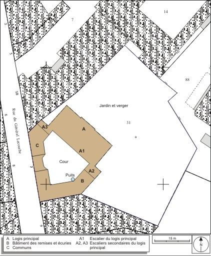
Plan masse et de situation. Extrait du plan cadastral, 1974, section AP.
25, Besançon, 7 rue Lecourbe, lieudit : îlot Refuge
N° de l’illustration : 20092501236NUDA
Date : 2009
Auteur : André Céréza
Reproduction soumise à autorisation du titulaire des droits d'exploitation
- © Région Bourgogne-Franche-Comté, Inventaire du patrimoine
Restitution de la distribution du rez-de-chaussée et du premier étage.
25, Besançon, 7 rue Lecourbe, lieudit : îlot Refuge
N° de l’illustration : 20132500405NUDA
Date : 2013
Auteur : Mathias Papigny
Reproduction soumise à autorisation du titulaire des droits d'exploitation
- © Région Bourgogne-Franche-Comté, Inventaire du patrimoine
Vue d'ensemble de la clôture sur rue, de trois quarts gauche.
25, Besançon, 7 rue Lecourbe, lieudit : îlot Refuge
N° de l’illustration : 20122500312NUC2A
Date : 2012
Auteur : Yves Sancey
Reproduction soumise à autorisation du titulaire des droits d'exploitation
- © Région Bourgogne-Franche-Comté, Inventaire du patrimoine
Vue d'ensemble de la clôture sur rue : de trois quarts droit.
25, Besançon, 7 rue Lecourbe, lieudit : îlot Refuge
N° de l’illustration : 20122500314NUC2A
Date : 2012
Auteur : Yves Sancey
Reproduction soumise à autorisation du titulaire des droits d'exploitation
- © Région Bourgogne-Franche-Comté, Inventaire du patrimoine
Vue du portail dans clôture : de face.
25, Besançon, 7 rue Lecourbe, lieudit : îlot Refuge
N° de l’illustration : 20122500313NUC2A
Date : 2012
Auteur : Yves Sancey
Reproduction soumise à autorisation du titulaire des droits d'exploitation
- © Région Bourgogne-Franche-Comté, Inventaire du patrimoine
Façade antérieure, de trois quarts gauche.
25, Besançon, 7 rue Lecourbe, lieudit : îlot Refuge
N° de l’illustration : 20122500306NUC2A
Date : 2012
Auteur : Yves Sancey
Reproduction soumise à autorisation du titulaire des droits d'exploitation
- © Région Bourgogne-Franche-Comté, Inventaire du patrimoine
Façade antérieure : détail de la partie centrale.
25, Besançon, 7 rue Lecourbe, lieudit : îlot Refuge
N° de l’illustration : 20122500330NUC2A
Date : 2012
Auteur : Yves Sancey
Reproduction soumise à autorisation du titulaire des droits d'exploitation
- © Région Bourgogne-Franche-Comté, Inventaire du patrimoine
Façade antérieure, partie centrale : détail du balcon.
25, Besançon, 7 rue Lecourbe, lieudit : îlot Refuge
N° de l’illustration : 20122500331NUC2A
Date : 2012
Auteur : Yves Sancey
Reproduction soumise à autorisation du titulaire des droits d'exploitation
- © Région Bourgogne-Franche-Comté, Inventaire du patrimoine
Façade antérieure : détail du bec de gaz.
25, Besançon, 7 rue Lecourbe, lieudit : îlot Refuge
N° de l’illustration : 20122500332NUC2A
Date : 2012
Auteur : Yves Sancey
Reproduction soumise à autorisation du titulaire des droits d'exploitation
- © Région Bourgogne-Franche-Comté, Inventaire du patrimoine
Aile droite sur cour, de trois quarts droit.
25, Besançon, 7 rue Lecourbe, lieudit : îlot Refuge
N° de l’illustration : 20122500305NUC2A
Date : 2012
Auteur : Yves Sancey
Reproduction soumise à autorisation du titulaire des droits d'exploitation
- © Région Bourgogne-Franche-Comté, Inventaire du patrimoine
Détail d'une partie de la cour antérieure, en plongée.
25, Besançon, 7 rue Lecourbe, lieudit : îlot Refuge
N° de l’illustration : 20122500320NUC2A
Date : 2012
Auteur : Yves Sancey
Reproduction soumise à autorisation du titulaire des droits d'exploitation
- © Région Bourgogne-Franche-Comté, Inventaire du patrimoine
Détail du puits situé dans la cour antérieure.
25, Besançon, 7 rue Lecourbe, lieudit : îlot Refuge
N° de l’illustration : 20122500315NUC2A
Date : 2012
Auteur : Yves Sancey
Reproduction soumise à autorisation du titulaire des droits d'exploitation
- © Région Bourgogne-Franche-Comté, Inventaire du patrimoine
Cour : détail de l'entrée de cave.
25, Besançon, 7 rue Lecourbe, lieudit : îlot Refuge
N° de l’illustration : 20122500327NUC2A
Date : 2012
Auteur : Yves Sancey
Reproduction soumise à autorisation du titulaire des droits d'exploitation
- © Région Bourgogne-Franche-Comté, Inventaire du patrimoine
Vue d'ensemble de la façade postérieure, depuis le fond du jardin : de trois quarts gauche.
25, Besançon, 7 rue Lecourbe, lieudit : îlot Refuge
N° de l’illustration : 20122500328NUC2A
Date : 2012
Auteur : Yves Sancey
Reproduction soumise à autorisation du titulaire des droits d'exploitation
- © Région Bourgogne-Franche-Comté, Inventaire du patrimoine
Détail d'un cadran solaire entreposé dans le jardin.
25, Besançon, 7 rue Lecourbe, lieudit : îlot Refuge
N° de l’illustration : 20122500319NUC2A
Date : 2012
Auteur : Yves Sancey
Reproduction soumise à autorisation du titulaire des droits d'exploitation
- © Région Bourgogne-Franche-Comté, Inventaire du patrimoine
Vue d'ensemble de la façade postérieure depuis le fond du jardin.
25, Besançon, 7 rue Lecourbe, lieudit : îlot Refuge
N° de l’illustration : 20122500309NUC2A
Date : 2012
Auteur : Yves Sancey
Reproduction soumise à autorisation du titulaire des droits d'exploitation
- © Région Bourgogne-Franche-Comté, Inventaire du patrimoine
Vue de la partie gauche de la façade postérieure, depuis le fond du jardin : de trois quarts droit.
25, Besançon, 7 rue Lecourbe, lieudit : îlot Refuge
N° de l’illustration : 20122500329NUC2A
Date : 2012
Auteur : Yves Sancey
Reproduction soumise à autorisation du titulaire des droits d'exploitation
- © Région Bourgogne-Franche-Comté, Inventaire du patrimoine
Vue de la partie gauche de la façade postérieure depuis le fond du jardin.
25, Besançon, 7 rue Lecourbe, lieudit : îlot Refuge
N° de l’illustration : 20122500310NUC2A
Date : 2012
Auteur : Yves Sancey
Reproduction soumise à autorisation du titulaire des droits d'exploitation
- © Région Bourgogne-Franche-Comté, Inventaire du patrimoine
Vue de la façade postérieure depuis l'extérieur, de trois quarts droit.
25, Besançon, 7 rue Lecourbe, lieudit : îlot Refuge
N° de l’illustration : 20122500311NUC2A
Date : 2012
Auteur : Yves Sancey
Reproduction soumise à autorisation du titulaire des droits d'exploitation
- © Région Bourgogne-Franche-Comté, Inventaire du patrimoine
Vue du jardin.
25, Besançon, 7 rue Lecourbe, lieudit : îlot Refuge
N° de l’illustration : 20122500307NUC2A
Date : 2012
Auteur : Yves Sancey
Reproduction soumise à autorisation du titulaire des droits d'exploitation
- © Région Bourgogne-Franche-Comté, Inventaire du patrimoine
Détail du perron au centre de la façade postérieure.
25, Besançon, 7 rue Lecourbe, lieudit : îlot Refuge
N° de l’illustration : 20122500317NUC2A
Date : 2012
Auteur : Yves Sancey
Reproduction soumise à autorisation du titulaire des droits d'exploitation
- © Région Bourgogne-Franche-Comté, Inventaire du patrimoine
Détail d'une partie du jardin.
25, Besançon, 7 rue Lecourbe, lieudit : îlot Refuge
N° de l’illustration : 20122500318NUC2A
Date : 2012
Auteur : Yves Sancey
Reproduction soumise à autorisation du titulaire des droits d'exploitation
- © Région Bourgogne-Franche-Comté, Inventaire du patrimoine
Détail du puits situé au fond du jardin.
25, Besançon, 7 rue Lecourbe, lieudit : îlot Refuge
N° de l’illustration : 20122500316NUC2A
Date : 2012
Auteur : Yves Sancey
Reproduction soumise à autorisation du titulaire des droits d'exploitation
- © Région Bourgogne-Franche-Comté, Inventaire du patrimoine
Intérieur : vue d'ensemble de l'escalier depuis le vestibule.
25, Besançon, 7 rue Lecourbe, lieudit : îlot Refuge
N° de l’illustration : 20122500308NUC2A
Date : 2012
Auteur : Yves Sancey
Reproduction soumise à autorisation du titulaire des droits d'exploitation
- © Région Bourgogne-Franche-Comté, Inventaire du patrimoine
Intérieur, escalier d'honneur : vue en plongée.
25, Besançon, 7 rue Lecourbe, lieudit : îlot Refuge
N° de l’illustration : 20122500325NUC2A
Date : 2012
Auteur : Yves Sancey
Reproduction soumise à autorisation du titulaire des droits d'exploitation
- © Région Bourgogne-Franche-Comté, Inventaire du patrimoine
Intérieur, escalier d'honneur : vue de rampe en fer forgé et du dallage du palier.
25, Besançon, 7 rue Lecourbe, lieudit : îlot Refuge
N° de l’illustration : 20122500326NUC2A
Date : 2012
Auteur : Yves Sancey
Reproduction soumise à autorisation du titulaire des droits d'exploitation
- © Région Bourgogne-Franche-Comté, Inventaire du patrimoine
Intérieur : détail du départ de l'escalier secondaire situé dans l'aile droite.
25, Besançon, 7 rue Lecourbe, lieudit : îlot Refuge
N° de l’illustration : 20122500324NUC2A
Date : 2012
Auteur : Yves Sancey
Reproduction soumise à autorisation du titulaire des droits d'exploitation
- © Région Bourgogne-Franche-Comté, Inventaire du patrimoine
Intérieur : détail du départ de la rampe de l'escalier secondaire situé dans l'aile droite.
25, Besançon, 7 rue Lecourbe, lieudit : îlot Refuge
N° de l’illustration : 20122500323NUC2A
Date : 2012
Auteur : Yves Sancey
Reproduction soumise à autorisation du titulaire des droits d'exploitation
- © Région Bourgogne-Franche-Comté, Inventaire du patrimoine
Intérieur : vue de l'escalier secondaire situé dans l'aile droite : en plongée.
25, Besançon, 7 rue Lecourbe, lieudit : îlot Refuge
N° de l’illustration : 20122500321NUC2A
Date : 2012
Auteur : Yves Sancey
Reproduction soumise à autorisation du titulaire des droits d'exploitation
- © Région Bourgogne-Franche-Comté, Inventaire du patrimoine
Intérieur : vue de l'escalier secondaire situé dans l'aile droite : en contre plongée.
25, Besançon, 7 rue Lecourbe, lieudit : îlot Refuge
N° de l’illustration : 20122500322NUC2A
Date : 2012
Auteur : Yves Sancey
Reproduction soumise à autorisation du titulaire des droits d'exploitation
- © Région Bourgogne-Franche-Comté, Inventaire du patrimoine