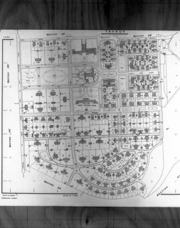
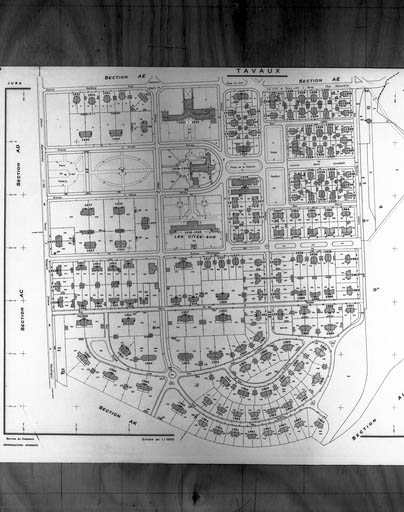
Plan-masse de la partie nord. Plan cadastral, 1980, section AE.
                        
                      
                                                                    
                          39, Tavaux, lieudit : Tavaux Cité
                        
                      
                                                                  
                                            
                                            
                                                                          N° de l’illustration : 19903900177V
                          
                                                                                                  Date : 1990
                        
                                                  Auteur : Yves Sancey
                                               
                                                                    Reproduction soumise à autorisation du titulaire des droits d'exploitation
                      
                                                                    
                          - © Région Bourgogne-Franche-Comté, Inventaire du patrimoine
 
                                                    
                                                                                                                                                              
                                                              
                                                                                                                                                                                                                                                                                                                                                                                                                                                                                                                            
                                                                                                                                                                                                                                                                                                                                                                                                                                                                                                                                              
                                                                                                                                                                 
                                                                                                                
                      
                                                                    
                          Plan-masse de la partie sud. Plan cadastral, 1980, section AH.
                        
                      
                                                                    
                          39, Tavaux, lieudit : Tavaux Cité
                        
                      
                                                                  
                                            
                                            
                                                                          N° de l’illustration : 19903900178V
                          
                                                                                                  Date : 1990
                        
                                                  Auteur : Yves Sancey
                                               
                                                                    Reproduction soumise à autorisation du titulaire des droits d'exploitation
                      
                                                                    
                          - © Région Bourgogne-Franche-Comté, Inventaire du patrimoine
 
                                                    
                                                                                                                                                              
                                                              
                                                                                                                                                                                                                                                                                                                                                                                                                                                                                                                            
                                                                                                                                                                                                                                                                                                                                                                                                                                                                                                                                              
                                                                                                                                                                 
                                                                                                                
                      
                                                                    
                          Plan de datation, partie nord. D'après le plan cadastral 1980, section AE.
                        
                      
                                                                    
                          39, Tavaux, lieudit : Tavaux Cité
                        
                      
                                                                  
                                            
                                            
                                                                          N° de l’illustration : 19903900223V
                          
                                                                                                  Date : 1990
                        
                                                  Auteur : Yves Sancey
                                               
                                                                    Reproduction soumise à autorisation du titulaire des droits d'exploitation
                      
                                                                    
                          - © Région Bourgogne-Franche-Comté, Inventaire du patrimoine
 
                                                    
                                                                                                                                                              
                                                              
                                                                                                                                                                                                                                                                                                                                                                                                                                                                                                                            
                                                                                                                                                                                                                                                                                                                                                                                                                                                                                                                                              
                                                                                                                                                                 
                                                                                                                
                      
                                                                    
                          Plan de datation, partie sud.
                        
                      
                                                                    
                          39, Tavaux, lieudit : Tavaux Cité
                        
                      
                                                                  
                                            
                                            
                                                                          N° de l’illustration : 19903900224V
                          
                                                                                                  Date : 1990
                        
                                                  Auteur : Yves Sancey
                                               
                                                                    Reproduction soumise à autorisation du titulaire des droits d'exploitation
                      
                                                                    
                          - © Région Bourgogne-Franche-Comté, Inventaire du patrimoine
 
                                                    
                                                                                                                                                              
                                                              
                                                                                                                                                                                                                                                                                                                                                                                                                                                                                                                            
                                                                                                                                                                                                                                                                                                                                                                                                                                                                                                                                              
                                                                                                                                                                 
                                                                                                                
                      
                                                                    
                          Plan de répartition des catégories socio-professionnelles.
                        
                      
                                                                    
                          39, Tavaux, lieudit : Tavaux Cité
                        
                      
                                                                  
                                            
                                            
                                                                          N° de l’illustration : 19903900181V
                          
                                                                                                  Date : 1990
                        
                                                  Auteur : Yves Sancey
                                               
                                                                    Reproduction soumise à autorisation du titulaire des droits d'exploitation
                      
                                                                    
                          - © Région Bourgogne-Franche-Comté, Inventaire du patrimoine
 
                                                    
                                                                                                                                                              
                                                              
                                                                                                                                                                                                                                                                                                                                                                                                                                                                                                                            
                                                                                                                                                                                                                                                                                                                                                                                                                                                                                                                                              
                                                                                                                                                                 
                                                                                                                
                      
                                                                    
                          Plan de répartition des types de maisons, partie nord.
                        
                      
                                                                    
                          39, Tavaux, lieudit : Tavaux Cité
                        
                      
                                                                  
                                            
                                            
                                                                          N° de l’illustration : 19903900179ZA
                          
                                                                                                  Date : 1990
                        
                                                  Auteur : Jérôme Mongreville
                                               
                                                                    Reproduction soumise à autorisation du titulaire des droits d'exploitation
                      
                                                                    
                          - © Région Bourgogne-Franche-Comté, Inventaire du patrimoine
 
                                                    
                                                                                                                                                              
                                                              
                                                                                                                                                                                                                                                                                                                                                                                                                                                                                                                            
                                                                                                                                                                                                                                                                                                                                                                                                                                                                                                                                              
                                                                                                                                                                 
                                                                                                                
                      
                                                                    
                          Plan de répartition des types de maisons, partie sud.
                        
                      
                                                                    
                          39, Tavaux, lieudit : Tavaux Cité
                        
                      
                                                                  
                                            
                                            
                                                                          N° de l’illustration : 19903900180ZA
                          
                                                                                                  Date : 1990
                        
                                                  Auteur : Jérôme Mongreville
                                               
                                                                    Reproduction soumise à autorisation du titulaire des droits d'exploitation
                      
                                                                    
                          - © Région Bourgogne-Franche-Comté, Inventaire du patrimoine
 
                                                    
                                                                                                                                                              
                                                              
                                                                                                                                                                                                                                                                                                                                                                                                                                                                                                                            
                                                                                                                                                                                                                                                                                                                                                                                                                                                                                                                                              
                                                                                                                                                                 
                                                                                                                
                      
                                                                    
                          Disposition générale des habitations.
                        
                      
                                                                    
                          39, Tavaux, lieudit : Tavaux Cité
                        
                      
                                                                  
                                                                    
                          
                            
                              
                                                              
                                  
                                    
                                      - 
                                        Tirage bleu, 1928
                                        Lieu de conservation : Archives de la société Solvay et Cie, Tavaux                                      
 
                                 
                                                           
                           
                         
                      
                                            
                                                                          N° de l’illustration : 19893900427ZA
                          
                                                                                                  Date : 1989
                        
                                                  Auteur : Jérôme Mongreville
                                               
                                                                    Reproduction soumise à autorisation du titulaire des droits d'exploitation
                      
                                                                    
                          - © Région Bourgogne-Franche-Comté, Inventaire du patrimoine
 
                                                    
                                                                                                                                                              
                                                              
                                                                                                                                                                                                                                                                                                                                                                                                                                                                                                                            
                                                                                                                                                                                                                                                                                                                                                                                                                                                                                                                                              
                                                                                                                                                                 
                                                                                                                
                      
                                                                    
                          Disposition générale des habitations [détail : partie supérieure gauche].
                        
                      
                                                                    
                          39, Tavaux, lieudit : Tavaux Cité
                        
                      
                                                                  
                                                                    
                          
                            
                              
                                                              
                                  
                                    
                                      - 
                                        Tirage bleu, 1928
                                        Lieu de conservation : Archives de la société Solvay et Cie, Tavaux                                      
 
                                 
                                                           
                           
                         
                      
                                            
                                                                          N° de l’illustration : 19893900428X
                          
                                                                                                  Date : 1989
                        
                                                  Auteur : Jérôme Mongreville
                                               
                                                                    Reproduction soumise à autorisation du titulaire des droits d'exploitation
                      
                                                                    
                          - © Région Bourgogne-Franche-Comté, Inventaire du patrimoine
 
                                                    
                                                                                                                                                              
                                                              
                                                                                                                                                                                                                                                                                                                                                                                                                                                                                                                            
                                                                                                                                                                                                                                                                                                                                                                                                                                                                                                                                              
                                                                                                                                                                 
                                                                                                                
                      
                                                                    
                          Disposition générale des habitations [détail : partie inférieure droite].
                        
                      
                                                                    
                          39, Tavaux, lieudit : Tavaux Cité
                        
                      
                                                                  
                                                                    
                          
                            
                              
                                                              
                                  
                                    
                                      - 
                                        Tirage bleu, 1928
                                        Lieu de conservation : Archives de la société Solvay et Cie, Tavaux                                      
 
                                 
                                                           
                           
                         
                      
                                            
                                                                          N° de l’illustration : 19893900429X
                          
                                                                                                  Date : 1989
                        
                                                  Auteur : Jérôme Mongreville
                                               
                                                                    Reproduction soumise à autorisation du titulaire des droits d'exploitation
                      
                                                                    
                          - © Région Bourgogne-Franche-Comté, Inventaire du patrimoine
 
                                                    
                                                                                                                                                              
                                                              
                                                                                                                                                                                                                                                                                                                                                                                                                                                                                                                            
                                                                                                                                                                                                                                                                                                                                                                                                                                                                                                                                              
                                                                                                                                                                 
                                                                                                                
                      
                                                                    
                          Disposition générale des habitations [détail : partie inférieure gauche].
                        
                      
                                                                    
                          39, Tavaux, lieudit : Tavaux Cité
                        
                      
                                                                  
                                                                    
                          
                            
                              
                                                              
                                  
                                    
                                      - 
                                        Tirage bleu, 1928
                                        Lieu de conservation : Archives de la société Solvay et Cie, Tavaux                                      
 
                                 
                                                           
                           
                         
                      
                                            
                                                                          N° de l’illustration : 19893900430X
                          
                                                                                                  Date : 1989
                        
                                                  Auteur : Jérôme Mongreville
                                               
                                                                    Reproduction soumise à autorisation du titulaire des droits d'exploitation
                      
                                                                    
                          - © Région Bourgogne-Franche-Comté, Inventaire du patrimoine
 
                                                    
                                                                                                                                                              
                                                              
                                                                                                                                                                                                                                                                                                                                                                                                                                                                                                                            
                                                                                                                                                                                                                                                                                                                                                                                                                                                                                                                                                                                                                                                                                                                                                                                                                                                                                                                                                                
                                                                                                                                                                 
                                                                                                                
                      
                                                                    
                          Maison avec boutique, 2, avenue de la Paix.
                        
                      
                                                                    
                          39, Tavaux, lieudit : Tavaux Cité
                        
                      
                                                                  
                                                                    
                          
                            
                              
                                                              
                                  
                                    
                                      - 
                                        Photographie, s.d. [2e quart 20e siècle, vers 1931], par Charnotet (?, photographe)
                                        Lieu de conservation : Archives de la société Solvay et Cie, Tavaux                                      
 
                                 
                                                           
                           
                         
                      
                                            
                                                                          N° de l’illustration : 19903900123X
                          
                                                                                                  Date : 1990
                        
                                                  Auteur : Jérôme  Mongreville (reproduction)
                                               
                                                                    Reproduction soumise à autorisation du titulaire des droits d'exploitation
                      
                                                                    
                          - © Région Bourgogne-Franche-Comté, Inventaire du patrimoine
 
                                                    
                                                                                                                                                              
                                                              
                                                                                                                                                                                                                                                                                                                                                                                                                                                                                                                            
                                                                                                                                                                                                                                                                                                                                                                                                                                                                                                                                                                                                                                                                                                                                                                                                                                                                                                                                                                
                                                                                                                                                                 
                                                                                                                
                      
                                                                    
                          Vue générale de l'école et des maisons voisines avec, au 1er plan, construction des maisons de type 10D du groupe F.
                        
                      
                                                                    
                          39, Tavaux, lieudit : Tavaux Cité
                        
                      
                                                                  
                                                                    
                          
                            
                              
                                                              
                                  
                                    
                                      - 
                                        Photographie, 19 août 1937, par Charnotet (?, photographe)
                                        Lieu de conservation : Archives de la société Solvay et Cie, Tavaux                                      
 
                                 
                                                           
                           
                         
                      
                                            
                                                                          N° de l’illustration : 19903900124X
                          
                                                                                                  Date : 1990
                        
                                                  Auteur : Jérôme  Mongreville (reproduction)
                                               
                                                                    Reproduction soumise à autorisation du titulaire des droits d'exploitation
                      
                                                                    
                          - © Région Bourgogne-Franche-Comté, Inventaire du patrimoine
 
                                                    
                                                                                                                                                              
                                                              
                                                                                                                                                                                                                                                                                                                                                                                                                                                                                                                            
                                                                                                                                                                                                                                                                                                                                                                                                                                                                                                                                                                                                                                                                                                                                                                                                                                                                                                                                                                
                                                                                                                                                                 
                                                                                                                
                      
                                                                    
                          Vue générale de la place de la Victoire.
                        
                      
                                                                    
                          39, Tavaux, lieudit : Tavaux Cité
                        
                      
                                                                  
                                                                    
                          
                            
                              
                                                              
                                  
                                    
                                      - 
                                        Photographie, 15 juillet 1938, par Charnotet (?, photographe)
                                        Lieu de conservation : Archives de la société Solvay et Cie, Tavaux                                      
 
                                 
                                                           
                           
                         
                      
                                            
                                                                          N° de l’illustration : 19903900125X
                          
                                                                                                  Date : 1990
                        
                                                  Auteur : Jérôme  Mongreville (reproduction)
                                               
                                                                    Reproduction soumise à autorisation du titulaire des droits d'exploitation
                      
                                                                    
                          - © Région Bourgogne-Franche-Comté, Inventaire du patrimoine
 
                                                    
                                                                                                                                                              
                                                              
                                                                                                                                                                                                                                                                                                                                                                                                                                                                                                                            
                                                                                                                                                                                                                                                                                                                                                                                                                                                                                                                                                                                                                                                                                                                                                                                                                                                                                                                                                                
                                                                                                                                                                 
                                                                                                                
                      
                                                                    
                          Travaux de construction de l'immeuble avec boutiques, 2, place de la Victoire, façade antérieure.
                        
                      
                                                                    
                          39, Tavaux, lieudit : Tavaux Cité
                        
                      
                                                                  
                                                                    
                          
                            
                              
                                                              
                                  
                                    
                                      - 
                                        Photographie, 18 août 1938, par Charnotet (?, photographe)
                                        Lieu de conservation : Archives de la société Solvay et Cie, Tavaux                                      
 
                                 
                                                           
                           
                         
                      
                                            
                                                                          N° de l’illustration : 19903900117X
                          
                                                                                                  Date : 1990
                        
                                                  Auteur : Jérôme  Mongreville (reproduction)
                                               
                                                                    Reproduction soumise à autorisation du titulaire des droits d'exploitation
                      
                                                                    
                          - © Région Bourgogne-Franche-Comté, Inventaire du patrimoine
 
                                                    
                                                                                                                                                              
                                                              
                                                                                                                                                                                                                                                                                                                                                                                                                                                                                                                            
                                                                                                                                                                                                                                                                                                                                                                                                                                                                                                                                                                                                                                                                                                                                                                                                                                                                                                                                                                
                                                                                                                                                                 
                                                                                                                
                      
                                                                    
                          Travaux de construction de l'immeuble avec boutiques, 2, place de la Victoire, façade postérieure et face gauche.
                        
                      
                                                                    
                          39, Tavaux, lieudit : Tavaux Cité
                        
                      
                                                                  
                                                                    
                          
                            
                              
                                                              
                                  
                                    
                                      - 
                                        Photographie, 18 août 1938, par Charnotet (?, photographe)
                                        Lieu de conservation : Archives de la société Solvay et Cie, Tavaux                                      
 
                                 
                                                           
                           
                         
                      
                                            
                                                                          N° de l’illustration : 19903900118X
                          
                                                                                                  Date : 1990
                        
                                                  Auteur : Jérôme  Mongreville (reproduction)
                                               
                                                                    Reproduction soumise à autorisation du titulaire des droits d'exploitation
                      
                                                                    
                          - © Région Bourgogne-Franche-Comté, Inventaire du patrimoine
 
                                                    
                                                                                                                                                              
                                                              
                                                                                                                                                                                                                                                                                                                                                                                                                                                                                                                            
                                                                                                                                                                                                                                                                                                                                                                                                                                                                                                                                                                                                                                                                                                                                                                                                                                                                                                                                                                
                                                                                                                                                                 
                                                                                                                
                      
                                                                    
                          Travaux de construction de l'immeuble avec boutiques, 2, place de la Victoire, façade postérieure et face gauche.
                        
                      
                                                                    
                          39, Tavaux, lieudit : Tavaux Cité
                        
                      
                                                                  
                                                                    
                          
                            
                              
                                                              
                                  
                                    
                                      - 
                                        Photographie, 16 septembre 1938, par Charnotet (?, photographe)
                                        Lieu de conservation : Archives de la société Solvay et Cie, Tavaux                                      
 
                                 
                                                           
                           
                         
                      
                                            
                                                                          N° de l’illustration : 19903900119X
                          
                                                                                                  Date : 1990
                        
                                                  Auteur : Jérôme  Mongreville (reproduction)
                                               
                                                                    Reproduction soumise à autorisation du titulaire des droits d'exploitation
                      
                                                                    
                          - © Région Bourgogne-Franche-Comté, Inventaire du patrimoine
 
                                                    
                                                                                                                                                              
                                                              
                                                                                                                                                                                                                                                                                                                                                                                                                                                                                                                            
                                                                                                                                                                                                                                                                                                                                                                                                                                                                                                                                                                                                                                                                                                                                                                                                                                                                                                                                                                
                                                                                                                                                                 
                                                                                                                
                      
                                                                    
                          Travaux de construction de l'immeuble avec boutiques, 2, place de la Victoire, façade antérieure.
                        
                      
                                                                    
                          39, Tavaux, lieudit : Tavaux Cité
                        
                      
                                                                  
                                                                    
                          
                            
                              
                                                              
                                  
                                    
                                      - 
                                        Photographie, 19 octobre 1938, par Charnotet (?, photographe)
                                        Lieu de conservation : Archives de la société Solvay et Cie, Tavaux                                      
 
                                 
                                                           
                           
                         
                      
                                            
                                                                          N° de l’illustration : 19903900120X
                          
                                                                                                  Date : 1990
                        
                                                  Auteur : Jérôme  Mongreville (reproduction)
                                               
                                                                    Reproduction soumise à autorisation du titulaire des droits d'exploitation
                      
                                                                    
                          - © Région Bourgogne-Franche-Comté, Inventaire du patrimoine
 
                                                    
                                                                                                                                                              
                                                              
                                                                                                                                                                                                                                                                                                                                                                                                                                                                                                                            
                                                                                                                                                                                                                                                                                                                                                                                                                                                                                                                                                                                                                                                                                                                                                                                                                                                                                                                                                                
                                                                                                                                                                 
                                                                                                                
                      
                                                                    
                          Travaux de construction de l'immeuble avec boutiques, 2 place de la Victoire, façade antérieure.
                        
                      
                                                                    
                          39, Tavaux, lieudit : Tavaux Cité
                        
                      
                                                                  
                                                                    
                          
                            
                              
                                                              
                                  
                                    
                                      - 
                                        Photographie, 21 novembre 1938, par Charnotet (?, photographe)
                                        Lieu de conservation : Archives de la société Solvay et Cie, Tavaux                                      
 
                                 
                                                           
                           
                         
                      
                                            
                                                                          N° de l’illustration : 19903900121X
                          
                                                                                                  Date : 1990
                        
                                                  Auteur : Jérôme  Mongreville (reproduction)
                                               
                                                                    Reproduction soumise à autorisation du titulaire des droits d'exploitation
                      
                                                                    
                          - © Région Bourgogne-Franche-Comté, Inventaire du patrimoine
 
                                                    
                                                                                                                                                              
                                                              
                                                                                                                                                                                                                                                                                                                                                                                                                                                                                                                            
                                                                                                                                                                                                                                                                                                                                                                                                                                                                                                                                                                                                                                                                                                                                                                                                                                                                                                                                                                
                                                                                                                                                                 
                                                                                                                
                      
                                                                    
                          Travaux de construction de l'immeuble avec boutiques, 2 place de la Victoire, façade postérieure et face droite.
                        
                      
                                                                    
                          39, Tavaux, lieudit : Tavaux Cité
                        
                      
                                                                  
                                                                    
                          
                            
                              
                                                              
                                  
                                    
                                      - 
                                        Photographie, 21 novembre 1938, par Charnotet (?, photographe)
                                        Lieu de conservation : Archives de la société Solvay et Cie, Tavaux                                      
 
                                 
                                                           
                           
                         
                      
                                            
                                                                          N° de l’illustration : 19903900122X
                          
                                                                                                  Date : 1990
                        
                                                  Auteur : Jérôme  Mongreville (reproduction)
                                               
                                                                    Reproduction soumise à autorisation du titulaire des droits d'exploitation
                      
                                                                    
                          - © Région Bourgogne-Franche-Comté, Inventaire du patrimoine
 
                                                    
                                                                                                                                                              
                                                              
                                                                                                                                                                                                                                                                                                                                                                                                                                                                                                                            
                                                                                                                                                                                                                                                                                                                                                                                                                                                                                                                                                                                                                                                          
                                                                                                                                                                 
                                                                                                                
                      
                                                                    
                          Vue aérienne depuis le nord-ouest.
                        
                      
                                                                    
                          39, Tavaux, lieudit : Tavaux Cité
                        
                      
                                                                  
                                                                    
                          
                            
                              
                                                              
                                  
                                    
                                      - 
                                        Vue aérienne depuis le nord-ouest. , par Chechillot, G. (photographe)
                                        Lieu de conservation : Archives de la société Solvay et Cie, Tavaux                                      
 
                                 
                                                           
                           
                         
                      
                                            
                                                                          N° de l’illustration : 19903900243ZA
                          
                                                                                                  Date : 1990
                        
                                                  Auteur : Jérôme  Mongreville (reproduction)
                                               
                                                                    Reproduction soumise à autorisation du titulaire des droits d'exploitation
                      
                                                                    
                          - © Région Bourgogne-Franche-Comté, Inventaire du patrimoine
 
                                                    
                                                                                                                                                              
                                                              
                                                                                                                                                                                                                                                                                                                                                                                                                                                                                                                            
                                                                                                                                                                                                                                                                                                                                                                                                                                                                                                                                                                                                                                                          
                                                                                                                                                                 
                                                                                                                
                      
                                                                    
                          Vue aérienne depuis le sud.
                        
                      
                                                                    
                          39, Tavaux, lieudit : Tavaux Cité
                        
                      
                                                                  
                                                                    
                          
                            
                              
                                                              
                                  
                                    
                                      - 
                                        Vue aérienne depuis le sud. , par Chechillot, G. (photographe)
                                        Lieu de conservation : Archives de la société Solvay et Cie, Tavaux                                      
 
                                 
                                                           
                           
                         
                      
                                            
                                                                          N° de l’illustration : 19903900244ZA
                          
                                                                                                  Date : 1990
                        
                                                  Auteur : Jérôme  Mongreville (reproduction)
                                               
                                                                    Reproduction soumise à autorisation du titulaire des droits d'exploitation
                      
                                                                    
                          - © Région Bourgogne-Franche-Comté, Inventaire du patrimoine
 
                                                    
                                                                                                                                                              
                                                              
                                                                                                                                                                                                                                                                                                                                                                                                                                                                                                                            
                                                                                                                                                                                                                                                                                                                                                                                                                                                                                                                                              
                                                                                                                                                                 
                                                                                                                
                      
                                                                    
                          Avenue Victor Hugo, vue depuis l'angle de l'avenue Cardinal Mercier.
                        
                      
                                                                    
                          39, Tavaux, lieudit : Tavaux Cité
                        
                      
                                                                  
                                            
                                            
                                                                          N° de l’illustration : 19893900434ZA
                          
                                                                                                  Date : 1989
                        
                                                  Auteur : Laurent Poupard
                                               
                                                                    Reproduction soumise à autorisation du titulaire des droits d'exploitation
                      
                                                                    
                          - © Région Bourgogne-Franche-Comté, Inventaire du patrimoine
 
                                                    
                                                                                                                                                              
                                                              
                                                                                                                                                                                                                                                                                                                                                                                                                                                                                                                            
                                                                                                                                                                                                                                                                                                                                                                                                                                                                                                                                              
                                                                                                                                                                 
                                                                                                                
                      
                                                                    
                          Vue générale de l'avenue de la Paix.
                        
                      
                                                                    
                          39, Tavaux, lieudit : Tavaux Cité
                        
                      
                                                                  
                                            
                                            
                                                                          N° de l’illustration : 19893900435ZA
                          
                                                                                                  Date : 1989
                        
                                                  Auteur : Laurent Poupard
                                               
                                                                    Reproduction soumise à autorisation du titulaire des droits d'exploitation
                      
                                                                    
                          - © Région Bourgogne-Franche-Comté, Inventaire du patrimoine
 
                                                    
                                                                                                                                                              
                                                              
                                                                                                                                                                                                                                                                                                                                                                                                                                                                                                                            
                                                                                                                                                                                                                                                                                                                                                                                                                                                                                                                                              
                                                                                                                                                                 
                                                                                                                
                      
                                                                    
                          Maisons d'ouvriers de types 10 et 10A, 49, 51, 53, 55 et 57, 59 avenue de la Paix.
                        
                      
                                                                    
                          39, Tavaux, lieudit : Tavaux Cité
                        
                      
                                                                  
                                            
                                            
                                                                          N° de l’illustration : 19893900441X
                          
                                                                                                  Date : 1989
                        
                                                  Auteur : Yves Sancey
                                               
                                                                    Reproduction soumise à autorisation du titulaire des droits d'exploitation
                      
                                                                    
                          - © Région Bourgogne-Franche-Comté, Inventaire du patrimoine
 
                                                    
                                                                                                                                                              
                                                              
                                                                                                                                                                                                                                                                                                                                                                                                                                                                                                                            
                                                                                                                                                                                                                                                                                                                                                                                                                                                                                                                                              
                                                                                                                                                                 
                                                                                                                
                      
                                                                    
                          Maisons d'ouvriers de types 10 et 10A, 49, 51 et 53, 55 avenue de la Paix.
                        
                      
                                                                    
                          39, Tavaux, lieudit : Tavaux Cité
                        
                      
                                                                  
                                            
                                            
                                                                          N° de l’illustration : 19893900440X
                          
                                                                                                  Date : 1989
                        
                                                  Auteur : Yves Sancey
                                               
                                                                    Reproduction soumise à autorisation du titulaire des droits d'exploitation
                      
                                                                    
                          - © Région Bourgogne-Franche-Comté, Inventaire du patrimoine
 
                                                    
                                                                                                                                                              
                                                              
                                                                                                                                                                                                                                                                                                                                                                                                                                                                                                                            
                                                                                                                                                                                                                                                                                                                                                                                                                                                                                                                                              
                                                                                                                                                                 
                                                                                                                
                      
                                                                    
                          Vue d'ensemble des groupes V et W depuis la place de la Paix.
                        
                      
                                                                    
                          39, Tavaux, lieudit : Tavaux Cité
                        
                      
                                                                  
                                            
                                            
                                                                          N° de l’illustration : 19893900437X
                          
                                                                                                  Date : 1989
                        
                                                  Auteur : Yves Sancey
                                               
                                                                    Reproduction soumise à autorisation du titulaire des droits d'exploitation
                      
                                                                    
                          - © Région Bourgogne-Franche-Comté, Inventaire du patrimoine
 
                                                    
                                                                                                                                                              
                                                              
                                                                                                                                                                                                                                                                                                                                                                                                                                                                                                                            
                                                                                                                                                                                                                                                                                                                                                                                                                                                                                                                                              
                                                                                                                                                                 
                                                                                                                
                      
                                                                    
                          Maison d'ouvriers de type 10A, 10, 12 rue Carnot.
                        
                      
                                                                    
                          39, Tavaux, lieudit : Tavaux Cité
                        
                      
                                                                  
                                            
                                            
                                                                          N° de l’illustration : 19893900666ZA
                          
                                                                                                  Date : 1989
                        
                                                  Auteur : Yves Sancey
                                               
                                                                    Reproduction soumise à autorisation du titulaire des droits d'exploitation
                      
                                                                    
                          - © Région Bourgogne-Franche-Comté, Inventaire du patrimoine
 
                                                    
                                                                                                                                                              
                                                              
                                                                                                                                                                                                                                                                                                                                                                                                                                                                                                                            
                                                                                                                                                                                                                                                                                                                                                                                                                                                                                                                                              
                                                                                                                                                                 
                                                                                                                
                      
                                                                    
                          Maison d'ouvriers de type 10, 2, 4 avenue Albert 1er.
                        
                      
                                                                    
                          39, Tavaux, lieudit : Tavaux Cité
                        
                      
                                                                  
                                            
                                            
                                                                          N° de l’illustration : 19893900438ZA
                          
                                                                                                  Date : 1989
                        
                                                  Auteur : Laurent Poupard
                                               
                                                                    Reproduction soumise à autorisation du titulaire des droits d'exploitation
                      
                                                                    
                          - © Région Bourgogne-Franche-Comté, Inventaire du patrimoine
 
                                                    
                                                                                                                                                              
                                                              
                                                                                                                                                                                                                                                                                                                                                                                                                                                                                                                            
                                                                                                                                                                                                                                                                                                                                                                                                                                                                                                                                              
                                                                                                                                                                 
                                                                                                                
                      
                                                                    
                          Maison d'ouvriers de type 10, 2, 4 rue Voltaire.
                        
                      
                                                                    
                          39, Tavaux, lieudit : Tavaux Cité
                        
                      
                                                                  
                                            
                                            
                                                                          N° de l’illustration : 19893900665ZA
                          
                                                                                                  Date : 1989
                        
                                                  Auteur : Yves Sancey
                                               
                                                                    Reproduction soumise à autorisation du titulaire des droits d'exploitation
                      
                                                                    
                          - © Région Bourgogne-Franche-Comté, Inventaire du patrimoine
 
                                                    
                                                                                                                                                              
                                                              
                                                                                                                                                                                                                                                                                                                                                                                                                                                                                                                            
                                                                                                                                                                                                                                                                                                                                                                                                                                                                                                                                              
                                                                                                                                                                 
                                                                                                                
                      
                                                                    
                          Maisons d'ouvriers de type 10, 1, 3 rue Carnot.
                        
                      
                                                                    
                          39, Tavaux, lieudit : Tavaux Cité
                        
                      
                                                                  
                                            
                                            
                                                                          N° de l’illustration : 19893900439X
                          
                                                                                                  Date : 1989
                        
                                                  Auteur : Yves Sancey
                                               
                                                                    Reproduction soumise à autorisation du titulaire des droits d'exploitation
                      
                                                                    
                          - © Région Bourgogne-Franche-Comté, Inventaire du patrimoine
 
                                                    
                                                                                                                                                              
                                                              
                                                                                                                                                                                                                                                                                                                                                                                                                                                                                                                            
                                                                                                                                                                                                                                                                                                                                                                                                                                                                                                                                              
                                                                                                                                                                 
                                                                                                                
                      
                                                                    
                          Immeuble avec boutiques, 2 place de la Victoire.
                        
                      
                                                                    
                          39, Tavaux, lieudit : Tavaux Cité
                        
                      
                                                                  
                                            
                                            
                                                                          N° de l’illustration : 19893900503ZA
                          
                                                                                                  Date : 1989
                        
                                                  Auteur : Laurent Poupard
                                               
                                                                    Reproduction soumise à autorisation du titulaire des droits d'exploitation
                      
                                                                    
                          - © Région Bourgogne-Franche-Comté, Inventaire du patrimoine
 
                                                    
                                                                                                                                                              
                                                              
                                                                                                                                                                                                                                                                                                                                                                                                                                                                                                                            
                                                                                                                                                                                                                                                                                                                                                                                                                                                                                                                                              
                                                                                                                                                                 
                                                                                                                
                      
                                                                    
                          La place Pasteur.
                        
                      
                                                                    
                          39, Tavaux, lieudit : Tavaux Cité
                        
                      
                                                                  
                                            
                                            
                                                                          N° de l’illustration : 19893900436X
                          
                                                                                                  Date : 1989
                        
                                                  Auteur : Yves Sancey
                                               
                                                                    Reproduction soumise à autorisation du titulaire des droits d'exploitation
                      
                                                                    
                          - © Région Bourgogne-Franche-Comté, Inventaire du patrimoine
 
                                                    
                                                                                                                                                              
                                                              
                                                                                                                                                                                                                                                                                                                                                                                                                                                                                                                            
                                                                                                                                                                                                                                                                                                                                                                                                                                                                                                                                              
                                                                                                                                                                 
                                                                                                                
                      
                                                                    
                          Vue de la rue Buffon.
                        
                      
                                                                    
                          39, Tavaux, lieudit : Tavaux Cité
                        
                      
                                                                  
                                            
                                            
                                                                          N° de l’illustration : 19893900508X
                          
                                                                                                  Date : 1989
                        
                                                  Auteur : Yves Sancey
                                               
                                                                    Reproduction soumise à autorisation du titulaire des droits d'exploitation
                      
                                                                    
                          - © Région Bourgogne-Franche-Comté, Inventaire du patrimoine