CITÉ OUVRIÈRE JAPY FRÈRES ET CIE DITE CITÉ AUX LANNES
25 - Fesches-le-Châtel
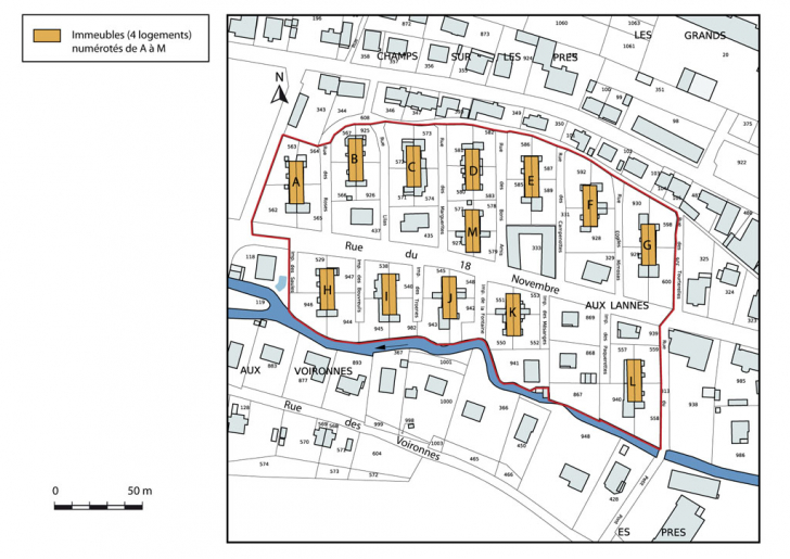
Aux Lannes
- Dossier IA00055342 réalisé en 2011 revu en 2012
- Auteur(s) : Raphaël Favereaux
Historique
La construction de cette cité ouvrière, menée par la société immobilière de Fesches-le-Châtel, s'échelonne entre 1899 et 1908. Elle comprend treize habitations collectives, dénommées A à L, et destinées à loger le personnel des usines Japy de la vallée de la Feschotte. Le parc immobilier a été cédé en 1955 à la société coopérative des Habitations à Loyer Modéré de Fesches-le-Châtel.
Période(s)
Principale :
- 4e quart 19e siècle
- 1er quart 20e siècle
Description
La cité comprend treize maisons du même type, abritant chacune quatre logements. Construites en moellon de calcaire enduit, elles comprennent un sous-sol semi-enterré, un rez-de-chaussée surélevé et un étage carré. Chaque logement est desservi par une entrée indépendante, distribuée par paires sur les façades antérieure et postérieure. Ces appartements étaient réservés à des familles nombreuses, puisqu'ils comprenaient, outre le sous-sol, deux pièces au rez-de-chaussée surélevé et deux chambres à l'étage. Quelques maisons portent encore une plaque émaillée frappée d'une lettre d'identification (D, G, I, K). Il s'agit d'un modèle de maisons que l'on trouve dans les cités ouvrières Peugeot à Valentigney (IA25000903) ou à Hérimoncourt (IA25000989).
Murs :
- calcaire
- moellon
- enduit
Toit :
- tuile mécanique
Etages :
- sous-sol
- rez-de-chaussée surélevé
- 1 étage carré
Elévation :
- élévation à travées
Source(s) documentaire(s)
-
3 P 239/5 Matrices des propriétés bâties (1882)
Archives départementales du Doubs, Besançon, 3 P 239/5 Matrices des propriétés bâties (1882)Lieu de conservation : Archives départementales du Doubs, Besançon - Cote du document : 3 P 239/5 -
35 J Archives privées. Usine Japy-Marne de Fesches-le-Châtel
Archives départementales du Territoire de Belfort, Belfort, 35 J Archives privées. Usine Japy-Marne de Fesches-le-ChâtelLieu de conservation : Archives départementales du Territoire de Belfort, Belfort - Cote du document : 35 J
-
Lotissement des Jardins aux immobilières.
Lotissement des Jardins aux immobilières. Plan, encre, lavis, échelle 1500, Lafeschotte, 11 juin 1924.Lieu de conservation : Archives départementales du Territoire de Belfort, Belfort - Cote du document : 35 J 6 D1/8-64PT -
Maison à quatre logements de 4 pièces et une mansarde.
Maison à quatre logements de 4 pièces et une mansarde. Plan, encre, lavis, échelle 150, Lafeschotte, 26 novembre 1919.Lieu de conservation : Archives départementales du Territoire de Belfort, Belfort - Cote du document : 35 J 6 D1/4-98BD -
Maison à quatre logements de 4 pièces et une mansarde. Façade longitudinale
Maison à quatre logements de 4 pièces et une mansarde. Façade longitudinale. Plan, encre, lavis, échelle 150, Lafeschotte, 26 novembre 1919.Lieu de conservation : Archives départementales du Territoire de Belfort, Belfort - Cote du document : 35 J 6 D1/4-98BD -
Maison à quatre logements de 4 pièces et une mansarde. Plan du sous-sol, du rez-de-chaussée, du 1er étage et des mansardes.
Maison à quatre logements de 4 pièces et une mansarde. Plan du sous-sol, du rez-de-chaussée, du 1er étage et des mansardes. Plan, encre, lavis, échelle 150, Lafeschotte, 26 novembre 1919.Lieu de conservation : Archives départementales du Territoire de Belfort, Belfort - Cote du document : 35 J 6 D1/4-98BD -
Lotissement des Jardins aux immobilières.
Lotissement des Jardins aux immobilières. Plan, encre, lavis, échelle 1500, Lafeschotte, 11 juin 1924.Lieu de conservation : Archives départementales du Territoire de Belfort, Belfort - Cote du document : 35 J 6 D1/8-64PT -
Maison à quatre logements de 4 pièces et une mansarde.
Maison à quatre logements de 4 pièces et une mansarde. Plan, encre, lavis, échelle 150, Lafeschotte, 26 novembre 1919.Lieu de conservation : Archives départementales du Territoire de Belfort, Belfort - Cote du document : 35 J 6 D1/4-98BD -
Maison à quatre logements de 4 pièces et une mansarde. Façade longitudinale
Maison à quatre logements de 4 pièces et une mansarde. Façade longitudinale. Plan, encre, lavis, échelle 150, Lafeschotte, 26 novembre 1919.Lieu de conservation : Archives départementales du Territoire de Belfort, Belfort - Cote du document : 35 J 6 D1/4-98BD -
Maison à quatre logements de 4 pièces et une mansarde. Plan du sous-sol, du rez-de-chaussée, du 1er étage et des mansardes.
Maison à quatre logements de 4 pièces et une mansarde. Plan du sous-sol, du rez-de-chaussée, du 1er étage et des mansardes. Plan, encre, lavis, échelle 150, Lafeschotte, 26 novembre 1919.Lieu de conservation : Archives départementales du Territoire de Belfort, Belfort - Cote du document : 35 J 6 D1/4-98BD
-
Enquête régionale sur les bâtiments industriels 1979-1981.
Service régional d'Inventaire de Franche-Comté. Enquête régionale sur les bâtiments industriels 1979-1981.
À voir
Informations complémentaires
Thématiques :
- patrimoine industriel du Doubs
Aire d’étude et canton :
Pays de Montbéliard (le)
Dénomination :
cité ouvrière
- © Région Bourgogne-Franche-Comté, Inventaire du patrimoine
