CAFÉ ET THÉÂTRE DE L'HÔTEL DE VILLE, ACTUELLEMENT CAFÉ VENDOME ET CINÉMA LES PLESSIS
71 - Montceau-les-Mines
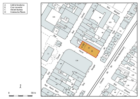
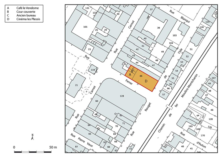
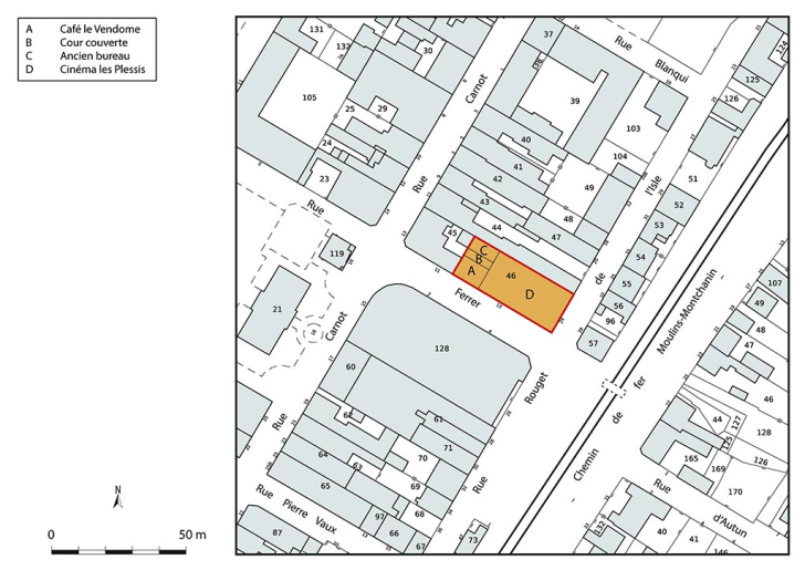
13 rue Ferrer
- Dossier IA71003906 réalisé en 2025
- Auteur(s) : Laurent Poupard
Historique
Le café et le théâtre de l'Hôtel de Ville (dont le nom est porté sur un fronton en arc de cercle, disparu depuis) sont peut-être bâtis dans le quatrième quart du 19e siècle. Le théâtre est incendié en 1909, année où la rue de la Marine prend le nom de Francisco Ferrer. Il est transformé en cinéma, signalé en 1918 sous l'intitulé d'Omnia-Cinéma, en 1930 sous le même intitulé (avec 800 places) et en 1942 comme Rex (780 places), équipé pour les projections en 35 mm. L'annuaire Bellefaye de 1950 précise que le Rex, exploité par la société anonyme du même nom dirigée par Michel Darragon, "reçoit tournées et attractions" (il dispose d'une scène, de 8 m sur 8 ou 9 m sur 6 suivant les sources). En 1970, la S.A. du Cinéma Rex, dont la PDG est Mlle M. Jacquard, exploite à la fois le cinéma Rex et le Studio (29 rue des Oiseaux). Au cours de cette décennie, l'établissement est subdivisé pour accueillir trois salles : salle 1 de 500 places, 2 de 215 places et 3 de 146 places. Devenu les Plessis, il appartient en 1990 à la famille Davoine (CinéAlpes), également propriétaire du Morvan 1 et 2 au Creusot, et il totalise 804 places (473, 190 et 141). En 1992 son matériel de projection se compose de projecteurs Fedi avec redresseurs Irem et sonorisation Philips. Fin 2019, la société CinéAlpes est absorbée par le groupe Gaumont et un projet d'agrandissement (passage de trois à cinq salles) reste sans suite. En février 2022, Régis Faure, à la tête de l'association Panacéa et gérant le Majestic à Digoin et le Danton à Gueugnon, achète la société du Cinéma Rex et ses deux établissements (les Plessis - 69 009 entrées en 2019 - et le Morvan - 62 802 entrées). Souhaitant développer son activité à Montceau-les-Mines, R. Faure décide de construire, à côté de la salle de spectacle l'Embarcadère, un nouveau complexe de quatre salles (589 places) : le Capitole. En attendant son ouverture, prévue le 3 décembre 2025, il assure ses projections à l'Embarcadère où il a transféré le projecteur numérique Christie de la salle 1 (qui avait remplacé un Cinemaccanica Victoria 8 r). Il est soutenu par la Ville de Montceau, propriétaire du café le Vendome et du bâtiment des Plessis. Fermé le 25 juillet 2023, ce dernier fait, le 20 juin 2025, l'objet d'un arrêté de péril imminent du fait de l'effondrement d'une partie d'un mur extérieur.
- limite 19e siècle 20e siècle
Description
Le site se compose de trois corps de bâtiment. Le cinéma a des murs en moellons calcaires enduits, un étage carré et un comble, coiffé d'un toit à longs pans, demi-croupes et ardoises. Les salles 2 et 3, au rez-de-chaussée et disposant d'une cabine commune (à l'est), sont surmontées de la salle 1, accessible par un escalier tournant, dont la cabine se situe dans le comble (côté ouest). Le café à l'ouest a un sous-sol avec voûtains et poutrelles métalliques, la salle au rez-de-chaussée, un logement à l'étage (desservi par un escalier droit) et un étage en surcroît. Lui aussi est protégé par un toit à longs pans et ardoises, muni de croupes. Les murs semblent être en moellons calcaires enduits, à l'exception de l'étage carré en façade qui est en briques apparentes (avec des baies en arc segmentaire). Séparé du café par une cour couverte d'un appentis en matériau synthétique, le troisième corps abritait les bureaux du cinéma. En briques enduites, il comporte un étage carré et est coiffé par un toit à longs pans et tuiles mécaniques, avec croupe à l'ouest et pignon couvert à l'est.
- calcaire
- brique
- moellon
- enduit
- ardoise
- tuile mécanique
- sous-sol
- 1 étage carré
- étage en surcroît
- élévation à travées
- toit à longs pans, croupe
- demi-croupe
- escalier dans-oeuvre, escalier droit, en maçonnerie
- escalier dans-oeuvre, escalier tournant à retours sans jour, en maçonnerie
Source(s) documentaire(s)
-
Montceau-les-Mines. - Théâtre. S.d. [1er quart 20e siècle].
Montceau-les-Mines. - Théâtre. Carte postale, s.n. S.d. [1er quart 20e siècle]. B. Ferrand éd., Bourg-en-Bresse. -
Prises de vues aériennes de l'IGN (20e siècle).
Prises de vues aériennes de l'IGN (20e siècle). Consultables en ligne via le site du Géoportail (www.geoportail.gouv.fr).
-
Colon, Tanguy. Les cinémas de Montceau-les-Mines et du Creusot changent de main. 7 février 2022.
Colon, Tanguy. Les cinémas de Montceau-les-Mines et du Creusot changent de main. Boxoffice Pro [en ligne], 7 février 2022 [consultation du 29 août 2025], ill. Accès internet : https://www.boxofficepro.fr/les-cinemas-de-montceau-les-mines-et-du-creusot-changent-de-main/ -
Desclaux, Cécile. Pathé Gaumont officialise le rachat de CinéAlpes. 28 novembre 2019.
Desclaux, Cécile. Pathé Gaumont officialise le rachat de CinéAlpes. Boxoffice Pro [en ligne]. 28 novembre 2019 [consultation du 29 août 2025]. Accès internet : https://www.boxofficepro.fr/pathe-gaumont-en-negociation-exclusive-pour-lacquisition-de-cine-alpes/ -
Roux, Camille. Cinéma Le Capitole : au cœur des futures salles de projection. 24 janvier 2025.
Roux, Camille. Cinéma Le Capitole : au cœur des futures salles de projection. Le Journal de Saône-et-Loire [en ligne]. 24 janvier 2025 [consultation le 3 septembre 2025], ill. Accès internet : https://www.lejsl.com/economie/2025/01/23/cinema-le-capitole-au-coeur-des-futures-salles-de-projection
-
Annuaire du cinéma Bellefaye
Annuaire du cinéma Bellefaye. Paris : Bellefaye, 1948-2015.Titres :Annuaire du cinéma. [1948]-1963.Annuaire du cinéma et télévision. 1964-1985Annuaire du cinéma, télévision, vidéo. 1986-2005.Annuaire du cinéma et de l'audiovisuel. 2006-2015.Numérique à partir de 2016. -
Annuaire général de la Cinématographie et des Industries qui s'y rattachent
Annuaire général de la Cinématographie et des Industries qui s'y rattachent. Paris : Cinémagazine, 1922-...Suite de : Almanach du Cinéma. Paris : Cinémagazine-édition, 1922-1924. -
Annuaire général du Spectacle en France. 1942-1943.
Annuaire général du Spectacle en France. 1942-1943. [Paris] : [Impr. spéciale des Guides du Commerce de Paris], 1943. 1052 p. : ill. ; 25 cm. -
Peyronnat, Lucien. Le charbon de Blanzy, la famille Chagot et Montceau-les-Mines : histoire économique, politique et sociale du pays montcellien de 1769 à 1927. 1981.
Peyronnat, Lucien. Le charbon de Blanzy, la famille Chagot et Montceau-les-Mines : histoire économique, politique et sociale du pays montcellien de 1769 à 1927. Le Creusot : Ecomusée de la Communauté Le Creusot - Montceau-les-Mines, 1981. 2 vol., 316-266 p. ; 30 cm. Vol. 1 : 1ère partie : 1769-1877 ; vol. 2 : 2e partie : 1877-1927.
-
Faure, Régis (témoignage oral)
Faure, Régis. Exploitant de cinémas. Directeur de l'association Panacea Entertainment. Digoin.
À voir
Informations complémentaires
- salles de spectacle de Bourgogne-Franche-Comté
- cour
- © Région Bourgogne-Franche-Comté, Inventaire du patrimoine
