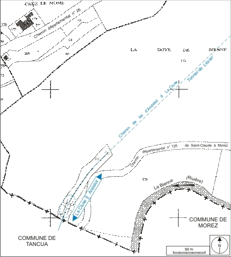
TUNNEL DIT SOUTERRAIN DE LA POINTE (VOIE FERRÉE ANDELOT - LA CLUSE)
39 - Morbier
La Doye de Bienne
- Dossier IA39001147 réalisé en 2004 revu en 2006
 - Auteur(s) : Laurent Poupard
 
                                          Historique
Le tunnel de la Pointe est le plus petit souterrain de l'ensemble de la ligne Andelot - La Cluse. Vraisemblablement conçu par l'ingénieur Roussel, assistant de Séjourné jusqu'en 1903, ou par l'ingénieur Peyre, qui lui succède jusqu'en 1908, il est construit entre le 17 mars 1909 et le 1er août 1911. Il est dû soit à l'entrepreneur Alphonse Trunel, de Château-des-Prés, adjudicataire le 21 février 1908 du premier lot de la section Morez - Saint-Claude, soit à Eugène Ducellier, adjudicataire du deuxième lot le même jour. La section, dont le tracé élaboré par l'ingénieur en chef de la compagnie du PLM (Paris - Lyon - Méditerranée) Paul Séjourné avait été approuvé le 4 juin 1903, est ouverte à l'exploitation le 10 août 1912.
- 1er quart 20e siècle
 
Roussel, ingénieur civil. 19e-20e siècles.
Peyre, ingénieur civil. XIXe-XXe siècles.
Alphonse Trunel, entrepreneur à Château-des-Prés (Jura). XIXe-XXe siècles.
Eugène Ducellier, entrepreneur. XIXe-XXe siècles.
Description
Inscrit dans une courbe à gauche de 250 m de rayon, avec une pente descendante de 4 mm / m, le tunnel (PK 052.164 - 052.180) ne mesure que 18 m. Il est semblable aux autres, notamment à celui qui le suit 33 m plus loin (souterrain du Grépillon) : de section ovoïde, haut de 6, 60 m depuis la plate-forme (dont 0, 60 m de ballast et voie) pour une largeur maximale de 5 m, entièrement revêtu d'une maçonnerie de moellons calcaires, voûté d'un berceau plein-cintre (légèrement surhaussé). Ses extrémités s'inscrivent dans un mur de tête (au sommet en arc de cercle), dont l'ouverture est soulignée par un bossages rustiques et dont l'élévation présente un appareil polygonal (formé de blocs généralement hexagonaux).
- calcaire
 - moellon
 - bossage
 
- voûte en berceau plein-cintre
 
Source(s) documentaire(s)
- 
                                                                              Souterrain de la Pointe. Tête Morez, [1919].
                                                                                                                    
Souterrain de la Pointe. Tête Morez, [1919]. Photographie, s.d. [1919]. Dans : " Ligne de Morez à Saint-Claude. Rapport sur l'exécution des travaux " [...], Bourges : Tardy-Pigelet, 1919, photogr. 13.Lieu de conservation : Archives de la SNCF, Saint-Claude 
À voir
Informations complémentaires
- la voie ferrée Andelot - La Cluse
 
- © Région Bourgogne-Franche-Comté, Inventaire du patrimoine
 
                                                                
                                                                
                                                                
                          
                          
                          
                          
                          
                                                  
                                                  
                                                  
                                                  
                                                  