MUR DE SOUTÈNEMENT À ARCADES (VOIE FERRÉE ANDELOT - LA CLUSE)
39 - Morbier
La Doye de Bienne - C.D. 126
- Dossier IA39001146 réalisé en 2004 revu en 2006
- Auteur(s) : Laurent Poupard
 
                                          Historique
Ce mur à arcades est édifié entre le 21 février 1908, date de l'adjudication à l'entrepreneur Alphonse Trunel du premier lot d'infrastructure de la section Morez - Saint-Claude, et le 20 juillet 1912, date de reconnaissance des travaux. La réalisation dans la vallée de la Bienne du projet des ingénieurs de la compagnie du PLM (Paris - Lyon - Méditerranée), dirigés par l'ingénieur en chef Paul Séjourné, a été approuvée par le ministre des Travaux publics le 4 juin 1903. Elle a nécessité la construction de nombreux murs de soutènement, totalisant une longueur cumulée de 4783 m (pour une section de 24 km).
Période(s)
                                              
                          Principale :
                          
                                                                - 1er quart 20e siècle
Date(s)
                                                                                                                                                                                      
                              
                                1912 :                              
                                                              daté par source
                                                          
                                                      
                              
                                1912 :                              
                                                              daté par travaux historiques
                                                          
                                                                        Auteur(s) & personnalité(s)
                        Alphonse Trunel, entrepreneur à Château-des-Prés (Jura). XIXe-XXe siècles.
Description
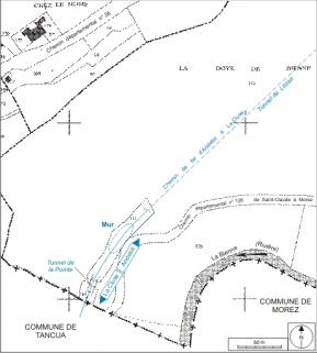
Etabli en contrebas à gauche (au sud-est) de la voie, entre les tunnels de Lézair (côté Andelot-en-Montagne) et de la Pointe, le mur est long de 55 m (du PK 052.087 au PK 052.142) et haut de 13, 50 m. Il est soutenu par cinq arcades voûtées en berceau plein-cintre, larges de 5 m et de hauteur inégale, au pied desquelles passe le chemin départemental n° 126 de Saint-Claude à Morez. Sommée par un refuge, la travée centrale (la plus haute) est percée par un ponceau voûté de 2 m d'ouverture (au PK 052.112), relié à la route par un escalier droit en maçonnerie. L'ouvrage s'inscrit dans une courbe à gauche de 250 m de rayon, avec une déclivité de 4 mm / m. Il est en moellon calcaire et pierre de taille calcaires, avec appareil à bossages rustiques pour les piles et les voûtes, et appareil polygonal (formé de blocs généralement hexagonaux) pour le reste. Le garde-corps métallique côté vallée (est) est formé de supports verticaux en fer forgé plat, percés pour laisser passage à une barre cylindrique horizontale, une seconde barre du même type servant d'appui.
                          Murs :
                          
                      - calcaire
- métal
- pierre de taille
- moellon
- bossage
                        Couvrement :
                        
                    - voûte en berceau plein-cintre
                        Escalier :
                        
                    - escalier isolé, escalier droit, en maçonnerie
Source(s) documentaire(s)
- 
                                                                              Mur de soutènement à arcades [plan, coupes et élévation], [1919].
                                                                                                                    
 Mur de soutènement à arcades [plan, coupes et élévation], [1919]. Dessin imprimé, s.d. [1919], échelles 1:200 et 1:100. Dans : " Ligne de Morez à Saint-Claude. Rapport sur l'exécution des travaux " [...], Bourges : Tardy-Pigelet, 1919, pl. XXXIX.Lieu de conservation : Archives de la SNCF, Saint-Claude
- 
                                                                              Mur de soutènement à arcades [vue d'ensemble, de trois quarts droite], [1919].
                                                                                                                    
 Mur de soutènement à arcades [vue d'ensemble, de trois quarts droite], [1919]. Photographie, s.d. [1919]. Dans : " Ligne de Morez à Saint-Claude. Rapport sur l'exécution des travaux " [...], Bourges : Tardy-Pigelet, 1919, photogr. 27.Lieu de conservation : Archives de la SNCF, Saint-Claude
À voir
Informations complémentaires
                      Thématiques :
                      
                  - la voie ferrée Andelot - La Cluse
                      Aire d’étude et canton :
                      la voie ferrée Andelot - La Cluse
                    
                  
                      Dénomination :
                      mur de soutènement
                    
                  
                      Parties constituantes non étudiées :
                      
                  - pont
- escalier indépendant
- © Région Bourgogne-Franche-Comté, Inventaire du patrimoine
 
                   
                   
                   
                   
                       
                      ![Mur de soutènement à arcades [plan, coupes et élévation], [1919]. © Région Bourgogne-Franche-Comté, Inventaire du patrimoine Mur de soutènement à arcades [plan, coupes et élévation], [1919]. © Région Bourgogne-Franche-Comté, Inventaire du patrimoine](/sites/default/files/styles/inventaire_thumbnail/public/phototheque/IVR43_20003900899X.jpg) 
                      ![Mur de soutènement à arcades [vue d'ensemble, de trois quarts droite], [1919]. © Région Bourgogne-Franche-Comté, Inventaire du patrimoine Mur de soutènement à arcades [vue d'ensemble, de trois quarts droite], [1919]. © Région Bourgogne-Franche-Comté, Inventaire du patrimoine](/sites/default/files/styles/inventaire_thumbnail/public/phototheque/IVR43_20003900825A1.jpg) 
                       
                                                                 
                                                                 
                           
                          ![Mur de soutènement à arcades [plan, coupes et élévation], [1919]. © Région Bourgogne-Franche-Comté, Inventaire du patrimoine Mur de soutènement à arcades [plan, coupes et élévation], [1919]. © Région Bourgogne-Franche-Comté, Inventaire du patrimoine](/sites/default/files/styles/inventaire_liste/public/phototheque/IVR43_20003900899X.jpg) 
                          ![Mur de soutènement à arcades [vue d'ensemble, de trois quarts droite], [1919]. © Région Bourgogne-Franche-Comté, Inventaire du patrimoine Mur de soutènement à arcades [vue d'ensemble, de trois quarts droite], [1919]. © Région Bourgogne-Franche-Comté, Inventaire du patrimoine](/sites/default/files/styles/inventaire_liste/public/phototheque/IVR43_20003900825A1.jpg) 
                           
                           
                           
                           
                           
                           
                                                   
                                                  ![Mur de soutènement à arcades [plan, coupes et élévation], [1919]. © Jérôme Mongreville / Région Bourgogne-Franche-Comté, Inventaire du patrimoine - 2000 Mur de soutènement à arcades [plan, coupes et élévation], [1919]. © Jérôme Mongreville / Région Bourgogne-Franche-Comté, Inventaire du patrimoine - 2000](/sites/default/files/styles/phototheque/public/phototheque/IVR43_20003900899X.jpg) 
                                                  ![Mur de soutènement à arcades [vue d'ensemble, de trois quarts droite], [1919]. © Jérôme  Mongreville (reproduction) / Région Bourgogne-Franche-Comté, Inventaire du patrimoine - 2000 Mur de soutènement à arcades [vue d'ensemble, de trois quarts droite], [1919]. © Jérôme  Mongreville (reproduction) / Région Bourgogne-Franche-Comté, Inventaire du patrimoine - 2000](/sites/default/files/styles/phototheque_vertical/public/phototheque/IVR43_20003900825A1.jpg) 
                                                   
                                                   
                                                   
                                                   
                                                   
                                                  