CITÉ OUVRIÈRE DES CREUX
90 - Grandvillars
Cité les Creux
- Dossier IA90000068 réalisé en 2000
- Auteur(s) : Raphaël Favereaux
Historique
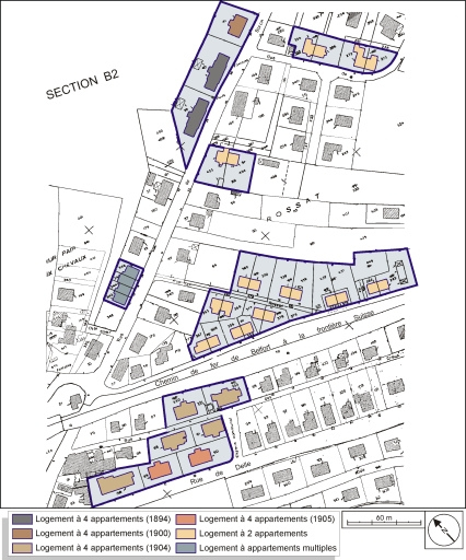
Commanditée par la société Viellard-Migeon et Cie, la construction de cette cité débute dans les années 1880 route de Boron (d'où le nom de cité Boron qui lui est parfois donné) pour s'achever vers 1905. Elle s'étend également sur les rues de Delle, des Roselets, des Creux, du Prahys et la rue Rossat. 22 maisons ont pu être repérées comme faisant partie de cette cité. Trois des cinq maisons de la rue de Boron sont datées : deux portent le millésime 1894 et la dernière la date 1900. Les logements de la rue des Creux et de la rue de Delle sont datés 1904 et 1905. Existence d'un fonds d'archives privées.
Période(s)
Principale :
- 4e quart 19e siècle
- 1er quart 20e siècle
Date(s)
1894 :
porte la date
1894 :
daté par travaux historiques
1900 :
porte la date
1900 :
daté par travaux historiques
1904 :
porte la date
1904 :
daté par travaux historiques
1905 :
porte la date
1905 :
daté par travaux historiques
Description
Les maisons sont de deux types. Le premier type comprend onze habitations abritant quatre logements : un escalier commun placé dans la travée centrale dessert deux logements au rez-de-chaussée et deux autres à l'étage carré. Onze maisons représentent le second type : construites en brique et enduit ou moellon de calcaire enduit, elles comprennent deux appartements, avec un sous-sol, un rez-de-chaussée surélevé et un étage en surcroît. Une vaste maison située aux n° 14 à 20 route de Boron, à étage de soubassement et étage carré, possède quatre entrées en façade desservies par quatre escaliers droits : il pourrait s'agir de logements de cadres.
Murs :
- calcaire
- brique
- calcaire
- pierre de taille
- moellon
- enduit
Toit :
- tuile mécanique
Etages :
- étage de soubassement
- rez-de-chaussée surélevé
- 1 étage carré
- étage en surcroît
Source(s) documentaire(s)
-
En avion au-dessus de [...]. Grandvillars (T.-de-B.). La rue de Delle et les Cités.
En avion au-dessus de [...]. Grandvillars (T.-de-B.). La rue de Delle et les Cités. Carte postale, Lapie éd., s.d. [vers 1950].Lieu de conservation : Archives départementales du Territoire de Belfort, Belfort - Cote du document : 7 Fi Grandvillars 4
À voir
Informations complémentaires
Thématiques :
- patrimoine industriel du Territoire de Belfort
Aire d’étude et canton :
Territoire de Belfort
Dénomination :
cité ouvrière
Parties constituantes non étudiées :
- bûcher
- © Région Bourgogne-Franche-Comté, Inventaire du patrimoine
