USINE DE PETITE MÉTALLURGIE (USINE D'OUTILLAGE) MÉCANIC'OUTILS ET UNDF
25 - Frambouhans
ZA la Baume - Louvières - rue des Louvières
- Dossier IA25001174 réalisé en 2013
- Auteur(s) : Laurent Poupard
Historique
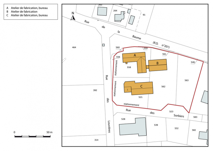
Fondée en 1987 par Rémy Dubail à Maîche (dans les locaux de la société Sécuritor au 5 rue Pasteur ?), la société Mécanic'outils, spécialisée dans la fabrication d'outils coupants spéciaux de très petite dimension, fait construire en 1993 par l'entreprise Personeni, dans la zone artisanale de la Baume, une usine qu'elle agrandit trois ans plus tard. Ses effectifs passant de 7 personnes en 1993 à 20 en 1999, et son parc de machines évoluant en conséquence, elle fait bâtir en 2000-2001, par l'entreprise Balossi (de Villers-le-Lac), un deuxième bâtiment de près de 700 m2 composé de deux corps décalés. Le projet en est donné par l'Atelier d'architecture Lefranc-Corbet (22 rue Mégevand puis 19 rue des Martelots à Besançon), créé en 1995, assisté par l'architecte d'intérieur Bernard Bailleux (48 rue Saint-Michel à Maîche) et par l'économiste Jean Bouvet (39 rue du Stade à Valdahon). Un troisième bâtiment est créé à l'est du premier fin 2007-début 2008. En 2013, la société anonyme (au capital de 170 000 €) emploie 18 personnes à la fabrication d'outillage mécanique : forets et forets hélicoïdaux étagés (0,4 à 8 mm de diamètre, coupe à droite ou à gauche), fraises de forme, fraises scies, alésoirs, perceurs, poinçons, plaquettes, outils à gorge et burins, etc., utilisés dans l'horlogerie, la lunetterie, l'aéronautique, l'électronique, l'automobile, le médical (prothèses et implants), le décolletage, etc. Les bâtiments abritent en outre une deuxième société fondée en 1994 par le même dirigeant : la Sarl UNDF (Usinage numérique Dubail Faivre) au capital de 45 000 €. Spécialisée dans l'usinage numérique des métaux difficiles et précieux (titane, inox, or, platine...), celle-ci compte quatre personnes et réalise des prototypes et des petites séries de pièces et d'ensembles complexes pour l'horlogerie et l'industrie du stylo.
- 4e quart 20e siècle
- 1er quart 21e siècle
Entreprise Personeni. Société de construction et travaux publics créée en 1965 à Frambouhans par quatre frères : Joseph, Louis, Jean-Paul et Alexandre.
Atelier d'architecture Lefranc-Corbet. Créé en 1995 par Michel Lefranc. Etabli au 22 rue Mégevand puis au 19 rue des Martelots à Besançon.
Balossi. Entrepreneur du bâtiment à Villers-le-Lac en 2000.
Description
Les bâtiments ont des murs en béton banché et en parpaings de béton béton enduits, avec essentage de planches sur certains pignons, et des toits à longs pans et pignons couverts, à couverture de tuiles mécaniques. Ils ont un étage de soubassement (à l'exception du plus récent), un rez-de-chaussée surélevé et un étage de comble.
- béton
- béton armé
- parpaing de béton
- enduit
- essentage de planches
- tuile mécanique
- étage de soubassement
- en rez-de-chaussée surélevé
- étage de comble
- toit à longs pans, pignon couvert
- noue
- escalier dans-oeuvre,
- énergie électrique achetée
Source(s) documentaire(s)
-
Archives départementales du Doubs : 1817 W 19 Préfecture du Doubs. Concours financier de l'État aux collectivités territoriales (1999-2000).
Archives départementales du Doubs : 1817 W 19 Préfecture du Doubs. Concours financier de l'État aux collectivités territoriales (1999-2000).Lieu de conservation : Archives départementales du Doubs, Besançon - Cote du document : 1817 W 19
-
Commune de Frambouhans. Construction d'un bâtiment à usage d'atelier et de bureaux, zone artisanale, rue de la Baume. Avant-projet, 18 octobre 1999.
Commune de Frambouhans. Construction d'un bâtiment à usage d'atelier et de bureaux, zone artisanale, rue de la Baume. Avant-projet. Étudié en octobre 1999, modifié le 18 octobre 1999, dessin (tirage), par Bernard Bailleux, échelle 1/100, 66,5 x 118 cm.Lieu de conservation : Archives départementales du Doubs, Besançon - Cote du document : 1817 W 19 -
Commune de Frambouhans. Construction d'un bâtiment à usage d'atelier et de bureaux, zone artisanale, rue de la Baume. Plan masse, 18 octobre 1999.
Commune de Frambouhans. Construction d'un bâtiment à usage d'atelier et de bureaux, zone artisanale, rue de la Baume. Plan masse. Étudié en octobre 1999, modifié le 18 octobre 1999, dessin (tirage), par Bernard Bailleux, échelle 1/500, 29,5 x 42 cm.Lieu de conservation : Archives départementales du Doubs, Besançon - Cote du document : 1817 W 19 -
Prises de vues aériennes de l'IGN (20e siècle).
Prises de vues aériennes de l'IGN (20e siècle). Consultables en ligne via le site du Géoportail (www.geoportail.gouv.fr).
-
Annuaire des Entreprises de France, le fichier national des chambres de commerce et d'industrie.
Annuaire des Entreprises de France, le fichier national des chambres de commerce et d'industrie.
-
Mécanic'Outils, secrétariat de la société (témoignage oral)
Mécanic'Outils, secrétariat de la société. Frambouhans.
À voir
Informations complémentaires
- patrimoine industriel du Doubs
- atelier de fabrication
- bureau
- stationnement
- © Région Bourgogne-Franche-Comté, Inventaire du patrimoine
