CITÉ OUVRIÈRE ADOLPHE JAPY
90 - Beaucourt
Cité Adolphe Japy
- Dossier IA90000135 réalisé en 2000
- Auteur(s) : Bernard Lardière, Raphaël Favereaux
Historique
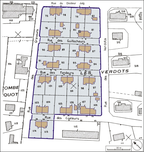
Cette cité ouvrière a été édifiée vers 1930. Elle s'étend le long des rues des Guillocheurs, des Fondeurs, des Ciseleurs et du Docteur Julg. Elle compte quinze maisons abritant chacune deux logements.
Période(s)
Principale :
- 2e quart 20e siècle
Description
De même type, les maisons sont en moellon enduit, avec étage de soubassement, rez-de-chaussée surélevé et étage en surcroît. Elles sont couvertes d'un toit à longs pans à croupe.
Murs :
- pierre
- moellon
- enduit
Toit :
- tuile mécanique
Etages :
- étage de soubassement
- rez-de-chaussée surélevé
- étage en surcroît
Couvertures :
- toit à longs pans
À voir
Informations complémentaires
Thématiques :
- patrimoine industriel du Territoire de Belfort
Aire d’étude et canton :
Territoire de Belfort
Dénomination :
cité ouvrière
- © Région Bourgogne-Franche-Comté, Inventaire du patrimoine, Région Bourgogne-Franche-Comté, Inventaire du patrimoine
