CITÉ OUVRIÈRE JAPY FRÈRES ET CIE DITE CITÉ DE L'EMAILLERIE
25 - Bavans
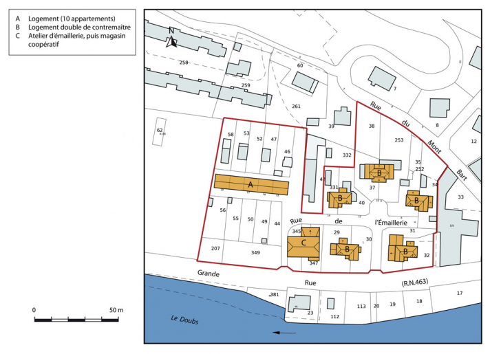
1 à 19 rue de l' Emaillerie
- Dossier IA25000937 réalisé en 2010 revu en 2011
- Auteur(s) : Raphaël Favereaux
Historique
Un magasin industriel de la société Japy Frères et Cie, dépendant de l'usine voisine de la Roche (IA25000934), est incendié en 1868. Le bâtiment est rasé et laisse place à une habitation ouvrière collective, dénommée "maison grande cité" sur la matrice cadastrale et achevée en 1877. Elle consiste en un long bâtiment construit parallèlement à la route et abritant dix logements contigus (actuellement n° 15 à 19). L'appellation de cité de l'Emaillerie provient de la présence de bâtiments industriels, bâtis vers 1880 et en 1891, et dévolus à la préparation des émaux de l'usine de la Roche. Une de ces maisons aurait abrité le magasin coopératif la Fraternelle à la fin du 19e siècle. Cinq maisons jumelles, portant les n°1 à 10 et entrées sur la matrice cadastrale en 1920, sont bâties par la société immobilière de Laroche, "société anonyme coopérative pour la construction d'habitations à bon marché". Il s'agit vraisemblablement de logements doubles de contremaîtres, édifiés à l'est du premier logement ouvrier. Tous les logements ont été vendus à des particuliers à partir de 1955.
- 4e quart 19e siècle
- 1ère moitié 20e siècle
Description
Construit en moellon de calcaire enduit, le premier bâtiment comprend un rez-de-chaussée surélevé et un étage carré, couverts d'un toit à longs pans. Chacune des cinq entrées de la façade sud donne accès à 2 appartements, répartis sur deux niveaux. Les maisons doubles de contremaître, dont quatre décrivent un plan en L, sont construites en moellon de calcaire enduit, à un étage carré, et couvertes d'un toit à croupe. La plupart des ouvertures sont pourvues d'arc segmentaire en brique. Le bâtiment ayant abrité l'atelier d'émaillerie puis le magasin coopératif est couvert d'un toit à longs pans et demi-croupes.
- calcaire
- moellon
- enduit
- tuile mécanique
- rez-de-chaussée surélevé
- 1 étage carré
- étage de comble
- élévation à travées
Source(s) documentaire(s)
-
35 J 3 R 5 Usines Japy-Marne. Usine Laroche de Voujeaucourt (plans des terrains et immeubles)
Archives départementales du Territoire de Belfort, Belfort, 35 J 3 R 5 Usines Japy-Marne. Usine Laroche de Voujeaucourt (plans des terrains et immeubles)Lieu de conservation : Archives départementales du Territoire de Belfort, Belfort - Cote du document : 35 J 3 R 5 -
3 P 49/13 Matrices des propriétés bâties (1911)
Archives départementales du Doubs, Besançon, 3 P 4913 Matrices des propriétés bâties (1911)Lieu de conservation : Archives départementales du Doubs, Besançon - Cote du document : 3 P 49/13
-
Maison d'habitation à 10 logements. Elévation et plan du 1er étage.
Plans, coupe, élévation, échelle 1100, s.d. [fin 19e siècle], auteur inconnuLieu de conservation : Archives départementales du Territoire de Belfort, Belfort - Cote du document : 35 J 6 D2/5-14BD -
Maison d'habitation à 10 logements.
Plans, coupe, élévation, échelle 1100, s.d. [fin 19e siècle], auteur inconnuLieu de conservation : Archives départementales du Territoire de Belfort, Belfort - Cote du document : 35 J 6 D2/5-14BD -
Maison d'habitation à 10 logements. Elévation et plan du 1er étage.
Plans, coupe, élévation, échelle 1100, s.d. [fin 19e siècle], auteur inconnuLieu de conservation : Archives départementales du Territoire de Belfort, Belfort - Cote du document : 35 J 6 D2/5-14BD
-
Richard, Pierre. Edgar Japy, les usines Laroche : Bart, Bavans, Voujeaucourt. - S.l. [Bart] : l'auteur, 1999, 87 f.
Richard, Pierre. Edgar Japy, les usines Laroche : Bart, Bavans, Voujeaucourt. - S.l. [Bart] : l'auteur, 1999, 87 f.
À voir
Informations complémentaires
- patrimoine industriel du Doubs
- © Région Bourgogne-Franche-Comté, Inventaire du patrimoine
