USINE, PUIS USINE DE CHAUDRONNERIE ESAC, PUIS USINE DE MEUBLES LAGRANGE
70 - Saint-Loup-sur-Semouse
rue des Jardins
- Dossier IA70000197 réalisé en 2006
- Auteur(s) : Raphaël Favereaux
Historique
D'après une tradition orale, cette usine aurait été édifiée en 1899-1900, pour un usage aujourd'hui indéterminé. Elle aurait ensuite abrité une distillerie, une choucrouterie, puis le fabricant de chaussures Louis Mangel. Elle est occupée à partir de 1933 par la fabrique de meubles Lagrange et Lemercier. Une partie des bâtiments est louée entre la fin des années 1930 et 1957 par les Etablissements de Soudure autogène de Carspach (ESAC). Le fabricant de meubles d'art Lagrange a poursuivi son activité de 1950 à 2004. Le bâtiment est en cours de désaffectation. L'entreprise employait une dizaine d'employés dans les années 1960 et 1970.
- 4e quart 19e siècle
Description
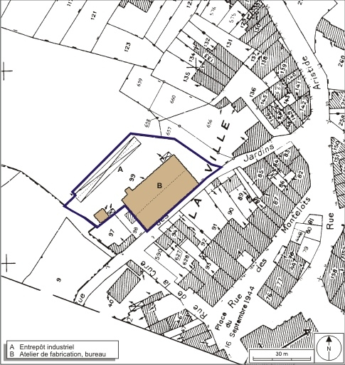
Le bâtiment, à un étage carré, est construit en moellon de calcaire enduit. Les baies sont couvertes par des arcs segmentaires en pierre de taille calcaire. Le toit à longs pans, couvert de tuile mécanique, est coiffé d'un lanternon. L'espace intérieur comprend une nef centrale, montant jusqu'à la charpente métallique, dans laquelle pouvaient s'engager des véhicules, vraisemblablement pour le chargement. L'étage est aménagé sur un quadrilatère, autour de la nef.
- grès
- calcaire
- moellon
- enduit
- tuile mécanique
- 1 étage carré
- charpente métallique apparente
- énergie électrique
- achetée
À voir
Informations complémentaires
- patrimoine industriel de la Haute-Saône
- atelier de fabrication
- entrepôt industriel
- bureau
- © Région Bourgogne-Franche-Comté, Inventaire du patrimoine
