DEMEURE 20 RUE ADOLPHE-THIERS
70 - Jussey
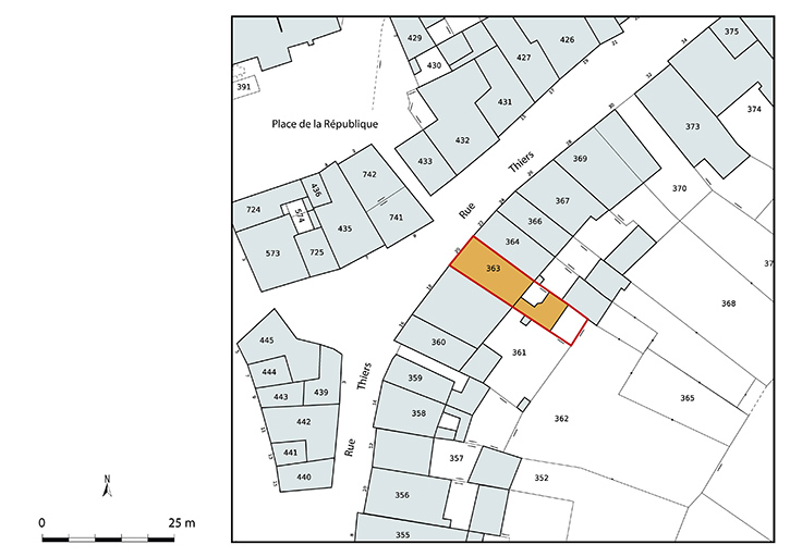
20 rue Adolphe-Thiers
- Dossier IA70001249 réalisé en 2019 revu en 2025
- Auteur(s) : Philippe Mairot, Nicolas Boffy
Historique
Sur le cadastre napoléonien, trois parcelles apparaissent (les n° 535 à 537), fondues en une seule avant 1839, où elles ne font déjà plus qu'une sur le plan d'alignement. Le bâtiment actuel (immeuble ou maison) date, pour ce qui concerne sa façade, du dernier quart du 19e siècle.
- 4e quart 19e siècle (?)
Description
Le bâtiment est bâti en moellons de calcaire enduit (faux grand appareil) et comporte deux étages carrés et un étage de comble. Entre les baies des étages, les trumeaux portent la trace de panneaux aujourd'hui disparus, dont ne subsistent que des fragments des pourtours en céramique bleue-verte, orange et bleue. L'ornementation de la façade à deux travées est remarquable : ferronnerie, menuiserie, bas-reliefs, pilastres, bandeaux, panneaux de céramique polychrome, frise de céramique polychrome, moulures, lambrequins, denticules, lucarne à ailerons et linteaux en arc segmentaire. Tous ces registres de décor combinés au choix d'un matériau de couverture rare attestent la volonté de la faire apparaître dans la rue.
- calcaire
- enduit d'imitation
- ardoise
- 2 étages carrés
- étage de comble
- élévation à travées
- toit à plusieurs pans brisés
- escalier dans-oeuvre,
- céramique
Motifs végétaux géométriques.
- mauvais état
Source(s) documentaire(s)
-
Archives départementales de la Haute-Saône. Cadastre de la commune de Jussey. [1820-1914].
Archives départementales de la Haute-Saône. Cadastre de la commune de Jussey. [1820-1914].- Atlas parcellaire (1820) : 3 P 2808- Matrices cadastrales (1823-1852) : 3 P 1065 (folio 1 à 856), 3 P 1066 (folio 857 à 1736), 3 P 1067 (folio 1737 à 1931)- Matrices cadastrales (1852-1914) : 3 P 1068 (folio 1 à 760), 3 P 1069 (folio 761 à 1520), 3 p 1070 (folio 1521 à 2209), 3 P 1071 (folio 2210 à 2809) -
Archives départementales de la Haute-Saône : CP AL 292. Plan d'alignement des rues de Jussey. 1839.
Archives départementales de Haute-Saône : CP AL 292. Plan d'alignement des rues de Jussey. 15 août 1839.Lieu de conservation : Archives départementales de la Haute-Saône, Vesoul - Cote du document : CP AL 292
À voir
Informations complémentaires
- val de Saône
- © Région Bourgogne-Franche-Comté, Inventaire du patrimoine
