TUILERIE ET BRIQUETERIE DE LA CÔTE, PUIS TUILERIE RENÉ POURCHOT
70 - Passavant-la-Rochère
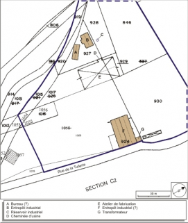
rue de la Tuilerie
- Dossier IA70000309 réalisé en 2007 revu en 2008
- Auteur(s) : Raphaël Favereaux
Historique
Cette tuilerie a été fondée par le sieur Lemoine au lieu-dit la Côte, vraisemblablement en 1872. La matrice cadastrale mentionne une adjonction de construction, achevée en 1887. Louis Lemoine acquiert le moulin de Demangevelle et le convertit en 1901 en centrale hydroélectrique, dont l'électricité est transmise par câble aérien à la tuilerie. A cette époque, la tuilerie produit annuellement 1,2 million de tuiles ("tuiles à la presse, à joints droits, plates mécaniques, faîtières, de rives, etc.") et 500 000 briques. Elle est vendue en 1912 à René Pourchot, et modernisée vers 1922. Son fils Maurice rejoint l'entreprise en 1933, et se retrouve seul à sa tête en 1949. L'établissement se lance en 1981 dans la fabrication de tuile double-écaille. Elle produit à cette époque 16 500 t de tuiles par an. Elle ferme ses portes en août 1982. Les installations ont été démantelées, et la plupart des bâtiments de production ont été détruits. Une cheminée de 52 m a été abattue en 1998. Mention en 1901 d'une machine à vapeur de 35 ch actionnant un pont roulant, un monte-charge, un broyeur Krupp, des malaxeurs, des presses circulaires à 4 moules et des presses à coulisses. L'établissement utilise en 1901 des voies Decauville pour le transport de la terre, 16 fours à feu continu alimentés à la houille et un fonctionnant au bois. Un four-tunnel est construit en 1965-1966. La tuilerie emploie 10 hommes, 5 femmes et 14 enfants en 1893, contre 40 hommes, 10 femmes et 14 enfants en 1901. Une soixantaine de personnes est en activité dans les années 1960, et un cinquantaine en 1980.
- 3e quart 19e siècle
- 4e quart 19e siècle
- 1er quart 20e siècle
- 3e quart 20e siècle
Description
L'atelier de fabrication subsistant possède une structure métallique, hourdée de brique creuse, pourvue d'un toit à longs pans en tuile mécanique. Il est flanqué d'une cheminée de section carrée. Les autres bâtiments industriels (magasin, entrepôt) sont également construits en brique creuse. Le réservoir industriel est en tôle. Le logement (ou bureau) situé au n°13 rue de la Grande Fontaine est construit en rez-de-chaussée.
- calcaire
- brique creuse
- fer
- moellon
- pan de fer
- enduit
- tuile mécanique
- en rez-de-chaussée
- charpente métallique apparente
- énergie thermique produite sur place
- énergie électrique produite à distance
- énergie électrique achetée
Source(s) documentaire(s)
-
Tuilerie René Pourchot : vue d'ensemble
Tuilerie René Pourchot : vue d'ensemble. Photogr., s.d. [1949] par Larcher (photographe). Dans : " L'Opinion économique et financière ", p. 83.
À voir
Informations complémentaires
- patrimoine industriel de la Haute-Saône
- atelier de fabrication
- cheminée d'usine
- entrepôt industriel
- réservoir industriel
- transformateur
- logement
- logement patronal
- © Région Bourgogne-Franche-Comté, Inventaire du patrimoine
