MAISON ET ATELIER DE PIERRES POUR L'HORLOGERIE D'AIMÉ BASSET
25 - Villers-le-Lac
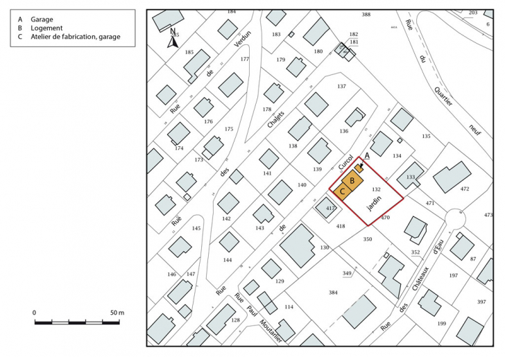
12 rue de Curcol
- Dossier IA25001521 réalisé en 2015 revu en 2016
- Auteur(s) : Laurent Poupard
Historique
En 1939, Aimé Basset, né en 1903 et dit "poseur de glaces" sur la matrice cadastrale, fait construire une maison dotée d'un atelier accolé au mur sud-ouest. Il y a son affaire de pierriste (fabricant de pierres pour l'horlogerie), dans laquelle il emploie une dizaine de personnes. Son entreprise disparaît vers 1950-1953. Le bâtiment (agrandi vers 1952 ?) n'abrite plus d'activité productive et l'atelier a été rehaussé d'un niveau (rez-de-chaussée surélevé à usage de garage).
- 2e quart 20e siècle
Description
Chaque bâtiment comporte un étage de soubassement et un rez-de-chaussée surélevé, et est coiffé d'un toit (à longs pans et pignons couverts pour la maison et l'ancien atelier, à un pan pour le garage) à couverture de tuiles mécaniques. La maison, peut-être bâtie en moellons calcaires enduits, compte en outre un étage en surcroît, les différents niveaux étant desservis par un escalier dans-oeuvre droit en béton. Le rez-de-chaussée surélevé de l'atelier au sud-ouest et celui du garage au nord-est sont en parpaings de béton enduits.
- calcaire
- béton
- moellon
- parpaing de béton
- enduit
- enduit
- tuile mécanique
- étage de soubassement
- rez-de-chaussée surélevé
- étage en surcroît
- escalier dans-oeuvre, escalier droit, en maçonnerie
Source(s) documentaire(s)
-
3 P 628 Cadastre de la commune de Villers-le-Lac, [1812-1977]
3 P 628 Cadastre de la commune de Villers-le-Lac, 1817-1973- 3 P 628 : Atlas parcellaire (18 feuilles), dessin (plume, lavis), par les géomètres du cadastre Vial et Girardier, 1817- 3 P 628/1-2 : Registre des états de sections (1817 ?) - 3 P 628/3-4 : Matrices cadastrales des propriétés bâties et non bâties, 1822-1910- 3 P 628/5 : Matrice cadastrale des propriétés bâties, 1882-1910- 3 P 628/10-12 : Matrice cadastrale des propriétés bâties, 1911-1973Lieu de conservation : Archives départementales du Doubs, Besançon - Cote du document : 3 P 628
-
Prises de vues aériennes de l'IGN (20e siècle)
Prises de vues aériennes de l'IGN (20e siècle). Consultables en ligne via le site du Géoportail (www.geoportail.gouv.fr) -
118 - Frontière franco-suisse. Villers-le-Lac. Le pont et l'embarcadère de l'hôtel de France, entre 1938 et 1951
118 - Frontière franco-suisse. Villers-le-Lac. Le pont et l'embarcadère de l'hôtel de France, carte postale, par Janin, s.d. [entre 1938 et 1951], Editions Photo Janin à MaîcheLieu de conservation : Collection particulière : Henri Ethalon, Les Ecorces -
Frontière franco-suisse. 105 - Vue générale de Villers-le-Lac [depuis le sud], entre 1948 et 1952
Frontière franco-suisse. 105 - Vue générale de Villers-le-Lac [depuis le sud], carte postale, par Janin, s.d. [entre 1948 et 1952], Editions Photo Janin à MaîcheLieu de conservation : Collection particulière : Henri Ethalon, Les Ecorces -
Villers-le-Lac (Doubs). 22173 - Vue panoramique aérienne [depuis le sud], 1952
Villers-le-Lac (Doubs). 22173 - Vue panoramique aérienne [depuis le sud], carte postale (carte photo), par Rancurel, s.d. [1952], Combier (CIM) éd. et impr. à MaconLieu de conservation : Collection particulière : Jean-Claude Vuez, Villers-le-Lac
-
Monneret, Christian. Recherches généalogiques
Monneret, Christian. Recherches généalogiques. Accessibles en ligne sur le site de Geneanet : http://gw.geneanet.org/
-
Droz Yves (témoignage oral)
Droz Yves, collectionneur de pièces horlogères et fondateur du Musée de la Montre, Villers-le-Lac -
Renaud-Bezot Jacques (témoignage oral)
Renaud-Bezot Jacques, ancien dirigeant de la société horlogère du même nom. Villers-le-Lac
À voir
Informations complémentaires
- patrimoine industriel du Doubs
- atelier de fabrication
- logement
- garage
- jardin
- © Région Bourgogne-Franche-Comté, Inventaire du patrimoine
