PONT FERROVIAIRE ET PASSAGE À NIVEAU N° 101 A (VOIE FERRÉE ANDELOT - LA CLUSE)
Montréal-la-Cluse
Damon le Moulin - V.C. 1
- Dossier IA01000438 réalisé en 2004 revu en 2006
- Auteur(s) : Laurent Poupard
Historique
Le pont est construit entre le 11 avril 1881, date d'adoption du projet des ingénieurs des Ponts et Chaussées (Emile Monnet et son chef - Paul ? - Picquenot) pour le tronçon Oyonnax - La Cluse de la section de ligne SaintClaude - La Cluse, et juin 1884, où un rapport signale que les terrassements et les ouvrages d'art sont terminés, la voie posée et les bâtiments avancés entre Oyonnax et La Cluse. Si la maçonnerie est l'oeuvre des entrepreneurs Claude Bergeron et Jean-Pierre Crépel, à qui elle a été adjugée le 1er juin 1881, le tablier est réalisé avant octobre 1883 par Antoine Buisset, d'Auxonne (Côte-d'Or), déclaré le 10 septembre 1882 adjudicataire des tabliers métalliques et gardecorps en fer pour la partie de la ligne comprise dans le département de l'Ain.
Le tronçon Oyonnax - La Cluse entre en exploitation le 16 mai 1885, l'ensemble de la section le 10 juillet 1889. Le tablier d'origine est remplacé en 1909 par un nouveau tablier de la Société des Ponts et Travaux en Fer (date et nom portés). Comme l'indique sa numérotation, le passage à niveau paraît postérieur au pont : il a vraisemblablement été aménagé pour permettre l'accès aux vannes de prise d'eau du canal du moulin Montange, à Montréal.
- 4e quart 19e siècle
Emile Monnet. Ingénieur des Ponts-et-Chaussées. 19e siècle.
Claude Bergeron. Entrepreneur en maçonnerie à Martignat (Ain). 19e siècle.
Jean-Pierre Crépel. Entrepreneur en maçonnerie à Pougny (Ain). 19e siècle.
Antoine Buisset. Entrepreneur à Auxonne (Côte d'Or). 19e siècle.
Société des Ponts et Travaux en Fer. Entreprise. 19e siècle.
Description
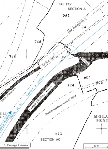
Le pont (au PK 113.808) est construit sur le canal d'amenée du moulin Montange, immédiatement en amont de son barrage sur la rivière l'Ange. Ses bajoyers en pierre de taille calcaire s'achèvent par une partie en aile, courbe pour celle au nord-est. Il a une ouverture de 4,18 m et un tablier métallique, avec garde-corps composé de barres rectangulaires assemblées par des pièces rivées. Un plaque, vissée au nord-ouest sur une poutre principale, porte l'inscription : Société des Ponts / et / Travaux en Fer / 1909. Le passage à niveau (au PK 113.811), réservé aux piétons, n'est matérialisé que par deux portillons en bois. Les ouvrages s'inscrivent dans une courbe à gauche de la voie (d'un rayon de courbure de 450 à 550 m), qui est en pente descendante de 8 mm / m.
- calcaire
- métal
- bois
- pierre de taille
- pont à poutres
À voir
Informations complémentaires
- la voie ferrée Andelot - La Cluse
- © Région Bourgogne-Franche-Comté, Inventaire du patrimoine
