er avril remplacé Fénon, admis à la retraite en début d’année. Il précise : « L’avant-projet d’école n’a ni prétention architecturale, ni caractère définitif ; il m’a simplement permis de préciser des idées de distribution générale et d’établir ce fait que l’on pourrait avoir une école mieux comprise et moins chère que celle prévue avenue d’Helvétie.
Il faudrait seulement que l’on abandonne le procédé de tracer une école suivant le terrain et se décider au contraire à trouver un terrain suivant l’école nécessaire, et dont le Commission déciderait les grandes lignes.
L’avant-projet soumis comporte essentiellement un bâtiment à deux étages ;
le rez de chaussée et le Ier du côté droit forment deux ateliers de 60 places chacun soit 120 places pour l’horlogerie ;
le rez de chaussée et le Ier du côté gauche forment deux ateliers de 60 places chacun soit 120 places pour la mécanique ;
le second étage est disposé également pour ateliers, mais affecté provisoirement pour les salles de cours et l’administration. L’école se développant, ce 2e étage sera rétabli en ateliers ce qui donnera 180 places de part et d’autre, et une aile recevra les salles de cours et l’administration ; l’aile correspondante pourra ensuite être établie suivant de nouvelles nécessités d’ateliers. »
Trincano justifie le nombre des places prévues par comparaison avec les écoles suisses similaires (en 1911, elles comptaient environ 330 élèves horlogers et 200 élèves mécaniciens et électriciens) et en anticipant l’évolution des besoins : actuellement 60 places d’horlogers techniciens et autant d’horlogers rhabilleurs, à l’avenir 90 dans chacune de ces filières, soit un total de 180 places nécessaires. Le même chiffre est avancé pour les mécaniciens et électriciens : « Etant donné la diversité d’emplois que procurent la mécanique et l’électricité de précision, et les besoins impérieux de développer en France ces industries, il n’y a pas lieux de limiter le nombre des élèves de ces sections. » D’après Trincano, le bâtiment actuel sera rapidement insuffisant : la filière horlogère serait saturée en 1917, celle de la mécanique dès 1915.
La commission administrative de l’école est consultée sur les trois options qui se présentent alors : construire avenue d’Helvétie (300 élèves, 420 000 F), surélever le bâtiment actuel (Grenier d’Abondance) suivant les projets des conseillers municipaux Adler et Antoine (150 élèves, 150 000 F) ou chercher une nouvelle implantation (sur les remparts dérasés par exemple, suivant une proposition de Douge). Le 18 octobre 1912, elle émet le vœu qu’un aménagement provisoire du bâtiment existant permette d’attendre que cette dernière piste soit explorée. Elle souhaite en outre qu’un internat soit prévu à proximité, évaluant à 200 les élèves susceptibles d’être concernés (chiffre excédant les possibilités de l’internat du lycée), et se déclare défavorable au groupe d’écoles professionnelles (équivalent, pour elle, à une perte d’autonomie).
Trincano la rejoint : sachant que le recrutement en 1912 a été supérieur aux autres années et devrait continuer à croître, il n’est pas possible d’attendre plus longtemps et, à tout prendre, il est préférable de réaménager immédiatement le bâtiment existant, d’autant que la subvention annuelle de 30 000 F versée depuis deux ans par l’Etat est demeurée inutilisée. Une fois effectué, ce réaménagement permet de disposer de 64 places en atelier de mécanique et 66 en horlogerie, « soit un total de 130 places dans les mêmes conditions d’éclairage que les 75 places de l’ancienne installation, donc gain de 55 places. De plus il a été créé un atelier de fabrication mécanique de la montre, une salle de cours de sciences de 50 places, une salle d’exposition, une salle de bibliothèque, des magasins, vestiaires, lavabos, un nouveau cabinet du directeur, etc. » L’école s’étend d’ailleurs à l’extérieur puisqu’elle dispose d’annexes dans des bâtiments au Saint-Esprit, rue Gambetta et rue Renan.
C’est donc une solution d’attente qui est réalisée, et qui sera signifiée au ministère lorsqu’il se manifestera une nouvelle fois en mars 1913 pour connaître la hauteur de l’engagement financier de la Ville, conditionnant le montant de sa participation. Solution d’attente qui permet à Trincano de mettre au point un projet de réforme de l’école basé sur les observations qu’il effectue avec l’ensemble du personnel, en 1912 et 1913, lors de deux voyages d’études : outre diverses usines, le groupe visite les écoles professionnelles de Bienne (fondée en 1873), La Chaux-de-Fonds (1865), Genève (1826), Le Locle (1868), Neuchâtel (1871) et Saint-Imier (1866) en Suisse, de Cluses et Morez en France.
La première guerre mondiale porte ensuite un coup d’arrêt brutal au projet, qu’elle diffère durablement.
3. La nationalisation effective de 1921
En 1919, le conseiller municipal Maxime Fernier revient sur la question des locaux. Il rappelle que si l’école d’horlogerie comptait 65 élèves en 1912, ils étaient 136 à la dernière rentrée, sans compter les 40 qui n’ont pu être admis malgré l’ouverture de trois ateliers annexes (le personnel de l’école est alors d’une vingtaine de personnes, directeur compris). En outre, l’admission des jeunes filles à l’école ayant été décidée par le décret du 15 mai 1917 (ce qui reposera la question de l’internat, toujours pas résolue pour les garçons), des ateliers ont été aménagés pour elles à proximité, dans les locaux du Saint-Esprit.
Il est donc urgent d’agir. D’autant que les conditions sont loin d’être satisfaisantes, comme le rappellera Trincano dans un article de La Dépêche républicaine de Franche-Comté publié le 25 mars 1931 : « Faire exécuter des travaux d’horlogerie ou de mécanique de précision à des élèves placés par trois derrière des fenêtres de 0 m 80 de largeur, et limitées par des murs de un mètre d’épaisseur ; d’autres élèves travaillant en deuxième, troisième et quatrième rang avec ce mauvais éclairage encore tourmenté par des voûtes, c’est déjà inadmissible, qu’il s’agisse de conservation de la vue, de production ou d’hygiène. Et si du vieux bâtiment on passe aux trois annexes en ville, les visiteurs qui ont parcouru les ateliers du bâtiment du Saint-Esprit, galetas où l’on gèle ou étouffe, sous un faux-plafond à 2 m 30 de hauteur, et où cependant des élèves travaillent à la loupe en bas de lucarnes de 0 m 70 de hauteur, ces visiteurs sont partis indignés ! »
Autre problème : le manque de place qui impose obligatoirement une augmentation de la superficie. « D’abord, même avec l’effectif actuel, le développement de la surface présente s’imposait pour cette raison que, dans une école technique comme pour les industries auxquelles elle prépare, la place nécessaire par élève comme par ouvrier grandit sans cesse avec le développement du machinisme. Quand j’ai pris la direction de l’Ecole en 1912, il y avait une soixantaine d’élèves et quelques mètres de transmission. A présent, l’effectif a triplé, mais le nombre de transmissions est quinze fois plus élevé. Encore celles-ci sont-elles bien insuffisantes, puisqu’on ne peut installer à demeure toutes les machines nécessaires au travail, et alors que bien d’autres machines ont leur commande individuelle. Pour l’instant, il n’y a pas un mètre carré de disponible. »
En 1922, la brochure de l’établissement expose : « L’Ecole a pour but d’offrir aux jeunes gens et aux jeunes filles qui se destinent à l’horlogerie, aux jeunes gens qui se destinent à la mécanique de précision et aux travaux d’électricité, les moyens d’acquérir les connaissances et l’habileté nécessaires pour exercer les différentes fonctions de ces industries. »
Les élèves doivent avoir 14 ans minimum. « L’école ne disposant pas encore d’internat, les élèves du dehors sont placés directement par leurs parents chez des personnes honorables ou dans des pensions dont le directeur donne l’adresse. »
« L’Ecole forme trois catégories d’élèves :
1° Les TECHNICIENS pour l’horlogerie (durée des études quatre ans et demi), section en formation ;
2° Les PRATICIENS (durée des études trois ans) qui font partie de l’une des trois sections suivantes :
Section des horlogers-praticiens fabricants (garçons et filles) ;
Section des horlogers-praticiens rhabilleurs (garçons et filles) ;
Section des mécaniciens-praticiens rhabilleurs (garçons) ;
3° Les SPECIALISTES (durée des études variable), qui font partie de l’une des sections suivantes :
Section de pivotage d’échappements (garçons et filles) ;
Section d’achevage d’échappements (garçons et filles) ;
Section de sertissage (garçons et filles) ;
Section de réglage plat et Breguet (garçons et filles) ;
Section de tournage de la boîte (garçons) ;
Section d’achevage de la boîte (garçons) ;
Section de guillochage de la boîte (garçons). »
Une section d’horlogers-commerçants (durée des études : 2 ans) sera créée en 1923.
L’enseignement pratique est assuré par des artisans. « Par son organisation technique et ses méthodes de travail, par l’ambiance d’une industrie dont elle est le foyer régional, par l’initiative laissée à un personnel compétent, l’Ecole de Besançon n’a rien d’un établissement figé dans un programme. Usine-école des industriels ou atelier-école des artisans, elle est l’Ecole de l’enseignement par la production. »
Entre ces deux dates - 1919 et 1922 - est intervenu un évènement majeur : la nationalisation effective de l’école.
Si cette nationalisation avait été prononcée par l’Etat en 1891, les conditions fixées alors n’avaient pas toutes été remplies, notamment celles concernant la construction de nouveaux locaux et la clarification du statut de l’établissement. Or la révision en juillet 1913 des conditions d’admission a entraîné la rédaction, en juin 1917, d’un projet de modification des textes (arrêtés et décrets) le régissant et, de ce fait, a reposé la question de son statut. Une lettre du ministre, le 1er août 1918, indique qu’il est « disposé à la nationalisation complète de l’école, sur la base d’une convention analogue à celle conclue avec la ville d’Epinal » (l’Ecole industrielle des Vosges, créée en 1871, est devenue le 15 novembre 1918 la sixième Ecole nationale professionnelle). Renseignements pris, cette convention prévoit une participation de l’Etat à hauteur de 25 % du montant de la construction des nouveaux bâtiments et la prise en charge par lui de tous les frais de fonctionnement. L'Etat doublera d'ailleurs au début de 1920 la subvention versée (qui sera portée à 60 000 F).
Toutefois, en novembre 1918, au vu de l’état des finances municipales qui imposera le recours à un emprunt, le maire décide d’attendre un retour à une situation normale. Cette mesure ne remet pas le processus en cause, d’autant qu’est votée le 24 juillet 1919 la loi Astier qui organise l’ensemble de l’enseignement technique et instaure des cours professionnels obligatoires. Cette loi change la donne. Son article 10 précise à propos des « écoles publiques d'enseignement technique industriel ou commercial » : « Ces écoles sont nationales lorsqu'elles sont entretenues par l'État, départementales ou communales lorsqu'elles sont entretenues, en tout ou en partie, par un ou plusieurs départements, une ou plusieurs communes. » Et son article 12 : « Les communes ne peuvent obtenir isolément ou conjointement la création d'une école nationale d'enseignement technique, si elles ne prennent l'engagement de contribuer pour un quart au moins, aux dépenses de construction et d'installation de ladite école, et si elles ne fondent à cette école, pour dix ans au moins, un nombre de bourses fixé de gré à gré avec le Ministre du Commerce et de l'Industrie. » Or à Besançon, l'école est bien nationale donc la quote-part effective de la commune dans les investissements est ramenée des trois quarts à un quart (au minimum) !
La nationalisation est prononcée par la loi du 31 décembre 1921 qui valide la convention passée le 11 janvier précédent entre le sous-secrétaire de l’Enseignement technique, Gaston Vidal (dont le sous-secrétariat vient d’être créé, le 20 janvier 1920) et le maire de Besançon, Charles Krug. L’article 2 de la loi fixe la date d’effet de la nationalisation au 1er octobre 1921 et son article 3 stipule : « Le ministre de l’instruction publique et des beaux-arts est autorisé, dans la limite d’une somme totale de 1 260 000 fr., pour la part de l’Etat, à engager des dépenses correspondant aux frais de reconstruction de l’école d’horlogerie de Besançon, la ville de Besançon devant participer auxdits frais dans une proportion qui ne pourra être inférieure au quart des dépenses effectives totales. » Au final, en 1932, le financement par l’Etat aura plus que décuplé. Il aura été assuré par la manne que représente la taxe d’apprentissage (0,20 % de la masse salariale), instaurée par la loi de finances du 13 juillet 1925 pour faire participer financièrement les employeurs au développement de l’enseignement technique, de l’apprentissage et des laboratoires scientifiques.
Le directeur général de l’Enseignement technique Edmond Labbé (1868-1944) vient sur place en 1923 et, le 4 décembre 1924, une instruction ministérielle demande la rédaction d’un programme « aussi précis que possible » permettant ensuite l’ouverture d’un concours international. L’école est prévue pour 290 personnes, élèves et professeurs confondus, et le directeur insiste sur le fait que les superficies d’atelier ne doivent pas être calculées en fonction du nombre des élèves mais par rapport à l’outillage. Le site de l’avenue d’Helvétie (finalement affecté à un gymnase et un groupe scolaire) est abandonné. « Après avoir successivement envisagé l'emplacement du chantier au bois, celui des remparts rasés, celui du parc à fourrage et celui de la manutention, on s'est arrêté au terrain des hospices ». De fait, plusieurs plans montrent ces projets : celui du parc à fourrage s’inscrivait dans un quadrilatère délimité sur trois côtés par l’avenue Fontaine-Argent, la rue Beauregard et celle des Docks (actuel boulevard Diderot) ; un autre, portant le titre de « Projet d’utilisation de fondations et de terrains. Novembre 1922 », réutilise un emplacement à l’angle des rues de la République et Bersot-Saint-Pierre (avenue Arthur Gaulard), face à la caserne Lyautey (actuelle médiathèque), avec cette condition : « Le sol des ateliers devra être surélevé en tenant compte du niveau des grandes eaux. » Pour sa part, Trincano a déjà bien étudié le projet. Il donne en avril 1921 un plan pour un établissement principalement formé de deux bâtiments parallèles (un pour l’horlogerie et l’autre pour la mécanique), reliés entre eux, qui pourrait prendre place sur l’actuelle avenue Elisée Cusenier, entre le débouché des rues Gustave Courbet et Gambetta. Autre projet en 1923 pour un site non localisé : les deux bâtiments conservent leur affectation au rez-de-chaussée, celui de mécanique surmonté à l’étage par de salles de cours et l’autre par un dortoir de 80 garçons, mais ils sont reliés par un troisième corps servant d’appartement et vestiaire au rez-de-chaussée, de salle de sciences et salle de conférences et projections au 1er étage et de musée, salle des conseils et appartement au 2e. Lorsque le terrain des hospices est choisi, la parcelle a grossièrement la forme d’un triangle dont la base serait verticale et la pointe à droite ; elle est délimitée par le chemin des Saints au nord (actuelle avenue Clemenceau), l’avenue Villarceau au sud et la rue Coste à l’ouest. Trincano adapte donc son dernier projet au terrain en infléchissant l’aile sud (atelier d’horlogerie) afin qu’elle suive le tracé de l’avenue Villarceau. Il en donne d’ailleurs une version modifiée en 1924. Le ministre approuvera cet emplacement le 27 juin 1925, à condition que l’école puisse s’étendre sur le glacis qui la précède (en effet, vers la pointe, le terrain est pour partie propriété de la Ville, pour partie zone militaire).
4. Construire la nouvelle école
Le préfet pressent un premier architecte - en fait deux architectes associés pour l'occasion : le Suisse Rossier, spécialiste de ce type de construction, et le Français Forien - mais une intervention de la Société des Architectes diplômés par le Gouvernement (SADG) obtient la mise au concours du projet. L'architecte Paul Guadet, qui en est officieusement chargé, a effectué fin mai 1925 un voyage d'étude à l'école professionnelle de Cluses ainsi que dans diverses usines d'horlogerie suisses. Aussi lorsque, sur proposition de l'inspecteur régional de l'Enseignement technique, un décret lui confie la définition du projet le 14 août suivant peut-il envoyer le jour même des croquis de plans au directeur puis quatre jours plus tard une première étude au sous-secrétaire d'Etat.
Fils aîné de l'architecte Julien Guadet, diplômé de l'école des Beaux-Arts de Paris en 1904, Paul Guadet (1873-1931) travaille essentiellement pour les organismes d'Etat : il est architecte adjoint des Affaires étrangères de 1903 à 1911, architecte en chef des Bâtiments civils et Palais nationaux de 1912 à sa mort, architecte du ministère des P.T.T de 1913 à 1931, du sous-secrétariat d'Etat de l'enseignement technique de 1925 environ à 1931... Il assume aussi la surveillance de travaux, notamment dans les écoles des Arts et Métiers et autres écoles professionnelles (celle de Cluses par exemple), et est appelé comme expert (près du conseil de préfecture de la Seine de 1922 à 1930 par exemple).
Dans L'esthétique du béton armé, texte d'une conférence donnée à Bruxelles le 11 février 1926 et publiée dans L'Emulation (« organe de la société centrale d'Architecture de Belgique »), Guadet se présente comme un « partisan, adepte absolu, du rationalisme en architecture ».
Il écrit : « Voici, par contre, ce que j'entends par rationalisme dans la construction : c'est la recherche d'une œuvre qui soit aussi économique que possible comme emploi de la matière, qui ne présente nulle part de la matière surabondante. » Et plus loin : « Le béton armé est un des procédés de construction qui se prête le mieux à l'application du rationalisme. Il s'y prête mieux parce qu'on peut éviter, par son emploi, l'uniformité d'aspect et de profil qu'on rencontre trop souvent en charpente métallique notamment ». Pas de débauche de matière donc mais juste la quantité nécessaire au bon endroit.
Et de mettre en avant les avantages du béton armé : le béton prend en compte les efforts de compression, l'armature en acier ceux d'extension. D'où les recherches menées par Guadet et Charles Rabut (1852-1925), qui inaugura en 1897 le premier cours de béton armé à l'école des Ponts et Chaussées : « nous avons eu l'idée de chercher à ne plus faire du béton armé en associant le béton et l'acier d'une façon intime, mais à constituer des voûtes plates en béton pur et de placer en dessous des barres d'acier servant de tirants et répondant aux efforts d'extension. Malheureusement le problème est assez difficile à résoudre pratiquement et je ne connais pas d'exemple d'emploi de ce procédé. »
« Un des énormes avantages du béton armé et ce qui a fait en partie son succès, c'est le monolithisme qu'il assure à la construction », ce qui implique la recherche d'assemblages indéformables donc le souci d'apporter un soin particulier à la jonction des divers éléments en jeu, où un renfort peut s'avérer nécessaire. « Le calcul de la résistance des matériaux nous dira que ce gousset, au lieu d'être brutalement triangulaire – comme on l'établit dans les maisons à bon marché et dans les usines – doit avoir une forme voisine de l'ellipse. C'est une courbe. » D'où cette affirmation : « J'en arrive à pouvoir vous dire que l'emploi rationnel du béton armé, au lieu de donner des formes droites, rigides, sèches, permet au contraire de concevoir des bâtiments aux lignes harmonieuses puisqu'elles sont courbes et se relient parfaitement. »
Guadet s'oppose au mélange de maçonnerie ordinaire et de béton armé : « Le béton armé doit, en outre, se suffire à lui-même sans quoi son emploi est irrationnel et par conséquent inesthétique. » Il ajoute : « S'il est admis que l'ossature doit être complète, je demande aussi qu'on ait le courage de l'accuser franchement, qu'on ne s'amuse pas à la déguiser. » Et plus loin : « Il est donc – et je le reconnais - nécessaire d'habiller le béton armé [pour assurer son étanchéité], mais habiller ne veut pas dire déguiser. Habiller n'exclut pas l'affirmation franche de l'anatomie. »
En résumé, Paul Guadet avance que les qualités du matériau « sont telles que, personnellement, je ne construis pas autrement qu'en béton armé ».Il exprimera une nouvelle fois ses idées dans le chantier qui s'ouvre à lui à Besançon mais aussi à Morez où, pour le même sous-secrétariat d'Etat à l'Enseignement technique, il va construire l'Ecole nationale d'Optique (1926-1932).
Officiellement désigné pour l'école de Besançon le 14 août 1925, Guadet cherche un architecte local pour le seconder et surveiller les travaux.
Dans un courrier adressé à l'un des candidats, il précise : « Je suis chargé par l'Administration de construire à Besançon une Ecole d'Horlogerie ; c'est un travail d'environ 3 millions et qui durera environ 3 ans, par suite des lenteurs administratives. Je ne puis donc rémunérer le représentant local que j'aurai que par un pourcentage sur mes honoraires ; il me serait impossible de payer des mensualités, ceci absorberait presque la totalité des honoraires. Ce que je demande est un jeune architecte qui voudrait s'établir à Besançon, se formerait une clientèle et à qui je donnerais 1/3 de mes honoraires pour surveiller le chantier, vérifier les attachements et régler les mémoires. Mes honoraires étant calculés au taux de 4 1/2 % donneraient comme rémunération annuelle une somme de 15 000 F 00 en comptant un million de travaux par an. »
Son condisciple de l'école des Beaux-Arts, Henri Parmentier (de l'Ecole française d'Extrême-Orient), lui recommande André Boucton (1891-1977), établi à Besançon 7 rue de Belfort (puis rue Laethier à partir de 1929 et 7 ter avenue du Maréchal Foch en 1931). Boucton fait alors construire l'immeuble en béton de style Art déco dit « le Building », au 26 rue Proudhon et, dans un courrier du 16 septembre 1926, signale à Guadet : « La maison Japy me demande une étude d'ateliers d'horlogerie avec habitation du directeur (250 000 F environ). C'est un début. »
Une dizaine de jours plus tard, le 27, Guadet valide ce choix par écrit et répartit les rôles : « Toutes les études et dessins seront faits et exécutés par moi, sous ma responsabilité. Les travaux seront exécutés sur ordres de services délivrés par moi sur un registre à souches restant entre vos mains. Vis-à-vis des tiers l'exécution et la vérification des travaux se feront également sous ma responsabilité. Je vous demande de vous charger, vis-à-vis de moi de : surveiller journellement la bonne exécution des travaux sur le chantier ; m'envoyer à ce sujet un rapport hebdomadaire ; procéder à la vérification des attachements et à celle des mémoires : à ce sujet je vous délègue ma signature pour les attachements mais non pour les mémoires. » La rémunération de Boucton sera donc du tiers des honoraires encaissés par Guadet : « ces honoraires sont prévus par l'Administration de 5 % pour les premiers 500 000 f. et de 4,50 % au-delà ».
Boucton sera également présent sur le chantier de Morez.
Un premier projet (programme pour le concours) rédigé pour le nouveau terrain est adopté le 16 mars 1925 par la Commission administrative de l'Enseignement technique.
Il prévoit un ensemble au plan en U, à deux ailes parallèles, accompagné d'une maison destinée au directeur (« construction très simple » à l'angle de l'avenue Villarceau et de la rue Coste). « La façade principale sera disposée du côté du sommet du triangle, où se trouve la jonction de 4 voies d'accès. Le bâtiment ainsi en façade sera le bâtiment administratif. Une aile droite d'une largeur de vide de 9m50 pour les ateliers de mécanique, une aile gauche d'une largeur de vide de 9m50 pour les ateliers d'horlogerie, donneront à l'ensemble des bâtiments une forme en U. » Ces constructions auront deux étages et certaines dispositions effectivement réalisées sont déjà détaillées : « Un escalier central est à prévoir dans le bâtiment administratif, où l'on aura accès par l'entrée principale et par la cour. Le bâtiment sera surmonté d'une coupole pour observations astronomiques. Cette coupole permettra l'installation en façade d'une grande horloge. » Plus loin : « Il est à prévoir que les bâtiments à venir continueront les deux ailes et se raccorderont par un second bâtiment parallèle au bâtiment administratif et en bordure de la rue formant la base du triangle. Il resterait en ce cas la place pour un important bâtiment indépendant, placé entre la rue et l'atelier d'horlogerie et parallèle à ce dernier. »
Le 14 août 1925, Guadet envoie au directeur de l'école d'Horlogerie, Trincano, un croquis (mis au net sur un plan du 8 octobre) où le plan en U est abandonné afin que les deux ailes épousent la forme triangulaire de la parcelle. Ces ailes sont hautes de trois étages et leur jonction forme un corps de bâtiment individualisé (par la suite noté B/1). L'aile sud (bâtiment administratif, noté B puis B/2) doit faire 48,75 m de long sur 12 de large, l'aile nord (bâtiment de l'horlogerie, noté A) 56,25 m sur 10. Cette dernière se poursuit vers la rue Coste par l'atelier de la mécanique, vaste carré de 40 m de côté en rez-de-chaussée couvert de sheds. La maison du directeur disparaît, remplacée par un logement de fonction (avec escalier particulier) au troisième étage du l'aile sud. La construction de bâtiments supplémentaires est d'ores et déjà envisagée : à l'extrémité de l'aile sud une « extension de la mécanique », symétrique à cet atelier ; au long de la rue Coste un internat et ses dépendances (à l'emplacement de la maison).
L'architecte expose son programme : « La disposition générale est la suivante : entrée en face des routes d'accès ; à gauche un bâtiment administratif orienté sensiblement N-S ; à droite un bâtiment d'ateliers d'horlogerie orienté O.S.O.-E.N.E. Les façades du bâtiment administratif qui comprend les salles de cours sont orientées vers l'est et l'ouest ce qui est le meilleur ; tandis que la façade des ateliers regarde le nord à peu de chose près ce qui assure un excellent éclairage des ateliers.
Dans le fond, l'atelier de mécanique, en sheeds [sic] sans étages et l'emplacement de l'internat futur.
Les niveaux des bâtiments sont réciproquement les suivants pour leur rez-de-chaussée, Administration = + 3,50, correspondant au sous-sol des ateliers et aux fondations de la mécanique ; Atelier et Mécanique = + 7,00 correspondant au premier étage de l'Administration.
Sous le vestibule d'entrée et sous partie du bâtiment d'administration serait aménagé [un] calorifère avec chambre de mélange d'air chaud pour le chauffage des ateliers dont l'air serait ainsi continuellement renouvelé.
Rez-de-chaussée Administration Logement du concierge. Secrétariat direction, bureau technique, musée bibliothèque, salle des professeurs et infirmerie.
Sous-sol Ateliers Garage de bicyclettes. Douche, buanderie, menuiserie. Dépôt de métaux, laboratoire et dépôt d'huile et essence, avec citernes extérieures. Ces derniers locaux à proximité de l'escalier des ateliers d'horlogerie et de celui de mécanique.
Sous-sol Mécanique Vestiaire, fondations.
Rez-de-ch. Extension Mécanique Vestiaire W.C. lavabos, ateliers.
Rez-de-ch. Internat Réfectoire économat. Dépendances.
1er étage Administration Salle du Conseil. Deux salles de cours de 40 élèves. Une de 60 élèves. Salle de conférence. Vestiaire. Cabinet de professeurs et dépôts d'appareils. W.C. lavabos.
Rez-de-ch. Ateliers
1° atelier d'horlogerie 1ère année comprenant 40 établis de 1ère ligne de 0,94 de long. x 0,80, passage derrière de 1m60, établis doubles de machines avec transmission centrale inférieurs, occupant 1,40 et passage de 1m70. L'atelier est accompagné de 4 W.C. Un vestiaire communiquant directement avec l'escalier et avec l'atelier. Deux pièces ouvertes sur l'atelier contenant les casiers individuels des élèves. Un magasin d'outillage et fournitures à côté du bureau du professeur, ces deux pièces séparées entre elles et de l'atelier par un grillage. Un groupe de lavabos, largement ouvert sur l'atelier. Une pièce pour la forge et la trempe.
2° L'atelier de réglage avec W.C. lavabo. Vestiaire. Chambre froide et étuve.
3° L'atelier des monteurs de boîtes et des graveurs comprenant 32 établis de première ligne et un banc de machines, W.C., lavabos spéciaux. Vestiaire professeur, et fourniture-outillage conçus comme pour l'horlogerie.
4° Ateliers de mécanique composés de quatre galeries de 8m00 de largeur comportant chacun cinq travées de 7m50, chaque galerie éclairée par deux vitrages en sheeds.
Ces ateliers seraient divisés à la demande par des cloisons légères pour y créer les magasins et les divisions nécessaires. Ils sont accompagnés de W.C. lavabos.
2ème étage Administration Deux salles de dessin de 7,00 x 11,25 avec vestiaire, salle de modèle et cabinet du professeur. Amphithéâtre des sciences (mêmes dimensions) avec laboratoire d'expériences et vestiaire. Laboratoire et manipulation. Salle de cours de 60 élèves, vestiaires communs pour ces deux salles.
1er étage Ateliers Atelier d'horlogerie 2ème année de 32 établis de 1ère ligne. Atelier de spécialistes de 20 établis de 1ère ligne. Ces ateliers sont accompagnés des mêmes locaux que ceux de l'étage inférieur. Les lavabos sont communs aux deux ateliers.
3ème étage Administration Local disponible de 26 m x 12,00. Logement du directeur, salon, salle à manger, 4 chambres à deux lits, avec penderies, salles de bain, W.C., cuisine, chambre de bonne ; ce logement est desservi par un escalier spécial servant toutefois d'escalier de secours en cas d'incendie pour les étages supérieurs.
2ème étage Ateliers Ateliers d'horlogerie 3ème année de 28 établis de 1ère ligne et atelier de la section commerciale et apprentissage rapide de 24 établis de 1ère ligne. Ces ateliers sont accompagnés des mêmes locaux qu'aux étages inférieurs.
Enfin, si celà est utile, une tour d'observation astronomique qui peut être prévue au-dessus de l'escalier central. »
Trincano met en avant les avantages de cette nouvelle version : gain de place, amélioration de l'éclairement, frais de terrassement moindres et meilleure harmonie d'ensemble (« les bâtiments sont symétriques suivant la forme du terrain et les frais de façade sont réduits à une belle entrée d'angle »).
Il préconise diverses modifications dans les dimensions et la distribution, notamment quant à l'emplacement de la menuiserie : « L'atelier de menuiserie ne doit pas exister en dessous de l'horlogerie, à cause des vibrations des machines à grande vitesse. » Dans l'atelier de mécanique, ne pas oublier le transport des machines (palan mobile) et l'importance de l'éclairage : « Pour la lumière du jour, tenir compte que si l'éclairage par le haut est satisfaisant, il faut détruire par un éclairage latéral les ombres formées par les fermes, colonnes, courroies, etc. Cette question d'éclairage est d'autant plus importante qu'il s'agit ici de petits travaux de précision qui confinent le plus souvent à l'horlogerie. Donc les 4 façades du bâtiment devront comporter à hauteur voulue de larges baies vitrées. ». C'est le même soucis qui transparaît dans une note concernant le bâtiment de l'horlogerie : « Les vestiaires sont placés au sud, les élèves travailleront donc au nord à l'abri du soleil, mais il est nécessaire que les rayons entrent dans les ateliers par des parois vitrées ; il y en aura la plus possible ; mais en tenant compte que ces vitres ne doivent pas être à proximité des gestes trop vifs des élèves ; de plus les trépidations des machines ne doivent pas être accompagnées de tremblements de vitres. »
Sont aussi signalées la nécessité d'un passage couvert reliant l'atelier de mécanique au bâtiment administratif, d'un passage d'entrée assez large pour les voitures « afin que leurs entrées et sorties soient sous le contrôle direct de la conciergerie », l'omission dans les combles des emplacements « de la coupole pour lunette méridienne » et « de l'horloge monumentale », etc. Cette dernière, « avec ouverture sur la façade pour un cadran proportionné à la grandeur et à la hauteur du bâtiment », sera accompagnée de cloches.
Dans une note du 9 mai 1928, l'adjoint du directeur plus spécialement chargé du suivi du chantier, Prélat, précisera l'organisation des transmissions dans l'atelier de mécanique. « Pendant la 1ère année et une partie de la deuxième année, il est indispensable que les élèves puissent faire usage de tours et de quelques machines outils commandés par un renvoi actionné par une transmission mécanique (tours parallèles et machines commandées par cônes de vitesses). En troisième et quatrième année, les élèves utiliseront des machines outils à commande électrique individuelle (tours parallèles et machines outils). Les tours d'outilleurs et petites machines d'établis qui possèdent généralement plusieurs vitesses et souvent une marche arrière, doivent être commandés par renvoi et par une transmission mécanique. » Il demande donc la création dans toute la longueur du bâtiment F d'une ligne de transmission principale et d'une de renvoi ; dans C, une seule ligne de transmission de chaque côté du bâtiment, pour les tours d'outilleurs et les machines d'établis, et même chose dans D, avec une transmission au plafond et une de chaque côté de l'atelier ; les moteurs animant ces transmissions seront des moteurs électriques triphasés de 3 CV.
L'outillage de l'école doit provenir de prestations en nature (pour un montant de 5 millions de francs) fournies par l'Allemagne dans le cadre des dommages de guerre fixés par le traité de Versailles de 1919 (plans Dawes en 1924 puis Young en 1929). Rebasculée sur le plan d'outillage national (décidé fin 1929), cette dotation sera au point mort à la fin de 1930, dans l'attente du vote du Parlement.
Le 9 novembre 1925, Guadet dresse (d'après un croquis que le directeur lui a envoyé le 3) un nouveau plan rendant compte de l'évolution de la réflexion de Trincano.
L'organisation générale est conservée : les deux ailes suivent toujours les côtés de la parcelle mais elles sont maintenant reliées à leur base par l'atelier de mécanique, tout en longueur et parallèle à la rue Coste. L'espace entre cet atelier et la rue est réservé à une « école d'horlogerie de jeunes filles » et sa cour à l'ouest, l'emplacement d'un futur internat et deux courts de tennis à l'est et, entre les deux, une extension de la mécanique, bâtiment perpendiculaire à l'atelier et ayant façade sur rue. L'aile sud et l'atelier de mécanique ont deux étages, l'aile nord trois, chacun formant un plateau libre de tout pilier grâce à un réseau de poutres en béton armé qui s'infléchissent en arc de cercle au niveau du mur. Le pavillon d'entrée a cinq étages avec la coupole en béton de l'observatoire. Sa façade compte autant de travées : celle du centre, ouverte d'un portail muni d'une grille très décorée, est coiffée par la coupole, encadrée par les deux horloges monumentales des travées d'angle. L'architecte évalue la superficie totale bâtie à 7 700 m2 environ pour un coût, au prix moyen de 400 F le m2 et honoraires inclus, de 3 500 000 F (supérieur donc au montant prévu fin 1921 par la loi de nationalisation).
Le programme initial est soumis à de nombreuses modifications en 1926 et début 1927 (le montant de la construction est estimé à 9 577 000 F en 1926). Ainsi, dans son rapport hebdomadaire n° 17 (pour la semaine du 21 au 27 février 1927), Boucton fait état du désir du directeur que soient étudiés : l'extension de la salle de mécanique (par construction d'un étage supplémentaire ?) pour doubler la superficie de cette section (qui devrait un jour englober une « section spéciale des mécaniciens de l'aviation »), l'installation d'une cinémathèque, la création (par la surélévation et la prolongation du bâtiment des classes, A) d'un espace pour la section bijouterie-gravure (fondée dans la lignée de celle des monteurs de boîtes) devant ouvrir en octobre – et « qui aura les mêmes besoins et les mêmes cours que la section horlogerie (3 années de cours, 100 élèves au début pouvant être portés à 400) » –, la réservation d'un emplacement « pour l'extension du bâtiment horlogerie », la construction d'un internat pour 200 élèves « pouvant être porté ultérieurement à 400 élèves » et l'aménagement de « laboratoires pour la Chronométrie et la Chambre de Commerce ».
Ce dernier établissement est l'institut de Chronométrie et de Mécanique horlogère, qui sera créé par arrêté ministériel le 23 mai 1927. Il est né d'une collaboration entre l'Université, dont le recteur Franck Alengry est soucieux à partir de 1925 de se rapprocher des industriels, et la Chambre de Commerce, qui a décidé la constitution d'un laboratoire de chronométrie d'envergure nationale. Un emplacement a été cherché pour lui en 1926 : ancien séminaire (trop grand et trop onéreux quant à l'aménagement et à l'entretien courant), locaux du Grenier d'Abondance après le départ de l'école d'horlogerie (solution ayant la faveur de Trincano et validée par l'Enseignement technique le 3 mai), nouveaux locaux de l'école (moyennant l'obtention de crédits complémentaires). Dans ce cas, une implantation sur plusieurs niveaux du bâtiment B a été envisagée (solution économique mais imposant une division du service) ou alors la construction d'un bâtiment dédié (choix le plus onéreux). L'hébergement dans la nouvelle école est décidé au cours du premier trimestre 1927 par les directeurs de l'Enseignement technique (Edmond Labbé) et de l'Enseignement supérieur (Jacques Cavalier).
L'institut a des exigences particulières : il doit être à l'abri de vibrations, donc éloigné des voies de passage fréquentées. Son programme, transmis par Trincano à Guadet à la mi 1928, précise :
« A - Administration : 1° un bureau du directeur (professeur de mécanique). 2° un bureau de professeur de chronométrie. 3° un bureau de l'assistant. 4° une loge de concierge. 5° trois pièces pour appartement du concierge. 6° une salle d'attente. 7° une bibliothèque faisant salle d'études pour vingt personnes. Nota : Le bureau du directeur sera assez grand pour permettre la réunion du Conseil d'administration (20 personnes).
B - Laboratoire : 1° un laboratoire pour travaux pratiques de chronométrie occupé par quinze élèves. 2° un laboratoire pour travaux pratiques de mécanique appliquée occupé par quinze élèves. 3° un laboratoire de photographie et d'optique avec chambre noire attenante. 4° un laboratoire de métallurgie ; prévoir des machines lourdes et encombrantes (Amsler, etc...). 5° un laboratoire d'électricité. 6° un laboratoire de chimie. 7° un laboratoire à température constante à placer au sous-sol. 8° cinq petits laboratoires à caractère particulier dont : un pour le professeur de mécanique, attenant à son bureau ; un pour le professeur de chronométrie ; un pour l'assistant ; deux pour personnes étrangères à l'institut (industriels, etc...).
C - Enseignement : un grand amphithéâtre pouvant contenir 60 personnes (cours de mathématiques générales de l'Université). 2° une salle de cours de mathématiques pour vingt élèves. 3° une salle de cours de physique pour vingt élèves.
Services divers : W-C, lavabos, vestiaires, etc... »
Le projet prend donc de l'ampleur et le plan finalement arrêté, publié le 22 août 1927 dans le journal Le Petit Comtois, est celui d'un A enjambant un T renversé.
Les deux ailes forment un angle de 61° 14' 40" (valeur donnée dans le rapport n° 12 du 23 janvier 1927). Elles sont reliées par l'atelier de mécanique, formant la traverse du A, et chacune est prolongée jusqu'à la rue Coste par un nouveau corps (« pattes » du A). Au long de cette rue, l'espace entre elles est pratiquement fermée par un bâtiment rattaché à la traverse par un deuxième corps, perpendiculaire (extension de la mécanique). L'aile nord (côté avenue Clemenceau, alors chemin des Saints) doit accueillir l'horlogerie dans le corps (intitulé bâtiment A) situé vers la pointe (jonction des avenues Clemenceau et Villarceau), la mécanique (au rez-de-chaussée) et les sections préparatoires dans celui (dit bâtiment E) qui le prolonge vers la rue Coste. L'aile sud sera destinée à l'administration et aux salles de cours dans le corps vers la pointe (B), à la mécanique (au rez-de-chaussée) et à la section bijouterie-orfèvrerie dans celui (F) touchant la rue Coste. La traverse (C) est dédiée à la mécanique de même que le corps perpendiculaire (D), aujourd'hui appelé « la cédille ». Le dernier corps (bâtiment G), en rez-de-chaussée au long de la rue Coste, est réservé pour l'institut de Chronométrie. Ce dernier bâtiment ne sera finalement pas construit mais l'institut de Chronométrie sera, suivant une proposition de Guadet d'août 1928, intégré dans F avec une entrée distincte.
La structure porteuse retenue pour les bâtiments (poteau - poutre) organise vigoureusement les élévations, dessinant un quadrillage fermé soit par un remplissage de maçonnerie de moellons calcaires laissés apparents (opus incertum), soit par de grandes baies vitrées (à châssis bois ou châssis métallique). La notice descriptive envoyée à l'entrepreneur du gros œuvre précisera d'ailleurs : « Le système de construction proposé prévoit une ossature monolithique ayant sa stabilité propre indépendamment des maçonneries qui ne sont considérées que comme du remplissage. » Le principe des plateaux libres de piliers, grâce à l'emploi de poutres en béton armé de grande portée, est conservé, avec cet élégant infléchissement à l'arrière des façades. Les ailes nord et sud ont trois étages et le pavillon d'entrée, orné de bas-reliefs et coiffé de pinacles, n'a plus qu'une horloge sur la travée centrale, toujours dominée par la coupole (dorénavant métallique) de l'observatoire. La toiture sera une terrasse à double dalle en béton armé, avec étanchéité par application de callendrite (protection bitumineuse de la Société française des Matériaux et Produits hydrofuge La Callendrite, bureau et siège social au 5 place de la République à Paris).
La question de l'internat pose longtemps problème. Sa nécessité s'impose rapidement et pour plusieurs raisons. Tout d'abord, il garantit le recrutement. Dans son rapport devant le Conseil d'administration de l'école le 21 juin 1928, Trincano signale ainsi que le montant de la pension au lycée Victor Hugo, qui héberge les internes, est de 4 100 F pour 10 mois. « Or l'Ecole de Cluses va disposer à partir de septembre d'un internat moderne avec chambres individuelles pour le prix de 2400 fcs et l'Ecole de Lyon, qui annonce sa nationalisation, fait les prix de 1500 et 1800 fcs par an. Ces conditions créent pour Besançon de grandes difficultés de recrutement pour la rentrée prochaine », sachant que les bourses d'Etat varient entre 800 et 1 200 F. Le directeur a aussi souci de la moralité de ses élèves, comme il ressort de sa lettre au maire du 26 mars 1927 : « J'ai l'honneur d'attirer votre attention sur le danger pour les élèves de l'Ecole des sollicitations de plus en plus pressantes des femmes de mauvaises mœurs qui stationnent toujours plus nombreuses aux abords de l'Ecole. Certains jours j'ai pu en compter jusqu'à une douzaine près des escaliers proches de l'Ecole, et un docteur m'a prévenu que de mes jeunes gens étaient contaminés. Je vous prie instamment de faire le nécessaire pour que ce scandale, qui provoque de vives critiques de la part des parents, cesse au plus tôt. »
Création de nouvelles sections, prise en compte de l'internat, le site n'est plus assez grand pour tout accueillir ! Or l'industriel Victor Douge dispose à proximité (au nord-est du site et l'autre côté de l'avenue Clemenceau) d'un terrain d'une superficie d'environ 5 ares, qu'il se déclare prêt à céder. Dans son rapport hebdomadaire n° 17 (21-27 février 1927), Boucton signale que Labbé accepte son achat. « Le directeur voulait placer sur ce terrain, les agrandissements de l'école ; c'est à dire, les nouvelles sections bijouterie et autres, et laboratoires de chronométrie ; le futur internat étant placé sur la partie postérieure du terrain de l'école. Etant donné la certitude du programme d'agrandissement et son acceptation par Paris, j'ai dissuadé Monsieur Trincano de cette conception, lui exposant qu'il était préférable à mon avis de grouper tout l'enseignement et services ayant des besoins communs ; et de placer sur le terrain annexe les internats (garçons et filles), terrains de jeux, laboratoires de la Chambre de Commerce si nécessaire, ce service étant en somme étranger à l'école. On pourrait relier l'internat et l'école par un passage souterrain passant sous la route, ce qui permettrait de n'avoir qu'un tout, sans fuite possible des élèves. »
Dans un courrier du 28 décembre 1927, Trincano se range à cet avis. Il demande à Guadet d'étudier un internat « pour 300 élèves (400 ultérieurement), avec chambrées de 3 élèves, sauf quelques chambres individuelles pour cas particuliers (infirmes), et un dortoir commun pour les élèves turbulents, mis en surveillance pour punition ». Ce projet d'internat évoluant, il est ensuite question de pavillons séparés avec chambres de 4 à 5 élèves.
Trincano défend cette conception dans un courrier adressé le 24 novembre 1928 à l'inspecteur général de l'Enseignement technique Gaucher.
« Voici sur quels éléments je me suis basé pour faire présenter, à l'Enseignement Technique, le projet en question :
1° - le grand dortoir a tous les inconvénients matériels et de discipline que vous connaissez, qui le font abandonner par les établissements modernes en France et à l'étranger.
2° - la chambre individuelle (genre de Cluses) oblige à de trop petites dimensions, et par suite à des salles d'études en commun avec personnel conséquent, ainsi qu'à des lavabos communs, cause de bruits et d'encombrements.
3° - la chambre à quatre élèves, que je préconise, permet un groupement suffisant pour l'installation d'une table de travail avec petit tableau noir, ce qui supprime les salles d'étude et leur surveillance, et permet également l'installation d'un petit lavabo, ce qui supprime les allées et venues à des lavabos communs.
Cette idée de petits groupements m'est venue en observant que les élèves du dehors, en pension en ville, se groupent le soir selon leur genre d'études pour travailler ensemble, l'un pouvant toujours expliquer ce que les autres n'ont pas bien compris.
Il existe ainsi une sorte d'émulation dont j'ai pu constater l'efficacité. Avec la chambre de quatre élèves, il y aurait à la fois maximum de travail et de tranquillité, minimum de frais de construction et de surveillance, et établissement facile des responsabilités l'un des élèves étant chef de chambrée.
Je n'en conçois pas moins un dortoir en commun destiné aux élèves indisciplinés des chambrées, ce qui donnerait à l'occupation de celles-ci un caractère de récompense qui ajouterait à leur bonne tenue.
D'autre part, quelques chambres individuelles pourraient exister pour les élèves estropiés ou souffrant d'autres maux qu'il est pénible de dévoiler : c'est assez le cas parmi nos élèves horlogers qui apprennent le métier en raison d'infirmités ; il y aurait ainsi par cent élèves, disons : 20 chambres de quatre élèves, un dortoir commun de 15 élèves et 5 chambres individuelles.
M. Guadet a partagé ma manière de voir pour les raisons indiquées et au point de vue construction par pavillons s'est inspiré des cités universitaires existant à Paris et en construction un peu partout maintenant. » Celle de Besançon sera bâtie non loin de là, à proximité du pont Canot, de 1929 à 1936 sur des plans de René Tournier.
Après consultations, l'inspecteur général mandaté sur cette question préconise plutôt la création d'un dortoir dans le bâtiment de l'administration (B), solution adoptée par le maire Charles Siffert et par l'inspecteur départemental de l'Enseignement technique Camille Lipmann demeurant 5 rue des Chalets (ce dernier est l'un des deux fils d'Emmanuel Lipmann qui, installé à Besançon en 1867, fut à l'origine de la marque Lip en 1900). Trincano doit s'incliner mais le 3 décembre 1928, il indique à Guadet que l'installation d'un internat provisoire pourrait avoir lieu au 3e étage du bâtiment F, en remplacement d'ateliers de bijouterie et petite orfèvrerie, plutôt qu'au même niveau dans le bâtiment B (administration).Le 21 septembre 1929, Boucton écrit dans une lettre à Guadet : « J'ai eu tout à l'heure un entretien avec Messieurs Trincano, Siffert et Lipmann pour ce fameux internat qui a véritablement l'air de vouloir revenir sur le tapis. » Trincano fait une nouvelle proposition : réaliser un projet commun à l'école d'Horlogerie et aux enseignements ménager et hôtelier (qui regroupent 60 élèves), puisque toutes ces filières relèvent de l'Enseignement technique. « Dès lors, pourquoi ne pas essayer d'englober le tout en un seul projet ? Faire une sorte de maison hôtelière qui pourrait servir en même temps pour l'internat ? L'enseignement ménager aurait son foyer tout trouvé, avec possibilité de recevoir 100 élèves au lieu de 60. Tous ces élèves seraient bien logés, bien nourris, la nourriture étant assurée par l'école hôtelière – et ménagère – sous la direction des Directrices. Les jeunes filles de l'Ecole d'Horlogerie pouvant bénéficier au surplus d'une partie des cours ménagers. » Proposition sans suite malgré l'enthousiasme des personnes concernées.
En décembre 1929, forte de l'appui du député du Doubs Julien Durand (futur ministre des Postes, Télégraphes et Téléphones puis du Commerce et de l'Industrie), la Ville représentée par son maire Charles Siffert intervient sur cette question et une convention, approuvée au début 1930, est signée avec l'Etat.
Le 12 février 1930, Guadet demande donc des instructions au directeur général de l'Enseignement technique. Il précise : « Monsieur Trincano m'avait demandé d'étudier une disposition de chambres pour 4 ou 5 élèves disposés en pavillons séparés à plusieurs étages, en même temps qu'une partie des élèves serait en dortoir dans un bâtiment plus important. » En réponse, il a conçu un ensemble de 3 ou 4 pavillons ayant à chaque étage 8 chambres de 4 élèves. Doit-il maintenir ce dispositif ou « prévoir uniquement des dortoirs communs, avec ou sans séparation entre les lits », système meilleur marché ? Ou encore, comme il l'a proposé à Trincano, réaliser une installation provisoire dans le bâtiment E. Le directeur général préconise l'aménagement de l'internat et du réfectoire dans les locaux déjà construits, idée reprise le 24 mars suivant par le sous-secrétaire d'Etat : il ajourne la construction du bâtiment E, dont les crédits seront affectés à l'implantation de l'internat dans les bâtiments existants.
La Commission de contrôle des travaux des Ecoles nationales d'Enseignement technique demande une mise au concours pour cette importante modification. Réaction immédiate de Guadet, qui s'oppose fermement à cette mise au concours. Déjà, à titre personnel, il s'indigne : « me retirer la direction d'une partie des travaux de l'Ecole de Besançon dont je suis l'architecte désigné par arrêté ministériel du 14 août 1925, ne peut se faire que par un nouvel arrêté et cet arrêté devrait évidemment expliquer la mesure prise à mon égard, en s'appuyant sur un reproche grave justifiant le très grand préjudice moral qui me serait ainsi causé. Or j'ai conscience d'avoir, au contraire, apporté un très grand dévouement à l'étude et à la réalisation des travaux de l'Ecole et être arrivé à un résultat que peu d'architectes, je puis bien le dire, aurait obtenu et que tout le monde estime faire de cet établissement un vrai modèle. »
Par ailleurs, à titre professionnel, il estime que la procédure du concours n'est pas adaptée : d'une part elle n'offre aucune garantie quant au sérieux de l'architecte retenu, « d'autre part les Ecoles de l'Enseignement Technique ont toutes des programmes très spéciaux par la nature même de l'enseignement qui y est donné, une Ecole de Coutellerie ne ressemblera pas à une Ecole d'Horlogerie, une Ecole d'Optique à une Ecole de Tissage, une Ecole Hôtelière à une Ecole de Papeterie ; même dans les Ecoles moins spécialisées, il y a toujours des particularités locales dont il est nécessaire de tenir compte. Or ces programmes très délicats à résoudre ne peuvent l'être que par une documentation très sérieuse et une collaboration intime entre l'Architecte et le Directeur de l'Ecole. C'est ainsi que pour l'Ecole de Besançon, ce qui m'a permis d'arriver au résultat rappelé plus haut, c'est d'avoir fait un voyage d'études avec Messieurs Lipmann et Trincano en Suisse et dans la région horlogère de France, et, au cours de ce voyage ces Messieurs et moi avons été amenés à modifier plusieurs des idées que nous avions. » Guadet rappelle en outre son rapport du 31 janvier où il suggérait que le sous-secrétariat d'Etat à l'Enseignement technique « dispose sur place d'un architecte attaché à chaque Ecole ». Une fois précisé son rôle et celui de l'architecte conseil, il y aurait la garantie d'un suivi effectif et moins onéreux des travaux futurs dans l'école.
Boucton lui rapporte l'une des raisons non dites qui ont motivé cette proposition de mise au concours : « La commission à laquelle assistait Mr Labbé semble avoir été influencée par la réputation que vous avez à l'Enseignement technique d'être très lent dans vos chantiers. C'est tout au moins la principale arme dont on se sert contre vous. »
Guadet reçoit satisfaction quant à l'école de Besançon puisque c'est lui qui continue à suivre la question de l'internat. Il étudie simultanément les deux possibilités : aménagement des bâtiments existants ou construction neuve.
Le 2 mai 1930, il présente sa proposition pour cette deuxième option. Il répartit les bâtiments entre les deux sites, la parcelle non bâtie qui jouxte l'avenue Clemenceau lui paraissant trop petite pour accueillir l'ensemble du projet tout en préservant une cour de récréation suffisante. Sur cette parcelle, il imagine trois corps de bâtiment avec services (douches, buanderie et repassage), chaufferie, garages, logement du surveillant général et grand préau au rez-de-chaussée, dortoirs pour 400 élèves et surveillants aux trois étages. « Les dimensions de ces dortoirs ont été calculées de manière qu'il n'existe que deux rangées de lits et que ces lits soient suffisamment espacés pour permettre, ultérieurement, la création de logettes individuelles. » Le troisième étage pourrait d'ailleurs n'être réalisé que dans un second temps, si ces logettes se font effectivement. Sur le site principal, au long de la rue Coste, il prévoit un bâtiment réunissant cuisine, réfectoire pour 400 élèves, amphithéâtre de 600 places « qui manque dans l'Ecole proprement dite actuelle », « salle de réunions pour les élèves lorsque le mauvais temps empêche les récréations de plein air les jours de congé », logements du personnel et de l'économe.
La première option - se déployer dans les bâtiments construits - pose divers problèmes notamment quant à la localisation exacte des locaux à affecter, incertitude peu compatible avec un chantier en pleine marche. Le 30 juillet, Boucton écrit à l'architecte : « Je suis au courant par M. Trincano et par M. Georget présent à la visite générale d'hier, des chambardements survenus dans le programme de travaux de l'Ecole. J'ai fait suspendre le travail dans le 3° étage du bâtiment des classes (B2 / E/F, ateliers de bijouterie) dans lesquels doivent se trouver l'infirmerie et les appartements. De même dans toute la partie de la jonction A.C.E. qui serait occupée par le futur internat. Etant donné l'urgence du travail, et sachant d'autre part, que votre nègre Michel Carnot doit partir en vacances dans les premiers jours d'août, je pense qu'il serait peut-être préférable pour la bonne marche du travail et pour les décisions à prendre, que je vous aide à donner le coup de collier demandé par l'Administration. » Il propose donc de le rencontrer à Passy ou à Paris.
Le coup de collier semble efficace puisque le 25 septembre 1930, dans une lettre au directeur général de l'Enseignement technique, Guadet est en mesure de proposer une solution pour ce déploiement. Son montant est toutefois évalué à 700 000 F !
Ce chiffre est justifié par la nécessité de modifier une construction destinée à des ateliers et non à des logements : ainsi, l'étage concerné fait 5 m de haut d'où des cloisons élevées qui, de plus, arriveront en face des fenêtres. En effet, cet étage est abondamment vitré par de grands châssis qui sont « du modèle qui a été étudié pour les divers ateliers de l'Ecole d'Horlogerie de manière à donner le maximum d'éclairement mais sans que les parties ouvrantes occupent de grandes surfaces parce que celà est inutile dans des ateliers et c'est ainsi que de grandes glaces fixes occupent toute la partie basse des châssis sur une hauteur de [-] m ». Il faut régler la question de l'aération mais aussi celle de la circulation des fluides (eau, etc.).
L'architecte fait donc une contre-proposition : un bâtiment de 14 m sur 42, avec cuisine, réfectoire de 336 places et préau de 14 m de côté au rez-de-chaussée, au premier étage les appartements de l'économe et du surveillant général ainsi que 20 à 22 chambres pour les maîtres et le personnel, au deuxième étage une infirmerie de 10 lits et un dortoir de 72 lits, au-dessus un ou deux étages de dortoirs supplémentaires, de 88 lits chacun. La construction pourrait se faire par étapes avec réalisation dans un premier temps des deux premiers étages seulement et installation des dortoirs à l'extrémité nord de la traverse. La dépense serait importante (1 500 000 F) mais mieux adaptée au but recherché. Cette proposition est approuvée par Trincano, qui insiste sur le fait qu'elle resterait dans les limites du devis approuvé le 1er août 1928 (18 millions de francs) et que la première solution - ne permettant de loger que 130 à 140 élèves - ne dispenserait pas de la construction ultérieure d'un nouveau bâtiment pour arriver au chiffre minimum de 300 internes.
Finalement, la question est tranchée par Edmond Labbé dans la première quinzaine de novembre 1930 : « Cuisine et dépendances au rez-de-chaussée du bâtiment D. Réfectoire au-dessus [...] Le dortoir et l'infirmerie seront installés dans la totalité du 3ème étage du bâtiment B et du bâtiment F. Le rez-de-chaussée de la jonction A C E sera occupé par un atelier de mécanique. Au-dessus se trouveront les deux appartements de l'Econome et du Surveillant général, et au-dessus encore, les logements des maîtres internes et des domestiques. »
Trincano effectue avec Boucton une visite à l'école nationale professionnelle de Voiron, en Isère (actuel lycée Ferdinand Buisson et première ENP ouverte en France, le 5 octobre 1886), pour voir l'internat et les cuisines. Cette visite lui sert de base pour une nouvelle proposition, le 24 novembre 1930. Il signale que l'aménagement prévu pour l'internat permet de trouver 182 lits et qu'il en manquera donc une cinquantaine. Or c'est le nombre de lits qu'il serait possible de caser dans l'emplacement réservé à l'infirmerie, obtenant ainsi un internat définitif (et il insiste sur l'adjectif). Il propose donc, à l'image de ce qui existe à Voiron, d'aménager l'infirmerie dans un petit pavillon existant sur la parcelle de terrain achetée à Douge : « là-bas, l'infirmerie se trouve isolée dans un parc, et c'est du reste le règlement que celle-ci doit être dans un pavillon spécial ».
Cette proposition, soutenue avec enthousiasme par Lipmann, est adoptée les 5 et 6 décembre 1930 lors d'une réunion dans le bureau d'Hippolyte Luc, le directeur adjoint de l'Enseignement Technique (qu'il dirigera de 1933 à 1944). Les architectes ayant signalé que le pavillon n'est pas adapté et d'autres raisons étant avancées à l'encontre de son emplacement, la nouvelle infirmerie doit prendre place dans un bâtiment de 10 m sur 8 m, comptant trois étages, à placer dans le prolongement de D. Ce bâtiment sera finalement édifié (avec un seul étage) à l'ouest de D, au long de la rue Coste, et achevé en juillet 1931.
Les innombrables modifications du programme rendent compte d'une inflation des besoins, vraisemblablement mal maîtrisés dès l'origine, sans que le directeur soit seul responsable.
Elles s'expliquent aussi en partie par des raisons budgétaires. Ainsi, le 6 février 1928, Trincano confiait à Guadet : « Monsieur Labbé a convoqué la semaine dernière les économes des écoles, ce fut encore une fois la douche écossaise en ce qui concerne les crédits nécessaires pour la nouvelle école. Le comptable a été chargé de me transmettre l'ordre d'arrêter la construction du bâtiment de la mécanique, car il y aurait une réduction de vingt millions faite sur les quarante millions prévus pour les constructions de l'enseignement technique, et tout se retrouve mis en discussion. » Le tout dans un contexte d'augmentation du coût des matériaux et de la main d'œuvre. En 1930, il faudra une intervention (le 20 octobre) de Georges Pernot, député du Doubs mais aussi ministre des Travaux publics, pour que le sous-secrétaire d'Etat Henri Lillaz confirme que des crédits complémentaires seront bien débloqués. Le but : éviter l'arrêt des travaux afin que « le transfert dans les nouveaux locaux et l'ouverture de l'internat puissent être effectués au 1° octobre 1931 ».
Durant toute cette période, les plans sont continuellement repris et les interventions du directeur incessantes, entraînant sur la fin des conflits avec les architectes. Ainsi, dans le rapport n° 50 (février-mars 1928), Boucton écrit : « En ce qui concerne le croquis n° 4 (coupe sur le lanterneau de la mécanique), Monsieur Trincano n'est plus d'accord sur le principe de l'éclairage, il a réuni à nouveau ses professeurs et ils ont décidé qu'il serait préférable de placer simplement un lanterneau en verre avec double vitrage ainsi que vous le montre mon croquis. Puis j'ai été littéralement bombardé de questions les plus diverses sur les aménagements et destination des bâtiments. J'ai prié Monsieur Trincano de s'entendre définitivement avec ses professeurs ; de concentrer toutes ses observations sur un rapport que je vous adresserai dès qu'il sera prêt avec documents et plans si besoin. »
Les tiraillements entre Trincano et Boucton se poursuivent. Si le premier reconnaît au second « sa bonne volonté immédiate », il lui reproche son manque de méthode et, surtout, de disponibilité, d'où une désorganisation certaine : « Pour en finir le chantier est une pétaudière où fleurit la gabegie. » Inversement, Boucton supporte mal l'ingérence du directeur. Le 23 janvier 1931, il écrit à Guadet : « J'en ai profité pour avertir très nettement M. Trincano qu'il n'était plus possible désormais de faire le moindre changement si nous voulons en terminer. En effet, pour ma part, c'est la 32ème fois que je refais ces plans ! et j'ai montré combien c'est excessif [...] comme vous, je trouve que M. Trincano exagère !!! » Et plus loin, signalant que le directeur demande que le concierge puisse disposer de sa loge dès maintenant, ce qui implique des travaux provisoires : « M. Trincano a exigé, constatant ma résistance, que ce travail soit fait et avait même pris sur lui de commander un entrepreneur du pays pour faire ce travail. Je lui ai précisé qu'il n'avait pas le droit de donner des ordres sur un chantier d'abord et qu'ensuite le travail n'étant pas livré, les entrepreneurs restaient responsables de leurs travaux [...] Je vais aviser par écrit ces entrepreneurs qu'aucun travail ne leur sera réglé s'il n'est pas justifié par un ordre de service signé de l'architecte. » De fait, dans une liste de pièces établie après le décès de Guadet, la mention d'un courrier de mai 1931 est accompagnée du commentaire suivant : « 26 mai 1931. Mr Guadet à tous les Entrepreneurs. Cette lettre a été envoyée à tous les Entrepreneurs parce que Mr Trincano commandait des travaux en dehors de l'Architecte et que ces travaux très souvent n'avaient pas de crédit ou contredisait [sic] des ordres gérés par l'Architecte. » Il en sera ainsi jusqu'à la fin du chantier.
5. Un chantier laborieux
Qu'en est-il du déroulement du chantier ?
Les travaux du gros œuvre sont adjugés en septembre 1926 à l'entreprise E. Georget et G. Cormier - Cormier jeune, Aumétayer et Jubert réunies –, établie à Paris au 10 rue d'Ouessant, qui a soumissionné pour le terrassement, la maçonnerie, le béton armé et les couvertures (terrasses en béton), formant autant de lots distincts. Les terrassements débutent en octobre et la roche extraite est de qualité suffisante pour donner après broyage « un sable comparable au tout venant employé à Paris, qui sera parfait pour le béton ». En janvier 1927, Boucton précise : « La roche extraite des fouilles étant fort belle, je la fait sauter à la poudre noire au lieu de cheddite, de façon à obtenir de beaux moellons que nous pourrons utiliser pour les parements. »
La cérémonie de la pose de la première pierre a lieu le 26 mai 1927, en présence du ministre de l'Agriculture Henri Queuille, du directeur général de l'Enseignement technique Edmond Labbé et de celui de l'Enseignement supérieur Jacques Cavalier.
Dans son rapport hebdomadaire n° 31 (11-16 juillet 1927), Boucton indique que le plancher haut du sous-sol des bâtiments A et B est achevé ou en voie d'achèvement. Fin novembre 1927, la structure en béton armé du corps de bâtiment A est achevée, le gros œuvre de cette aile nord étant entièrement fini (étanchéité des terrasses comprise) au 1er mai 1928. En mars 1928, l'aile sud est en chantier : le départ du corps B est « en cours de décoffrage pour le dernier étage et en cours de coffrage pour l'horloge et l'assise de la coupole » ; le corps F en est aux fondations. Fin mai, le plancher haut de son rez-de-chaussée en est au coffrage alors que les fouilles du bâtiment C (traverse) sont presque finies ; ce dernier est d'ailleurs achevé fin juin (il n'a qu'un rez-de-chaussée et un étage).
Le 23 mars 1928, dans une période de restrictions budgétaires, Trincano écrit au directeur général de l'Enseignement technique pour bouleverser l'ordre de construction des bâtiments. L'Administration a choisi de suspendre le chantier du bâtiment des classes (B) pour privilégier les corps avec ateliers (D, E et F), et de ne construire que le rez-de-chaussée du bâtiment F. Or Trincano a besoin des corps B et F pour l'enseignement : si B n'était pas édifié, « le personnel et les élèves seraient alors obligés de perdre un temps précieux à des allées et venues continuelles à travers la ville » ; de plus, « les ateliers de bijouterie et d'orfèvrerie continueraient à être situés en ville dans des conditions défavorables et précaires puisque l'Ecole ne se trouve même pas chez elle. Les propriétaires bénévoles, la Société générale des monteurs de boîtes d'or d'une part, la ville d'autre part, peuvent avoir besoin de leurs locaux ». Enfin, interrompre la construction de F occasionnerait des perturbations lorsque les étages viendraient à être édifiés. De son côté, Guadet désire pour des raisons de stabilité que le bâtiment B soit construit et l'inspecteur général Gaucher a proposé qu'il accueille un internat provisoire. Le directeur souhaite que l'aile sud (corps de bâtiment B et F) soit entièrement réalisée avant d'entreprendre l'extrémité occidentale de l'aile nord (corps E), « dont je demande de toutes manières de réserver la construction pour plus tard ». Il obtient au début d'août 1928 l'accord du ministre pour la réalisation de B et F, ainsi que la validation du nouveau plan d'ensemble et du nouveau devis, d'un montant de 18 000 000 F. En fait, la réalisation du bâtiment E est rejetée aux années Cinquante.
Dans une lettre du 6 juillet, Boucton signalait que l'entreprise Micciollo avait terminé la maçonnerie des deux premiers corps de bâtiment (A et B). Il ajoutait : « il reste à compléter les remplissages dans les travées devant recevoir les sculptures, et je constate de plus en plus combien ces travées sont importantes pour l'effet décoratif que vous voulez atteindre. »
La progression des constructions est jugée trop lente.
Le 10 décembre 1928, Trincano écrit à Guadet : « Je crois devoir vous signaler l'état d'esprit qui existe dans nos milieux locaux en ce qui concerne l'avancement des travaux Tantôt Monsieur le Préfet, tantôt Monsieur le Maire, me font part de leur surprise que le bâtiment de l'horlogerie ne soit pas plus avancé depuis la fin du gros œuvre, et M. Siffert s'en est même ouvert à M. Labbé ces derniers jours. D'accord avec ce dernier, il souhaite bénéficier des locaux actuels pour les cours professionnels que l'on ne sait où loger à Besançon, et je ne pourrai lui céder de ces locaux que quand l'horlogerie, tout au moins, sera installée dans la nouvelle école. »
Outre les errements dus aux modifications de programme et aux contraintes financières, le chantier souffre de retards divers dus aux entreprises. Se distingue particulièrement l'entrepreneur adjudicataire - le 21 octobre 1927 - du 7e lot (menuiserie, parquet, quincaillerie) : Camille Frigerio, de Frouard (Meurthe-et-Moselle). Si son premier envoi à la mi 1928 a été accepté (rapport n° 57 : « La première livraison de la maison Frigerio est acceptable, bois sec et sans nœuds. Je la ferai imprimer [peindre] dès lundi par un entrepreneur local. »), les suivants sont pour beaucoup jugés de mauvaise qualité. Nombre d'huisseries sont refusées et le personnel chargé de la pose tarde à arriver. En octobre 1928, son retard bloque l'intervention des autres corps d'état et les cloisons des niveaux construits ne peuvent être montées. Sa propension à faire la sourde oreille et à ne pas venir aux réunions motive de nombreux rappels à l'ordre de la part de Boucton. Le 27 juin 1929, Guadet informe ce dernier du déroulement d'une réunion le directeur adjoint de l'Enseignement Technique Hippolyte Luc, Camille Frigerio et lui-même : « Monsieur Frigerio s'est plaint vivement des termes trop secs de ma correspondance et de la vôtre avec lui, ajoutant qu'il n'aimait pas les coups de trique et que cela lui produit le même effet que sur une bourrique. » Réponse de Boucton le 3 juillet : « Je vous adresse ci-joint un référendum concernant le cas Frigerio (dorénavant je m'inspirerai des lettres de Madame de Sévigné avant de faire réponse à ce Monsieur si pointilleux). Les ouvriers de cette maison ont du reste abandonné le chantier depuis samedi soir et nous nous trouvons de nouveau en panne. »Il faudra que la direction de l'Enseignement technique intervienne de nouveau, le 9 mai 1930, avec menace d'application de pénalités pour que la situation se débloque réellement. Le 21 juin suivant, Trincano constatera : « Il [Frigerio] est à présent tout feu tout flamme et semble se plaindre que ce soit maintenant les autres corps d'état qui l'arrêtent » ! Une substitution partielle a toutefois eu lieu dès le 22 janvier ou le 1er février 1930, le marché étant confié à la Société industrielle et commerciale du Bois, société anonyme au capital de 1 250 000 F (ayant succédé aux établissements A. Dumoux) qui dispose à Montceau-les-Mines d'une scierie rue de Verdun et d'ateliers et bureaux rue de Dijon.
Les travaux se poursuivent, laborieusement.
A la mi juillet 1930, Boucton note : « Etat d'avancement normal, malgré qu'il faut se battre tous les jours, soit contre le manque de main-d'œuvre, soit le manque de matériaux. J'ai un mal extrême à maintenir l'approvisionnement de briques cuites, les usines, paraît-il, ne pouvant suffire aux commandes. De même pour la mosaïque de Bacle et Moulin, les ouvriers sont obligés de suspendre leur travail pour 3 semaines, les usines de grès cérames ne pouvant les alimenter en marchandises que d'ici quelques temps. Pour la main-d'œuvre, il est très difficile de maintenir des cimentiers véritablement capables, le mauvais temps interrompant à tout moment les efforts de ces ouvriers ; ceux-ci se découragent et menacent toujours de partir. » De plus, il signale le 24 septembre que les crédits débloqués pour 1930-1931 sont insuffisants pour seulement solder les travaux en cours et qu'il faudrait tout de même achever de mettre hors d'air le bâtiment des classes (B) et le sous-sol de la mécanique (C).
Le 25 octobre, il décrit clairement les tensions générées par les retards et dépassements de crédits : « En suite du rapport daté du 20 octobre que vous avez dû recevoir de M. Trincano, le conseil d'administration et la Commission des travaux se sont réunis jeudi 23 octobre sur le chantier pour examiner les lieux. J'ai entendu là peu de paroles sensées et beaucoup d'extravagances, jusqu'à la critique des honoraires des architectes, et au gaspillage de béton ! Quelques-uns de ces Messieurs trouvent que les sections des poteaux et nervures sont exagérées ; leurs usines sont construites de façon beaucoup plus légères et sont aussi solides ; que si l'architecte laissait faire celà c'était pour avoir davantage d'honoraires etc. J'ai protesté comme vous le pensez, en montrant combien étaient stupides de tels raisonnements. » Le 24, une deuxième réunion - en préfecture - décide que l'installation provisoire est maintenue telle que prévue et que l'école achevée devra être livrée fin mai 1931 ; un nouvel ordonnancement des travaux doit être rédigé, qui sera contrôlé régulièrement par la Commission et le Conseil d'administration ; la rentrée scolaire est repoussée à octobre 1931 mais le directeur pourra occuper son appartement avant et le personnel de l'Institut de chronométrie ses laboratoires.
Le 17 décembre 1930, Guadet adresse au sous-secrétaire d'Etat un rapport sur l'avancement des travaux. Le bâtiment A est achevé et, une fois que le directeur y aura placé ses appareils et établis, il sera possible de passer aux finitions ; reste encore à régler la question des modifications induites au rez-de-chaussée par l'installation de l'internat dans ce corps. Mêmes observations pour l'entrée (notée B/1). Le bâtiment B (ou B/2) est moins avancé : « Ce bâtiment a été le dernier mis en route. Les travaux de plâtrerie sont en cours. Les distributions intérieures de ce bâtiment ont été très retardées par suite des modifications constantes demandées par l'Administration. Ces modifications ont été motivées pour la plupart par la création d'un internat incorporé dans les bâtiments existants, ce qui a obligé de resserrer tous les services primitivement prévus. Si aucun changement ne survient au cours des travaux actuels, ce bâtiment pourrait voir ses plâtres achevés d'ici 2 mois (sauf cas de gel). » Bâtiments C et D : « Plâtres achevés ; installation du chauffage central très avancée. Cette installation sera modifiée en partie par suite de la création des réfectoires. » Bâtiment F : « Le troisième étage de ce bâtiment avec celui du B/2 étant affecté aux dortoirs, a nécessité des modifications profondes dans les distributions des étages inférieurs. Ces distributions sont encore à l'étude. » A l'étage en question, il faut refaire l'installation de chauffage et réaliser celle des sanitaires : l'achèvement du bâtiment nécessitera donc encore 5 à 6 mois. L'institut de Chronométrie est à peu près terminé. Il faudra au final encore 6 ou 7 mois pour un achèvement total de l'école, possible pour la rentrée scolaire d'octobre 1931.
Les rapports hebdomadaires de Boucton et les courriers de Guadet permettent de suivre en détail l'avancement global du chantier mais aussi, plus finement, l'installation de tel ou tel équipement.
Premier d'entre eux : l'observatoire, outil présent dans l'ensemble des écoles d'horlogerie car la « fabrication » de l'heure exacte s'effectue par observation des astres. A Besançon, cette fonction est à l'origine de la création de l'Observatoire astronomique, météorologique et chronométrique de la Bouloie, inauguré en août 1885.
Un petit observatoire est déjà signalé dans le bâtiment du Grenier d'Abondance, dans un courrier non daté ni signé mais peut-être attribuable à Julien Félix en 1901 et globalement hostile à l'Observatoire officiel : « à l'Ecole, avec l'autorisation de l'Administration de l'Ecole et de la Municipalité, on a installé une lunette méridienne, afin d'y prendre l'heure et de montrer aux élèves comment l'on prend l'heure. » Cette initiative en revient au directeur de l'époque, Auguste Fénon (1843-1913), par ailleurs éminent horloger auteur de nombreuses pendules de précision destinées aux observatoires astronomiques. Fénon (qui sera directeur de 1892 à 1912) est vivement critiqué par l'un des conseillers municipaux, l'horloger Maillard-Salin, membre de la commission administrative de l'école : « il [Fénon] préfère s'amuser avec l'observatoire enfantin, qu'il a construit pour son usage personnel dans les greniers de l'école et qui lui procure deux satisfactions : la première, c'est qu'il se figure qu'il peut faire la nique à notre observatoire officiel, très bien installé, dont le bon fonctionnement et la prospérité l'empêchent peut-être de dormir ; la seconde consiste dans la faculté que ses observations astronomiques (?) lui donnent de délivrer à ses propres produits des certificats de bonne marche comme ils n'ont jamais pu en obtenir dans les concours ouverts à ses concurrents. »
La portée pédagogique de l'instrument justifie dans tous les cas sa présence et les remarques de Trincano sur l'un des tous premiers projets de Guadet, en août 1925, concernent notamment l'observatoire : la « chambre d'horloge » sera surmontée d'une « coupole fermée ayant 4 ouvertures faciles pour l'emploi d'une lunette astronomique. Ces 4 ouvertures doivent être de dimensions telles que la lunette placée au centre sur un pivot fixe a la possibilité d'être braquée sur tous les points du ciel. Il est probablement possible de faire des ouvertures sans envisager une coupole tournante ». Dans son rapport des 11-16 juillet 1927, Boucton indique que le directeur a opté pour une coupole astronomique mobile et non fixe : elle sera donc métallique et non plus en béton armé.
En mars 1928, l'assise de la coupole est en cours de coffrage et le 10 janvier 1929, Boucton annonce : « La coupole sera à pied d'œuvre dans une dizaine de jours. » Elle est fournie par l'entrepreneur du 8e lot (châssis métalliques, serrurerie), adjugé le 4 novembre 1927 : la maison V. Verdon (24 rue Saint-Ferdinand, à Paris). Celle-ci fabrique l'ossature (« la lanterne »), les deux portes cintrées, le châssis de roulement et l'ensemble des pièces mécaniques : « Chemins et galets de roulement, treuil d'ouverture des portes et de rotation de la coupole, chaîne d'entraînement et d'ouverture, vis à pas contraires pour manœuvre des portes, compris tous accessoires, graisseurs etc... » Pour la couvrir, Guadet préconise la réalisation d' « un voligeage raboté avec en dessus une couverture en zinc, N° 14. J'attire votre attention sur ce que beaucoup de feuilles de zinc présentent en ce moment des boursouflures comme des ampoules qui constituent un défaut et le zinc employé devra en être rigoureusement exempt. » Dans son rapport n° 104 (du 16 mai 1929), Boucton signale que le plancher de la coupole ont été expédiés par le même Verdon, qui fournira également l'escalier d'accès.
Pour l'instrument, Trincano s'entend en janvier 1929 avec Georges Prin, successeur des maisons William Eichens et Paul Gautier réunies, installé 56 boulevard Arago à Paris (son papier à en-tête signale : Georges Prin, élève et successeur de P. Gautier, constructeur d'instruments de précision). Il lui commande une lunette équatoriale, peut-être sur le modèle de celle de l'observatoire de Mulhouse connue par un article de son propriétaire, René Schlumberger, dans le numéro d'août 1928 de la revue L'Astronomie, dont un exemplaire est conservé dans le fonds Guadet.
Le directeur écrit à Guadet le 16 janvier 1929 : « Veuillez [...] me tenir au courant des décisions qui seront prises, tant en ce qui concerne le support pilier que la hauteur du plancher et la question des gradins : je m'en remets pour l'Ecole aux conseils de M. Prin, du moment qu'il sait qu'il s'agit d'un établissement d'enseignement, c'est-à-dire qu'un certain nombre d'élèves doivent pouvoir entourer l'appareil. » Le 21 novembre, Prin donne un plan avec les indications pour la construction d'un pilier triangulaire en béton armé destiné à assurer une stabilité maximum à l'instrument d'observation.
Surmontant l'entrée principale, l'horloge monumentale est un élément emblématique de l'école, exposée à la vue de la ville, mais elle a aussi valeur pédagogique. A ce double titre, elle doit être particulièrement soignée : ce sera donc une horloge lumineuse.
Lors de la consultation destinée à sélectionner un fournisseur, en février 1929, le choix est vite arrêté : la société Ungerer Frères de Strasbourg offre de fournir l'horloge et son système de remontage automatique « complètement à leurs frais ». Fondée en 1858 par Jules (1851-1917) et Alfred (1861-1933) Ungerer, successeurs de Jean-Baptiste Schwilgué (1776-1856), cette société est installée depuis 1903 au 16 rue de la Broque, à Strasbourg. En 1929, dirigée par Alfred Ungerer et ses deux fils, Théodore (1894-1935) - qui sera chargé du suivi de cette commande - et Charles (1895-1971), elle traite avec la Ville au sujet de l'électrification des horloges publiques.
Le mouvement doit prendre place dans une salle donnant sur la terrasse du bâtiment, salle suffisamment vaste pour accueillir 8 personnes « pour les explications à donner aux élèves ». Boucton évoque le 31 mai 1929 divers problèmes liés au poids des aiguilles et au mode d'éclairage. Ces questions sont résolues lors d'une rencontre entre Guadet, Théodore Ungerer et les Etablissements Paz et Silva, S.A. spécialisée dans la publicité lumineuse et établie au 55 rue Sainte-Anne à Paris. La demande d'autorisation de dépense (2 900 F plus la pose) envoyée le 24 janvier 1930 par Trincano à la Direction générale de l'Enseignement technique en rend compte : points horaires éclairés à l'aide d'ampoules classiques, aiguilles rendues lumineuses à l'aide de tubes au néon. L'autorisation sera donnée le 8 février suivant. Alfred Ungerer était pourtant opposé à cette solution, nécessitant un renforcement du mouvement « par l'adjonction d'un dispositif à force constante (remontoir d'égalité) nécessité par le poids considérable des aiguilles et de la minuterie ». Sa réticence de « vieux praticien » se base aussi sur le fait qu'avec cette solution, l'écartement entre les aiguilles et le cadran est grand si bien qu'il y a une différence de quelques minutes suivant que l'observateur les regarde de face ou de côté. Il lui préfère un système à cadran lumineux alors que Trincano imaginait le 1er juin 1929 l'application d' « une nouvelle idée américaine » où les aiguilles sont remplacées par des faisceaux lumineux.
Dans son rapport du 4 octobre 1929, Boucton mentionne : « Mosaïque. Cadran en cours de pose, bel effet : les points blancs vont bien sur les parties foncées, mais faisaient très mal sur le blanc, donnant l'impression assez curieuse d'une feuille de papier, le grisaillement des joints a fait disparaître cette impression. » Le devis de ce cadran a été accepté par Guadet le 25 juillet : la société Bacle et Moulin s'engageait, moyennant 4 000 F, à le réaliser « en mosaïque de hasard, opus incertum grès émaillé blanc avec cadre, en carreaux stanifères, de 10/10 et pastilles ». Pour les cloches, Ungerer a fait deux propositions, en bronze et en acier diaphonique : le dernier, deux fois moins cher, est retenu. Les trois cloches doivent avoir un diamètre de 35, 45 et 60 cm, pour un poids respectif de 25, 40 et 100 kg.
A noter qu'une deuxième horloge est prévue, à destination du personnel et des élèves celle-ci : il est question le 3 décembre 1931 de l'installer sur le bâtiment C. En outre, dans une lettre du 3 janvier de cette même année, Guadet écrivait : « Pour le cadran solaire de l'Ecole de Besançon, il faudrait que M. Trincano en donne le tracé et que cela soit tout simplement gravé dans un enduit et les traits, etc. colorés en noir. Le stile serait exécuté en cuivre par Verdon ». Le dessin qu'il en donne montre que le cadran doit couronner la jonction des bâtiments B, C et F, c'est-à-dire la travée marquée au rez-de-chaussée par l'entrée du garage du directeur, avenue Villarceau. On ne sait si ce cadran fut effectivement réalisé (il n'en reste aucune trace, ni sur le mur ni dans les mémoires).
L'horloge et l'observatoire coiffent un corps d'entrée particulièrement individualisé et point d'orgue de l'édifice.
Or son aspect au rez-de-chaussée ne satisfait nullement le directeur, qui écrit le 31 juin 1930 : « Je vous réitère notre conversation au sujet de la porte d'entrée dont l'aspect massif frappe tous les visiteurs : c'est une loupe dans un beau visage, et il faut absolument que M. Guadet et vous-même résolviez le problème d'une bonne présentation. » En cause : les inscriptions donnant le titre de l'école, dont le choix est évoqué dès novembre 1928 : « pour le définir, je vous rappelle que celle-ci comporte actuellement les sections suivantes : Horlogerie ; Mécanique de Précision (instruments) ; Petite Mécanique (machines) ; Bijouterie et Joaillerie ; Petite orfèvrerie. D'autres sections seront certainement créées par la suite pour : l'Electricité (appareils) ; l'Aviation (appareils) ; les P.T.T., etc. (appareils). » Constatant qu'une proposition unique n'avait pu être décidée par le Conseil d'administration « vue toutes les tendances professionnelles en jeu », Trincano demande au sous-secrétaire d'Etat de trancher et propose trois intitulés : « Ecole nationale d'Horlogerie et de Mécanique de Précision », titre actuel qu'il juge long, incomplet et trop axé sur l'horlogerie « d'où préjudice pour le recrutement » ; « Ecole nationale de Besançon » accompagné de la mention des sections, mais le titre lui-même reste vague ; « Ecole nationale d'Industrie de Précision », « qui indique immédiatement le but de l'Ecole et englobe toutes les industries de précision présentes et à venir ».
Le 26 mars 1930, Guadet confirme à Boucton la teneur de l'inscription prévue au-dessus de l'entrée par Trincano (qui suit en cela la décision de l'inspecteur général de l'Enseignement technique Druot) : « Ecole nationale d'Horlogerie, de Mécanique et de Bijouterie ». Elle est simplifiée par rapport à la version du 22 février, qui comportait : « Enseignement technique / Ecole nationale / Horlogerie Mécanique Bijouterie » et, au-dessus des portes latérales : « Travaux d'art / et / de précision » à gauche, « Application / de / l'électricité » à droite. Guadet ajoute : « Pour remplir le vide ainsi créé au-dessus des deux petites portes, Monsieur Trincano étudie un motif qui comporterait : un compas, un sablier, un collier et deux éclairs électriques ; voudriez-vous voir le croquis que fait, pour cela, le professeur de dessin décoratif. » Finalement, la mention de la bijouterie disparaît : l'inscription retenue est « Ecole nationale / d'Horlogerie de Mécanique d'Electricité », en creux avec remplissage par des émaux d'or fournis par Bacle et Moulin. Le dessus des portes est laissé nu mais le motif, sans collier, est utilisé pour orner l'étage du bâtiment C. Il faut d'ailleurs noter qu'il reprend les éléments de celui présenté en 1912 par les majors de promotion : « Création d'une coiffure d'uniforme : Casquette en drap noir avec grande visière ornée sur le devant d'attributs or : compas (mécanique) ayant entre ses branches un sablier (horlogerie) et de chaque côté un éclair (électricité). Un numéro marque l'année scolaire de l'élève et deux étoiles désignent les majors. » C'est un motif similaire qui est retenu comme marque déposée de l'école et reproduit sur le papier à en-tête de 1931 : un sablier encadré à droite et à gauche par un éclair, placé sous un compas branches écartées et au-dessus d'un diamant rayonnant.
Les grilles de la porte d'entrée sont également importantes pour l'impression d'ensemble. Trincano et Guadet soignent donc leur aspect. Le 10 juillet 1928, l'architecte, malade, demande à Boucton : « Mr Trincano vous a remis il y a quelques jours des dessins de pièces d'horlogerie ; voudriez-vous avoir l'obligeance de me les envoyer pour étudier la décoration de la grille d'entrée. » Il les reçoit avec le rapport n° 57 de son collaborateur (période du 30 juin au 20 juillet 1928). Le 13, le directeur évoque son envoi d'« une feuille portant, d'une part, l'inscription à mettre au-dessus de la porte de la nouvelle école, et d'autre part, une proposition de motif pour la porte d'entrée (suite de balanciers et d'ancres) permettant un bon ajourage. Je ne sais si un tel motif peut être réalisé sans trop de frais, et vous trouverez, en tous cas, dans les figures annoncées, matière à d'autres motifs. » Retenant les éléments proposés, Guadet va les combiner en un décor plus foisonnant et touffu dont rendent compte ses dessins du 25 janvier 1929. Pour les portes latérales, il leur ajoute les armoiries de la ville : un aigle noir aux ailes déployées et deux colonnes rouges sur fond jaune (« d'or à l'aigle de sable, tenant de ses serres deux colonnes de gueules brochant sur les ailes »). Celles de gauche sont modifiées : par souci de symétrie, l'aigle regarde vers la droite (c'est ce que l'on appelle en héraldique un retournement de complaisance).
La réalisation en est confiée à l'entreprise de serrurerie et constructions métalliques V. Verdon, dont les bureaux sont 24 rue Saint-Ferdinand à Paris et l'usine aux 130-132 rue Martre et 13-17 rue Bardin à Clichy (actuellement département des Hauts-de-Seine). Outre un nombre conséquent de châssis métalliques pour les fenêtres, cette société aura fourni la coupole astronomique (67 900 F), six rampes d'escaliers (estimées 235 000 F) dont celle de l'escalier principal, « 1 grille d'entrée à deux vantaux et 2 grilles d'entrée à 1 vantail » (91 000 F), « grilles de clôture avec pilastres et porte à 2 vantaux de la clôture » (265 000 F), etc. Les dessins des châssis, des grilles et des rampes ont été donnés par Guadet.
Dernier élément de prestige de la façade de l'entrée, et non un des moindres : les bas-reliefs.
Paul Guadet demande à son ami le sculpteur lyonnais André Vermare (Lyon 27 novembre 1869 - Bréhat 1949) de réaliser les maquettes de ces bas-reliefs (il le pressentira aussi en mai 1928 pour l'école de Morez). Elève de Charles Dufrain et d'Alexandre Falguière, prix Chenavard en 1894 et Grand Prix de Rome en 1898, Vermare est alors domicilié Villa Montmorency, au 23 avenue des Sycomores à Auteuil (il quittera cette villa en 1929 et installera son atelier à Saint-Cloud), ou dans sa « villa-chaumière » de Pen Ar Bout, dans l'île de Bréhat (Côtes-du-Nord). Le 23 février 1927, il envoie un devis à l'architecte avec trois options :
« 1° Par unité en aggloméré d'un seul morceau - Huit mille - frs 8000. Pour les 6 bas-reliefs = 48 000.
2° En pierre de Savonnière en 3 morceaux. Par unité neuf mille cinq cents - frs 9500. Pour les 6 = 57 000.
3° En grés flammé de Gentil et Bourdet par morceaux de 0,20 x 0,30 environ. Par unité onze mille francs - frs 11 000. Pour les 6 = 66 000 frs.
Ces prix comprennent les six bas-reliefs rendus à pied d'œuvre sans la pose. Il y a donc avantage certain à employer l'aggloméré de cette manière qui donne d'ailleurs toutes les plus sérieuses garanties. »
Si c'est le décor en grés flammé qui est choisi, il sera réalisé dans l'usine installée en 1905 au 189 rue du Vieux Pont de Sèvres, à Billancourt (aujourd'hui Boulogne-Billancourt) par la société Bourdet, Gentil et Cie, fondée en octobre 1901 à Paris et Nancy par l'association d'Alphonse Gentil et François-Eugène Bourdet.
Le 26 février, Guadet signale à Vermare qu'il opte pour l'aggloméré mais, le prix étant supérieur aux crédits dont il dispose, demande s'il est possible « de réduire un peu ce chiffre en faisant un coup de joint dans la hauteur de chaque bas-relief : cela doit être moins onéreux comme moulage et comme transport. » La réponse du sculpteur est certainement négative si bien que le marché est finalement passé par l'intermédiaire de l'entrepreneur du gros œuvre, la société Georget et Cormier (avec date d'effet au 25 février 1927). Le versement des 48 000 F est ainsi détaillé : « 30 % lors de l'établissement du modèle demi-grandeur, 30 % lors de l'établissement du modèle grandeur d'exécution, 30 % à la livraison des bas-reliefs, 10 % lors de la réception définitive des travaux » (en mai 1929, il ne restera plus à régler que les 10 % de la réception définitive).
Le sujet des sculptures est fixé par Trincano qui, le 9 mars 1927, répond ainsi à Guadet : « Dans votre lettre du 5 courant, vous voulez bien me demander également quels seraient les meilleurs sujets qu'il y aurait lieu d'indiquer au sculpteur pour les 6 bas-reliefs prévus en façade. A mon avis les épisodes les plus caractéristiques de la vie de nos différents élèves à l'Ecole sont :
- l'horloger à l'établi
- le mécanicien sur une machine
- le bijoutier à l'établi
- l'électricien devant les appareils
- l'élève étudiant les mathématiques
- l'élève dessinant. »
En précisant le programme au statuaire, Guadet ajoute : « Je crois bien que ces divers épisodes peuvent donner des choses assez variées, bien que l'horloger à l'établi et le bijoutier à l'établi doivent se ressembler sensiblement ; il y a néanmoins pour le bijoutier lorsqu'il travaille les matières précieuses, un tablier spécial qui donne un aspect assez différent de l'horloger proprement dit. »
Le 27 juin, l'architecte demande à Boucton d'envoyer au sculpteur « un gabarit exempt des emplacements où doivent être les bas-reliefs, surtout en ce qui concerne ceux qui doivent se trouver dans la partie cintrée en plan ».
Les maquettes viennent d'être livrées et Boucton signale que « Monsieur Laethier s'est mis tout de suite à l'ouvrage. Il y a déjà un bon dégrossissage de fait. » En effet, le sculpteur bisontin Georges Laëthier (1875-1955) a obtenu d'être associé au projet à la suite d'une intervention du maire de Besançon, Charles Siffert, auprès de Guadet le 3 mars précédent : Laëthier lui ayant signalé « que l'exécution des bas-reliefs de la façade de la future Ecole d'Horlogerie est confiée à un sculpteur étranger à notre ville », Siffert avait demandé à l'architecte « de bien vouloir examiner la possibilité de faire appel à son concours ». Laëthier est certainement chargé de réaliser les modèles grandeur d'exécution (à moins qu'il ne s'agisse des moules).
Rapport n° 40 (9-16 octobre 1927) de Boucton : « Les sculptures de Monsieur Vermare ont été très heureusement poussée par M° Grange, il ne reste plus que les fonds à épurer et à préciser, travail incombant à M° Lathier [sic] qui a reçu toutes les instructions nécessaires pour cela. Il serait bon cependant avant de procéder au moulage que Monsieur Vermare se rende compte par lui-même du résultat acquis. Je ne parviens pas à faire comprendre à Laithier [sic] les corrections utiles qui restent à faire. » Puis dans le rapport suivant (16-23 octobre 1927) : « Les sculptures sont bien terminées, Monsieur Vermare étant venu lui-même lundi dernier faire les retouches finales. Monsieur Trincano est venu en dernière heure pour les approuver. » Le 28 octobre, Guadet lui demande s'il est possible de « prononcer la réception des modèles et où en est exactement l'exécution des bas-reliefs définitifs ». Rapport n° 46 (3-10 janvier 1928) : « Tous les moulages sont heureusement venus, mais il sera nécessaire que Monsieur Vermare vienne sur place pour les travailler encore ; certains contours sont trop mous et la pierre a besoin d'être grattée pour faire apparaître son grain. »Des retards dans le chantier de l'école diffèrent la pose, que Boucton signale prochaine le 8 août 1929. Dans son rapport n° 109 (16 septembre) : « Les bas-reliefs n° 1 et 2 - les plus éloignés à gauche en regardant la façade - sont montés et encastrés entre les poteaux. ». Le 21 septembre : « Ces bas-reliefs vont très bien comme dimension, il convient seulement pour ceux qui sont cintrés d'accentuer le biseau dans l'épaisseur pour permettre le logement du bloc entre les poteaux. Ce travail a d'ailleurs été fait pour les premiers motifs mis en place depuis plus de huit jours. » Le problème est que l'entreprise Micciollo, chargée de leur pose et de la réalisation des remplissages en maçonnerie, tarde dans son travail.
Cette pose semble d'ailleurs laborieuse puisque le 1er mai 1930, Guadet annonce : « Monsieur Vermare doit venir le 12 mai à Besançon, il faudrait que les bas-reliefs soient échafaudés, sinon en totalité, au moins ceux les plus abîmés. » La présence d'un ouvrier bouchardeur habile est requise.
La décoration fait, comme à Morez et dans les autres réalisations de Guadet, la part belle aux mosaïques.
A l'extérieur, des carreaux et « pastilles » de terre cuite viennent animer les façades. Leur pose débute en octobre 1928 sur le bâtiment B : « bel aspect ». A l'intérieur, le carrelage au sol est prévu en carreaux grès cérame 142/142 et celui au mur en carreaux « en grès métro grand feu » biseautés blancs des établissements Charles Fourmaintraux et Delassus (« Maison Fourmaintraux-Courquin fondée en 1863 »), de Desvres (Pas-de-calais). Il est posé à partir de novembre 1929 par le bénéficiaire le 21 novembre 1927 de l'adjudication du 6e lot (carrelages et revêtements) : la société Delastre, établie 59 faubourg de Montbéliard à Belfort (le siège social de cette S.A. au capital de 3 600 000 F est à Lyon, au 12 rue Molière).
Le 2 janvier 1928, elle signalait à Guadet que l'abandon évoqué des revêtements muraux en faïence dans le grand escalier au profit d'une peinture décorée ne lui semblait pas une bonne chose : « d'après l'expérience que nous avons de la chose, aucune peinture ne peut résister au passage et au frottement répété des paquets, vêtements et objets divers, et à plus forte raison dans une école où l'on a à faire à des jeunes gens en général peu soigneux. Nous croyons donc qu'il y aurait lieu de revenir au projet primitif. Il serait d'ailleurs possible pour éviter de trop grands frais de ne faire le revêtement qu'à hauteur moyenne de main courante, en le surmontant d'une frise en relief. » Dont acte, mais avec de la mosaïque et non des carreaux 7 ½ / 15.
La mosaïque, elle, a été confiée à la maison Bacle et Moulin (3 rue du Général de Négrier, à Clamart) qui se prévaut de deux usines, à Clamart (rue Antoine Courbarien) et Fès (Maroc), et réalise tous décors en grès, grès cérame, « stannifère Briard » (émaux de Briare), pâte de verre, marbre, etc. Le 25 juillet 1929, Guadet accepte la proposition commerciale de cette maison pour le cadran de l'horloge et un revêtement mural « en grès cérame géométrique, éléments de 2/2, porphyre gris et gris uni avec porphyre jaune et jaune uni. - Plinthes dans le bas en mosaïque géométrique d'éléments réguliers de grès cérame noir. - Frise dans le haut en éléments régulier d°, porphyre jaune et jaune uni avec deux filets noirs », au prix de 155 F le m2. Le 15 mars 1930, Boucton signale : « Le mosaïste va établir la semaine prochaine les revêtements du grand escalier. Il serait utile, les marches de l'escalier étant terminées, d'établir de suite le carrelage des paliers. En quoi les avez-vous prévus ? Quel dessin, quelle teinte ? etc. Pour l'entrée, je vais faire faire des propositions par les Etablissements Delastre ; pour les cheminées Maybon, j'attends toujours leur arrivée pour les faire poser. » Il évoque aussi le « revêtement de céramo-marbre » envisagé pour le musée. Un courrier de Bacle et Moulin du 2 décembre suivant signale qu'ils ont achevés leur travail.
Cette société avait d'ailleurs rédigé, le 18 novembre 1929, un « devis concernant les travaux à exécuter pour la construction et l'habillage de cheminées à l'Ecole Nationale d'Horlogerie à Besançon (Doubs) ». Elle y chiffrait la réalisation de deux cheminées en briques et béton avec habillage « en mosaïque stannifère, éléments 2/2 » : 8 300 F (dont 5 800 pour l'habillage extérieur « avec colonnes, marches, redents, tablettes, etc. ») pour la grande et 2 900 F (dont 2 000 d'habillage) pour la petite.
C'est finalement une solution « traditionnelle », faisant appel au marbre, qui est retenue. L'appartement du directeur compte cinq cheminées, facturées 11 000 F le 11 juin 1930 : la plus importante en marbre blanc dans le salon (4 000 F), deux en « Bleu Turquin » (1 900 F pièce) et les deux autres en « Bleu fleuri » (1 600 F chacune), ces marbres provenant d'Italie. Elles sont fournies par la marbrerie Maybon, établie en 1900 à Flaumont-Waudrechies, dans le Nord. Cette entreprise a son siège au 15 rue Vaneau à Paris (et auparavant au 38 de la même rue) et elle a pour raison sociale : Veuve Maybon, ancienne Maison Huret & Cie - Denoyez et A. Maybon. Dans son offre de prix du 22 novembre 1929, elle proposait une réalisation en placage ou en épaisseur (1/3 plus chère que la première) avec une gamme de marbres comprenant : Lunel, Comblanchien ou Rouge de Flandre 1er choix, Blanc clair, Bleu Turquin, Rosé perlé ou Rouge de Rance, Piastraccia.
Boucton en parle le 16 mai 1930 : « Les cheminées Maybon sont arrivées à Besançon en bon état, mais je n'ai aucun tuyau concernant leur aspect et leur montage [...] Si ces cheminées sont conçues spécialement d'après vos données, vous seriez bien gentil de me documenter, car je suis bien embarrassé pour procéder au montage. » La société paraît en effet ne pas avoir suivi les dessins de Guadet, lequel reconnaîtra cependant plus tard que ceux fournis pour les cheminées des chambres étaient ambigus. Il faut donc les modifier et l'architecte écrit le 13 juillet : « le mieux n'est-il pas de conserver les foyères, de recouper les dessus et les côtés et, bien entendu, de supprimer les marbres existants dans les âtres. Qu'en pensez-vous ? On pourrait peut-être se resservir de ces marbres quelque part comme tablettes : Lavabos ? Bains ? » (le 25, il proposera une nouvelle destination aux chutes : « Les morceaux de marbre qui resteront pourraient peut-être servir pour l'arrangement des plaques d'inscription dans le grand escalier. Ce serait un petit jeu de patience pour voir ce que l'on pourrait en tirer. ») Réponse de Boucton le 15 : « Pour les cheminées de Maybon, je suis tout à fait de votre avis car je vous avoue ne pas pouvoir " encaisser " ces cheminées, mais je suis extrêmement embarrassé car je n'ai pas ici de marbrier vraiment capable de transformer celles-ci. »
Le 29, Guadet insiste pour que les transformations soient rapides : « En tous cas, il y a intérêt à ce que cela soit fait tout de suite car il commence à s'établir une légende dans les bureaux de l'Enseignement technique au sujet de ces cheminées, au besoin faites venir un scieur de Saint-Amour si vous ne pouvez trouver personne à Besançon. » Et le lendemain : « si les marbriers de Besançon ne peuvent pas faire proprement les recoupements on pourra calfeutrer avec une petite moulure de bois ; s'ils n'ont pas la scie nécessaire qu'ils l'achètent ou bien alors prenez un marbrier de Dôle ! Mais il est absolument indispensable que ce soit achevé la semaine prochaine. » (la date semble impérative, est-ce dû au désir manifesté par le maire et le sous-secrétaire d'Etat à l'Enseignement technique d'inaugurer l'école ? A celui du directeur d'occuper son appartement ?).
Finalement, la modification semble avoir été réalisée à Besançon. Le 11 avril 1931, Guadet règle en effet à la société Magnin et Fils (50 avenue Fontaine-Argent et rue des Docks), repreneur de la maison Choisel Neveu et successeur, « la plus importante et la mieux assortie de la région » (qui a elle-même succédé à la maison Lambert Aîné), une note de 690,90 F pour « 94 heures de marbrier pour un recoupement de cheminées ». Un dernier avatar est signalé le 6 juin suivant par le chauffagiste bisontin Ch. Voisin Fils et successeur (« Ancienne maison A. Voisin »), établi 17 rue du Palais de Justice et 1 rue Mégevand. En réponse à un commentaire de Guadet (accompagnant son règlement) qui juge trop onéreux « les travaux de démolition et repose des cheminées de l'appartement du directeur », Voisin écrit : « Vous n'ignorez pas que pour démonter des cheminées neuves et les remonter en employant le plus possible d'anciens matériaux, il y a une main-d'œuvre très importante. Il faut de grandes précautions pour ne pas casser les marbres ! Si j'avais seulement fourni les cheminées, j'aurais gagné un peu d'argent ; mais dans cette affaire je n'ai servi que de bouche-trou. »
Hospitalisé en septembre 1931 puis cloué au lit par une colite, Guadet décède le 16 octobre. Sa veuve reprend l'agence et manifeste au secrétaire d'Etat son souhait que les chantiers en cours soient poursuivis par les collaborateurs de son mari. Edmond Labbé donne son accord début décembre.
En hommage à l'architecte, son buste en bronze est placé dans l'école (sur le palier au deuxième étage du grand escalier, à l'entrée de l'amphithéâtre). Il est réalisé par son ami, André Vermare, et fondu par l'entreprise parisienne Susse frères. Est-ce cette œuvre que Vermare évoque le 11 mai 1929 dans une lettre à Guadet : « J'ai eu le temps de voir un moment le Salon dimanche dernier. J'ai été satisfait de l'impression de nos bustes. Mais à leur place l'éclairage est en effet défectueux à la fin de l'après-midi. A l'issue du salon, je prierai Méderare [?] de vous les porter chez vous. » ? Et le lendemain, de nouveau : « Mon cher Paul. Je suis allé hier pour la seconde fois au Salon et j'ai revu nos deux bustes, qui sont en effet " très beaux " mais si éloignés encore des modèles... Monsieur Georget m'a envoyé à leur sujet une lettre fort aimable et qui m'a bien vivement touché. »
Boucton en parle le 16 février 1932 : « Ci-joint également le buste du Patron pour l'Ecole Nationale d'Horlogerie de Besançon. Vermare demande si on le met sur une console que vous soyiez assez aimable pour en étudier le profil. » C'est finalement Boucton qui dessine le support, offert par les entrepreneurs. Il fait trois propositions de piédestal, avec emploi de mosaïque pour rester dans le goût du revêtement alentours. Sa première proposition, à pans coupés, est retenue et Mme Guadet lui demande « de faire faire le moule à Besançon, car l'on craint que le piédestal s'abîme en cours de route, s'il partait de Paris ». Elle lui écrit, dans une lettre en date du 19 mai : « J'espérais comme me l'avait dit M. Georget vous voir la semaine dernière pour m'entendre avec vous pour savoir comment envoyer le buste en bronze de Paul pour l'Ecole ».
Un autre élément de décor était prévu dans la cage du grand escalier, que Trincano évoque le 22 octobre 1931 dans une lettre à la veuve de Guadet : « Je viens de m'entretenir avec le président de l'Association des anciens Elèves de l'idée si belle de votre regretté mari, de perpétuer par une fresque la mémoire de ceux qui tombèrent en 1914-1918. Cette idée a été approuvée comme elle le mérite ». La réalisation de la fresque - devant symboliser « le Reconnaissance, l'Horlogerie et la Mort » - est confiée à M et Mme Pierre-Luc Rousseau. Yvonne Rousseau précise le 17 novembre : « Comme nous vous l'avons dit, dans un cas ordinaire, nous demanderions pour cette fresque décorative le prix de 5 000 F (environ 500 F du m2) non compris les frais de voyage et de séjour. Nous acceptons de la faire pour la somme de 2 000 F dont disposent les anciens élèves de l'Ecole, d'abord, par amitié pour Monsieur Guadet, dont ce fut la dernière pensée, ensuite, vu le but élevé de ce monument en commémoration du sacrifice de nos morts pour la Patrie. » L'offre est accueillie favorablement par l'association et Trincano indique son souhait que tout soit terminé pour la semaine précédant Pâques 1932 (qui, cette année-là, tombe le 27 mars), c'est-à-dire pour le congrès des Sociétés savantes. Nous ne savons pas si les délais furent tenus mais la peinture a effectivement été réalisée, sur le palier du premier étage. Elle n'est plus visible, masquée par une toile tendue sur un cadre en bois, mais demeure en place.
6. Une école toujours dynamique depuis son inauguration en 1933
Le nouvel établissement est inauguré par le président de la République Albert Lebrun le 2 juillet 1933 (soit avec un retard de deux ans sur la date prévue par le MM Labbé et Siffert).
Dans son discours, le président souligne l'une de ses particularités : l'alliance de l'enseignement technique et de l'université.
« Votre Université [...] constitue un centre spirituel de premier ordre. Ce qui frappe surtout en elle, c'est l'adaptation étroite qu'elle a su réaliser de la haute science aux besoins industriels de la région. Il y a accord entre les enseignements supérieur et technique. Le laboratoire se trouve prolongé sans brisure par l'usine, les travaux pratiques et les recherches expérimentales s'allient aux études scientifiques les plus élevées [...]
Nous avons inauguré ensuite votre nouvelle Ecole d'Horlogerie, de Mécanique et d'Electricité, due à l'initiative patiente et hardie de M. le Directeur général Labbé, dont le départ prochain n'est pas sans nous causer quelque mélancolie. Elle est certainement le plus bel et le plus moderne établissement d'enseignement technique. Nous avons admiré ce magnifique palais de ciment, de fer et de verre, son élégante façade avec la tour de l'horloge, son ingénieuse organisation, la parfaite mise au point de ses laboratoires, l'outillage si complet de ses ateliers, où l'enseignement pratique pourra aussi être donné avec sens et intelligence. On y formera les artisans complets ou spécialisés destinés, grâce aux relations existant avec les organismes de la place, au recrutement du personnel ouvrier nécessaire aux fabriques bisontines et comtoises.
Ainsi pourront être assurées la prospérité et la perpétuité de cette industrie horlogère qu'une sage mesure de la Convention instaura chez vous il y a cent quarante ans et qui fait véritablement figure aujourd'hui d'industrie nationale.
Enfin, nous avons parcouru votre Observatoire, où se règlent les pendules, où se contrôlent les chronomètres, où se délivre le poinçon de Besançon.
Ainsi se complète harmonieusement le cycle d'institutions qui, avec l'Union Horlogère de France, la Société chronométrique, le Bureau français de normalisation horlogère et l'Exposition permanente, fait de Besançon un tout complet et achevé où se résument l'industrie et la science horlogères de France. »
Paul-Émile Cadilhac, dans un article intitulé Le palais de l'heure publié dans L'Illustration du 10 décembre 1932, saluait déjà l'avancée que constitue en matière d'enseignement technique l'école. Dans une grande envolée lyrique – et rétrograde –, il la compare de nuit à « un paquebot de grande ligne filant tous feux allumés sur une mer d'encre ». Il écrit : « Elle symbolise, cette nef, les destinées de notre enseignement technique. Au parlement, où l'on vit trop souvent loin des réalités sous une verrière enfumée, on oublie ce qui fait la vie du pays. On y forge depuis quelques années des lois qui pourraient bien nous donner des Jacques Vingtras [héros de Jules Vallès]. N'avons-nous pas déjà assez de bacheliers dont certains, par la suite désaxés, peuvent devenir des révoltés ? Voulez-vous au contraire des hommes sains, équilibrés, normaux ? Faites donc des écoles techniques comme celle dont Besançon nous offre le magnifique exemple, multipliez les sur tout le territoire, ne ménagez ni les millions ni les hommes. Le navire est là, au port, quittant les bassins pour la grande aventure ; créez dans son sillage toute une flotte. » Toutefois, s'il admire l'œuvre de Guadet, il en regrette le matériau : « Ici le ciment domine et c'est dommage. Il existe pourtant dans le pays une adorable pierre aux reflets jaunes et rosés dont on a usé pour la Cité Universitaire. De quelle incomparable noblesse elle aurait vêtu l'école d'horlogerie ! »
Une brochure éditée en 1933 rappelle l'étendue de l'enseignement dispensé à l'école :
« I. - Section technique : pour cadre supérieur des industries de précision. Elèves techniciens. Classe des Mécaniciens. Horlogers. Electriciens. Mécaniciens de précision complets avec stages en Horlogerie et en Electricité. Préparation à l'Institut de Chronométrie.
II. - Section pratique, élèves praticiens :
a) Pour artisans complets et cadres moyens des Industries de précision. Classe des Horlogers pour la fabrication. Classe pour la réparation. Classe des Mécaniciens de précision. Classe des Mécaniciens-Electriciens.
b) Pour certaines branches : Elèves spécialisés. Classe des Horlogers-Commerçants. Classe des Horlogers spécialisés. Classe des Mécaniciens-Bijoutiers. - Elèves praticiens ou spécialisés : Classe des Bijoutiers-Joailliers. Formation complète ou spécialisation : soit pour la montre-bijou, soit pour la bijouterie-joaillerie.
III. - Section préparatoire : pour futurs élèves de la Section pratique.
Cette vaste organisation est en liaison étroite avec l'Observatoire, l'Institut de Chronométrie et la Fabrique bisontine et comtoise qui comprend un nombre considérable de fabriques et d'ateliers, dont 34 pour Besançon seulement, sans compter les centres de Morteau, Maîche, Charquemont, Morez, etc., etc. »
Le site totalise près de 5 200 m2 d'ateliers : 1 817 m2 destinés à accueillir 170 élèves en horlogerie, 2 830 m2 pour 150 élèves en mécanique et 544 m2 pour 55 élèves en bijouterie (section créée en 1928). La superficie totale est de 15 400 m2 (9 990 pour l'école et 5 410 pour les terrains de jeux). L'internat, comptant 235 lits, est opérationnel depuis janvier 1932 : « Les dortoirs sont entièrement occupés par les élèves et ont l'air de donner satisfaction jusqu'à présent » notait Boucton.
Selon Trincano (en 1944), la nouvelle école est plutôt mal accueillie à l'origine : ses dimensions et son coût final (24,5 millions avec l'outillage) font crier à la gabegie alors que les organes professionnels ont peur qu'elle ne forme trop d'apprentis ! Le directeur répond en mettant en avant son caractère national, le manque d'horlogers et plus encore de mécaniciens de précision, le faible coût pour la ville (2,4 % seulement du montant total au lieu des 25 % prévus, avec un financement de l'Etat assuré par la taxe d'apprentissage)...
Il déplore que l'établissement, jugé trop grand, doive par décision ministérielle (d'août 1932) héberger aussi l'Ecole primaire supérieure et l'Ecole pratique de Commerce et d'Industrie (qui formeront ensuite le Collège moderne et technique), portant à 750 le total des élèves du nouveau groupe scolaire. « Construit pour recevoir un effectif double de celui de l'ancienne école, il avait vu la place forcément libre au début de son installation occupée aussitôt par l'école municipale professionnelle, dans un but d'économie par la Ville et l'Etat. Ainsi, la nouvelle école voyait disparaître l'objet même de sa reconstruction, alors que le manque d'horlogers et encore plus de mécaniciens-horlogers et mécaniciens de précision se faisait durement sentir. » Cette cohabitation s'organise cependant, comme l'indique un prospectus de l'époque de l'inauguration : « L'enseignement de la mécanique de précision comporte une organisation spéciale qui englobe dans le même établissement : la section de mécanique (petit volume) de l'Ecole Nationale d'Horlogerie ; la section de mécanique (volume moyen) de l'Ecole Pratique d'Industrie. Dans cette organisation, les travaux et les cours techniques sont dirigés par le Directeur de l'Ecole Nationale, les cours théoriques par le Directeur de l'Ecole Pratique, et il existe un chef de travaux commun. Chaque Ecole continue à recruter les élèves de sa section. »
L'arrêté ministériel du 6 mars 1936 structure l'école en trois sections, avec une durée d'études de 4 ans : horlogerie, petite mécanique de précision et bijouterie. Un enseignement d'électricité est assuré aux élèves des deux premières sections, les horlogers effectuant en outre un stage en bijouterie. Après 1936 est aussi créée une section préparatoire à l'institut de Chronométrie. Hébergé dans les locaux et dirigé par Jules Haag (1882-1953), il forme des techniciens et des ingénieurs mécaniciens-horlogers en 5 ans (4 ans de section préparatoire et 1 an d'institut pour les techniciens, 3 et 2 ans pour les ingénieurs).
La naissance de l'école est suivie de différents procès, pour malfaçons.
Ainsi, la réception provisoire du marché Verdon (châssis métalliques, serrurerie) du 4 novembre 1927 a été prononcée le 26 juillet 1932, celle définitive le 19 juillet 1933. Mais dès 1935, certains châssis s'oxydent et se cintrent. 23 sont refaits par l'école, qui s'aperçoit ensuite que la plupart des 700 châssis fournis est attaquée, malgré une protection par « métallisation » (parkerisation ou « recouvrement par une pellicule de zinc ») alors jugée onéreuse (elle a coûté 4 ou 5 fois le prix d'une peinture ordinaire). Le 10 février 1940, l'administration se retourne donc contre l'architecte et le fournisseur au titre de la garantie décennale. Après passage devant plusieurs juridictions, elle est déboutée de son action le 11 mars 1954, le tribunal administratif de Besançon ayant reconnu que la société Verdon avait signalé que la métallisation ne résistait pas aux intempéries et devait être recouverte d'une ou deux couches de peinture, et que cette mise en peinture n'avait pas été faite.
Autre source d'ennuis : l'étanchéité des terrasses, réalisée par Georget et Cormier. Elle s'avère défectueuse si bien que des infiltrations se produisent, obligeant en 1935 les entrepreneurs à la refaire totalement (ainsi qu'une bonne partie des plafonds), sous la responsabilité de la Société d'Asphalte du Centre. Deux ans plus tard, nouvelles infiltrations, signalées par le directeur le 25 octobre 1937. Mais là, architectes et entrepreneurs se rejettent la faute. Le ministère de l'Education nationale porte donc l'affaire le 2 avril 1938 devant le Conseil de Préfecture interdépartemental du Doubs.
De leur côté, Mme Guadet et André Boucton intentent un procès à l'Etat aux motifs que les honoraires des architectes (Guadet puis Boucton) n'ont pas été réglés en intégralité ! Débutée en 1933, cette affaire ira jusqu'au Conseil d'Etat où elle sera réglée le 13 juin 1945 (l'Etat devra payer 211 010 F à la succession Guadet).
Le regroupement de plusieurs écoles et de l'institut de Chronométrie dans les mêmes locaux conduit très rapidement à un manque de place criant. De fait, les bâtiments se révèlent insuffisants dès 1938 et, en 1948, sans même compter l'institut, ils accueillent plus de 900 élèves : 250 pour l'école d'Horlogerie, 580 pour le collège (ex. E.P.C. – Ecole pratique de Commerce – et E.P.C.I. - Ecole pratique de Commerce et d'Industrie) et 80 pour le centre d'apprentissage. Ce dernier est né le 1er octobre 1946 par conversion de l'« atelier-école » fondé par l'arrêté ministériel du 20 octobre 1939 (institutions de préapprentissage à destination d'enfants âgés de 13 ans au moins, les ateliers-écoles ont été mis en place au cours des années Vingt par les Chambres de Commerce puis réglementés par le décret du 19 juin 1937).
Dès 1936, André Boucton donne des plans pour une extension de l’école par prolongation vers le sud-ouest de l’aile existante avenue Clemenceau : il propose donc l’achèvement du dessin initial en construisant le corps supprimé du projet huit ans auparavant. Toutefois, un nouvel architecte est choisi pour étudier l'agrandissement de l'école et la construction d'un internat (pour un crédit de 11 290 000 F) : Louis Sainsaulieu (1901-1972). Etabli en 1941 au 49 rue du Ranelagh à Paris, fils de l’architecte Max Sainsaulieu, formé auprès de lui et de Gabriel Héraud, Louis Sainsaulieu est diplômé en 1927 de l’Ecole nationale supérieure des Beaux-Arts. Il se spécialise dans les constructions universitaires, religieuses et médicales (sanatoriums). Nommé architecte en chef des bâtiments civils et des palais nationaux, il devient architecte de l’enseignement technique en 1942.
Sainsaulieu élabore en novembre 1938 un projet d’internat à cinq corps de bâtiments (deux en retour d’équerre réunis à une extrémité par un pavillon d’angle, chacun doté à l’autre extrémité d’un corps également en retour d’équerre). Le bâtiment principal compte un sous-sol, trois étages carrés et un étage en surcroît aménagé dans un toit (à croupes) fort aigu. Le projet comporte, outre les dortoirs, un appartement pour le directeur, une infirmerie, des cuisines et un réfectoire, une lingerie et une cordonnerie, un foyer, un préau, etc. L’extension de l’école fait l’objet d’un ensemble de plans datés de 1940 et se référant au Bureau des Etudes horlogères (ou BEH). Louis Trincano a fondé cette structure en octobre 1938, avec l’aide de Jules Haag (directeur de l’institut de Chronométrie) et de René Baillaud (directeur de l’observatoire). Son rôle : mener, au profit de l’ensemble de la filière, des études techniques « en vue du perfectionnement et de l’indépendance de l’industrie horlogère française », sur la normalisation et « concernant la Défense nationale relatives à l’horlogerie et revêtant un caractère strictement confidentiel ». Il reçoit le soutien de la direction de l’Enseignement technique, des ministères du Commerce, de l’Industrie, de la Défense nationale, de la Guerre, de la Marine, de l’Air, etc., mais aussi du Conseil général et du milieu professionnel. Le BEH devient en 1940 le Comontre (Comité de la Montre ou Comité d’Organisation de l’Industrie de la Montre), transformé en 1945 en Cetehor (Centre technique de l’Industrie horlogère ou Centre technique des Etudes horlogères), dirigé par André Donat de 1940 à 1970. La structure est dans un premier temps hébergée dans l’école, ce qui justifie - s’il en était besoin - la nécessité d’un agrandissement. Nécessité encore accrue par la création en 1939 de l'« atelier-école ». Sainsaulieu prévoit donc de rehausser d’un étage l’aile sud (Villarceau 1 et 2) et l’aile nord (Clemenceau 1), et de prolonger cette dernière par un corps en rez-de-chaussée (il est question, sur un plan de 1948, d’un corps de même hauteur que Clemenceau 1). Ce quatrième étage sera protégé par un toit à longs pans à charpente en béton armé, ce qui permettra de régler les problèmes d'étanchéité. Les travaux démarrent en 1940 mais sont interrompus par la guerre et, finalement, seule l’aile sud est surélevée.
Le 18 décembre 1949, le secrétaire d’Etat à l’Enseignement technique André Morice (1900-1990) visite l’école. Il demande la rédaction d’un projet d’extension de l’établissement à son directeur, Louis Bastian, qui fut chef des travaux à l’Ecole pratique de Commerce et d’Industrie de Besançon avant de prendre la tête, de 1937 à 1944, de l’Ecole nationale professionnelle d’Optique de Morez. Bastian est assisté pour cela par le nouvel « architecte d'entretien » de l'école : René Tournier (1899-1978). Installé à Besançon au début des années 1930, ce dernier est diplômé en 1932 de l’Ecole nationale supérieure des Beaux-Arts de Paris puis nommé en 1938 architecte des Monuments historiques. Il est l’auteur de deux édifices importants à proximité de l’école : la Cité universitaire de Canot (1938) et une annexe de la faculté des Sciences place Leclerc (1953-1956).
Le 11 février 1950, Bastian rend son rapport.
« Ce projet a pour bases essentielles :
1°. - La constitution dans les locaux actuels de l’Ecole Nationale Professionnelle d’Horlogerie d’un "Groupe Technique" comprenant :
a) - Le centre d’Apprentissage avec ses deux sections d’horlogerie et de mécanique de précision.
b) - Le Collège Technique de Garçons avec ses sections de mécanique générale, menuiserie-ébénisterie et commerciale, plus une section de mécanique de précision à créer.
c) - L’Ecole Nationale Professionnelle d’Horlogerie avec quatre sections normales pour l’horlogerie, l’appareillage, la petite mécanique de précision, la bijouterie et sa section spéciale de préparation à l’Institut de Chronométrie.
Ainsi serait réalisé, dans le même établissement, autour des professions de l’horlogerie et de la mécanique de précision appliquée aux machines et organes de petites dimensions, un ensemble cohérent d’enseignement technique permettant les sélections et transferts désirables en vue d’une utilisation aussi complète que possible de la totalité du recrutement local comme aussi du recrutement national actuel.
2°. - L’aménagement d’un internat complémentaire en relation avec la Direction Générale des Sports.
Il suppose donc que seront réalisées les conditions suivantes :
a) - Transfert en un autre lieu du Collège Moderne.
b) - Réalisation de l’unité de direction.
c) - Accélération des travaux en cours. »
Dans ce programme, le groupe totalisera 1039 élèves : 554 (dont 330 internes) à l’école, 335 (dont 120 internes) pour le collège technique et 150 (dont 70 internes) au centre d'apprentissage.
Le directeur argumente : « Le but poursuivi, en réalisant le Groupe Technique, est le suivant : donner à l’industrie de la région la main d’oeuvre dont elle a besoin en considérant son évolution constante vers les industries de la précision, soit sous l’angle direct de l’horlogerie, soit en raison du développement de la fabrication des machines et appareils compliqués, de petites dimensions, se rapprochant par là des fabrications horlogères proprement dites. » De fait, avec son recrutement national, l’ENP forme des professionnels qui, la plupart du temps, quittent la région tandis que les élèves du collège technique, recrutés localement, restent sur place mais ils sont formés à la mécanique générale et non à la mécanique de précision. Le regroupement des deux, sous une même direction, doit permettre de faciliter recrutement et échanges. « L’adjonction réalisée partiellement, et qu’il convient de développer, d’un Centre d’Apprentissage permet de fournir aux industries locales, horlogerie et mécanique de précision, la main d’œuvre productive dont elle a besoin. »
Le projet comporte donc : l’achèvement de la surélévation de l’aile sud, la surélévation du bâtiment central, la prolongation de l’aile nord et sa surélévation, et la réalisation d’un internat complémentaire dans un bâtiment de la Direction générale des Sports (en attendant la construction de l’internat définitif sur le terrain de l’école). Les deux premiers points sont bien engagés, la surélévation du bâtiment central correspondant à la construction d’un deuxième étage sur le corps central C (traverse) et sur celui en retour D (« cédille »), où il s'achève en hémicycle. Le gain total est alors de 2 500 m2. Dans le même temps, Tournier élabore les documents concernant les deux derniers points et, de 1956 à 1958, c'est au tour de l'aile nord d'être remaniée. Tournier ajoute un quatrième étage au bâtiment A (Clemenceau 1), qui est prolongé vers la rue Coste (comme l'envisageait le projet initial) par la construction du corps E (Clemenceau 2), doublant sa longueur. 3 670 m2 supplémentaires sont ainsi trouvés. Cette dernière tranche de travaux (réalisée par les entreprises Gianoli puis Varini) est approuvée en 1950 par le Conseil général des Bâtiments de France et une somme de 83 millions de francs est mise de côté, à laquelle vient s'ajouter le crédit exceptionnel de 100 millions de francs voté par le Parlement en février 1953. Toutefois, dans son rapport du 4 juin 1953, Louis Bastian ne peut que constater la disparition des 83 millions, réaffectés à d'autres travaux. La réalisation de la dernière tranche se trouve donc retardée et le marché, d'un montant de 1 363 500 F, ne peut être passé que le 26 juin 1956. Vu le budget de l'opération, Tournier dispose d'un million de francs pour un programme décoratif au titre du 1 %. Il propose la candidature de Léon Robert, pour une réalisation que la commission d'agrément souhaite limiter à une peinture murale de 30 m2 environ dans la salle des fêtes. L'artiste ne pouvant fournir les esquisses demandées, le projet semble ne pas avoir eu de suite.
Dernier point à traiter : la question de l'internat. Initialement prévu pour 200 élèves, l'internat en compte 256 en 1953 et le manque de places s'avère pénalisant. Des plans sont donc élaborés par René Tournier en 1956 et 1957, avec un devis de 5 800 000 F pour un internat de 600 lits et 1 200 rationnaires. Réalisant le programme de 1927, les locaux sont implantés de 1958 à 1961 sur le terrain de jeu situé de l'autre côté de l'avenue Clémenceau (franchie grâce à un passage souterrain).
Par le décret du 8 avril 1948, l'établissement est devenu Ecole nationale professionnelle d'Horlogerie puis, en 1951, l'organisation a été modifiée lorsque le collège moderne et technique a été scindé en deux entités : collège moderne d'une part, collège technique de l'autre (officiellement nationalisé le 1er octobre 1957).
« L'accord conclu le 1er octobre 1950 permet tout d'abord le rattachement à l'Ecole nationale des sections préparatoires au baccalauréat technique et leur fusion avec deux classes de la section préparatoire à l'Institut de chronométrie. Ce premier pas tend à l'uniformisation de la préparation des techniciens et des ingénieurs. Ainsi, toutes les mesures nécessaires étant prises, le 1er octobre 1951, le groupe scolaire technique comprend :
1. Un centre d'apprentissage, préparant au C.A.P. [certificat d'aptitude professionnelle].
2. Un collège technique pour la préparation au B.E.I. [brevet d'enseignement industriel], au B.E.C. [brevet d'enseignement commercial] et, grâce à une section de dessinateurs industriels, au brevet professionnel première partie et au B.E.I., option dessinateur.
3. Une Ecole nationale professionnelle d'horlogerie préparant au diplôme d'élève breveté.
Il ouvre donc son éventail destiné à couvrir la formation à tous les échelons, de l'ouvrier qualifié au technicien [...] Grâce à la section technique et à l'Institut de Chronométrie, l'éventail achève de s'ouvrir jusqu'à la situation d'ingénieur, tandis que le baccalauréat technique donne accès, comme les autres baccalauréats, aux études supérieures, soit par les grandes écoles, soit par les facultés. » L'enseignement est réorienté : « S'appuyant sur une culture générale plus forte, sur des qualités intellectuelles plus développées, la méthode nouvelle consiste à transformer toute l'Ecole en une vaste usine et à la charger d'une fabrication [...] L'aide que va donc apporter à l'industrie l'E.N.P.H. est désormais très importante : son but est avant tout de former une main-d'œuvre qualifiée. »
En 1955, l'école totalise près de 1 100 élèves (1 300 en comptant « 200 auditeurs des cours professionnels et de promotion du travail ») : 927 élèves (dont 262 internes) plus 156 au centre d'apprentissage (un nouveau centre sera ouvert dans le quartier de Montjoux pour la rentrée scolaire de 1960 et seules les sections d'horlogerie resteront avenue Villarceau). Sans inclure le centre d'apprentissage, le personnel est composé de 33 professeurs d'enseignement général et 38 d'enseignement technique, 5 d'éducation physique, 1 surveillant général et 12 surveillants, 28 personnes chargées de l'internat et de l'entretien des locaux. Cette expansion s'accompagne d'un effort conséquent quant à l'équipement des ateliers : 85 millions de francs sont dépensés en achat de machines.
Le 6 janvier 1959, le ministre de l'Education nationale Jean Berthoin modifie l'organisation du système éducatif en y intégrant l'enseignement technique.
Cette réforme entraîne, le 1er octobre 1960, son lot de changements : l'Ecole nationale professionnelle d'Horlogerie devient Lycée technique d'Etat d'Horlogerie – sous le vocable Jules Haag à partir de 1974 – (et compte 476 élèves le 15 novembre), le Collège national technique Lycée technique nationalisé (752 élèves) et le Centre d'apprentissage Collège d'enseignement technique (86 élèves au centre de Besançon-Horlogerie et 394 à celui de Besançon-Montjoux, auxquels s'ajoute les 41 du centre d'apprentissage horloger de Morteau fondé en 1947).
L'enseignement horloger disparaît progressivement : il est repris (exclusivement à partir de 1988) par le lycée de Morteau (dans la continuité de son centre d'apprentissage). A l'école de Besançon, l'horlogerie cède la place à la micromécanique puis aux microtechniques. Des sections nouvelles apparaissent : appareillage de contrôle industriel et régulation automatique (CIRA), créée le 1er octobre 1958 ; agencement et architecture intérieure ; mécanique et automatisme industriel (MAI), au début des années 1970 ; informatique industrielle (II) en 1985 ; maille et habillement en 1988 ; matériaux souples... L'institut de Chronométrie, devenu en 1961 Ecole nationale supérieure de Chronométrie et de Micromécanique (future ENSMM), a d'ailleurs quitté les lieux vers 1964 pour le campus universitaire de la Bouloie.
Côté locaux, les bâtiments ont souffert d'un défaut d'entretien dû à l'insuffisance des crédits qui, selon le directeur André Berger en 1967, ont néanmoins permis « des réaménagements internes d'ordre pédagogique ». Signalant la dégradation du béton des poteaux, Berger liste les besoins : réfection de la chaufferie à vapeur basse pression (chaudières au fuel, autrefois au charbon) et des circuits de chauffage (« L'ancien circuit vapeur, qui couvre les 2/3 du bâtiment, est à la limite de l'usure ; chaque année, il faut changer les tuyauteries qui cèdent inopinément. » ), des stores pare-soleil de la façade sud (« la chaleur est intolérable dans les salles en septembre-octobre et d'avril à juin »), des toitures (« les travaux d'entretien effectués par l'établissement chaque année (changement de tuiles - masticage) paraissent être effectués en pure perte : par temps de pluie, l'eau pénètre dans les ateliers d'horlogerie comme elle pénètre au dortoir des grands élèves où quatre chambres ont dû être désaffectées. ») dont il remet en cause la conception (« pentes insignifiantes - tuiles romanes gélives et friables »), des locaux libérés par l'institut de chronométrie, etc. Des travaux sont donc effectués : rénovation des toitures des ailes nord et sud en 1975, de la coupole de l'observatoire en 1978, aménagement de deux dortoirs de filles au quatrième étage de l'aile nord (pour 93 lits) en 1977, isolation de façades en 1979.
Le rectorat de l'Académie de Besançon demande à Jacques J. Tournier (né le 19 octobre 1934), devenu architecte d'entretien du lycée en prenant la suite de son père, de réaliser une étude préparatoire à la restructuration du site. Tournier, associé à Yves Delin (et, un temps, à Robert Benoit et Jacques Lamare au sein du cabinet TBDL), est établi au 38 rue Mégevand. Il rend un schéma directeur en septembre 1979 puis un avant-projet détaillé en octobre 1983.A cette date, le lycée est passé sous la houlette du Conseil régional de Franche-Comté. La loi du 2 mars 1982 donne en effet aux Régions, outre leur statut de collectivités territoriales de plein exercice, des compétences propres dans le domaine de la formation professionnelle et des lycées : gestion du patrimoine immobilier et des crédits de fonctionnement, des équipements, de l'accueil, de l'hébergement, de la restauration et de l'entretien, etc.
Le Conseil régional s'inscrit dans la continuité du programme de rénovation engagé par l'Etat. Les façades sont donc refaites en 1983, la chaufferie (« sortie des gravures de Piranèse » suivant Tournier) de 1985 à 1987 (avec abandon du fuel pour le gaz et de la vapeur pour l'eau chaude, et remplacement des six chaudières existantes : trois Guyot G.D.V. installées en 1957, une Seccacier-Thermirex de 1963 et deux du même constructeur de 1968), des salles informatiques aménagées en 1985-1986, le service de restauration en 1987-1988. En 1989, le bâtiment C (« traverse ») et une partie de D (« cédille ») sont surélevés d'un troisième étage. Le projet en est établi par Tournier, qui fait appel au Cabinet d'Etudes techniques et d'Ingénierie Serge Santini (route de Paris à Vesoul et 7 rue du Quai à Belfort). En effet, le gros œuvre d'origine ne peut supporter une seconde surélévation, ce qui oblige à mettre en place une structure porteuse indépendante, extérieure au bâtiment et « constituée de portiques métalliques articulés en pied et encastrés en tête », supportant le plancher bas de l'étage et la toiture à deux pans (bacs d'acier autoporteurs). Les travaux sont réalisés par l'entreprise G.T.F.C. (Grands Travaux de Franche-Comté, dont le siège social est au Saint-Pierre, 28 rue de la République à Besançon).
Dans le même temps, en 1986-1987, l'établissement devient « lycée polyvalent », regroupant des formations dispensées à la fois dans un lycée d'enseignement général et technologique et dans un lycée d'enseignement professionnel.
Cette diversification attire de nouveaux élèves : les effectifs passent de 1 214 élèves à la rentrée 1986 à 1 937 deux ans plus tard et 2 060 en septembre 1989. Le manque de place se fait sentir et 3 000 m2 supplémentaires sont nécessaires. Une piste se dessine avec la mise en vente de l'usine des « Compteurs », située de l'autre côté de l'avenue Villarceau : celle-ci a été bâtie en 1923-1924 sur des plans de l'architecte parisien J. Demoisson pour la Compagnie pour la Fabrication des Compteurs et Matériel d'Usines à Gaz, achetée par la suite par le groupe Schlumberger (voir ce dossier). Piste sans suite.
Le redéploiement doit donc s'effectuer sur le même site. Un audit, demandé à un cabinet parisien, propose une réorganisation par niveau : services (bureau du proviseur, intendance, salle des professeurs, centre de documentation, cafétéria, etc.) au rez-de-chaussée, ateliers au premier étage (car ils bénéficient d'un accès de plain-pied à l'extrémité de l'aile nord, vers la rue Coste), laboratoires et ateliers sans machines-outils lourdes au deuxième, plateau physique-chimie au troisième et salles de cours au quatrième. Ce projet est retenu et le lycée entre au début de la décennie 1990 dans une phase de restructuration, qui se poursuit encore. Elle est pilotée par le cabinet d'architecture Jean-Claude Petitcolin, de Lure (15 rue du Fahys), qui a succédé à Jacques Tournier. L'aménagement des salles de cours au dernier étage oblige, pour des raisons de sécurité, à la construction d'un nouvel escalier à la jonction du corps d'entrée et de l'aile nord, ainsi qu'à l'élargissement – du rez-de-chaussée au deuxième étage – de celui qui lui fait face (escalier Labonne). En 2002-2003, le cabinet Petitcolin remplace l'ancienne infirmerie (convertie en logements) par un nouveau bâtiment en bordure de la rue Coste, au sud-ouest. Inauguré en septembre 2003, cette construction abrite les élèves du brevet de technicien supérieur en Mécanique et automatismes industriels (BTS MAI) et ceux des classes préparatoires aux grandes écoles.
En 2007, le site accueille 1 571 élèves dont 588 demi-pensionnaires et 329 internes. En 2009, ils sont environ 1 700, avec 200 professeurs. L'établissement assure une formation secondaire (en 3 ans, de la seconde à la terminale), des formations de techniciens supérieurs (en 2 ans, spécialités Mécanique et automatisme industriels, Informatique et réseaux pour l'industrie et les services techniques, Contrôle industriel et régulation automatique, Industrie des matériaux souples, Conception et industrialisation en microtechniques), la préparation au concours des grandes écoles et des licences Pro (Automatique et robotique industrielle pour l'assemblage, Conduite de projets en environnement international, Ingénierie des formes et des micro-produits pluri-technologiques).
Cette oeuvre de Paul Guadet témoigne de son habileté à intégrer les contraintes techniques dans un programme complexe. Belle illustration de l'Art déco, notamment par son entrée et son grand escalier, elle doit être mise en perspective avec l'école d'Optique de Morez, contemporaine, où Guadet a repris le même langage formel.
- lycées publics de Franche-Comté
- amphithéâtre universitaire
- abri d'instrument équatorial
- laboratoire
- conciergerie
- infirmerie
- cantine
- pensionnat
- gymnase
- logement
- transformateur
- chaufferie
- garage
- préau
- cour
- stationnement
- tunnel
- © Région Bourgogne-Franche-Comté, Inventaire du patrimoine
 
                   
                   
                   
                   
                       
                       
                       
                       
                                                                 
                                                                 
                                                                 
                                                                 
                                                                 
                                                                 
                                                                 
                                                                 
                                                                 
                                                                 
                                                                 
                                                                 
                           
                           
                           
                           
                           
                          ![Ville de Besançon. Projet de construction d'une Ecole nat[ion]ale d'Horlogerie. 5. Elévation des façades sur rues, 1906. © Région Bourgogne-Franche-Comté, Inventaire du patrimoine Ville de Besançon. Projet de construction d'une Ecole nat[ion]ale d'Horlogerie. 5. Elévation des façades sur rues, 1906. © Région Bourgogne-Franche-Comté, Inventaire du patrimoine](/sites/default/files/styles/inventaire_liste/public/phototheque/IVR43_20122500687NUC4A.jpg) 
                          ![Ville de Besançon. Projet de construction d'une Ecole nat[ion]ale d'Horlogerie. 5. Elévation des façades sur rues [détail des élévations], 1906. © Région Bourgogne-Franche-Comté, Inventaire du patrimoine Ville de Besançon. Projet de construction d'une Ecole nat[ion]ale d'Horlogerie. 5. Elévation des façades sur rues [détail des élévations], 1906. © Région Bourgogne-Franche-Comté, Inventaire du patrimoine](/sites/default/files/styles/inventaire_liste/public/phototheque/IVR43_20122500688NUC4A.jpg) 
                          ![Ville de Besançon. Projet de construction d'une Ecole nat[ion]ale d'Horlogerie. 5. Elévation des façades sur rues [détail : élévation du corps d'entrée], 1906. © Région Bourgogne-Franche-Comté, Inventaire du patrimoine Ville de Besançon. Projet de construction d'une Ecole nat[ion]ale d'Horlogerie. 5. Elévation des façades sur rues [détail : élévation du corps d'entrée], 1906. © Région Bourgogne-Franche-Comté, Inventaire du patrimoine](/sites/default/files/styles/inventaire_liste/public/phototheque/IVR43_20122500689NUC4A.jpg) 
                          ![Ecole nationale d’Horlogerie de Besançon. Plan du 1er Etage [état de l'existant], 15 février 1921 © Région Bourgogne-Franche-Comté, Inventaire du patrimoine Ecole nationale d’Horlogerie de Besançon. Plan du 1er Etage [état de l'existant], 15 février 1921 © Région Bourgogne-Franche-Comté, Inventaire du patrimoine](/sites/default/files/styles/inventaire_liste/public/phototheque/IVR43_20162501032NUC4A.jpg) 
                          ![Nouvelle Ecole d’Horlogerie. Projet L.T. (avril 1921) [avenue Elisée Cusenier]. © Région Bourgogne-Franche-Comté, Inventaire du patrimoine Nouvelle Ecole d’Horlogerie. Projet L.T. (avril 1921) [avenue Elisée Cusenier]. © Région Bourgogne-Franche-Comté, Inventaire du patrimoine](/sites/default/files/styles/inventaire_liste_paysage/public/phototheque/IVR43_20162501025NUC4A.jpg) 
                          ![Parc aux fourrages C.B. des Chaprais. Plan d'ensemble. Projet d'emplacement pour l'Ecole nationale d'Horlogerie, [1922 ?]. © Région Bourgogne-Franche-Comté, Inventaire du patrimoine Parc aux fourrages C.B. des Chaprais. Plan d'ensemble. Projet d'emplacement pour l'Ecole nationale d'Horlogerie, [1922 ?]. © Région Bourgogne-Franche-Comté, Inventaire du patrimoine](/sites/default/files/styles/inventaire_liste/public/phototheque/IVR43_20162501030NUC4A.jpg) 
                           
                           
                           
                           
                           
                           
                           
                          ![Ecole nationale de Besançon [plan-masse et de situation des bâtiments], 1931. © Région Bourgogne-Franche-Comté, Inventaire du patrimoine Ecole nationale de Besançon [plan-masse et de situation des bâtiments], 1931. © Région Bourgogne-Franche-Comté, Inventaire du patrimoine](/sites/default/files/styles/inventaire_liste/public/phototheque/IVR43_20102500015NUC2A.jpg) 
                           
                           
                           
                           
                           
                          ![Bureau d'Etudes horlogères. Projet de construction d'ateliers de montage sur l'Ecole nationale d'Horlogerie de Besançon. Quatrième étage (à surélever). [Feuille] 2, 1er février 1940. © Région Bourgogne-Franche-Comté, Inventaire du patrimoine Bureau d'Etudes horlogères. Projet de construction d'ateliers de montage sur l'Ecole nationale d'Horlogerie de Besançon. Quatrième étage (à surélever). [Feuille] 2, 1er février 1940. © Région Bourgogne-Franche-Comté, Inventaire du patrimoine](/sites/default/files/styles/inventaire_liste_paysage/public/phototheque/IVR43_20162501041NUC4A.jpg) 
                          ![Bureau d'Etudes horlogères. Projet de construction d'ateliers de montage sur l'Ecole nationale d'Horlogerie de Besançon. Elévations et coupes [de l’aile nord. Feuille] 7, 1er février 1940. © Région Bourgogne-Franche-Comté, Inventaire du patrimoine Bureau d'Etudes horlogères. Projet de construction d'ateliers de montage sur l'Ecole nationale d'Horlogerie de Besançon. Elévations et coupes [de l’aile nord. Feuille] 7, 1er février 1940. © Région Bourgogne-Franche-Comté, Inventaire du patrimoine](/sites/default/files/styles/inventaire_liste/public/phototheque/IVR43_20162501038NUC4A.jpg) 
                           
                           
                          ![[Plan d’affectation des locaux]. Rez-de-chaussée [actuel et projeté], [décennie 1950]. © Région Bourgogne-Franche-Comté, Inventaire du patrimoine [Plan d’affectation des locaux]. Rez-de-chaussée [actuel et projeté], [décennie 1950]. © Région Bourgogne-Franche-Comté, Inventaire du patrimoine](/sites/default/files/styles/inventaire_liste/public/phototheque/IVR43_20162501027NUC4A.jpg) 
                          ![[Plan d’affectation des locaux]. 1er étage [actuel et projeté], [décennie 1950]. © Région Bourgogne-Franche-Comté, Inventaire du patrimoine [Plan d’affectation des locaux]. 1er étage [actuel et projeté], [décennie 1950]. © Région Bourgogne-Franche-Comté, Inventaire du patrimoine](/sites/default/files/styles/inventaire_liste_paysage/public/phototheque/IVR43_20162501026NUC4A.jpg) 
                          ![Ecole nationale d'Horlogerie de Besançon. Avant-projet d'internat. Rez-de-chaussée. [Feuille] 1046, août 1956. © Région Bourgogne-Franche-Comté, Inventaire du patrimoine Ecole nationale d'Horlogerie de Besançon. Avant-projet d'internat. Rez-de-chaussée. [Feuille] 1046, août 1956. © Région Bourgogne-Franche-Comté, Inventaire du patrimoine](/sites/default/files/styles/inventaire_liste/public/phototheque/IVR43_20162501040NUC4A.jpg) 
                           
                           
                          ![Ecole Nationale d'Horlogerie. Besançon 1927-1928 [détail de la photographie de groupe : Louis Trincano]. © Région Bourgogne-Franche-Comté, Inventaire du patrimoine Ecole Nationale d'Horlogerie. Besançon 1927-1928 [détail de la photographie de groupe : Louis Trincano]. © Région Bourgogne-Franche-Comté, Inventaire du patrimoine](/sites/default/files/styles/inventaire_liste/public/phototheque/IVR43_20122500716NUC2A.jpg) 
                          ![[L'école en construction : le corps d'entrée, septembre 1927]. © Région Bourgogne-Franche-Comté, Inventaire du patrimoine [L'école en construction : le corps d'entrée, septembre 1927]. © Région Bourgogne-Franche-Comté, Inventaire du patrimoine](/sites/default/files/styles/inventaire_liste_paysage/public/phototheque/IVR43_20122500711NUC2A.jpg) 
                          ![[L'école en construction, septembre 1927]. © Région Bourgogne-Franche-Comté, Inventaire du patrimoine [L'école en construction, septembre 1927]. © Région Bourgogne-Franche-Comté, Inventaire du patrimoine](/sites/default/files/styles/inventaire_liste/public/phototheque/IVR43_20122500712NUC2A.jpg) 
                          ![[L'école en construction : étage de la barre du A, juin 1928]. © Région Bourgogne-Franche-Comté, Inventaire du patrimoine [L'école en construction : étage de la barre du A, juin 1928]. © Région Bourgogne-Franche-Comté, Inventaire du patrimoine](/sites/default/files/styles/inventaire_liste/public/phototheque/IVR43_20122500713NUC2A.jpg) 
                          ![Besançon. - Ecole Nationale d'Horlogerie [vue d'ensemble, depuis l'est], 1931 ou 1932. © Région Bourgogne-Franche-Comté, Inventaire du patrimoine Besançon. - Ecole Nationale d'Horlogerie [vue d'ensemble, depuis l'est], 1931 ou 1932. © Région Bourgogne-Franche-Comté, Inventaire du patrimoine](/sites/default/files/styles/inventaire_liste/public/phototheque/IVR43_20092501572NUC2A.jpg) 
                           
                          ![[Vue d'ensemble, depuis le nord-est], vers 1932. © Région Bourgogne-Franche-Comté, Inventaire du patrimoine [Vue d'ensemble, depuis le nord-est], vers 1932. © Région Bourgogne-Franche-Comté, Inventaire du patrimoine](/sites/default/files/styles/inventaire_liste_paysage/public/phototheque/IVR43_20062500845PY.jpg) 
                          ![[Façade sur la cour de l'aile sud, terrasse et lanterneau de la traverse C], vers 1932. © Région Bourgogne-Franche-Comté, Inventaire du patrimoine [Façade sur la cour de l'aile sud, terrasse et lanterneau de la traverse C], vers 1932. © Région Bourgogne-Franche-Comté, Inventaire du patrimoine](/sites/default/files/styles/inventaire_liste/public/phototheque/IVR43_20062500919P.jpg) 
                          ![[L'escalier d'honneur, depuis le hall d'entrée], vers 1932. © Région Bourgogne-Franche-Comté, Inventaire du patrimoine [L'escalier d'honneur, depuis le hall d'entrée], vers 1932. © Région Bourgogne-Franche-Comté, Inventaire du patrimoine](/sites/default/files/styles/inventaire_liste/public/phototheque/IVR43_20062500915P.jpg) 
                           
                           
                           
                           
                          ![[Inauguration officielle de l'école le 2 juillet 1933]. © Région Bourgogne-Franche-Comté, Inventaire du patrimoine [Inauguration officielle de l'école le 2 juillet 1933]. © Région Bourgogne-Franche-Comté, Inventaire du patrimoine](/sites/default/files/styles/inventaire_liste/public/phototheque/IVR43_20122500690NUC4A.jpg) 
                          ![Visite intérieure de l'Ecole par M. le Président de la République [le 2 juillet 1933]. © Région Bourgogne-Franche-Comté, Inventaire du patrimoine Visite intérieure de l'Ecole par M. le Président de la République [le 2 juillet 1933]. © Région Bourgogne-Franche-Comté, Inventaire du patrimoine](/sites/default/files/styles/inventaire_liste/public/phototheque/IVR43_20162500573NUC2A.jpg) 
                           
                           
                           
                           
                           
                           
                           
                           
                           
                           
                           
                          ![[Le directeur de l'école d'Horlogerie Louis Bastian], 1946. © Région Bourgogne-Franche-Comté, Inventaire du patrimoine [Le directeur de l'école d'Horlogerie Louis Bastian], 1946. © Région Bourgogne-Franche-Comté, Inventaire du patrimoine](/sites/default/files/styles/inventaire_liste_paysage/public/phototheque/IVR43_20122500710NUC2A.jpg) 
                          ![[Portrait de Jules Haag], milieu 20e siècle. © Région Bourgogne-Franche-Comté, Inventaire du patrimoine [Portrait de Jules Haag], milieu 20e siècle. © Région Bourgogne-Franche-Comté, Inventaire du patrimoine](/sites/default/files/styles/inventaire_liste/public/phototheque/IVR43_20122500715NUC2A.jpg) 
                           
                          ![[Intérieur d'un atelier d'horlogerie ou de mécanique de précision], milieu 20e siècle. © Région Bourgogne-Franche-Comté, Inventaire du patrimoine [Intérieur d'un atelier d'horlogerie ou de mécanique de précision], milieu 20e siècle. © Région Bourgogne-Franche-Comté, Inventaire du patrimoine](/sites/default/files/styles/inventaire_liste/public/phototheque/IVR43_20112502356NUC2A.jpg) 
                          ![Besançon (Doubs). 11234 - Vue aérienne - L'Ecole d'Horlogerie [depuis l'est], entre 1945 et 1953. © Région Bourgogne-Franche-Comté, Inventaire du patrimoine Besançon (Doubs). 11234 - Vue aérienne - L'Ecole d'Horlogerie [depuis l'est], entre 1945 et 1953. © Région Bourgogne-Franche-Comté, Inventaire du patrimoine](/sites/default/files/styles/inventaire_liste/public/phototheque/IVR43_20092501568NUC2A.jpg) 
                          ![Besançon. - L'Ecole Nationale d'Horlogerie [vue d'ensemble, depuis l'est], décennie 1950. © Région Bourgogne-Franche-Comté, Inventaire du patrimoine Besançon. - L'Ecole Nationale d'Horlogerie [vue d'ensemble, depuis l'est], décennie 1950. © Région Bourgogne-Franche-Comté, Inventaire du patrimoine](/sites/default/files/styles/inventaire_liste_paysage/public/phototheque/IVR43_20092501569NUC2A.jpg) 
                          ![[Vue aérienne du quartier et de l'école, depuis l'ouest], 1956. © Région Bourgogne-Franche-Comté, Inventaire du patrimoine [Vue aérienne du quartier et de l'école, depuis l'ouest], 1956. © Région Bourgogne-Franche-Comté, Inventaire du patrimoine](/sites/default/files/styles/inventaire_liste/public/phototheque/IVR43_19912500007X.jpg) 
                          ![[Le professeur Jacques Déliou (en blouse blanche) et un élève dans les années 1960]. © Région Bourgogne-Franche-Comté, Inventaire du patrimoine [Le professeur Jacques Déliou (en blouse blanche) et un élève dans les années 1960]. © Région Bourgogne-Franche-Comté, Inventaire du patrimoine](/sites/default/files/styles/inventaire_liste/public/phototheque/IVR43_20122500714NUC2A.jpg) 
                           
                          ![[Vue aérienne de l'école et du quartier, depuis l'est], 1993. © Région Bourgogne-Franche-Comté, Inventaire du patrimoine [Vue aérienne de l'école et du quartier, depuis l'est], 1993. © Région Bourgogne-Franche-Comté, Inventaire du patrimoine](/sites/default/files/styles/inventaire_liste/public/phototheque/IVR43_19932500064ZA.jpg) 
                           
                           
                           
                           
                           
                           
                           
                           
                           
                           
                           
                           
                           
                           
                           
                           
                           
                           
                           
                           
                           
                           
                           
                           
                           
                           
                           
                           
                           
                           
                           
                           
                           
                           
                           
                           
                           
                           
                           
                           
                           
                           
                           
                           
                           
                           
                           
                           
                           
                           
                           
                           
                           
                           
                           
                           
                           
                           
                           
                           
                           
                           
                           
                           
                           
                           
                           
                           
                           
                           
                           
                           
                           
                           
                           
                           
                           
                           
                           
                           
                           
                                                   
                                                   
                                                   
                                                   
                                                   
                                                  ![Ville de Besançon. Projet de construction d'une Ecole nat[ion]ale d'Horlogerie. 5. Elévation des façades sur rues, 1906. © Jérôme Mongreville / Région Bourgogne-Franche-Comté, Inventaire du patrimoine - 2012 Ville de Besançon. Projet de construction d'une Ecole nat[ion]ale d'Horlogerie. 5. Elévation des façades sur rues, 1906. © Jérôme Mongreville / Région Bourgogne-Franche-Comté, Inventaire du patrimoine - 2012](/sites/default/files/styles/phototheque/public/phototheque/IVR43_20122500687NUC4A.jpg) 
                                                  ![Ville de Besançon. Projet de construction d'une Ecole nat[ion]ale d'Horlogerie. 5. Elévation des façades sur rues [détail des élévations], 1906. © Jérôme Mongreville / Région Bourgogne-Franche-Comté, Inventaire du patrimoine - 2012 Ville de Besançon. Projet de construction d'une Ecole nat[ion]ale d'Horlogerie. 5. Elévation des façades sur rues [détail des élévations], 1906. © Jérôme Mongreville / Région Bourgogne-Franche-Comté, Inventaire du patrimoine - 2012](/sites/default/files/styles/phototheque/public/phototheque/IVR43_20122500688NUC4A.jpg) 
                                                  ![Ville de Besançon. Projet de construction d'une Ecole nat[ion]ale d'Horlogerie. 5. Elévation des façades sur rues [détail : élévation du corps d'entrée], 1906. © Jérôme Mongreville / Région Bourgogne-Franche-Comté, Inventaire du patrimoine - 2012 Ville de Besançon. Projet de construction d'une Ecole nat[ion]ale d'Horlogerie. 5. Elévation des façades sur rues [détail : élévation du corps d'entrée], 1906. © Jérôme Mongreville / Région Bourgogne-Franche-Comté, Inventaire du patrimoine - 2012](/sites/default/files/styles/phototheque_vertical/public/phototheque/IVR43_20122500689NUC4A.jpg) 
                                                  ![Ecole nationale d’Horlogerie de Besançon. Plan du 1er Etage [état de l'existant], 15 février 1921 © Jérôme Mongreville / Région Bourgogne-Franche-Comté, Inventaire du patrimoine - 2016 Ecole nationale d’Horlogerie de Besançon. Plan du 1er Etage [état de l'existant], 15 février 1921 © Jérôme Mongreville / Région Bourgogne-Franche-Comté, Inventaire du patrimoine - 2016](/sites/default/files/styles/phototheque/public/phototheque/IVR43_20162501032NUC4A.jpg) 
                                                  ![Nouvelle Ecole d’Horlogerie. Projet L.T. (avril 1921) [avenue Elisée Cusenier]. © Jérôme Mongreville / Région Bourgogne-Franche-Comté, Inventaire du patrimoine - 2016 Nouvelle Ecole d’Horlogerie. Projet L.T. (avril 1921) [avenue Elisée Cusenier]. © Jérôme Mongreville / Région Bourgogne-Franche-Comté, Inventaire du patrimoine - 2016](/sites/default/files/styles/phototheque/public/phototheque/IVR43_20162501025NUC4A.jpg) 
                                                  ![Parc aux fourrages C.B. des Chaprais. Plan d'ensemble. Projet d'emplacement pour l'Ecole nationale d'Horlogerie, [1922 ?]. © Jérôme Mongreville / Région Bourgogne-Franche-Comté, Inventaire du patrimoine - 2016 Parc aux fourrages C.B. des Chaprais. Plan d'ensemble. Projet d'emplacement pour l'Ecole nationale d'Horlogerie, [1922 ?]. © Jérôme Mongreville / Région Bourgogne-Franche-Comté, Inventaire du patrimoine - 2016](/sites/default/files/styles/phototheque/public/phototheque/IVR43_20162501030NUC4A.jpg) 
                                                   
                                                   
                                                   
                                                   
                                                   
                                                   
                                                   
                                                  ![Ecole nationale de Besançon [plan-masse et de situation des bâtiments], 1931. © Yves Sancey / Région Bourgogne-Franche-Comté, Inventaire du patrimoine - 2010 Ecole nationale de Besançon [plan-masse et de situation des bâtiments], 1931. © Yves Sancey / Région Bourgogne-Franche-Comté, Inventaire du patrimoine - 2010](/sites/default/files/styles/phototheque_vertical/public/phototheque/IVR43_20102500015NUC2A.jpg) 
                                                   
                                                   
                                                   
                                                   
                                                   
                                                  ![Bureau d'Etudes horlogères. Projet de construction d'ateliers de montage sur l'Ecole nationale d'Horlogerie de Besançon. Quatrième étage (à surélever). [Feuille] 2, 1er février 1940. © Jérôme Mongreville / Région Bourgogne-Franche-Comté, Inventaire du patrimoine - 2016 Bureau d'Etudes horlogères. Projet de construction d'ateliers de montage sur l'Ecole nationale d'Horlogerie de Besançon. Quatrième étage (à surélever). [Feuille] 2, 1er février 1940. © Jérôme Mongreville / Région Bourgogne-Franche-Comté, Inventaire du patrimoine - 2016](/sites/default/files/styles/phototheque/public/phototheque/IVR43_20162501041NUC4A.jpg) 
                                                  ![Bureau d'Etudes horlogères. Projet de construction d'ateliers de montage sur l'Ecole nationale d'Horlogerie de Besançon. Elévations et coupes [de l’aile nord. Feuille] 7, 1er février 1940. © Jérôme Mongreville / Région Bourgogne-Franche-Comté, Inventaire du patrimoine - 2016 Bureau d'Etudes horlogères. Projet de construction d'ateliers de montage sur l'Ecole nationale d'Horlogerie de Besançon. Elévations et coupes [de l’aile nord. Feuille] 7, 1er février 1940. © Jérôme Mongreville / Région Bourgogne-Franche-Comté, Inventaire du patrimoine - 2016](/sites/default/files/styles/phototheque/public/phototheque/IVR43_20162501038NUC4A.jpg) 
                                                   
                                                   
                                                  ![[Plan d’affectation des locaux]. Rez-de-chaussée [actuel et projeté], [décennie 1950]. © Jérôme Mongreville / Région Bourgogne-Franche-Comté, Inventaire du patrimoine - 2016 [Plan d’affectation des locaux]. Rez-de-chaussée [actuel et projeté], [décennie 1950]. © Jérôme Mongreville / Région Bourgogne-Franche-Comté, Inventaire du patrimoine - 2016](/sites/default/files/styles/phototheque/public/phototheque/IVR43_20162501027NUC4A.jpg) 
                                                  ![[Plan d’affectation des locaux]. 1er étage [actuel et projeté], [décennie 1950]. © Jérôme Mongreville / Région Bourgogne-Franche-Comté, Inventaire du patrimoine - 2016 [Plan d’affectation des locaux]. 1er étage [actuel et projeté], [décennie 1950]. © Jérôme Mongreville / Région Bourgogne-Franche-Comté, Inventaire du patrimoine - 2016](/sites/default/files/styles/phototheque/public/phototheque/IVR43_20162501026NUC4A.jpg) 
                                                  ![Ecole nationale d'Horlogerie de Besançon. Avant-projet d'internat. Rez-de-chaussée. [Feuille] 1046, août 1956. © Jérôme Mongreville, René Tournier / Région Bourgogne-Franche-Comté, Inventaire du patrimoine - 2016 Ecole nationale d'Horlogerie de Besançon. Avant-projet d'internat. Rez-de-chaussée. [Feuille] 1046, août 1956. © Jérôme Mongreville, René Tournier / Région Bourgogne-Franche-Comté, Inventaire du patrimoine - 2016](/sites/default/files/styles/phototheque/public/phototheque/IVR43_20162501040NUC4A.jpg) 
                                                   
                                                   
                                                  ![Ecole Nationale d'Horlogerie. Besançon 1927-1928 [détail de la photographie de groupe : Louis Trincano]. © Yves Sancey / Région Bourgogne-Franche-Comté, Inventaire du patrimoine - 2012 Ecole Nationale d'Horlogerie. Besançon 1927-1928 [détail de la photographie de groupe : Louis Trincano]. © Yves Sancey / Région Bourgogne-Franche-Comté, Inventaire du patrimoine - 2012](/sites/default/files/styles/phototheque_vertical/public/phototheque/IVR43_20122500716NUC2A.jpg) 
                                                  ![[L'école en construction : le corps d'entrée, septembre 1927]. © Yves Sancey / Région Bourgogne-Franche-Comté, Inventaire du patrimoine - 2012 [L'école en construction : le corps d'entrée, septembre 1927]. © Yves Sancey / Région Bourgogne-Franche-Comté, Inventaire du patrimoine - 2012](/sites/default/files/styles/phototheque/public/phototheque/IVR43_20122500711NUC2A.jpg) 
                                                  ![[L'école en construction, septembre 1927]. © Yves Sancey / Région Bourgogne-Franche-Comté, Inventaire du patrimoine - 2012 [L'école en construction, septembre 1927]. © Yves Sancey / Région Bourgogne-Franche-Comté, Inventaire du patrimoine - 2012](/sites/default/files/styles/phototheque_vertical/public/phototheque/IVR43_20122500712NUC2A.jpg) 
                                                  ![[L'école en construction : étage de la barre du A, juin 1928]. © Yves Sancey / Région Bourgogne-Franche-Comté, Inventaire du patrimoine - 2012 [L'école en construction : étage de la barre du A, juin 1928]. © Yves Sancey / Région Bourgogne-Franche-Comté, Inventaire du patrimoine - 2012](/sites/default/files/styles/phototheque/public/phototheque/IVR43_20122500713NUC2A.jpg) 
                                                  ![Besançon. - Ecole Nationale d'Horlogerie [vue d'ensemble, depuis l'est], 1931 ou 1932. © Yves  Sancey (reproduction) / Région Bourgogne-Franche-Comté, Inventaire du patrimoine - 2009 Besançon. - Ecole Nationale d'Horlogerie [vue d'ensemble, depuis l'est], 1931 ou 1932. © Yves  Sancey (reproduction) / Région Bourgogne-Franche-Comté, Inventaire du patrimoine - 2009](/sites/default/files/styles/phototheque/public/phototheque/IVR43_20092501572NUC2A.jpg) 
                                                   
                                                  ![[Vue d'ensemble, depuis le nord-est], vers 1932. © Jules Manias / Région Bourgogne-Franche-Comté, Inventaire du patrimoine, ADAGP, 2006 - 2006 [Vue d'ensemble, depuis le nord-est], vers 1932. © Jules Manias / Région Bourgogne-Franche-Comté, Inventaire du patrimoine, ADAGP, 2006 - 2006](/sites/default/files/styles/phototheque/public/phototheque/IVR43_20062500845PY.jpg) 
                                                  ![[Façade sur la cour de l'aile sud, terrasse et lanterneau de la traverse C], vers 1932. © Jules Manias / Région Bourgogne-Franche-Comté, Inventaire du patrimoine - 2006 [Façade sur la cour de l'aile sud, terrasse et lanterneau de la traverse C], vers 1932. © Jules Manias / Région Bourgogne-Franche-Comté, Inventaire du patrimoine - 2006](/sites/default/files/styles/phototheque/public/phototheque/IVR43_20062500919P.jpg) 
                                                  ![[L'escalier d'honneur, depuis le hall d'entrée], vers 1932. © Jules Manias / Région Bourgogne-Franche-Comté, Inventaire du patrimoine - 2006 [L'escalier d'honneur, depuis le hall d'entrée], vers 1932. © Jules Manias / Région Bourgogne-Franche-Comté, Inventaire du patrimoine - 2006](/sites/default/files/styles/phototheque_vertical/public/phototheque/IVR43_20062500915P.jpg) 
                                                   
                                                   
                                                   
                                                   
                                                  ![[Inauguration officielle de l'école le 2 juillet 1933]. © Jérôme Mongreville / Région Bourgogne-Franche-Comté, Inventaire du patrimoine - 2012 [Inauguration officielle de l'école le 2 juillet 1933]. © Jérôme Mongreville / Région Bourgogne-Franche-Comté, Inventaire du patrimoine - 2012](/sites/default/files/styles/phototheque/public/phototheque/IVR43_20122500690NUC4A.jpg) 
                                                  ![Visite intérieure de l'Ecole par M. le Président de la République [le 2 juillet 1933]. © Jules Manias / Région Bourgogne-Franche-Comté, Inventaire du patrimoine - 2016 Visite intérieure de l'Ecole par M. le Président de la République [le 2 juillet 1933]. © Jules Manias / Région Bourgogne-Franche-Comté, Inventaire du patrimoine - 2016](/sites/default/files/styles/phototheque/public/phototheque/IVR43_20162500573NUC2A.jpg) 
                                                   
                                                   
                                                   
                                                   
                                                   
                                                   
                                                   
                                                   
                                                   
                                                   
                                                   
                                                  ![[Le directeur de l'école d'Horlogerie Louis Bastian], 1946. © Yves Sancey / Région Bourgogne-Franche-Comté, Inventaire du patrimoine - 2012 [Le directeur de l'école d'Horlogerie Louis Bastian], 1946. © Yves Sancey / Région Bourgogne-Franche-Comté, Inventaire du patrimoine - 2012](/sites/default/files/styles/phototheque/public/phototheque/IVR43_20122500710NUC2A.jpg) 
                                                  ![[Portrait de Jules Haag], milieu 20e siècle. © Yves Sancey / Région Bourgogne-Franche-Comté, Inventaire du patrimoine - 2012 [Portrait de Jules Haag], milieu 20e siècle. © Yves Sancey / Région Bourgogne-Franche-Comté, Inventaire du patrimoine - 2012](/sites/default/files/styles/phototheque_vertical/public/phototheque/IVR43_20122500715NUC2A.jpg) 
                                                   
                                                  ![[Intérieur d'un atelier d'horlogerie ou de mécanique de précision], milieu 20e siècle. © Yves  Sancey (reproduction) / Région Bourgogne-Franche-Comté, Inventaire du patrimoine - 2011 [Intérieur d'un atelier d'horlogerie ou de mécanique de précision], milieu 20e siècle. © Yves  Sancey (reproduction) / Région Bourgogne-Franche-Comté, Inventaire du patrimoine - 2011](/sites/default/files/styles/phototheque/public/phototheque/IVR43_20112502356NUC2A.jpg) 
                                                  ![Besançon (Doubs). 11234 - Vue aérienne - L'Ecole d'Horlogerie [depuis l'est], entre 1945 et 1953. © Yves  Sancey (reproduction) / Région Bourgogne-Franche-Comté, Inventaire du patrimoine - 2009 Besançon (Doubs). 11234 - Vue aérienne - L'Ecole d'Horlogerie [depuis l'est], entre 1945 et 1953. © Yves  Sancey (reproduction) / Région Bourgogne-Franche-Comté, Inventaire du patrimoine - 2009](/sites/default/files/styles/phototheque/public/phototheque/IVR43_20092501568NUC2A.jpg) 
                                                  ![Besançon. - L'Ecole Nationale d'Horlogerie [vue d'ensemble, depuis l'est], décennie 1950. © Yves  Sancey (reproduction) / Région Bourgogne-Franche-Comté, Inventaire du patrimoine - 2009 Besançon. - L'Ecole Nationale d'Horlogerie [vue d'ensemble, depuis l'est], décennie 1950. © Yves  Sancey (reproduction) / Région Bourgogne-Franche-Comté, Inventaire du patrimoine - 2009](/sites/default/files/styles/phototheque/public/phototheque/IVR43_20092501569NUC2A.jpg) 
                                                  ![[Vue aérienne du quartier et de l'école, depuis l'ouest], 1956. © Yves  Sancey (reproduction) / Région Bourgogne-Franche-Comté, Inventaire du patrimoine - 1991 [Vue aérienne du quartier et de l'école, depuis l'ouest], 1956. © Yves  Sancey (reproduction) / Région Bourgogne-Franche-Comté, Inventaire du patrimoine - 1991](/sites/default/files/styles/phototheque/public/phototheque/IVR43_19912500007X.jpg) 
                                                  ![[Le professeur Jacques Déliou (en blouse blanche) et un élève dans les années 1960]. © Yves Sancey / Région Bourgogne-Franche-Comté, Inventaire du patrimoine - 2012 [Le professeur Jacques Déliou (en blouse blanche) et un élève dans les années 1960]. © Yves Sancey / Région Bourgogne-Franche-Comté, Inventaire du patrimoine - 2012](/sites/default/files/styles/phototheque_vertical/public/phototheque/IVR43_20122500714NUC2A.jpg) 
                                                   
                                                  ![[Vue aérienne de l'école et du quartier, depuis l'est], 1993. © Jean-Pierre Bévalot / Région Bourgogne-Franche-Comté, Inventaire du patrimoine - 1993 [Vue aérienne de l'école et du quartier, depuis l'est], 1993. © Jean-Pierre Bévalot / Région Bourgogne-Franche-Comté, Inventaire du patrimoine - 1993](/sites/default/files/styles/phototheque/public/phototheque/IVR43_19932500064ZA.jpg) 
                                                   
                                                   
                                                   
                                                   
                                                   
                                                   
                                                   
                                                   
                                                   
                                                   
                                                   
                                                   
                                                   
                                                   
                                                   
                                                   
                                                   
                                                   
                                                   
                                                   
                                                   
                                                   
                                                   
                                                   
                                                   
                                                   
                                                   
                                                   
                                                   
                                                   
                                                   
                                                   
                                                   
                                                   
                                                   
                                                   
                                                   
                                                   
                                                   
                                                   
                                                   
                                                   
                                                   
                                                   
                                                   
                                                   
                                                   
                                                   
                                                   
                                                   
                                                   
                                                   
                                                   
                                                   
                                                   
                                                   
                                                   
                                                   
                                                   
                                                   
                                                   
                                                   
                                                   
                                                   
                                                   
                                                   
                                                   
                                                   
                                                   
                                                   
                                                   
                                                   
                                                   
                                                   
                                                   
                                                   
                                                   
                                                   
                                                   
                                                   
                                                  