MAISON
25 - Besançon
Îlot Saint-Jacques - Lycée - 12 rue du Lycée
- Dossier IA25000605 réalisé en 1996 revu en 2009
- Auteur(s) : Christiane Roussel
Historique
Par la forme des baies, on peut dater le logis principal sur rue de la fin du 16e siècle et le logis secondaire, de plan en L et en fond de cour, du 18e siècle. En 1771, Bertrand Monnet, nouveau propriétaire de la maison depuis un an, par rachat à l'aubergiste Laffly, demandait la permission de "faire recouper le couvert" (qui déversait ses eaux dans la rue au ras de la corniche) et d'y placer "un corps de descente", ainsi que d'installer un étage de comble qui ne sera réalisé que bien plus tard, probablement au 20e siècle, au moment où l'on a surélevé ce logis d'un étage côté cour.
- 2e moitié 16e siècle
Description
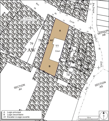
Le logis sur rue, à un étage carré et un de comble, avec un passage cocher en position latérale, est bâti sur un sous-sol voûté en berceau ou plafonné. Au fond de la cour est situé un logis secondaire de plan en L, bâti sur un sous-sol voûté d'arêtes, avec des remises en rez-de-chaussée, les deux du fond encadrant une buanderie. Les deux logis sont distribués par un escalier à cage ouverte avec rampe en ferronnerie, situé à droite de la cour, avec une cage fermée par un cloison en verre dépoli.
- calcaire
- pierre de taille
- tuile plate
- sous-sol
- 2 étages carrés
- étage de comble
- voûte d'arêtes
- voûte en berceau
- escalier de distribution extérieur, escalier tournant à retours sans jour, cage ouverte en maçonnerie en charpente
Source(s) documentaire(s)
-
Besançon : extrait du plan cadastral, 1974, section AW.
Besançon : extrait du plan cadastral, 1974, section AW.
À voir
Informations complémentaires
La façade sur rue du logis principal de la fin du 16e siècle n'a pas été dénaturé et correspond en tous points au dessin à la plume réalisé en 1771 par l'architecte Jean-Charles Colombot lors d'une requête en voirie.
- demeures bisontines
- buanderie
- logement
- cour
- © Région Bourgogne-Franche-Comté, Inventaire du patrimoine
