DISTILLERIE BARRET, PUIS SERVAIN, PUIS USINE DE PETITE MÉTALLURGIE HEISSLER, ACTUELLEMENT LOGEMENT
70 - La Vaivre
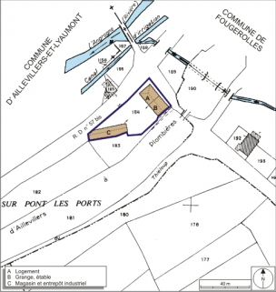
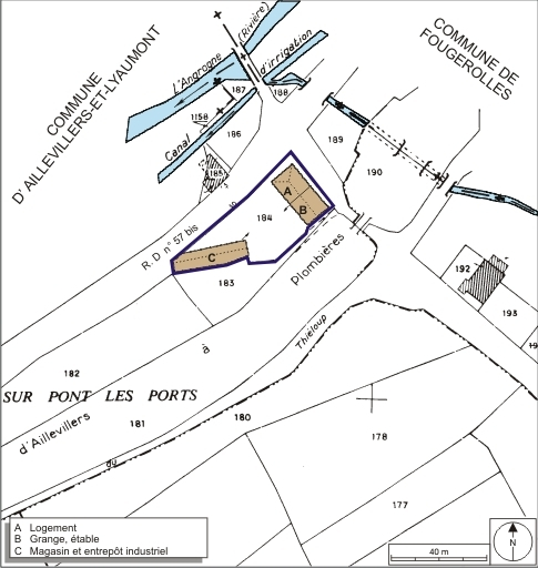
Pont les Ports
- Dossier IA70000221 réalisé en 2006
- Auteur(s) : Raphaël Favereaux
Historique
Cette distillerie aurait été construite en 1870 par Alphonse Barret, comme l'atteste cette date gravée sur un linteau du logement et sur la clef d'arcade de la grange. Alphonse Barret transfère son activité dans la commune voisine de Corbenay avant 1893. Les bâtiments sont alors investis vers 1895 par Alexandre Servain, distillateur au Grand-Fahys (commune de Fougerolles). Un papier à en-tête de la distillerie de kirsch et d'absinthe Alexandre Servain, daté de 1897, précise qu'il s'agit de l'ancienne maison Grandjean Père et Fils, fondée en 1840. L'activité s'est poursuivie jusque dans les années 1930 avec Jean-Baptiste Petit, gendre d'Alexandre Servain. Entre 1951 et 1968, le site a été occupé par la fabrique de couverts de table en aluminium Heissler, qui y implante sa fonderie. L'atelier de distillerie, implanté entre la grange et le chai, a été détruit. Le site est aujourd'hui reconverti en logement.
Période(s)
Principale :
- 3e quart 19e siècle
Date(s)
1870 :
daté par tradition orale
1870 :
porte la date
Description
Le logement et les parties agricoles sont construits en moellon de grès enduit, couverts de toit à croupes en tuile mécanique. Le chai comprend un étage carré et un étage en surcroît, et est couvert d'un toit à longs pans et à demi-croupes en laves de grès.
Murs :
- grès
- moellon
- enduit
Toit :
- tuile mécanique
- grès en couverture
Etages :
- 1 étage carré
- étage en surcroît
Energie utilisée :
- énergie thermique produite à distance
- énergie électrique achetée
À voir
Informations complémentaires
Thématiques :
- patrimoine industriel de la Haute-Saône
Aire d’étude et canton :
Haute-Saône
Dénomination :
distillerie
Parties constituantes non étudiées :
- chai
- logement
- étable
- grange
- © Région Bourgogne-Franche-Comté, Inventaire du patrimoine
