PASSERELLE (VOIE FERRÉE ANDELOT - LA CLUSE)
39 - Champagnole
rue du Stand
- Dossier IA39001099 réalisé en 2004 revu en 2006
- Auteur(s) : Laurent Poupard
Historique
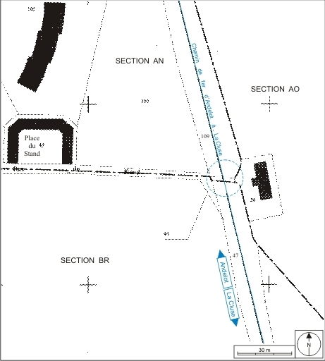
Autorisée par l'arrêté préfectoral du 22 mai 1882, la passerelle est bâtie pour " réunir le champ de tir à la promenade du bois où se trouvent quelques uns des bâtiments du stand et l'unique entrée de l'école ". En effet, les installations de la toute nouvelle société de Tir cantonal de Champagnole, fondée en 1880 et présidée par Etienne Hugon, se trouvent divisées par la voie ferrée. Il n'existe sur la ligne Andelot - La Cluse qu'une autre passerelle : celle établie plus tard à 700 m de là, du côté Andelot-en-Montagne (au point kilométrique 015.300).
- 4e quart 19e siècle
Description
La passerelle (au PK 015.979) est composée de deux culées talutées en maçonnerie, desservies par des escaliers droits, et d'un tablier métallique de 8 m d'ouverture droite, formé de deux poutres supportant un plancher en bois. Les garde-corps sont métalliques.
- calcaire
- métal
- bois
- moellon
- escalier isolé, escalier droit, en maçonnerie
- pont à poutres
Source(s) documentaire(s)
-
Plan à joindre à la demande de la société de tir de Champagnole [plan et élévation], 1882.
Plan à joindre à la demande de la société de tir de Champagnole [plan et élévation], 1882. Dessin (plume, lavis), s.d. [juin 1882].Lieu de conservation : Archives départementales du Jura, Montmorot - Cote du document : Sp 2126
À voir
Informations complémentaires
- la voie ferrée Andelot - La Cluse
- escalier indépendant
- © Région Bourgogne-Franche-Comté, Inventaire du patrimoine
