MOULIN À FARINE DIT MOULIN GALMICHE
70 - Saint-Bresson
Les Prés Benons
- Dossier IA70000106 réalisé en 2005
- Auteur(s) : Raphaël Favereaux
Historique
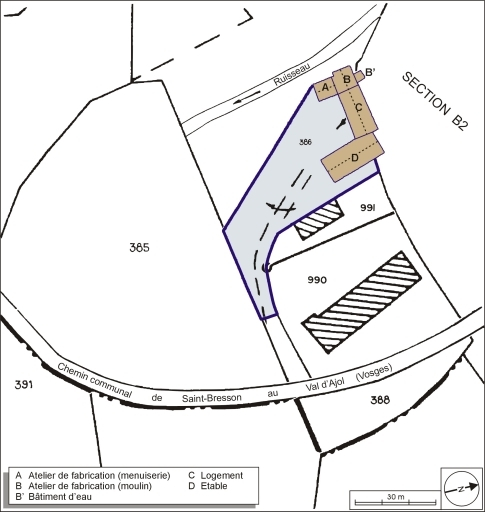
Le moulin à farine a vraisemblablement été établi dans le 1er quart du 19e siècle. Il appartient en 1826 à Pierre-Joseph Levrey, et aurait été réglementé en 1860. La clé de l'arcade de la grange porte le millésime 1865. Le moulin, propriété du sieur Meunier, est repris par Arthur Galmiche vers 1920. La roue hydraulique a été remplacée par une turbine en 1927. La production de farine a cessé vers 1950. Ce petit moulin constitue l'annexe d'une exploitation agricole, au même titre qu'un petit atelier de menuiserie et de charronnage, dont les machines sont encore en place. Des trois paires de meules, encore présentes, l'une servait à broyer la farine, la seconde les céréales secondaires (avoine, orge) et la troisième le sarrasin (blé noir). Outre les trois paires de meules du moulin, l'atelier de menuiserie renferme en 2005 un tour à bois, une scie à ruban François Dolo (Besançon, 25), un polissoir, une dégauchisseuse, une machine à toupiller, une scie, le tout mis en mouvement par une turbine.
Période(s)
Principale :
- 1er quart 19e siècle
- 3e quart 19e siècle
Date(s)
1865 :
daté par tradition orale
1865 :
porte la date
Description
Le moulin, bâti en moellon de grès enduit, est adossé au pignon ouest du corps de ferme. Le rez-de-chaussée abrite le beffroi du moulin et l'étage carré les appareils de mouture. La conduite forcée, enterrée, longe le corps de ferme jusqu'au bâtiment d'eau renfermant la turbine.
Murs :
- grès
- moellon
- enduit
Toit :
- tuile mécanique
Etages :
- étage de soubassement
- 1 étage carré
Energie utilisée :
- énergie hydraulique
- produite sur place
- turbine hydraulique
À voir
Informations complémentaires
Thématiques :
- patrimoine industriel de la Haute-Saône
Aire d’étude et canton :
Haute-Saône
Hydrographie :
ruisseau de la fontaine Bruand
Dénomination :
moulin à farine
Parties constituantes non étudiées :
- logement
- atelier de fabrication
- conduite forcée
- bâtiment d'eau
- bassin de retenue
- © Région Bourgogne-Franche-Comté, Inventaire du patrimoine
