MAISON
25 - Besançon
Îlot Bouteiller - Grande Rue 35
- Dossier IA25000554 réalisé en 1996 revu en 2008
- Auteur(s) : Christiane Roussel
Historique
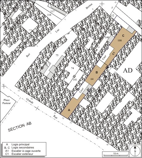
Cette maison est de datation hétérogène. L'élévation antérieure du logis principal date vraisemblablement de la 2e moitié du 16e siècle. Au début du 18e siècle, ont été construits les deux logis secondaires et les deux escaliers sur cour, comme le montrent à la fois, les baies à crossettes caractéristiques de cette période situées sur la façade postérieure du premier logis secondaire, la date 1710 (accompagnée de deux monogrammes illisibles inscrits dans deux médaillons ovales) sur la façade antérieure du deuxième logis secondaire, et le style des ferronneries des deux escaliers. Dans la 2e moitié du 19e siècle, les deux logis secondaires ont été surélevés et l'aile située à droite de la deuxième cour probablement reconstruite. Dans le même temps, l'escalier extérieur distribuant le deuxième logis secondaire a été prolongé et un quatrième mur de cage construit sur cour avec des baies libres comprenant des arcatures en brique.
Période(s)
Principale :
- 2e moitié 16e siècle
- 1er quart 18e siècle
Secondaire :
- 19e siècle
Date(s)
1710 :
porte la date
Auteur(s) & personnalité(s)
Description
L'édifice est construit sur une parcelle traversante allant de la Grande Rue à une impasse donnant sur la rue Luc Breton. Il est composé de trois logis parallèles, deux cours et des couloirs en position latérale. Le logis principal, bâti sur une cave voûtée en berceau, et le premier logis secondaire sont distribués par un escalier à cage ouverte en maçonnerie avec rampe en fer forgé, puis en charpente avec une rampe à balustres de bois tourné. Le troisième logis donnant sur l'impasse, au fond de la deuxième cour, est distribué par un escalier extérieur rampe sur rampe puis à jour central, en maçonnerie puis en charpente. Les bâtiments sont en moellon enduit, sauf l'aile à droite de la deuxième cour et la façade sur rue du logis principal qui sont en pierre de taille. Les façades postérieure du logis principale et antérieure du premier logis secondaire sont recouvertes d'un essentage de planches.
Murs :
- calcaire
- pierre de taille
- moellon
- enduit
- essentage de planches
Toit :
- tuile plate
- ardoise
Etages :
- sous-sol
- 2 étages carrés
- étage de comble
Couvrement :
- voûte en berceau
Escalier :
- escalier de distribution extérieur, escalier tournant à retours sans jour, cage ouverte en maçonnerie en charpente
Typologie :
- maison avec escalier à cage ouverte et couloir
Décors :
- sculpture
Deux monogrammes illisibles inscrits dans deux médaillons ovales sont situés sur la façade antérieure du deuxième logis secondaire.
Source(s) documentaire(s)
-
Besançon : extrait du plan cadastral, 1974, section AD.
Besançon : extrait du plan cadastral, 1974, section AD.
À voir
Informations complémentaires
Observations :
Malgré certaines dénaturations, la maison conserve des escaliers extérieurs avec des rampes en ferronnerie caractéristiques du début du 18e siècle.
Malgré certaines dénaturations, la maison conserve des escaliers extérieurs avec des rampes en ferronnerie caractéristiques du début du 18e siècle.
Eléments remarquables :
escalier
Thématiques :
- demeures bisontines
Aire d’étude et canton :
Besançon centre
Dénomination :
maison
Parties constituantes non étudiées :
- logement
- boutique
- cour
- © Région Bourgogne-Franche-Comté, Inventaire du patrimoine
