CINÉMA MÉCANO
71 - Verdun-sur-le-Doubs
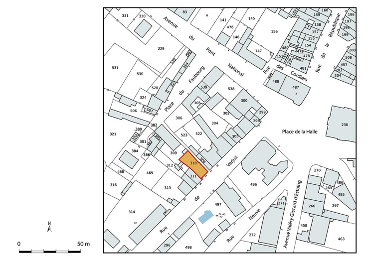
14 rue de Verjux
- Dossier IA71003923 réalisé en 2025
- Auteur(s) : Laurent Poupard
Historique
Signalé par l'Annuaire général du Spectacle en France 1942-43 comme salle de 190 places équipée en 35 mm, le cinéma Mecano semble (re)construit en 1947. Il remplace des bâtiments plus anciens, dont des fragments de mur et une cave sont conservés dans la partie proche de la rue (deux maisons y sont signalées sur le plan cadastral de 1836 sous les références A 563 et 563 bis). L'Annuaire du cinéma Bellefaye atteste son existence en 1950 et 1960 (il est exploité par René Bozon) mais plus en 1970 (il aurait en effet fermé vers 1962). Il est par la suite repris par la Laiterie Bourguignonne, qui s'en sert comme entrepôt (et fait certainement construire le quai de chargement en façade) puis le revend début 2025 à un artiste plasticien.
- 2e quart 20e siècle
Description
Le cinéma est composé de deux parties distinctes. La partie antérieure, correspondant au vestibule (surmonté de la cabine de projection) et au balcon, a des murs en moellons calcaires enduits et s'étend sur une cave (ancienne maison). La partie postérieure fait appel à un pan de fer avec remplissage de briques creuses enduites. La desserte du balcon s'effectue par deux escaliers droits en béton, placés contre les murs gouttereaux ; celle de la cabine fait appel à une échelle de meunier métallique, accessible par une porte en façade. Présentant un mur pignon découvert (façade écran) sur la rue au sud et un pignon couvert au nord, le toit à longs pans est protégé par des plaques de ciment amiante ondulées.
- fer
- brique creuse
- calcaire
- pan de fer
- moellon
- enduit
- ciment amiante en couverture
- sous-sol
- en rez-de-chaussée
- toit à longs pans, pignon découvert
- pignon couvert
- escalier dans-oeuvre, escalier droit, en maçonnerie en charpente métallique
Source(s) documentaire(s)
-
Prises de vues aériennes de l'IGN (20e siècle).
Prises de vues aériennes de l'IGN (20e siècle). Consultables en ligne via le site du Géoportail (www.geoportail.gouv.fr).
-
Annuaire général du Spectacle en France. 1942-1943.
Annuaire général du Spectacle en France. 1942-1943. [Paris] : [Impr. spéciale des Guides du Commerce de Paris], 1943. 1052 p. : ill. ; 25 cm. -
Annuaire du cinéma Bellefaye
Annuaire du cinéma Bellefaye. Paris : Bellefaye, 1948-2015.Titres :Annuaire du cinéma. [1948]-1963.Annuaire du cinéma et télévision. 1964-1985Annuaire du cinéma, télévision, vidéo. 1986-2005.Annuaire du cinéma et de l'audiovisuel. 2006-2015.Numérique à partir de 2016.
-
Seveste, Sébastien (témoignage oral)
Seveste, Sébastien. Propriétaire en 2025 de l'ancien cinéma Mecano de Verdun-sur-le-Doubs (aujourd'hui Verdun-Ciel).
À voir
Informations complémentaires
- salles de spectacle de Bourgogne-Franche-Comté
- © Région Bourgogne-Franche-Comté, Inventaire du patrimoine
