USINE DE BOISSELLERIE (SABOTERIE) DUROT, PUIS TOURNU, PUIS ROEHRICH, PUIS TISSAGE DE SOIE DES SOIERIES DE CLAIREGOUTTE, ACTUELLEMENT ATELIER ET LOGEMENT
70 - Clairegoutte
3 à 9 rue de la Soierie
- Dossier IA70000145 réalisé en 2005
- Auteur(s) : Raphaël Favereaux
Historique
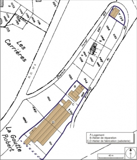
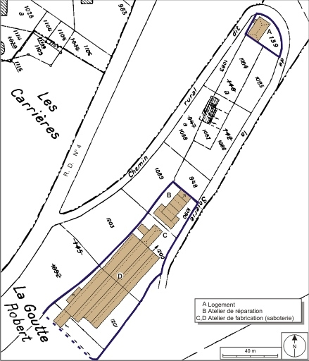
Une petite usine de fabrication de sabots est établie vers 1844 par les frères Henri et Charles Durot. Deux ateliers, distants d'environ 200 m, existent en 1852 : la saboterie dite du Haut, destinée à l'ébauche des sabots (aujourd'hui convertie en logement), et celle dite du Bas dans laquelle s'opèrent les finitions. Le site aurait auparavant abrité une activité textile (tissage, filature ou blanchisserie de toile de coton), attestée sur le ruisseau de la Goutte Robert vers 1830. L'établissement est réglementé par arrêté préfectoral le 23 octobre 1857. La saboterie est exploitée par Frédéric Tournu en 1893 et Roehrich en 1918. A cette date, la production, concentrée sur la saboterie du Bas, atteint 1500 paires par mois. L'établissement aurait été vendu en 1925 par M. Calause à la société anonyme des Soieries de Clairegoutte, qui construit des ateliers de tissage en rez-de-chaussée au sud de la saboterie. Un projet d'implantation de centrale hydroélectrique, daté de 1927-1929, semble n'avoir pas eu de suite. L'usine est agrandie vers 1928, mais connaît une faillite peu après. Elle aurait accueilli un tissage de coton après la Seconde Guerre mondiale. Vers 1960, la société Spéri-France (Société de Production et Recherche Industrie) y implante une fabrique de tissus industriels synthétiques ignifuges. Les bâtiments ont été occupés pendant la décennie 1980 par la société de sérigraphie Séripa, filiale du fabricant de peinture IPA. La partie nord des ateliers abrite depuis 2001 un petit atelier de transformation de mousse polyuréthane (Séripa) et d'emballage haute protection (Ferbal), tandis que la partie sud accueille un atelier de mécanique générale (Couturier). Le bâtiment où était implantée la saboterie du Bas sert aujourd'hui de logements.
Présence d'un moteur hydraulique et d'une machine à vapeur en 1893. Une nouvelle machine à vapeur est autorisée en 1904.
12 ouvriers et 1 enfant en 1875, 5 hommes et 2 enfants en 1893, 59 personnes en 1931, 25 en 1964.
- 1ère moitié 19e siècle
- 2e quart 20e siècle
Description
Le bâtiment ayant abrité l'atelier de saboterie du Bas est construit en moellon de grès enduit, à deux étages carrés, couvert d'un toit à longs pans et demi-croupes. La saboterie du Haut, également convertie en logement, possède un étage carré et un étage de comble, couverte d'un toit à longs pans en tuile plate. Les ateliers de fabrication du tissage sont bâtis en rez-de-chaussée et couverts de sheds et tuile mécanique. L'ancien atelier de réparation, bien que modifié, conserve sa structure en pan de bois.
- grès
- bois
- moellon
- pan de bois
- enduit
- tuile mécanique
- tuile plate
- verre en couverture
- 2 étages carrés
- énergie hydraulique produite sur place
- énergie thermique produite sur place
- énergie électrique achetée
Source(s) documentaire(s)
-
Clairegoutte. - Saboterie mécanique.
Clairegoutte. - Saboterie mécanique. Carte postale, s.d. [fin 19e ou début 20e siècle]. Dans : " MAGNIN (P.). En tramway dans les Vosges saônoises [...] ", p.77.
À voir
Informations complémentaires
- patrimoine industriel de la Haute-Saône
- atelier de fabrication
- logement
- atelier de réparation
- © Région Bourgogne-Franche-Comté, Inventaire du patrimoine
