MAISON ET USINE D'HORLOGERIE ZAHND (MONTRES ZAND)
25 - Morteau
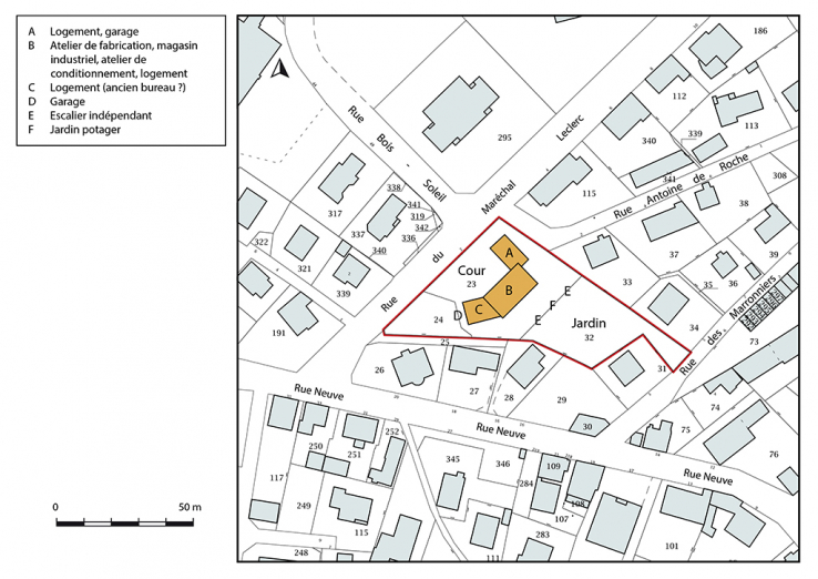
2 rue du Maréchal Leclerc
- Dossier IA25001796 réalisé en 2013 revu en 2018
- Auteur(s) : Laurent Poupard
Historique
Etabli au 14 rue de la Chaussée, où il a succédé à son père Léopold Jacquot à la tête de la fabrique de montres Jacquot-Louvet et Cie, Hubert Jacquot débute en 1950 ou 1951 rue du Maréchal Leclerc la construction d'un bâtiment à usage de maison et d'usine. Il décède en 1951 dans un accident de voiture alors que le gros oeuvre est en cours. La propriété est achetée vers 1955 par l'horloger Fernand Zahnd (1899-1978), lui-même fils d'horloger (Auguste Zahnd, originaire du Pâquier, commune de Val-de-Ruz, canton de Neuchâtel, Suisse). Fernand a, aux 17 et 19 rue Fauche, un atelier dans lequel il produisait des montres aux calibres 10 1/2 (échappement à ancre, ébauches Cupillard et Parrenin) et 5 1/4 (échappement à cylindre, ébauches Cupillard), sous plusieurs marques : Zan (en 1953, aussitôt retirée car déposée depuis 1884 par la fabrique de confiserie à la réglisse Abauzit et Aubrespy, d'Uzès dans le Gard), Zand et Zahnd. Toutefois, l'incendie (en 1953 ou 1955 ?) de ce local l'a obligé à transférer provisoirement son activité dans l'ancienne usine Panneton (11-13 rue René Payot). L'achat du bâtiment Jacquot et son achèvement en 1955 lui permettent donc de relancer son affaire : il y installe la production, l'administration restant encore quelques temps rue Payot. Il a développé la vente des montres par soumission (par correspondance), court-circuitant ainsi les horlogers-bijoutiers détaillants (ce lui vaudra apparemment d'être radié du syndicat des Fabricants d'Horlogerie). Il envoie un échantillon à un public choisi sélectionné dans des annuaires de la fonction publique (instituteurs notamment) et à un prix attractif, l'envoi étant accompagné d'un bulletin de retour au cas où le destinataire ne serait pas intéressé ; une remise est consentie pour trois montres achetées et la septième est offerte pour l'acquisition de six. Il vend également carillons et pendules électriques, réveils (sous sa marque ou sous la marque Japy), couverts, etc. Il employait quatre personnes au service expédition et dix à l'atelier rue Fauche mais, selon une ancienne employée, l'entreprise compte 56 personnes en 1958, dont dix à l'expédition et une ou deux au service après-vente (elle est classée dans la tranche de 11 à 19 salariés dans une statistique de 1965, qui ne tient certainement pas compte du personnel à domicile). Elle disparaît dans les années 1970 (en 1978 ?). Doté d'un petit garage au sud-ouest à la fin de cette décennie ou au début de la suivante, le site n'abrite plus d'activité productive.
- 3e quart 20e siècle
Description
Le site comporte trois corps de bâtiments principaux accolés, aux murs enduits, coiffés de toits à longs pans et croupes. Le plus élevé, au centre, compte un sous-sol, deux étages carrés et un étage de comble, desservis par un escalier dans-oeuvre. Le deuxième étage (ancien atelier de fabrication) est largement éclairé par des baies d'atelier sur les façades postérieure et latérale droite. Le comble serait muni d'une charpente métallique, soutenant la couverture en tuiles mécaniques. Les corps latéraux sont en rez-de-chaussée et à usage de logement (avec garage pour celui en retour d'équerre au nord) ; le corps sud abritait peut-être les bureaux. Les deux sont couverts de tuiles plates (avec des reprises métalliques), de même que le garage en appentis à l'ouest. A l'est, deux escaliers isolés droits en maçonnerie donnent accès au jardin.
- tuile mécanique
- tuile plate
- sous-sol
- 2 étages carrés
- étage de comble
- élévation à travées
- escalier dans-oeuvre,
- escalier isolé, escalier droit, en maçonnerie
- baie d'atelier
Source(s) documentaire(s)
-
3 P 412 Cadastre de la commune de Morteau, 1816-1978
3 P 412 Cadastre de la commune de Morteau, 1816-1978- 3 P 412 : Atlas parcellaire (11 feuilles), dessin (plume, lavis), par les géomètres du cadastre Girardier et Mestre, 1816-1817- 3 P 412/1 : Registre des états de sections, 1818- 3 P 412/4-5 : Matrice cadastrale des propriétés bâties et non bâties, 1823-1875. Le 1er volume manque.- 3 P 412/2-3 : Matrice cadastrale des propriétés bâties et non bâties, 1876-1914- 3 P 412/6 : Matrice cadastrale des propriétés bâties, 1882-1910- 3 P 412/7-9 : Matrice cadastrale des propriétés non bâties, 1911-1965- 3 P 412/10-13 : Matrice cadastrale des propriétés bâties, 1911-1978Lieu de conservation : Archives départementales du Doubs, Besançon - Cote du document : 3 P 412 -
50 J 46 Syndicat de fabricants d'horlogerie de Besançon. Correspondance avec les fabricants, 1948-1966
50 J 46 Syndicat de fabricants d'horlogerie de Besançon. Correspondance avec les fabricants, 1948-1966Lieu de conservation : Archives départementales du Doubs, Besançon - Cote du document : 50 J 46 -
Annonces publicitaires, tarifs et catalogues de production de la société Zahnd, milieu 20e siècle
Annonces publicitaires, tarifs et catalogues de production de la société Zahnd, milieu 20e siècleLieu de conservation : Collection particulière : Henri Bonnet, Fournet-Luisans -
La fabrique de montres de qualité Fernand Zahnd [catalogue], 3e quart 20e siècle
La fabrique de montres de qualité Fernand Zahnd [catalogue]. - [Ets Zahnd] : [Morteau], s.d. [3e quart 20e siècle]. [8] p. : tout en ill. ; 13,5 x 10 cm.Lieu de conservation : Collection particulière : Henri Bonnet, Fournet-Luisans
-
Campos, Christelle. Recherches généalogiques
Campos, Christelle. Recherches généalogiques. Accessibles en ligne sur le site de Geneanet : http://gw.geneanet.org/
-
Les établissements horlogers en France, mars 1965
Les établissements horlogers en France. - S.l. : s.n., mars 1965. 17 p. ronéotypées ; 20 cm.Lieu de conservation : Collection particulière : Michel Simonin, Maîche
-
Vuez Jean-Claude (témoignage oral)
Vuez Jean-Claude, descendant d'une famille d'horlogers, historien de la société Parrenin, Villers-le-Lac
À voir
Informations complémentaires
- patrimoine industriel du Doubs
- atelier de fabrication
- magasin industriel
- atelier de conditionnement
- bureau
- logement
- garage
- escalier indépendant
- jardin
- jardin potager
- cour
- © Région Bourgogne-Franche-Comté, Inventaire du patrimoine
