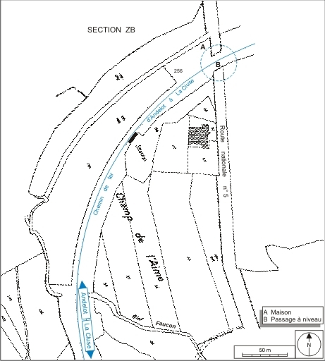
MAISON DE GARDE-BARRIÈRE ET PASSAGE À NIVEAU N° 15 (VOIE FERRÉE ANDELOT - LA CLUSE)
39 - Le Vaudioux
La Billaude du Haut - R.N. 5
- Dossier IA39001105 réalisé en 2004 revu en 2006
 - Auteur(s) : Laurent Poupard
 
                                          Historique
Le passage à niveau n° 15 est l'un des deux de 6 m de large construits entre Champagnole et La Billaude (commune du Vaudioux), entre le 9 juin 1881 et le 10 juillet 1890. La première date est celle de l'adjudication à l'entrepreneur Joseph Girard (domicilié à Arbois puis Saint-Rambert-en-Bugey) des travaux du premier lot de la section Champagnole - Morez. Ce lot, qui concerne le secteur de Champagnole à La Billaude (commune du Vaudioux), a été élaboré par les ingénieurs des Ponts et Chaussées Toussaint et Picquenot (Paul ?). La seconde date correspond à la mise en exploitation de la voie. La maison de garde-barrière est bâtie, vraisemblablement par un autre entrepreneur, entre la date d'approbation de l'implantation des 20 maisons prévues, en 1883, et la mise en service du tronçon, en 1890. Elle correspond au plan de " Maison de garde avec cave et étage. Type de la Cie de Paris - Lyon - Méditerranée ", annexé à la circulaire ministérielle du 26 avril 1880. Par la suite, au 20e siècle, elle est agrandie à l'ouest par un corps de bâtiment en appentis, abritant vraisemblablement une salle de bains. Modernisé, le passage à niveau est du type à signaux automatiques lumineux.
Période(s)
                                              
                          Principale :
                          
                                                                - 4e quart 19e siècle
 
Date(s)
                                                                                                                                                                                      
                              
                                1885 :                              
                                                              daté par source
                                                          
                                                      
                              
                                1885 :                              
                                                              daté par travaux historiques
                                                          
                                                                                                                                                                                                                
                              
                                1890 :                              
                                                              daté par source
                                                          
                                                      
                              
                                1890 :                              
                                                              daté par travaux historiques
                                                          
                                                                        Description
Le passage à niveau (au PK 021.987) est muni d'avertisseurs lumineux et sonores, et de deux demi-barrières Alsthom. Coiffé d'un toit à longs pans recouvert de tuiles mécaniques, la maison compte un sous-sol et un étage en surcroît. Les murs en moellons calcaires, apparents au niveau des premières assises, sont enduits et protégés au nord et à l'ouest par un essentage de tôle. Les baies sont en arc segmentaire : la façade antérieure (côté voie, au sud) est percée d'une porte surmontée d'une fenêtre, les façades latérales chacune de deux fenêtres.
                          Murs :
                          
                      - calcaire
 - moellon
 - enduit partiel
 - essentage de tôle
 
                        Toit :
                        
                    - tuile mécanique
 
                        Etages :
                        
                    - sous-sol
 - en rez-de-chaussée
 - étage en surcroît
 
                        Couvertures :
                        
                    - toit à longs pans
 - pignon couvert
 
                        Escalier :
                        
                    - escalier dans-oeuvre,
 
                        Typologie :
                        
                    - PLM maison type
 
À voir
Informations complémentaires
                      Thématiques :
                      
                  - la voie ferrée Andelot - La Cluse
 
                      Aire d’étude et canton :
                      la voie ferrée Andelot - La Cluse
                    
                  
                      Dénomination :
                      maison, passage à niveau
                    
                  - © Région Bourgogne-Franche-Comté, Inventaire du patrimoine
 
                                                                
                                                                
                          
                          
                          
                          
                          
                                                  
                                                  
                                                  
                                                  
                                                  