CITÉ OUVRIÈRE DES CYCLES PEUGEOT DITE CITÉ DU MAROC
25 - Mandeure
Cité du Maroc
- Dossier IA25000928 réalisé en 2010 revu en 2011
- Auteur(s) : Raphaël Favereaux
Historique
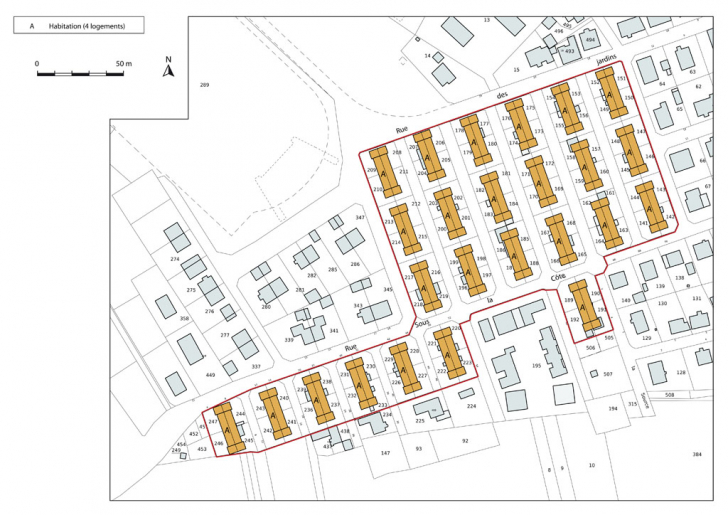
Cette cité a été construite vers 1925 par la société immobilière de la Société Anonyme des Automobiles et Cycles Peugeot pour loger les ouvriers de l'usine de Beaulieu. La matrice cadastrale mentionne les "cités du Maroc" et la "construction nouvelle de 18 maisons de quatre logements". Les habitations ont été cédées à des particuliers dans la seconde moitié du 20e siècle.
Période(s)
Principale :
- 1er quart 20e siècle
Description
La cité ouvrière se compose de 25 habitations identiques abritant chacune quatre logements. Construites en moellon de calcaire enduit, elles possèdent un sous-sol, un rez-de-chaussée surélevé et un étage carré. Deux entrées sont réparties sur chaque façade, une dépendance (bûcher ?) couverte d'un appentis étant adossée sur les pignons. Ce type de maison a été adopté dans les cités de la Motte (IA25000909) et de la rue du 11 Novembre (IA25000910), ainsi qu'à la cité Blanche (IA25000903) à Valentigney.
Murs :
- calcaire
- moellon
- enduit
Toit :
- tuile mécanique
Etages :
- sous-sol
- rez-de-chaussée surélevé
- 1 étage carré
Source(s) documentaire(s)
-
3 P 368/14-17 Matrices des propriétés bâties (1910)
Archives départementales du Doubs, Besançon, 3 P 36814-17 Matrices des propriétés bâties (1910)Lieu de conservation : Archives départementales du Doubs, Besançon - Cote du document : 3 P 368/14-17
-
La cité du Maroc.
Photogr., s.d. [vers 1930], par Mayer (photographe)Lieu de conservation : Archives départementales du Territoire de Belfort, Belfort - Cote du document : 25 Fi Fonds Mayer
À voir
Informations complémentaires
Thématiques :
- patrimoine industriel du Doubs
Aire d’étude et canton :
Pays de Montbéliard (le)
Dénomination :
cité ouvrière
- © Région Bourgogne-Franche-Comté, Inventaire du patrimoine
