MAISON DE GARDE-BARRIÈRE ET PASSAGE À NIVEAU N° 25 (VOIE FERRÉE ANDELOT - LA CLUSE)
39 - La Chaumusse
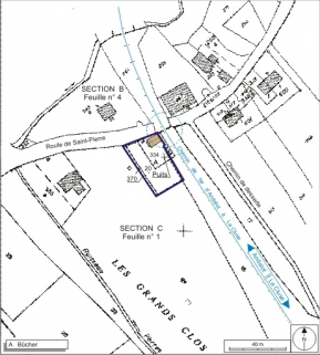
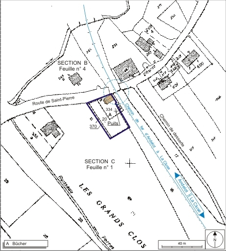
Les Grands Clos - Saint-Pierre - 19 route de Saint-Pierre
- Dossier IA39001114 réalisé en 2004 revu en 2006
- Auteur(s) : Laurent Poupard
Historique
La maison de garde-barrière du passage à niveau n° 25, sur le tronçon de ligne de Champagnole à Saint-Laurent-en-Grandvaux, est bâtie entre 1883, date d'approbation de l'implantation des 20 maisons prévues par les ingénieurs des Ponts et Chaussées Toussaint et Picquenot (Paul ?), et juillet 1890, mise en service du tronçon. Elle correspond au plan de " Maison de garde avec cave et étage. Type de la Cie de Paris Lyon - Méditerranée ", annexé à la circulaire ministérielle du 26 avril 1880. Elle a été vendue à un particulier et la porte récemment déplacée du pignon côté voie à l'élévation sud. Modernisé, réparé en 1997, le passage à niveau est du type à signaux automatiques lumineux.
- 4e quart 19e siècle
Description
Le passage à niveau (au PK 034.599) est équipé d'avertisseurs lumineux et sonores, et de deux demi-barrières. Coiffé d'un toit à longs pans recouvert de tuiles mécaniques, la maison compte un sous-sol et un étage en surcroît. Les murs en moellons calcaires, apparents au niveau des premières assises, sont enduits et protégés à l'ouest et au sud par un essentage de tôle. Ils sont percés de baies en arc segmentaires : deux dans les gouttereaux, deux superposées pour le pignon est, une seule sur le pignon ouest dont le rez-de-chaussée est masqué par le petit corps de bâtiment en appentis, en briques, autrefois à usage de bûcher et de latrines.
- calcaire
- brique
- moellon
- enduit partiel
- essentage de tôle
- tuile mécanique
- sous-sol
- en rez-de-chaussée
- étage en surcroît
- toit à longs pans
- appentis
- pignon couvert
- escalier dans-oeuvre,
- PLM maison type
À voir
Informations complémentaires
- la voie ferrée Andelot - La Cluse
- puits
- bûcher
- © Région Bourgogne-Franche-Comté, Inventaire du patrimoine
