MAISON
25 - Besançon
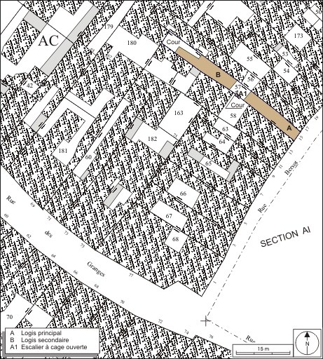
Îlot Proudhon - Bersot - 15 rue Bersot
- Dossier IA25000598 réalisé en 1996 revu en 2009
- Auteur(s) : Christiane Roussel
Historique
La façade antérieure du logis principal, à trois étages, a été entièrement refaite au 19e siècle (ainsi que l'escalier à cage ouverte sur cour) en la surélevant probablement d'un ou deux étages, comme la façade postérieure de même hauteur qui conserve dans les parties basses quelques éléments du 18e siècle. Le logis secondaire possède une façade antérieure en pan de bois enduit indatable, l'autre ayant été refaite au 19e siècle.
- 19e siècle
- 18e siècle
Description
Construits sur un parcellaire très étroit et très profond, les deux logis parallèles ne présentent que deux travées en façade, l'arc de la boutique sur rue englobant l'entrée du couloir. Pour compenser le manque d'espace, les logis sont très profonds. Le rez-de-chaussée du logis secondaire est occupé par des bûchers (et des réserves ?) : il est formé d'une cloison en bois côté couloir percée de portes pour accéder aux bûchers. Sous le logis principal se trouvent deux caves, l'une plafonnée prolongée côté rue par une petite cave voûtée en berceau.
- calcaire
- bois
- calcaire
- pierre de taille
- pan de bois
- moellon
- pan de bois
- enduit
- tuile plate
- sous-sol
- 3 étages carrés
- voûte en berceau
- escalier de distribution extérieur, escalier droit, cage ouverte en charpente
- maison avec escalier à cage ouverte et couloir
À voir
Informations complémentaires
Caractéristique des maisons construites sur un parcellaire étroit sur rue avec des logis parallèles, double en profondeur, le rejet de l'escalier à l'extérieur, des bûchers occupant le rez-de-chaussée peu éclairé du logis secondaire.
- demeures bisontines
- bûcher
- logement
- boutique
- borne fontaine
- © Région Bourgogne-Franche-Comté, Inventaire du patrimoine
