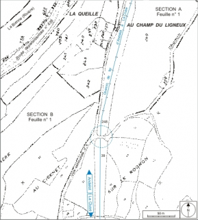
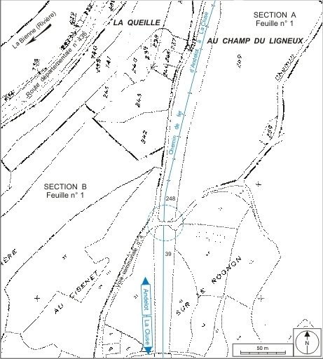
PONT ROUTIER (VOIE FERRÉE ANDELOT - LA CLUSE)
39 - Lavancia-Epercy
Sur le Rognon - V.C. 4
- Dossier IA39001184 réalisé en 2004 revu en 2006
- Auteur(s) : Laurent Poupard
Historique
Ce pont est édifié après le 15 juin 1882, date de l'adjudication du deuxième lot de travaux du tronçon Saint-Claude - Oyonnax, lot qui s'étend de Molinges à Dortan et dont le projet a été défini par les ingénieurs des Ponts et Chaussées Toussaint et Picquenot (Paul ?). Il est achevé avant le 10 juillet 1889, date d'entrée en exploitation de la section Saint-Claude - La Cluse. Il est l'oeuvre d'Eloi Jourdan, adjudicataire du lot demeurant à Bagnols-sur-Cèze dans le Gard et dit " entrepreneur des travaux du chemin de fer et de navigation d'Alais au Rhône et à la Méditerranée ", ou de Joseph Bozzonetti, entrepreneur à Champagnole qui le remplace le 1er décembre 1884, après sa faillite.
- 4e quart 19e siècle
Éloi Jourdan, dit " entrepreneur des travaux du chemin de fer et de navigation d'Alais au Rhône et à la Méditerranée ", demeurant à Bagnols-sur-Cèze dans le Gard. 19e siècle.
Joseph Bozzonetti, entrepreneur à Champagnole (Jura). 19e siècle.
Description
L'ouvrage (au PK 094.061) enjambe la voie ferrée, inscrite en tranchée dans une courbe à gauche (d'un rayon de courbure de 500 m) et en pente montante (25 mm / m). Il supporte un chemin de desserte rejoignant à son extrémité ouest la voie communale n° 4 de Lavancia à Saint-Claude. En moellon calcaire, il comporte une travée large de 8 m, couverte d'une voûte en berceau segmentaire déterminant une hauteur libre de 6, 70 m. Il est à culées perdues, reposant directement sur le rocher. Ses garde-corps métalliques font appel à des fers plats dessinant des rectangles horizontaux juxtaposés, dans lesquels s'inscrit une croix de saint André dont le centre est marqué par un motif circulaire. Ils s'achèvent à chaque extrémité par un potelet octogonal en fonte et sont fermés par une tôle métallique.
- calcaire
- métal
- moellon
- voûte en berceau segmentaire
- pont en arc
Source(s) documentaire(s)
-
Dessin d'exécution du garde-corps en fer à établir sur le passage supérieur de 4 m 00 au profil 21 K 1 a, 1886.
Dessin d'exécution du garde-corps en fer à établir sur le passage supérieur de 4 m 00 au profil 21 K 1 a, 1886. Dessin sur calque (plume, lavis), 1886, échelles diverses par Monnet (ingénieur civil)Lieu de conservation : Archives municipales, Saint-Claude - Cote du document : O 223.901 Boîte Chemins de fer, 1840-1899
À voir
Informations complémentaires
- la voie ferrée Andelot - La Cluse
- © Région Bourgogne-Franche-Comté, Inventaire du patrimoine
