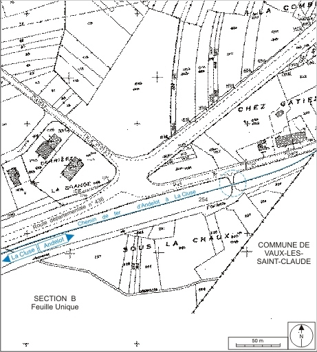
PONT FERROVIAIRE (VOIE FERRÉE ANDELOT - LA CLUSE)
39 - Jeurre
Chez Gatier - Oeillette - chemin de desserte de l' Oeillette
- Dossier IA39001180 réalisé en 2004 revu en 2006
- Auteur(s) : Laurent Poupard
Historique
Le pont est dû à Eloi Jourdan, adjudicataire du deuxième lot de travaux du tronçon Saint-Claude - Oyonnax (lot qui s'étend de Molinges à Dortan), lequel demeure à Bagnols-sur-Cèze dans le Gard et est dit " entrepreneur des travaux du chemin de fer et de navigation d'Alais au Rhône et à la Méditerranée ", ou à Joseph Bozzonetti, entrepreneur à Champagnole qui le remplace le 1er décembre 1884, après sa faillite. Il est construit, avec de la pierre extraite de la commune, entre le 15 juin 1882, date de l'adjudication du lot - dont le projet a été défini par les ingénieurs des Ponts et Chaussées Toussaint et Picquenot (Paul ?) -, et le 10 juillet 1889, date d'entrée en exploitation de la section Saint-Claude - La Cluse.
- 4e quart 19e siècle
Éloi Jourdan, dit " entrepreneur des travaux du chemin de fer et de navigation d'Alais au Rhône et à la Méditerranée ", demeurant à Bagnols-sur-Cèze dans le Gard. 19e siècle.
Joseph Bozzonetti, entrepreneur à Champagnole (Jura). 19e siècle.
Description
Le pont (au PK 089.901), en pierre de taille calcaire, se compose d'une arche de 4 m d'ouverture, voûtée d'un berceau segmentaire déterminant une hauteur libre de 3, 05 m. Ses garde-corps métalliques font appel à des fers plats dessinant des rectangles horizontaux juxtaposés, dans lesquels s'inscrit une croix de saint André dont le centre est marqué par un motif circulaire. L'ouvrage est situé dans une courbe de la voie à droite (d'un rayon de courbure de 317 m), en légère pente montante (4, 7 mm / m).
- calcaire
- pierre de taille
- voûte en berceau segmentaire
- pont en arc
À voir
Informations complémentaires
- la voie ferrée Andelot - La Cluse
- © Région Bourgogne-Franche-Comté, Inventaire du patrimoine
