USINE MÉTALLURGIQUE DE BLEY, ACTUELLEMENT LOGEMENT
70 - Auvet-et-la-Chapelotte
Bley
- Dossier IA70000326 réalisé en 2008
- Auteur(s) : Raphaël Favereaux
Historique
Vraisemblablement possession de l'abbaye de Theuley, la forge est citée pour la première fois en 1454. En 1530, l'usine comprend un haut fourneau, des affineries, une chaufferie et un marteau. Un bas fourneau, ou renardière, est attesté en 1562. Abandonné dans le dernier quart du 16e siècle, l'établissement est affermé et redressé à partir de 1598 par Odot Noirot, de Gray, sans que la forge soit reconstruite. L'usine est détruite pendant la guerre de Dix Ans. Elle est reconstruite à partir de 1655 par Jean Juret, qui rétablit le haut fourneau, et en construit un second à proximité en 1661. Appelé le "petit fourneau", il est abandonné vers 1677. En 1740, le fourneau produit entre 500 et 600 milliers de fonte par an (soit 250 à 300 t), majoritairement expédiés en Lorraine. Vers 1750, la Compagnie Chardon, de Paris, occupe les lieux. La production monte à 500 t de fonte en 1772, contre 400 en 1788. Propriété de l'abbaye de Theuley, le haut fourneau est confisqué à la Révolution, et vendu à Georges Anthony et Claude Billard en 1795. En 1822, il appartient à Jean-Baptiste Accarier et Philippe Petitguyot, lequel reste seul propriétaire en 1832. En 1835, le haut fourneau est équipé de deux lavoirs à charbon, dits patouillets. Il roule 10 à 11 mois par an, produit 800 t de fonte et consomme 48 000 m3 de charbon de bois. Une ordonnance royale du 14 novembre 1836 autorise le maintien de l'usine à fer. Petitguyot entreprend entre 1839 et 1841 la restructuration complète du site. Le haut fourneau est déplacé, reconstruit à l'emplacement de l'ancienne maison du maître de forges. Un local indépendant est construit à proximité pour accueillir une soufflerie à pistons mue par une roue hydraulique. La maison du directeur est réaménagée dans l'ancien logement du commis et du fondeur. Divers logements ouvriers complètent l'ensemble. L'ordonnance royale du 14 avril 1847 réglemente le régime hydraulique de l'usine. En 1859, elle produit mensuellement 160 t de fonte, soit environ 1900 t par an. Malgré cette hausse de production due à la modernisation du site, le haut fourneau s'éteint vers 1865. L'usine est achetée en 1870 par Dropet et Vésignié, négociants à Champlitte, et convertie en fonderie de seconde fusion. Propriété d'Etienne Dropet en 1889, elle est pourvue d'un atelier de polissage, d'un magasin et d'un logement d'ouvriers. La fonderie est exploitée en 1893 par la veuve de Charles-Emile Viry, puis peu avant 1900 par la maison Lambert et Bayon, qui produit des pièces mécaniques, des chaudières, des articles de fumisterie, des poteaux indicateurs et des "poteries" (marmites, casseroles, pots). Vers 1907, les successeurs Charles Leuret et fils élargissent les productions au bronze et au cuivre. Dénommée fonderie Roussel et Cie en 1918, elle coule annuellement 500 t de pièces mécaniques sur modèles fournis par les constructeurs (engrenages, poulies, chaudières, etc.). La fonderie cesse son activité en 1930. L'atelier de moulage, le bâtiment du cubilot (ancienne halle à charbon) et trois maisons ouvrières ont été détruits. Le reste des bâtiments est occupé par des logements et un atelier artisanal. Une chaudière Chevalier (Lyon, 69) et une machine à vapeur Uhler aîné (Dijon, 21) de 25 ch, destinées à actionner la machine soufflante, sont autorisées en vertu de l'arrêté préfectoral du 5 décembre 1856. La chaudière, placée près du gueulard, est chauffée avec les flammes perdues du foyer. L'arrêté préfectoral du 29 novembre 1858 autorise l'utilisation d'une chaudière et d'une machine à vapeur de 10 ch pour actionner le patouillet. En 1859, le haut fourneau est muni de deux tuyères et d'une chaudière à vapeur de secours. La fonderie de seconde fusion emploie 30 personnes en 1877, 27 hommes, 3 femmes et 6 enfants en 1893, entre 35 et 40 personnes en 1918.
Période(s)
Principale :
- 15e siècle
- 2e quart 19e siècle
- 4e quart 19e siècle
Date(s)
1841 :
daté par source
1841 :
daté par travaux historiques
1841 :
porte la date
Description
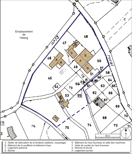
Adossé à la colline, le bâtiment du haut fourneau est construit en moellon de calcaire enduit, couvert d'un toit à croupes et tuile mécanique. La halle de coulée, couverte d'un toit à deux pans, possède une façade en pierre de taille et moellon de calcaire enduit, sommée d'un large fronton triangulaire. La base de ce fronton porte un cartouche gravé de l'inscription "Ph. Petitguyot - M DCCC XLI". Le bâtiment de la soufflerie, construit à la même époque, comprend un étage de soubassement ; il est couvert d'un toit à deux pans. Le logement patronal possède un étage en surcroît et un toit à longs pans et demi-croupes. Il conserve une plaque de cheminée datée 1839. Le logement ouvrier subsistant, à un étage en surcroît, a été fortement modifié.
Murs :
- calcaire
- brique
- calcaire
- moellon
- pierre de taille
- enduit
Toit :
- tuile mécanique
- tuile plate
Etages :
- étage de soubassement
- étage en surcroît
Energie utilisée :
- énergie hydraulique produite sur place turbine hydraulique
- énergie thermique produite sur place
Source(s) documentaire(s)
-
Plan figuré du ruisseaux du fournaux et moulin de Bled [...] [le haut fourneau].
Plan figuré du ruisseaux du fournaux et moulin de Bled [...] [le haut fourneau]. Plan, plume, lavis, 1769, échelle de 30 perches de 9 pieds et demi par perche.Lieu de conservation : Archives départementales de la Haute-Saône, Vesoul - Cote du document : H 398 -
Plan figuré du ruisseaux du fournaux et moulin de Bled [...] [le moulin].
Plan figuré du ruisseaux du fournaux et moulin de Bled [...] [le moulin]. Plan, plume, lavis, 1769, échelle de 30 perches de 9 pieds et demi par perche.Lieu de conservation : Archives départementales de la Haute-Saône, Vesoul - Cote du document : H 398 -
Appareil à vapeur du haut fourneau de Bley [plan d'ensemble et coupes de la chaudière].
Appareil à vapeur du haut fourneau de Bley [plan d'ensemble et coupes de la chaudière]. Plan, plume, lavis, par Petitguyot, Gray le 14 avril 1856, échelles diversesLieu de conservation : Archives départementales de la Haute-Saône, Vesoul - Cote du document : 303 S 1 -
Plan de l'usine de Bley composée d'un haut fourneau avec souffleries à pistons, de patouillets [...].
Plan de l'usine de Bley composée d'un haut fourneau avec souffleries à pistons, de patouillets [...]. Plan, plume, lavis, par le géomètre Gonvalez, le 18 novembre 1832Lieu de conservation : Archives départementales de la Haute-Saône, Vesoul - Cote du document : 301 S 2 -
Plan du haut fourneau de Blé, du patouillet, parc à mines [...], appartenant à Mr Petitguyot [...] pour être joint à la demande de construire un second haut fourneau [...].
Plan du haut fourneau de Blé, du patouillet, parc à mines [...], appartenant à Mr Petitguyot [...] pour être joint à la demande de construire un second haut fourneau [...]. Plan, plume, lavis, par Besancenot, le 15 octobre 1835, échelle 1:500Lieu de conservation : Archives départementales de la Haute-Saône, Vesoul - Cote du document : 301 S 2 -
Plan figuré du ruisseaux du fournaux et moulin de Bled [...] [plan d'ensemble].
Plan figuré du ruisseaux du fournaux et moulin de Bled [...] [plan d'ensemble]. Plan, plume, lavis, 1769, échelle de 30 perches de 9 pieds et demi par perche.Lieu de conservation : Archives départementales de la Haute-Saône, Vesoul - Cote du document : H 398 -
Plan du haut fourneau de Blé, du patouillet, parc à mines [...], appartenant à Mr Petitguyot [...] pour être joint à la demande de construire un second haut fourneau [détail du patouillet projeté].
Plan du haut fourneau de Blé, du patouillet, parc à mines [...], appartenant à Mr Petitguyot [...] pour être joint à la demande de construire un second haut fourneau [détail du patouillet projeté]. Plan, plume, lavis, par Besancenot, le 15 octobre 1835, échelle 1:500Lieu de conservation : Archives départementales de la Haute-Saône, Vesoul - Cote du document : 301 S 2 -
Plan géométrique de plusieurs pièces de terre [...] [détail du fourneau].
Plan géométrique de plusieurs pièces de terre [...] [détail du fourneau]. Plan, plume, lavis, 1759, échelle de 130 perches à 9 pieds et demi par perche.Lieu de conservation : Archives départementales de la Haute-Saône, Vesoul - Cote du document : H 398 -
Plan, coupe et élévation de l'ancien haut fourneau de Blé [...].
Plan, coupe et élévation de l'ancien haut fourneau de Blé [...]. Plan, plume, lavis, s.n., s.d. [1835].Lieu de conservation : Archives départementales de la Haute-Saône, Vesoul - Cote du document : 301 S 2 -
Plan géométrique de plusieurs pièces de terre [...] [plan d'ensemble].
Plan géométrique de plusieurs pièces de terre [...] [plan d'ensemble]. Plan, plume, lavis, 1759, échelle de 130 perches à 9 pieds et demi par perche.Lieu de conservation : Archives départementales de la Haute-Saône, Vesoul - Cote du document : H 398 -
Usine de Bley [coupes et élévations du fourneau et du patouillet].
Usine de Bley [coupes et élévations du fourneau et du patouillet]. Plan, plume, lavis, par le géomètre Gonvalez, le 18 novembre 1832Lieu de conservation : Archives départementales de la Haute-Saône, Vesoul - Cote du document : 301 S 2
À voir
Informations complémentaires
Thématiques :
- patrimoine industriel de la Haute-Saône
Aire d’étude et canton :
Haute-Saône
Hydrographie :
ruisseau de l'étang de Bley
Dénomination :
usine métallurgique
Parties constituantes non étudiées :
- atelier de fabrication
- cheminée d'usine
- bâtiment d'eau
- bâtiment de la soufflerie
- logement d'ouvriers
- logement patronal
- bûcher
- remise
- écurie
- © Région Bourgogne-Franche-Comté, Inventaire du patrimoine
