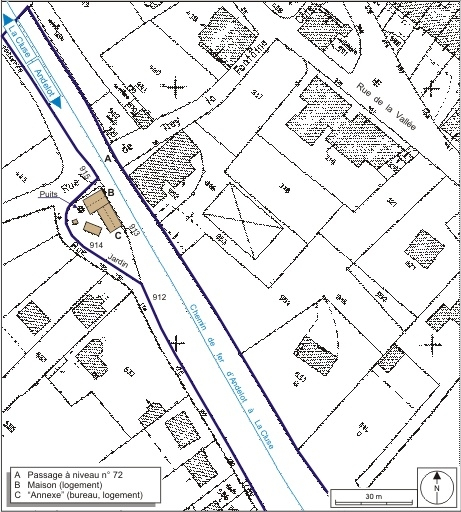
MAISON DE GARDE-BARRIÈRE ET PASSAGE À NIVEAU N° 72, PUIS HALTE PUIS GARE DITE STATION DE VAUX-LÈS-SAINT-CLAUDE (VOIE FERRÉE ANDELOT - LA CLUSE)
39 - Vaux-lès-Saint-Claude
93 rue de Trey la Fontaine
- Dossier IA39001178 réalisé en 2004 revu en 2006
 - Auteur(s) : Laurent Poupard
 
                                          Historique
La maison de garde-barrière du passage à niveau n° 72 fait partie des quinze maisons dont la construction est adjugée le 3 avril 1884 à l'entrepreneur dijonnais Auguste Truchetet Fils. Elle correspond au plan de " Maison de garde avec cave et étage. Type de la Cie de Paris - Lyon - Méditerranée ", annexé à la circulaire ministérielle du 26 avril 1880, avec citerne et puits mais rejet des cabinets dans un appentis isolé. Adaptation locale : " les murs exposés aux vents régnants seront protégés, suivant l'usage de la contrée, par un tavillonage ou revêtement en lames de bois ". Truchetet est déclaré en faillite le 16 juillet 1886 mais avait arrêté les travaux dès la fin 1885. A cette date, l'ensemble des maisons est en chantier et certaines sont presque achevées. La construction se poursuit en régie et la réception définitive en est prononcée le 8 août 1888. Le tronçon Oyonnax - Saint-Claude entre en exploitation le 10 juillet 1889. Le passage à niveau n° 71, situé à 492 m en amont (du côté Andelot-en-Montagne), est manoeuvré à distance depuis cette maison. Le 11 juillet 1891, le ministre des Travaux publics autorise la création d'une halte de voyageurs à Vaux, sous réserve que la commune prenne en charge les frais générés par la construction de son trottoir de 100 m entre voie et maison. Après l'avoir d'abord refusée, il répond donc favorablement à la demande du Conseil municipal, qui espère ainsi développer le tourisme. Pour argumenter, la municipalité a mis en avant le statut du village qui " par la richesse exceptionnelle de son sol, la grande variété et la renommée de ses produits, la beauté de son site, est considéré, à juste titre, comme le jardin de l'arrondissement de St Claude et un but de promenade très fréquenté par les habitants de St Claude, dont un certain nombre y ont un pied à terre ", sans oublier les intérêts des 90 tourneurs de Vaux et ceux des piétons des villages de Viry et Rogna. La halte est inaugurée le 3 novembre 1891. Par la suite, en 1923, la commune émet le souhait que la halte soit transformée en station. La décision ministérielle du 17 novembre 1926 autorise cette modification, suivant le projet présenté le 18 juillet 1925 par l'ingénieur de la compagnie du PLM (Paris - Lyon - Méditerranée) P. Oudotte, qui prévoit : " une annexe à la maison de garde, côté St Claude, de 8, 40 m x 5, 00 m hors oeuvre pour : bureau de recette, enregistrement des bagages, salle d'attente, magasin, chambre de service pour l'agent de remplacement ; une lampisterie de 1, 15 m x 1, 20 m accolée à l'annexe côté St Claude, et une soute à combustible adossée à la lampisterie ; une cour des voyageurs empierrée, avec talus côté du jardin ". Le passage à niveau est modernisé dans les années 1970 : il est du type à signaux automatiques lumineux. La station est désaffectée dans les années 1970 ; vendue, la maison est actuellement une habitation privée.
- 4e quart 19e siècle
 - 2e quart 20e siècle
 
Auguste Truchetet Fils, entrepreneur dijonnais (Côte d'Or). 19e siècle.
P. Oudotte, ingénieur civil. XIXe-XXe siècles.
Description
Le passage à niveau (au PK 087.953) est muni d'avertisseurs lumineux et sonores, et de deux demi-barrières. La maison compte un sous-sol et un étage en surcroît ; son annexe est en rez-de-chaussée. Les moellons calcaires sont laissés apparents au niveau des premières assises de la maison alors que l'autre corps est en béton (de gravier en partie basse, de scorie de mâchefer au-dessus). Les baies sont en arc segmentaire. Les murs pignons de la maison sont percés d'une porte (récemment murée côté voie) surmontée d'une fenêtre, les façades latérales chacune de deux fenêtres (dont celle près de l'angle nord-est présente encore des traces du petit auvent qui surmontait le guichet ménagé là en 1891). Chaque mur gouttereau de l'annexe est ouvert de trois baies. Les deux bâtiments sont coiffés chacun d'un toit à longs pans recouvert de tuiles mécaniques.
- calcaire
 - béton
 - moellon
 - enduit partiel
 
- tuile mécanique
 
- sous-sol
 - en rez-de-chaussée
 - étage en surcroît
 
- toit à longs pans
 - pignon couvert
 
- escalier dans-oeuvre,
 
- PLM plan en L
 
Source(s) documentaire(s)
- 
                                                                              Halte de Vaux-les-St-Claude. Transformation de la halte en station. Plans, élévations et coupe (état actuel et projeté), 1925.
                                                                                                                    
Halte de Vaux-les-St-Claude. Transformation de la halte en station. Plans, élévations et coupe (état actuel et projeté), 1925. Dessin (tirage, lavis), 8 juillet 1925 par Oudotte, P. (ingénieur civil)Lieu de conservation : Archives départementales du Jura, Montmorot - Cote du document : Sp 2236 - 
                                                                              Halte de Vaux-lès-St Claude. Plan d'ensemble, 1993.
                                                                                                                    
Halte de Vaux-lès-St Claude. Plan d'ensemble, 1993. Dessin (tirage), 14 décembre 1993 (sur un tirage plus ancien), échelle 1:1000.Lieu de conservation : Archives de la SNCF, Saint-Claude - 
                                                                              Halte de Vaux-les-St-Claude. Transformation de la halte en station. Plan d'ensemble, 1925.
                                                                                                                    
Halte de Vaux-les-St-Claude. Transformation de la halte en station. Plan d'ensemble, 1925. Dessin (tirage, lavis), 8 juillet 1925 par Oudotte, P. (ingénieur civil)Lieu de conservation : Archives départementales du Jura, Montmorot - Cote du document : Sp 2236 
À voir
Informations complémentaires
- la voie ferrée Andelot - La Cluse
 
- bureau
 - logement
 - puits
 - cour
 - jardin
 
- © Région Bourgogne-Franche-Comté, Inventaire du patrimoine
 
                                                                
                                                                
                                                                
                          
                          
                          
                          
                          
                          
                          
                          
                          
                                                  
                                                  
                                                  
                                                  
                                                  
                                                  
                                                  
                                                  
                                                  