CITÉ OUVRIÈRE DU TEMPLE
90 - Beaucourt
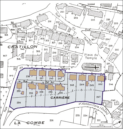
Cité du Temple
- Dossier IA90000131 réalisé en 2000
- Auteur(s) : Bernard Lardière, Raphaël Favereaux
Historique
Cette deuxième cité ouvrière Japy a été édifiée dans la seconde moitié du 19e siècle, vraisemblablement vers 1866 d'après un plan parcellaire portant cette date. Elle s'étend sur les rues du Temple et Bel Air et comprend 21 maisons individuelles.
Période(s)
Principale :
- 2e moitié 19e siècle
Description
Les maisons ouvrières sont en moellon de calcaire enduit, avec sous-sol et étage de comble, couvertes d'un toit à longs pans en tuile mécanique.
Murs :
- pierre
- moellon
- enduit
Toit :
- tuile mécanique
Etages :
- sous-sol
- étage de comble
Couvertures :
- toit à longs pans
Source(s) documentaire(s)
-
Plan parcellaire de la cité de l'église.
Plan parcellaire de la cité de l'église. Dessin, plume, lavis, échelle 1:250, le 18 août 1866.Lieu de conservation : Archives départementales du Territoire de Belfort, Belfort - Cote du document : 9 J 1 D 1
À voir
Informations complémentaires
Thématiques :
- patrimoine industriel du Territoire de Belfort
Aire d’étude et canton :
Territoire de Belfort
Dénomination :
cité ouvrière
- © Région Bourgogne-Franche-Comté, Inventaire du patrimoine, Région Bourgogne-Franche-Comté, Inventaire du patrimoine
