ATELIER DE DÉCOLLETAGE R & H DREZET PUIS GRANDIDIER
25 - Grand'Combe-Châteleu
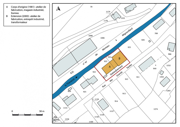
Les Forges - Grands Saules - 14 rue les Grands Saules
- Dossier IA25001668 réalisé en 2016 revu en 2017
- Auteur(s) : Laurent Poupard
Historique
Le bâtiment est construit en 1981 pour la Sarl Drezet R & H, fondée en 1974 par Robert et Hubert Drezet. Mécanicien et tourneur sur métaux comme son père, Robert (1923-1986) est le fils de Victor Drezet (1883-1963) dont l'atelier d'outillage (outils au dixième et au douzième notamment) était établi au 3 rue le Dessus de la Fin, aux Gras. En 1967, il s'est installé à son compte chez lui au 13 rue les Saules, toujours aux Gras. En 1974, il s'associe avec son fils Hubert au sein d'une société qui, produisant de l’outillage pour l'horlogerie et la téléphonie, se reconvertit ensuite dans le décolletage de précision. Son expansion conduit donc cette Sarl à édifier à proximité, sur la commune de Grand'Combe-Châteleu, un nouveau local de 300 m2 qu'elle quitte en juillet 1989 pour un bâtiment deux fois plus grand à Flangebouche, au 11 rue du Charme. Son établissement est racheté en 1993 par la société Grandidier Père et Fils, issue d'une affaire fondée aux Gras par Ernest Ruffion (1878-1950) qui, vers 1926, y a fait bâtir un atelier au 3 Grande Rue. Son fils Pierre Ruffion (1914-1997) lui a succédé à sa mort, associé à Simon Moyse puis vers 1975 à l'un de ses ouvriers, Jean Grandidier (1929-2010). Vers 1979, Grandidier a repris l'entreprise et s'est associé avec son fils Sylvain dans la société Grandidier Père et Fils. Cette dernière produisait de l'outillage à main pour les horlogers, bijoutiers et orfèvres, des brucelles, des mandrins à main, des pinces aux vis de balancier, des épingles à chapeau, etc., puis elle s'est reconvertie dans le décolletage à l'issue d'une crise en 1984. Pour se développer, elle choisit donc de s'implanter à Grand'Combe-Châteleu, où elle agrandit dès 2000 le bâtiment Drezet vers le nord-est. En 2016, la SAS Grandidier (qui a été une Sodex puis une Sarl et une SA) emploie 6 personnes à la fabrication d'outils pour les horlogers bijoutiers et joailliers (andouilloirs, perloirs, mandrins, brucelles, outils à équarrir, drilles, triboulets, baguiers, estrapades pour pendules, etc.), ce qui représente 40 % de son chiffre d'affaire, les 60 % restants correspondant au décolletage (petites et moyennes séries, dans un diamètre de 2 à 40 mm).
- 4e quart 20e siècle
- 1er quart 21e siècle
Description
Le corps de bâtiment d'origine (au sud-ouest) a des murs en parpaings de béton enduits, l'extension (au nord-est) en pan de fer avec essentage métallique. Ils sont tous deux en rez-de-chaussée, dotés de baies d'atelier et coiffés d'un toit à longs pans et pignons couverts, avec couverture en tuiles mécaniques sur le premier et en toile bitumée sur le second.
- béton
- fer
- parpaing de béton
- pan de fer
- enduit
- essentage de tôle
- tuile mécanique
- bitume
- en rez-de-chaussée
- toit à longs pans, pignon couvert
- baie d'atelier
- énergie électrique achetée
Source(s) documentaire(s)
-
Prises de vues aériennes de l'IGN (20e siècle).
Prises de vues aériennes de l'IGN (20e siècle). Consultables en ligne via le site du Géoportail (www.geoportail.gouv.fr).
-
Centre d'Etudes économiques régionales de Franche-Comté. Répertoire des établissements industriels de Franche-Comté classés dans la section "précision, horlogerie, optique" de la nomenclature des activités économiques de l'I.N.S.E.E. 1969.
Centre d'Etudes économiques régionales de Franche-Comté. Répertoire des établissements industriels de Franche-Comté classés dans la section "précision, horlogerie, optique" de la nomenclature des activités économiques de l'I.N.S.E.E. - S.l. [Besançon] : s.n. [Centre d'Etudes économiques régionales de Franche-Comté], juin 1969. III-65 p. ; 21 x 30 cm.
-
Grandidier, Sylvain (témoignage oral)
Grandidier, Sylvain. Directeur de la société Grandidier. Grand'Combe-Châteleu.
À voir
Informations complémentaires
- patrimoine industriel du Doubs
- atelier de fabrication
- bureau
- entrepôt industriel
- transformateur
- stationnement
- magasin industriel
- © Région Bourgogne-Franche-Comté, Inventaire du patrimoine
