TUILERIE ET BRIQUETERIE JANICOT
70 - Montureux-et-Prantigny
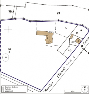
La Tuilerie - R.N. 70
- Dossier IA70000329 réalisé en 2008
- Auteur(s) : Raphaël Favereaux
Historique
La tuilerie aurait été établie en 1821 par François Bardet. Elle est achetée en 1831 par Jean-Claude Raclot, et reste dans cette famille jusqu'à son acquisition par Joseph Stanislas Vilatte en 1876. La maison d'habitation est construite avant 1855. La matrice cadastrale signale une "augmentation de construction" achevée en 1880, vraisemblablement l'atelier de façonnage construit en retour d'angle du séchoir. A cette date, l'établissement produit annuellement 150 000 pièces. En 1887, J.-B. Garnier, exploitant de la tuilerie, installe une machine à vapeur de 6 ch pour actionner un malaxeur et une presse, ce qui permet d'atteindre une production annuelle de 400 000 pièces. Un four à chaux est édifié en 1893 au lieu-dit les Breuillets. Il sera supprimé en 1909. En 1899, Pierre Alexandre Jeannicot rachète la tuilerie au grand séminaire de Besançon, qui en est propriétaire depuis 1892. Elle est ensuite exploitée par son fils Jean-Jules jusqu'en 1944, puis par son petit-fils Jules (devenu Janicot par transcription à l'état-civil), qui poursuivit l'activité jusqu'à la fermeture en 1976. La tuilerie est restée dans son état par la volonté de Guy Janicot, fils de Jules, qui y a travaillé pendant 15 ans. Dans le 3e quart du 20e siècle, la tuilerie fabrique de la brique de cloison (de 3,5 à 18 cm d'épaisseur) et de plafond (cancalon), de la brique de cheminée, pleine ou perforée, et de la tuile plate et mécanique. La carrière d'argile était située à 150 m au sud-ouest de la tuilerie. La terre était extraite à la pelle et à la pioche pendant l'hiver. A la fin de l'exploitation, une petite excavatrice a été utilisée. Chaque jour, 5 m3 d'argile étaient acheminés à l'atelier à l'aide de wagonnets poussés à la main. La terre était déposée dans une fosse, mouillée le cas échéant, et malaxée au pied. Elle était ensuite chargée à la pelle dans un malaxeur, actionné par un moteur électrique via une transmission par courroies. La terre était ensuite chargée dans un broyeur couplé à une mouleuse-étireuse, pourvue selon les besoins d'un chariot découpeur pour tuiles ou pour briques. Les produits fabriqués séchaient à l'air libre, entre 4 et 15 jours selon l'humidité de l'air, disposés sur 20 wagonnets à plateaux. Leur circulation était assurée par un réseau de voies Decauville de 0,50 m d'écartement. Après séchage, les matériaux étaient empilés dans un four rectangulaire de type "à ciel ouvert", chauffé au bois. Le chargement et le défournement duraient respectivement 2 journées (de 15 heures chacune). La cuisson des 7000 à 8000 pièces durait 3 jours et 2 nuits, avec un préchauffage de 24 h. La température atteignait 1000 à 1100 °C au bout du troisième jour. Trois jours de refroidissement étaient nécessaires avant le défournement. Chaque cuisson demandait de 35 à 40 stères de bois, pour fournir environ 40 t de pièces. La production était destinée aux artisans de la région (maçons, plâtriers). Les machines sont actionnées par un moteur à essence vers 1920, puis grâce à l'électricité après la Seconde Guerre mondiale. En 2008, l'appareil de production compte un malaxeur à axe vertical actionné par un moteur électrique Unelec-Jeumont de 15 ch ; un broyeur Dubois (Tours, 37) et une mouleuse-étireuse Brandt (Bèze, 21), du début du 20e siècle, précédemment actionnés par un moteur électrique Millot (Arc-lès-Gray, 70) ; une presse à balancier manuelle utilisée pour le moulage des pièces fabriquées en plus petit nombre (tuiles faîtières) ; un réseau de voies Decauville avec 2 plaques tournantes du fabricant A. Pétolat (Dijon, 21), et tout le matériel afférent (wagonnets à bennes et à plateaux, matrices pour la presse à balancier, filières pour briques et tuiles de la mouleuse-étireuse, etc.). Le four à bois n'est plus en service.
Période(s)
Principale :
- 19e siècle
Date(s)
1821 :
daté par tradition orale
1821 :
daté par travaux historiques
Description
La tuilerie est construite en rez-de-chaussée et comprend un bâtiment en L composé de l'atelier de fabrication à l'est et de la pièce de séchage (séchoir) au nord, le four étant situé à l'intersection. Ce bâtiment possède une structure en charpente de bois, couverte de grandes toitures à longs pans, croupe, tuile plate et tuile mécanique. Le four, construit en moellon de calcaire et chemisé en brique réfractaire, possède des murs de deux mètres d'épaisseur. La chambre du four présente une forme cubique de 4 m de côté, soit un volume de 60 à 70 m3. La sole ajourée est constituée de briques réfractaires reposant sur 3 foyers voûtés de 5 m de longueur, dont l'alimentation en bois se faisait de l'extérieur, à l'abri d'un appentis. Le four était couvert d'un toit à deux pans en tuile mécanique, aujourd'hui en tôle. Construit en moellon de calcaire enduit, le logement comprend un étage carré, couvert d'un toit à demi-croupes en tuile mécanique.
Murs :
- calcaire
- brique
- moellon
- enduit
- essentage de planches
Toit :
- tuile mécanique
- tuile plate
Etages :
- en rez-de-chaussée
- 1 étage carré
Couvrement :
- charpente en bois apparente
Energie utilisée :
- énergie thermique produite sur place
- énergie électrique achetée moteur électrique
À voir
Informations complémentaires
Thématiques :
- patrimoine industriel de la Haute-Saône
Aire d’étude et canton :
Haute-Saône
Dénomination :
tuilerie, briqueterie
Parties constituantes non étudiées :
- atelier de fabrication
- entrepôt industriel
- excavation
- aire des produits manufacturés
- pièce de séchage
- logement
- four industriel
- © Région Bourgogne-Franche-Comté, Inventaire du patrimoine
