CITÉ OUVRIÈRE CONSTANT PEUGEOT DITE CITÉ SOUS-ROCHES
25 - Valentigney
Sous-Roches
- Dossier IA25000905 réalisé en 2010
- Auteur(s) : Raphaël Favereaux
Historique
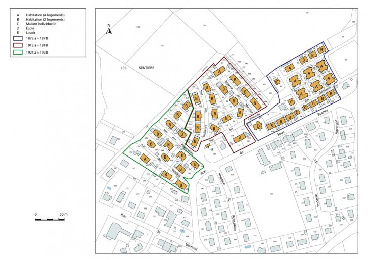
La cité ouvrière est construite pour le compte de la société Constant Peugeot et Cie, dont l'usine Sous-Roches est établie légèrement au nord (IA25000262). Vingt maisons, comprenant de un à quatre logements - soit une cinquantaine au total -, sont édifiées entre 1871 et 1875. Il semble que les six maisons individuelles étaient affectées aux contremaîtres. Bâtie en 1872, l'école privée est pourvue d'un logement de fonction et équipée d'une bibliothèque, d'une salle de lecture et d'une buanderie commune. La cité est agrandie vers l'ouest à partir de 1912 d'après un programme de l'architecte Jean Walter. Il comprend la construction de 15 maisons doubles et deux maisons à quatre logements. Quatorze maisons doubles seront construites plus à l'ouest entre 1922 et 1926. Tous les logements ont été vendus à des particuliers à la fin du 20e siècle.
Période(s)
Principale :
- 2e moitié 19e siècle
- 1er quart 20e siècle
- 2e quart 20e siècle
Auteur(s) & personnalité(s)
Description
Les 51 maisons ouvrières de cette cité sont toutes construites en moellon de calcaire enduit, couvertes d'un toit à deux pans ou longs pans en tuile mécanique. Tous les logements sont dotés d'un sous-sol (cave) et d'un rez-de-chaussée (cuisine et une ou deux pièces), avec un étage carré ou un étage en surcroît (deux pièces). Seules quatre maisons sont pourvues d'un étage carré et d'un étage en surcroît. La cité compte actuellement quatre maisons individuelles, 37 maisons doubles et dix habitations à quatre logements. Chaque logement possédait un jardin potager.
Murs :
- calcaire
- moellon
- enduit
Toit :
- tuile mécanique
Etages :
- sous-sol
- rez-de-chaussée
- 1 étage carré
- étage en surcroît
Source(s) documentaire(s)
-
3 P 581/2-4 Matrices des propriétés bâties (XIXe siècle)
Archives départementales du Doubs, Besançon, 3 P 5812-4 Matrices des propriétés bâties (19e siècle)Lieu de conservation : Archives départementales du Doubs, Besançon
-
Cité Constant Peugeot et Cie. Maison à quatre logements.
Cité Constant Peugeot et Cie. Maison à quatre logements. Plans, coupes, élévations, toile, lavis, échelles 1/50 et 1/100, s.d. [1870].Lieu de conservation : Archives départementales du Territoire de Belfort, Belfort - Cote du document : 35 J 6 D2/5-29BD -
Cité Constant Peugeot et Cie. Maison à quatre logements. Façade latérale.
Cité Constant Peugeot et Cie. Maison à quatre logements. Façade latérale. Plans, coupes, élévations, toile, lavis, échelles 1/50 et 1/100, s.d. [1870].Lieu de conservation : Archives départementales du Territoire de Belfort, Belfort - Cote du document : 35 J 6 D2/5-29BD -
Cité Constant Peugeot et Cie. Maison de contremaître.
Cité Constant Peugeot et Cie. Maison de contremaître. Plans, coupes, élévations, toile, lavis, échelles 1/50 et 1/100, 20 mars 1870.Lieu de conservation : Archives départementales du Territoire de Belfort, Belfort - Cote du document : 35 J 6 D2/5-28BD -
Cité Constant Peugeot et Cie. Maison à quatre logements. Façade principale.
Cité Constant Peugeot et Cie. Maison à quatre logements. Façade principale. Plans, coupes, élévations, toile, lavis, échelles 1/50 et 1/100, s.d. [1870].Lieu de conservation : Archives départementales du Territoire de Belfort, Belfort - Cote du document : 35 J 6 D2/5-29BD
-
Croissant-Barbier, Pierre et Anne. Barbier photographe. Valentigney et le Pays de Montbéliard. Les clichés centenaires d'Emile Barbier, 1996
Croissant-Barbier, Pierre et Anne. Barbier photographe. Valentigney et le Pays de Montbéliard. Les clichés centenaires d'Emile Barbier.- Valentigney : Bibliothèque Municipale, 1996. -
Croissant, Pierre. Urbanisation d'un village : l'exemple de Valentigney. In : Société d'émulation de Montbéliard, 1999, n° 122, "Le Pays de Montbéliard de 1850 à 2000".
Croissant, Pierre. Urbanisation d'un village : l'exemple de Valentigney. In : Société d'émulation de Montbéliard, 1999, n° 122, "Le Pays de Montbéliard de 1850 à 200. -
Poletto, Elodie. Le patrimoine industriel et architectural Peugeot (1805-1937). Recherches préliminaires. - Strasbourg : Faculté des Sciences humaines, 1997.
Poletto, Elodie. Le patrimoine industriel et architectural Peugeot (1805-1937). Recherches préliminaires. - Strasbourg : Faculté des Sciences humaines, 1997.
À voir
Informations complémentaires
Thématiques :
- patrimoine industriel du Doubs
Aire d’étude et canton :
Pays de Montbéliard (le)
Dénomination :
cité ouvrière
Parties constituantes non étudiées :
- école
- lavoir
- © Région Bourgogne-Franche-Comté, Inventaire du patrimoine
