MUR DE SOUTÈNEMENT (VOIE FERRÉE ANDELOT - LA CLUSE)
39 - Tancua
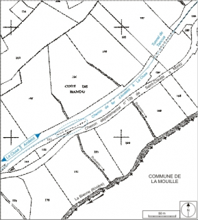
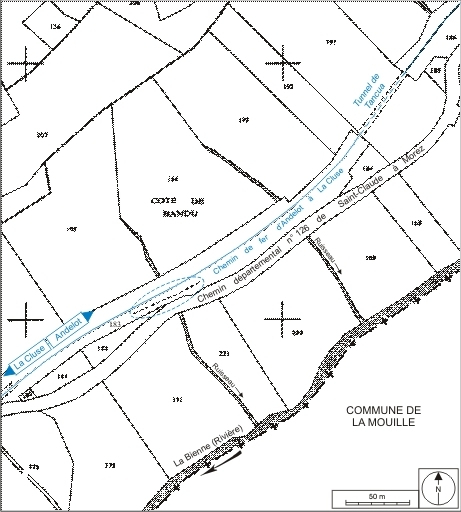
Côte de Bandu - C.D. 126
- Dossier IA39001149 réalisé en 2004 revu en 2006
- Auteur(s) : Laurent Poupard
Historique
Ce mur de soutènement, percé d'un " ponceau voûté 2 m ", est construit entre le 21 février 1908, date de l'adjudication à l'entrepreneur Eugène Ducellier du deuxième lot d'infrastructure de la section Morez - Saint-Claude, et le 20 juillet 1912, date de reconnaissance des travaux. La réalisation dans la vallée de la Bienne du projet des ingénieurs de la compagnie du PLM (Paris Lyon - Méditerranée), dirigés par l'ingénieur en chef Paul séjourné, a été approuvée par le ministre des Travaux publics le 4 juin 1903. Elle a nécessité la construction de nombreux murs de soutènement, totalisant une longueur cumulée de 4783 m (pour une section longue de 24 km), dont beaucoup sont percés d'aqueducs et ponceaux afin de laisser passage aux ruisseaux et aux eaux de ruissellement.
Période(s)
Principale :
- 1er quart 20e siècle
Date(s)
1912 :
daté par source
1912 :
daté par travaux historiques
Auteur(s) & personnalité(s)
Eugène Ducellier, entrepreneur. XIXe-XXe siècles.
Description
Établi en contrebas et à gauche (sud) de la voie, au long du chemin départemental n° 126 de Saint-Claude à Morez, le mur a une longueur de 62 m (du PK 053.139 au PK 053.201) pour une hauteur de 10, 70 m. Son parement taluté présente un appareil polygonal, formé de moellons calcaires généralement hexagonaux. Au centre (PK 053.168), il laisse passage à un ruisseau grâce à un ponceau de 2 m d'ouverture, dont l'arche plein-cintre est à bossages. Il n'y a pas de garde-corps métallique à cet endroit mais la voie est soutenue par des traverses en bois verticales.
Murs :
- calcaire
- moellon
- bossage
Couvrement :
- voûte en berceau plein-cintre
À voir
Informations complémentaires
Thématiques :
- la voie ferrée Andelot - La Cluse
Aire d’étude et canton :
la voie ferrée Andelot - La Cluse
Complément de localisation :
- anciennement commune de Tancua
Dénomination :
mur de soutènement
Parties constituantes non étudiées :
- pont
- © Région Bourgogne-Franche-Comté, Inventaire du patrimoine
